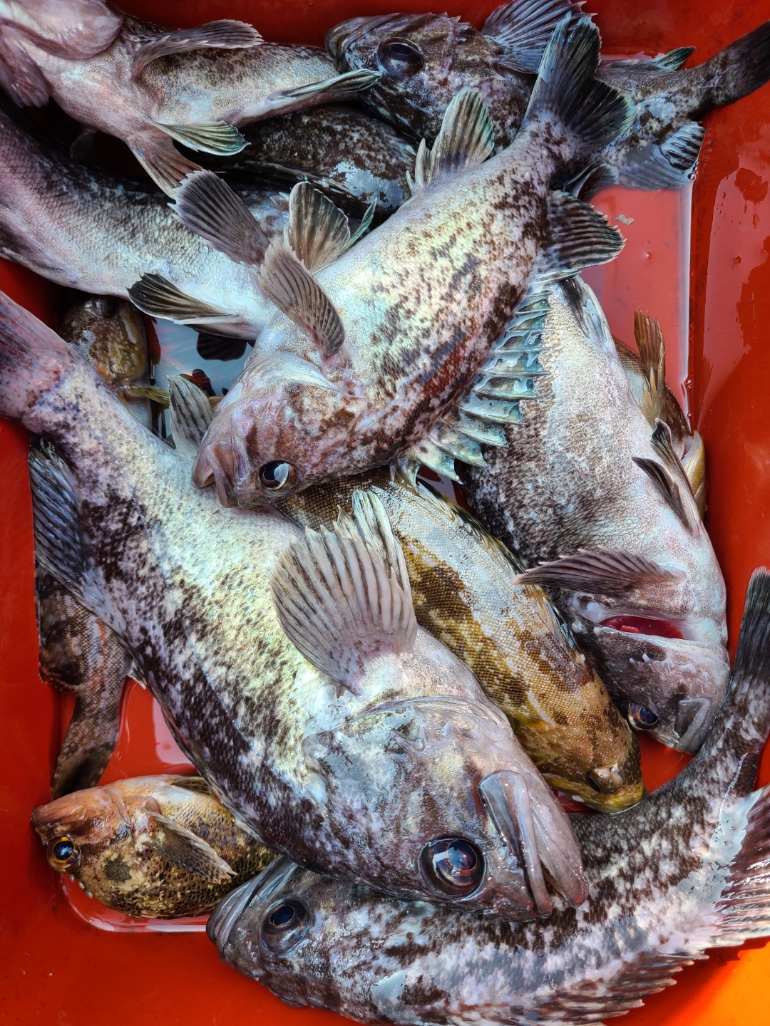
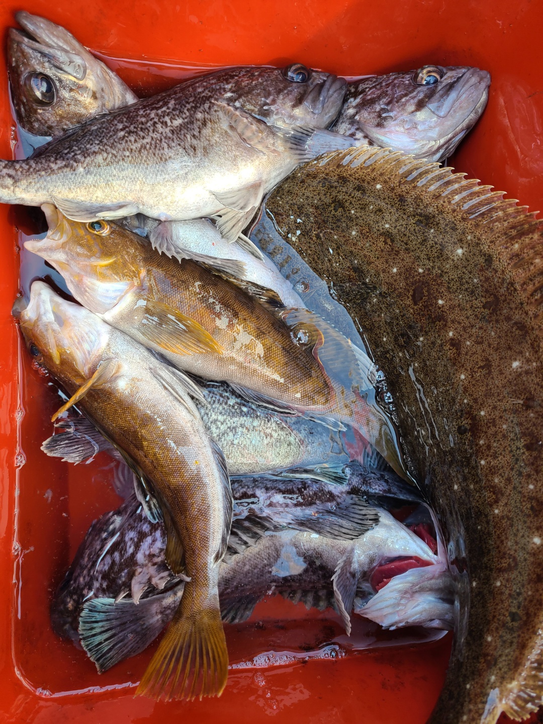
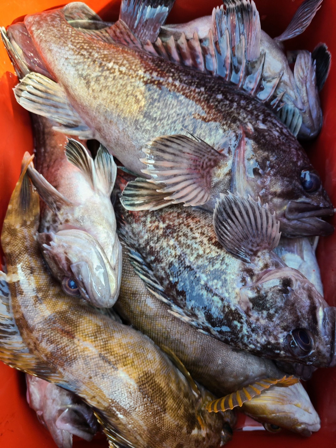
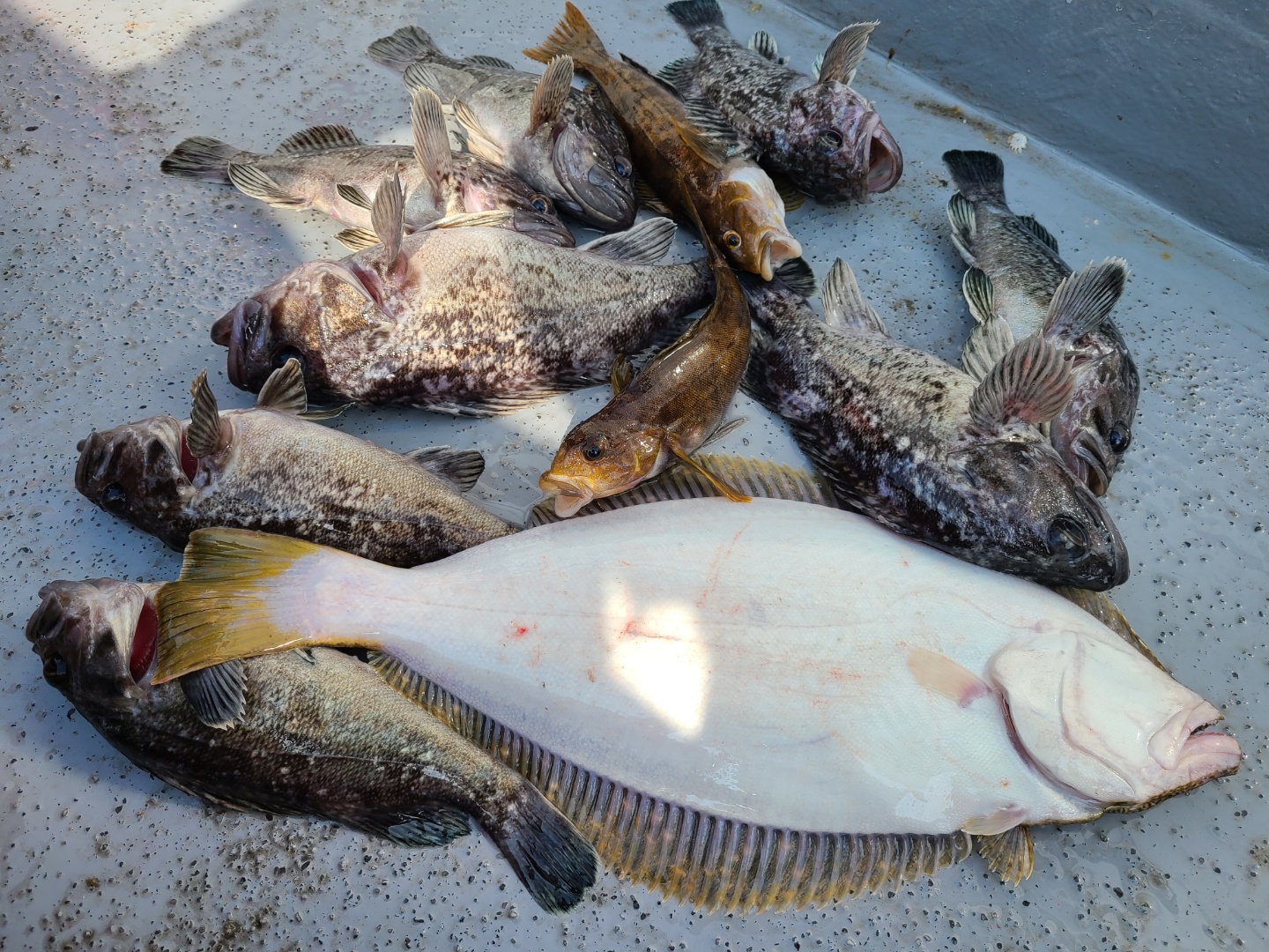
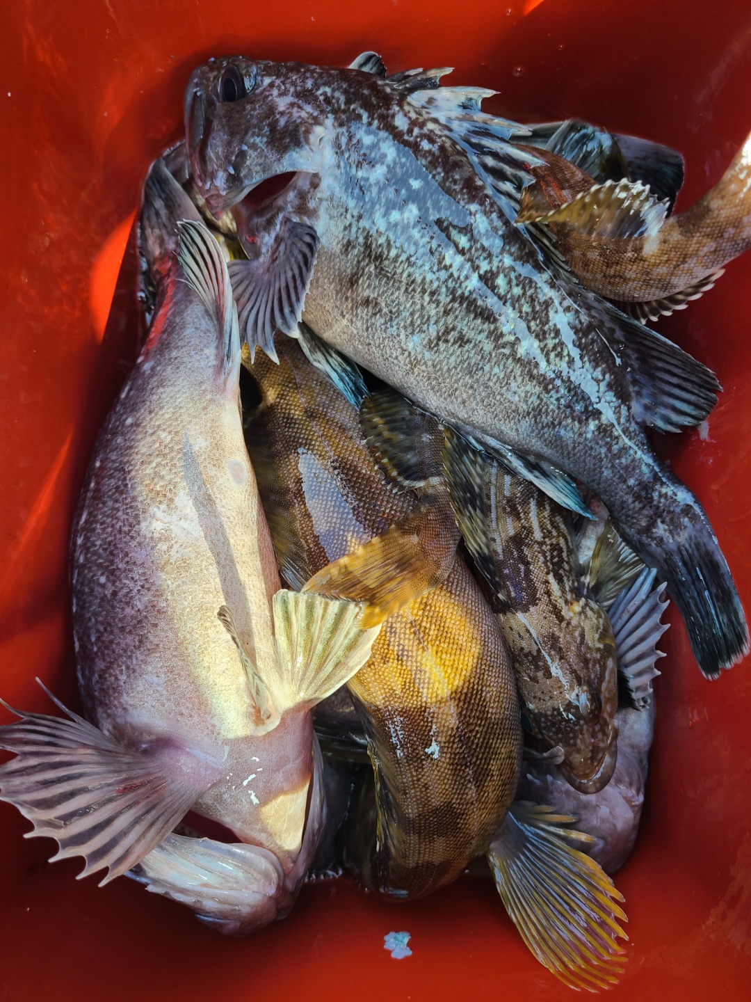
[뉴대성호(낚시전용선)] 4월10일 뉴대성호 우럭조황

  • 뉴대성호
  • 0
  • 2,982
  • 글주소
  • 04-11

물이 조금씩쎄지고있네요


많은 양이 나오지는 않았지만 전날보다는 잘나와주었고


다들 비슷비슷하게 잡아주셨습니다^^


밑걸림도심했을텐데 끝까지 열심히 낚시해주셔서 감사합니다~


추가로 오늘 첫출항한 조pd선장의 꿈을 응원합니다~










































 

조황정보

번호 제목 글쓴이 날짜 조회수
2184

4월22일 뉴대성호 우럭조황

전날 허준님의 허강조류 유투브촬영과 홍성홍보촬영을 진행하였는데서로 내상만 입고 들어왔네요 ㅋㅋㅋ복수전을 해야 내상이 치료될듯합니다연락주세요~금일도 냉수가 들어와서인지 활성도가 떨어져서 힘든하루였지만다들 열심히 낚시해주셔서 그럭저럭 잡아가셨네요~놀래미가 많이 달려들었습니다 

+2 뉴대성호(낚시전용선)
뉴대성호 04-23 2,621
2183

4월 21일 해랑호 생활우럭조황

오늘은 저희 사무장 정식 첫 출조였네요....^^손님 4분..ㅎ조금 조촐했지만 그래도 재밌게 놀다 왔습니다.첫 출조기념으로 손님들이 잡으신 우럭 일부는 손수 등따게까지 해주시고...오늘오신 조사님들 기분 좋게 가셨으리라 믿을께요...앞으로 저희 배 타시는 조사님들 우리 수봉언니 많은 사랑부탁드립니다...^^조황은 어제보다는 살짝 떨어진 듯 한데..ㅠ물이 너무 안가니 쉬는 타임이 좀 있었네요... 

뉴해랑호(낚시전용선)
해랑호 04-21 2,726
2182

4월 21일 대성호 6인 대광어~^^ 조황입니다

오늘도 대성호는 우리 손님들과 신나게 놀다 왔습니다 대성호 6인 조황 4광~3광~2광~1광~7짜도 2마리~6짜~5짜~대부분 싸이즈가 좋았내요~방생싸이즈 하나도 없이 일단 전원 히트~현재 12장마릿수가 많이 아쉬워 나머지공부 하고 들어갈예정입니다 아직 진행중이내요~^^ 오늘 늦게 까지 너무 고생하셨고 양손 무겁게 보내드려 행복하내요~^^오늘 총조과: 20장~  4짜이하 방생 5마리 7짜 신♡원님 ㅊㅋㅊㅋ, 생애 첫 다운샷에 67,58 조♡♡님 ㅊㅋㅊㅋ~ 생애 첫 다운샷 6번손님 69,65 ㅊㅋㅊㅋ~합니다       

대성호(낚시전용선)
대성호캡틴 04-21 2,911
2181

4월 20일 대성호 우럭 조황입니다

오늘도 대성호는 신나고 재미있게 놀다왔습니다 오늘은 처 형님과 지인분들 9명과 우럭사냥 다녀왔습니다전원 생애 첫낚시 와~~~~~~~~~~~~~~~~~~~~~~~전원 낚시대 임대 와~~~~~~~~~~~~~~~~~~~~~~~9명중 어른 6섯 애들 3명~~~~~~~~~~~~~~~~~~~~망했어~~~망했어~~~~^^ 전원 오징어 채비로 단결~~~^^망할줄 알았는데....반전~~전원 히트~~~생각보다 우럭과 놀래미들이 잘 물어주어~재미지고 신나게 놀다왔내요~모두 만족해 하시며 잘 놀가셨습니다~우럭,놀래미,광어 총 무게 15k 회뜨는비용 75.000원~^^(처음이라 그러신가 많이 놀라시더라구요...ㅋ)사무장님 낚시 교육중~^^다운샷을 잘 못하시는분 사무장님께서 1:1낚시 교육들어갑니다~^^ 교육에 결과~^^쵝오   15일 대광어 찾아 삼만리 했내요...ㅠ    

대성호(낚시전용선)
대성호캡틴 04-20 2,466
2180

4월20일 뉴대성호 우럭조황

확실히 어제보다 좋아지고있군요내일도 잘나와줄것같은데~~저는 홍성홍보영상 찍으로가니 해랑호로 우럭잡으로 놀러오세요^^ 

+1 뉴대성호(낚시전용선)
뉴대성호 04-20 2,602
2179

4월 19일 뉴해랑호 생활우럭조황

안녕하세요. 뉴해랑호  선장입니다.물때가 조금이었지만 남서풍 이었습니다.클럽씨피싱 사랑하는 조사님 3분과 해랑호선장님.해랑호사무님 모시고 출항~~바람 세기와 찬기운과 수온이 떨어져서 걱정을 많이 했는데.추위에도 저희 조사님들이 열심히 해주신거 결과 나쁘지는 않았습니다.멀리까지 오셔서 고생 많이 하셨습니다. 항상 노력하는 뉴해랑호!!클럽씨피싱이 되도록 노럭하겠습니다. 많이 놀러오세요! 

뉴해랑호(낚시전용선)
뉴해랑호 04-19 2,849
2178

4월19일 뱃지 주잇공은 누규?

오늘 뉴대성호 독배 다녀왔습니다.^^ 4월19일 뱃지주인공은!!!!!길병일님 이십니다. 축하드려요! 

클럽씨남당댁
남당댁 04-19 4,167
2177

4월19일 뉴대성호 우럭조황

오늘은 낚시꿈나무분들이 많이오셨군요아쉽게도 몇일간 분바람과 예보와 다르게 똥바람이불어초보분들이 낚시하기에는 쉽지는 않았을듯 합니다그래도 끝까지 다들 열심히낚시해주셔서 감사합니다^^잡으신분은 제법잡아주셨네요~초보분들도 우럭낚시는 쉽게 하실수있으니 부담없이 낚시입문으로 많이 놀러오세요~ 

뉴대성호(낚시전용선)
뉴대성호 04-19 2,736
2176

4월 11일 해랑호 생활우럭조황

오늘도 재밌게 놀다 왔습니다...^^해랑호는 거의 타시던 분들이 주로 타시는 경우가 많아서인지 오시는 조사님들도 거의 아는 분들이 많아서그냥 재밌게 또 놀다 왔네요...가끔은 너무 재밌게 보내다 와서 그런지 조사님들 열심히 낙시하러 오셨는데너무 조과에 신경 안쓴거 아닌지 죄송하다는 생각도 들기는 하네요...^^오늘도 감사했구여.. 다음에 또 뵙도록 할께요...아.. 그리고 오늘도 능력있는 새로운 선장님이 첫 출조를 하셨네요...ㅎㅎ조피디선장님도 축하드립니다....능력있고 열심히 하는 우리 조피디도 많이 응원해주세여~~  

+1 뉴해랑호(낚시전용선)
해랑호 04-12 3,267
2175

4월 11일 뉴대성호 우럭조황입니다.

안녕하세요~오늘은 선장 조PD였습니다.저희 선장님들 대단하시다고 느낀 하루였습니다.뉴대성호 선장님의 지도와 해랑호 선장님의 코치로쪽박은 면하고 들어왔습니다.첫 출항인데도 믿고 타주신 조사님들께 진심으로 감사드립니다^^저를 도와주신 장호영사무장님과 대성2호 선장님 진심으로 감사드립니다! 이제 마음놓고 자볼께요^^ 마지막으로 첫 출항 축하한다며 연락주신 조영조님께 감사드려요~~~

뉴대성호(낚시전용선)
조PD 04-11 3,278
2174

4월 11일 대성호 광어탐사 조황입니다

오늘도 대성호는 돌아올 광어 시즌을 준비하기 위해여기 저기 거기까지 열심히 돌아디니며 탐사하고 왔습니다제 생각에는 고기 나오는 한곳에 하루 종일 다른 배들과 함께 있는 다면 머 한 20마리 이상 잡겠죠...그치만 저는돌아올 광어 씨즌을 위해 열심히 포인트 모아놓겠습니다기대해주십시요~~~~~~^^오늘 아쉬운 점이 있다면 한분이 다섯번에 바이트 끝에 한마리를 걸어 올려 너무 아쉬웠고..ㅠ 생애 첫 다운샷을 하시는 분이 싸이즈,마릿수 모두 배에서 1등을 하시는 기적 같은 일이~^^ (두분이 같은 일행...ㅠ)총 조황은 13장 6짜,5짜,4짜~ 한마리 방생 사진은 2마리를 빼놓고 찍어 나중에 다시찍어 합친 것입니다 오해마세요~오늘도 열심히 해주시고 선장,사무장 간씩까지 챙겨 주셔서 넘 감사히 잘 먹었습니다      

대성호(낚시전용선)
대성호캡틴 04-11 2,728
2173

4월11일 뱃지 주잇공은 누규?

오늘 뉴대성호는 선데이 조피디선장어떠셨나요?^^데뷔 축하드립니다!첫출항에 뺏지 주인공이 탄생하였을까요? 축하드립니다!유성호님! 유칠복님!두분 부자지간 아닙니다^^  축하드립니다!

+5 클럽씨남당댁
남당댁 04-11 2,408
2172

4월10일 뉴대성호 우럭조황

물이 조금씩쎄지고있네요많은 양이 나오지는 않았지만 전날보다는 잘나와주었고다들 비슷비슷하게 잡아주셨습니다^^밑걸림도심했을텐데 끝까지 열심히 낚시해주셔서 감사합니다~추가로 오늘 첫출항한 조pd선장의 꿈을 응원합니다~ 

뉴대성호(낚시전용선)
뉴대성호 04-11 2,983
2171

4월 10일 해랑호 생활우럭조황

 2021년도 해랑호 신입 사무장입니다...아시는 분도 있으리라 생각되는데 새로운 도전에 많은 응원부탁드립니다.정식 출근은 다음 주인데 오늘은 이제까지 사무장 맡아주신 이종훈선장님의 뉴해랑호 출조로 하루 미리 오셔서 도와주셨네요...^^저희 신입사무장 많이 이뻐라 해주시고 부족한 점이 있으면 많이 가르쳐주시구여...저희 뉴해랑호 이종훈 선장님도 그동안 많이 노력하셨으니그 결실을 꼭 맺으셨음 좋겠네요...물론 저도 앞으로 더욱 노력하겠습니다..^^오늘 조황은 저희 사무장님이 처음으로 찍으신 사진들로 대체하겟습니다..ㅎㅎ 

뉴해랑호(낚시전용선)
해랑호 04-10 2,905
2170

4월 10일 뉴해랑호 생활우럭조황

안녕하세요~~ 뉴해랑호 선장입니다.3년동안 해랑호 선장님과 사무장겸 보조선장을 하다가 처음 뉴해랑호 선장이 되어 출조 였습니다.물때가 5물로 인해 힘든 하루 였습니다. 조사님 6분과 대성2호 선장님,스탭1분 총 8분 모시고 출항~~오전에는 내만권 포인트에서는 가는 곳마다  낱마리로 얼굴을 보였습니다.그런데 오후 부터 내만권이 조류세기가 안좋아 외만을 나가 첫포인트에서는 우럭 얼굴을 볼수 없어 잘 나오다는 포인트 이곳저곳............이동시간만 많아지고 지루한 시간이 흐르게 되어서 죄송합니다.그렇치만 조사님들이 이해해주시고 경려 해주시고 좋아하면서 가시는걸 보고 많은 힘이 되었고 감사했습니다.항상 노력하는 뉴해랑선장이 되도록 하겠습니다 ^^* 부부께서 잡으신 조과   

뉴해랑호(낚시전용선)
뉴해랑호 04-10 2,729
2169

4월9일,10일 뱃지 주잇공은 누규?

안녕하세요?^^ 화창한 주말 저녁이네요!4월9일,10일 클럽씨피싱 뱃지 주인공들이십니다.!!4월9일 뉴대성호 주인공 "윤덕현" 님이십니다.4월10일 해랑호 조현진님이십니다.!마지막으로 4월10일 뉴대성호 윤도진님이십니다.^^축하드립니다.! 

+1 클럽씨남당댁
남당댁 04-10 2,682
2168

4월 10일 대성호 광어탐사 조황입니다

     아침 첫 포인트는 좋았으나 그 이후로는 우리 조사님들도 힘들고 저도 넘 힘든 하루를 보냈내요.....ㅠ 빠른 챔질에 털리고 올라오다 까이고 조금만 거칠어도 채비 아웃되고...다른 배들과 같이 흘리는데 우리 배는 깻잎만 나오고..ㅠ죄송합니다 선장이 다 잘못했습니다...ㅠ 조황..ㅠ 방생 한마리 포항 7장 잡았내요...ㅠ간식 챙겨주셔서 넘 감사하고 맛나게 잘~~먹었습니다~^^

대성호(낚시전용선)
대성호캡틴 04-10 3,130
2167

4월9일 뉴대성호 우럭조황

많이 돌아다녀봤는데 아직은 나오는데서만 좀나와주네요~~아쉬운 하루가되었습니다 

뉴대성호(낚시전용선)
뉴대성호 04-10 2,719
2166

4월 9일 해랑호 생활우럭조황

오늘도 즐거운 우럭낚시...^^ 스텝 1분(대성호사무장님)과 손님 7분 모시고 다녀왔습니다.슬슬 쎄지는 물때라 오전엔 내만에서 오후엔 중외만권 공략...가는 곳 마다 심심찮게 나와주네요...손님이 적어서인지 가족적인 분위기...ㅎㅎ다들 드실 만큼 잡으신 듯 합니다.씨알좋은 것도 얼굴을 보여줍니다..역시나 오늘도 생미끼보단 웜을 쓰신 분들이 마리수나 씨알이나 더 좋구여...광어도 잊을만 하면 한마리씩 올라오구여... 광애나 애럭들은 즐겁게 살려주시는 매너도 보여주시고..멀리 미쿡에서 오신 손님도 대화는 안통하지만 즐겁게 보내셨으리라 생각합니다...^^요즘엔 오후에 물때가 바뀌면서 무조건 바람이 터지면서 안잡히네요...혹 다음에 낚시오시는 모든 분들 최대한 날물 되기전에 집중해서 바짝 잡으시구여...ㅎ오늘 오신 분들도 수고많으셨구여.. 감사했습니다...^^ 

뉴해랑호(낚시전용선)
해랑호 04-09 2,455
2165

4월7일 뉴대성호 우럭조황

물때도 좋고 날씨도 좋고 꾸준히 잘나와주었습니다~~오랜만에 조황다운 조황이네요~~다들 잘잡아주었네요^^바닥에깔린건 1인조황입니다~통조황도 1인조황 ^^내만우럭은 19일부터 23일 추천물때이니 한번 놀러오시면 좋을듯합니다~~ 

+1 뉴대성호(낚시전용선)
뉴대성호 04-07 3,403