안녕하세요~~ 뉴해랑호 선장입니다.
3년동안 해랑호 선장님과 사무장겸 보조선장을 하다가 처음 뉴해랑호 선장이 되어 출조 였습니다.
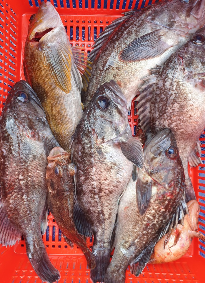
물때가 5물로 인해 힘든 하루 였습니다.
조사님 6분과 대성2호 선장님,스탭1분 총 8분 모시고 출항~~
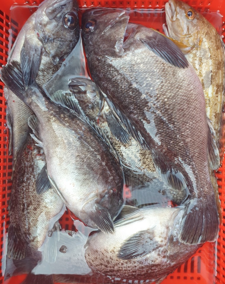
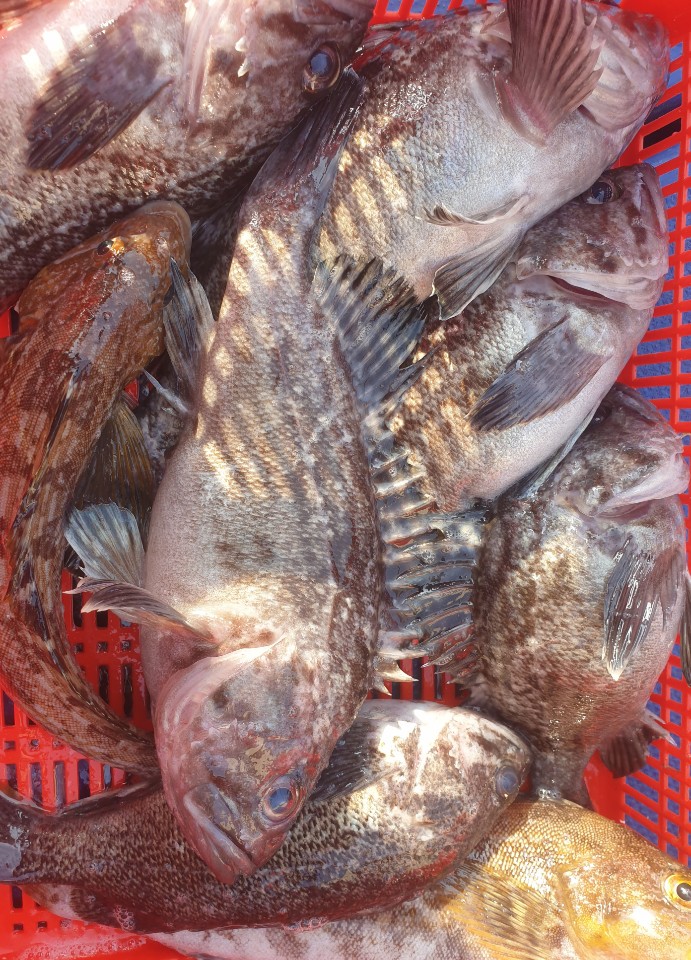
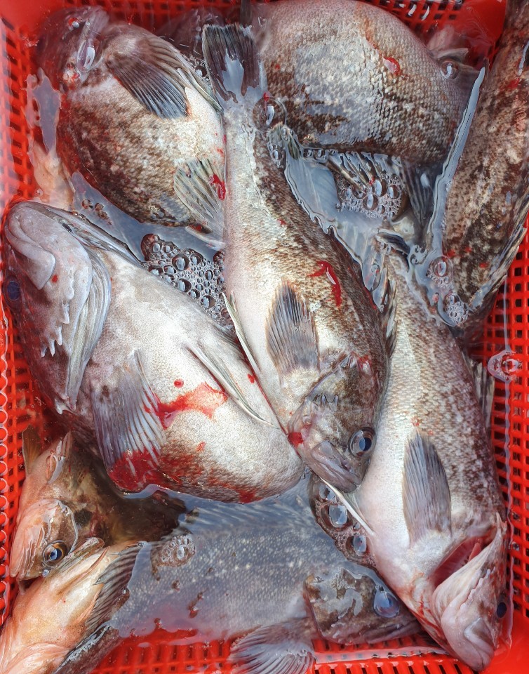
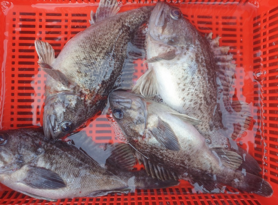
오전에는 내만권 포인트에서는 가는 곳마다 낱마리로 얼굴을 보였습니다.
그런데 오후 부터 내만권이 조류세기가 안좋아 외만을 나가 첫포인트에서는 우럭 얼굴을 볼수 없어
잘 나오다는 포인트 이곳저곳............
이동시간만 많아지고 지루한 시간이 흐르게 되어서 죄송합니다.
그렇치만 조사님들이 이해해주시고 경려 해주시고 좋아하면서 가시는걸 보고 많은 힘이 되었고 감사했습니다.
항상 노력하는 뉴해랑선장이 되도록 하겠습니다 ^^













* 부부께서 잡으신 조과




