[뉴대성호(낚시전용선)] 5월30일 뉴대성호 다잡아외수질조황

  • 뉴대성호
  • 0
  • 457
  • 글주소
  • 05-31

민물방류로 힘든 하루였네요~


붕어떠다녀요~


농어는 잘잡히지않아 우럭이라도 좀 잡고 들어왔습니다^^


내일부터는 농어외수질 미니대회하니 오셔서 즐겨주셨으면 좋겠네요~



 















 

조황정보

번호 제목 글쓴이 날짜 조회수
3864

6월3일 대성1호 참돔조황

 12분모시고 다녀왔습니다.

대성1호(낚시전용선)
대성1호 06-04 236
3863

6월 3일 대성호 광어다운샷조황입니다

오늘도 대성호는 우리 손님들과 신나게 놀고싶었으나 예보에도 없던 너울과 바람 때문에 원래 가려고했던 포인트는 진입 조차 어려워 어쩔수없이 다른 포인트로 이동 한마리 한마리 줍줍하다가 어느정도 너울이 죽어 30분을달려 대물 포인트로 이동 삑~히트~6짜중반 싸이즈 광어가 얼굴을 보여주네요~그후로 7짜 6짜 5짜싸이즈 광어가 낮마리로 얼굴을 보여줘 오후에는 재미지게 놀다 왔네요~​월(5일) 화(6일) 단 한분에 조사님이라도 무조건 출항합니다~~오로지 대물만 노려보겠습니다~제 성격상 버틸수 있을지는 잘 모르겠어요...ㅋ   

대성호(낚시전용선)
대성호캡틴 06-03 267
3862

6월 3일 블루원 참돔 조황

너울이 심해 원하는곳을 가지못해 사이즈 찿아다녀조황이 송구스럽네요... 

블루원(낚시전용선)
양태 06-03 257
3861

6월3일 대양호 우럭조황

​5인 조사님과 출조 

대양호(낚시전용선)
바다이야기 06-03 277
3860

6월 2일 대성호 광어다운샷조황입니다

오늘도 대성호는 우리 손님들과 때로는 신나게 때로는 지루하게 잘~놀다왔습니다~평일인데도 다운샷이 낚시를 처음하시는 조사님들께서 대거 승선하셔 포인트 선정하는데 어려움이 많았네요 50수 꽉채워서 입항하려했는데 3개걸면 2개는 떨리고 하나만올라와...ㅠ아쉽게 그러지 못했네요...ㅠ그래도 다들 열심히 해주셔 40수 오바하고 입항했습니다~ 

대성호(낚시전용선)
대성호캡틴 06-02 279
3859

6월1일 뉴대성호 농어외수질 조황

미니대회첫날감성돔 첫출현~광어 농어~ 우럭~ 이 나와주었습니다민물방류로인해서 입질이 약하네요 ㅠ내일은 멀리 다녀와야할듯합니다농어낚시만하게되면 좀지루할수도있어 미니대회형식으로조금이나마 즐거움을 드리고자 진행합니다^^  

뉴대성호(낚시전용선)
뉴대성호 06-02 406
3858

5월 31일 대성호 12인 광어다운샷조황입니다

오늘도 대성호는 우리 손님들과 신나게 놀고싶었는데...첫 포인트를 대광어 포인트로 정하고 출발~~삑~잡시후 히트~~그러나 바늘을 너무깊이 삼켜 쇼크리더가 날아가고...잠시뒤 히트~6짜가 올라오네요이후 대광어 잡는다고 시간 다 허비하고...이대론 안되겠다싶어 대광어 포기하고  다른 포인트 이동 다른배들보다 외연도에 한참 늦게 도착했지만 가는 포인트마다 따박 따박 때로는 우당탕탕 그냥그냥 놀다왔네요~장원하신  한♡수님(여성) 다시한번 축하드립니다 금요일부터 물 잘~~~갑니다~~~대광어에 도전해보시죠~~   

대성호(낚시전용선)
대성호캡틴 05-31 348
3857

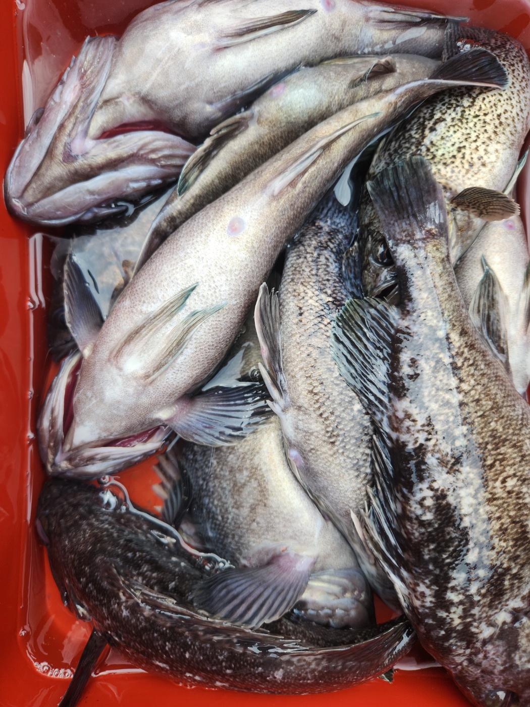
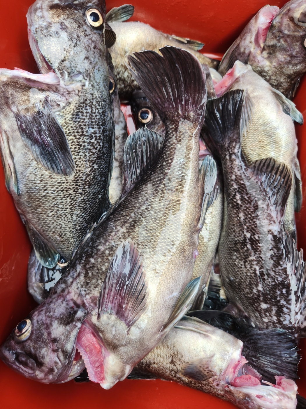
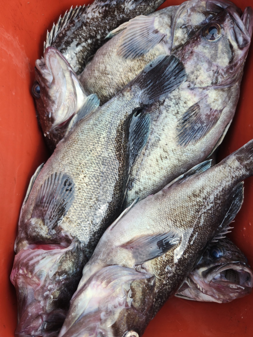
5월30일 뉴대성호 다잡아외수질조황

민물방류로 힘든 하루였네요~붕어떠다녀요~농어는 잘잡히지않아 우럭이라도 좀 잡고 들어왔습니다^^내일부터는 농어외수질 미니대회하니 오셔서 즐겨주셨으면 좋겠네요~  

뉴대성호(낚시전용선)
뉴대성호 05-31 458
3856

5월 30일 대성호 6인 광어다운샷조황입니다

오늘도 대성호는 우리 손님들과 신나게 놀다 왔습니다 4명팀과 개인 두분 생애첫 다운샷 2분~모시고광어찾아 여기 저기 거기 열심히 돌아다녔네요결과 광어 최대어 68~4짜까지~ 총 25장​대박인건 첫 다운샷 하시는 여성분이 6광~^^ㅋ넘 재미지게 놀다왔습니다~내일 31일 정상출항해요~놀러오세요~​내일은 진짜 대꾸리만 노려볼 생각인데...잘 안나오면 제가 못버티겠더라구요...ㅠㅋ 

대성호(낚시전용선)
대성호캡틴 05-30 326
3855

5월27일.29일 오늘의장원은 누구?

5월 27일 뉴대성호 김두환님5월 27일 대양호 윤재걸님5월 27일 블루원호 조철희님5월 27일 뉴해랑호 박승길님5월 27일 대성호 대물뺏지 내친구님5월27일 대성호 이병주님5월 29일 블루원호 용환도님 5월 29일 대성호 신현수님, 주관복님

클럽씨남당댁
남당댁 05-29 332
3854

5월 28일 뉴대성호 조황입니다.

안녕하세요~짜파게티 조피디입니다.비도 많고 남풍도 세고...꼭 배가 떠야 하신다는 분이 계셔서농어위주로 다녀왔습니다. 많은 마릿수는 아니지만농어랑 우럭 몇 마리 하고 바람이 너무 거세어 점심 조금 지나 입항하였습니다.마지막까지 열심히 해주셔서 감사드리고대물 2마리가 랜딩 중 떨어졌는데...선장으로서 마음이 쪼매 아픕니다^^;

뉴대성호(낚시전용선)
조PD 05-29 330
3853

5월 29일 대성호 13인 광어다운샷조황입니다

오늘도 대성호는 우리 손님들과 신나게 놀기위해 광어찾아 열심히 돌아댕겼네요~~~이른 새벽 손님을 맞이하는데 13분 중에언제나 그렇듯 초보 조사님 대거탑승~~ㅋㅠㅋ아~~오늘도 험난한 하루가 되겠구나....ㅋㅠㅋ그래도 저를 믿고 대성호를 찾아주신 손님이게에 너무 감사했습니다 ​예보와 다르게 날은 어느세 좋아졌고 한마리 한마리 보이던 광어가 두마리 세마리 보이기 시작하는데 아 이게 어떻게된 일일까요 3마리걸면 한마리 올라오고 4마리를 걸어도 한마리 올라오고....물이 겁나게 안가서 그런지 아님 초보 분들이라 그런지 잡은 광어보다 빠진 광어가 더 많은 하루였습니다 그래도 다들 즐겁게 놀다가신걸로 저는 만족합니다~~대성호는 30일, 31일 대광어 공략으로 정상출항합니다~~~놀러오세요~~~ 

대성호(낚시전용선)
대성호캡틴 05-29 279
3852

5월27일 뉴대성호 다잡아외수질조황

단체분들도많아 기본적으로 손맛보러 우럭좀잡고 광어잡고 농어잡고 들어왔습니다날씨도흐리고 비도 하루종일와서 힘드셨을듯하네요첫 광어농어우럭놀래미 4종셋트완성하신 유기영님 축하드립니다^^   

뉴대성호(낚시전용선)
뉴대성호 05-28 450
3851

5월 27일 대성호 광어다운샷조황입니다

오늘 대성호는 생애 첫낚시 하시는 10분 조사님과 기존 단골분들을 모시고 신나게 놀고 인생광어 잡게 해드리려고 열심히 돌아다녔네요그런데 날씨가 하루종일 비에 바람에...일찍 선실행 하시는 손님들이 절반...ㅠ 선장속은 타들어가기 시작합니다...그래도 남아서 열심히 하시는 손님들께서는 걸었다하면 5짜 6짜 7짜~거기에 84대광어까지~ 날도춥고 비도 오는데 너무 고생많으셨습니다~   

대성호(낚시전용선)
대성호캡틴 05-27 331
3850

5월27일 블루원 갑오징어 조황

 

블루원(낚시전용선)
양태 05-27 604
3849

5월27일 대양호 우럭조황

 

대양호(낚시전용선)
바다이야기 05-27 344
3848

5월25일 뉴대성호 농어외수질조황

소수모시고 즐거운 농어낚시다녀왔습니다^^우럭도 꾸준히 농어도 꾸준히광어는 85 농어는 9짜 8짜 7짜 대물들이 나와주었네요농어가 좀일찍 시작합니다^^   

뉴대성호(낚시전용선)
뉴대성호 05-26 419
3847

5월 25일 대성호 12인 광어다운샷조황입니다

오늘도 대성호는 우리 손님들과 재미지게 놀다왔네요~12분중에 6분이 완전 초보 광어입질이 어떤지도 잘 모르시고 바닦 확인도 잘 못하시면서 두세번 걸면 꼭 한마리씩은 올리시며 너무 재밌다 하시네요~12분 전원 히트에 저에 욕심같아서는 마릿수는 엄청 아쉬운 하루지만 손님들께서는 만족하시고 나오는 싸이즈가 너무좋아 (8짜~7짜~6짜~5짜) 조금은 위로가되네요 최고 마릿수 14광~최저 1광까지...ㅋ하루종일 정신이 없었네요~~ㅋ 

대성호(낚시전용선)
대성호캡틴 05-25 434
3846

5월21.23.25일 오늘의장원은 누구?

5월 21일 대성호 유성호님5월21일 대성호 대물 유종하님, 박원님5월 21일 블루원호(뉴대성호로출조) 참돔 장원 차은숙님5월23일 대성호 박태환님5월 25일 대성호 임지원님5월 25일 대성호 대물 임채동님5월 25일 뉴대성호 농어대물 손호근님5월 25일 뉴대성호 농어대물 조현진님 5월25일 뉴대성호 광어대물 김상우님

클럽씨남당댁
남당댁 05-25 274
3845

5월24일 뉴대성호 농어조업

선장님 사무장님과함께 잠깐 조업다녀왔습니다.농어가 반갑게 맞이해주네요^^내일은 농어위주로 출조나갑니다~ 

뉴대성호(낚시전용선)
뉴대성호 05-24 438