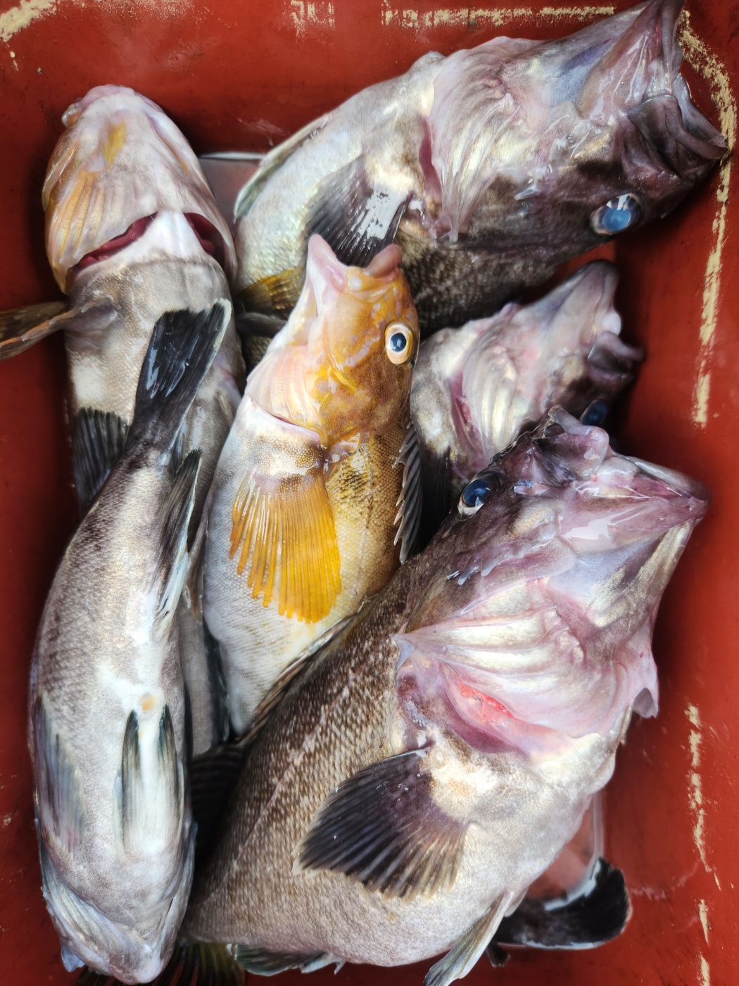
[뉴대성호(낚시전용선)] 5월20일 뉴대성호 다잡아외수질조황

  • 뉴대성호
  • 0
  • 490
  • 글주소
  • 05-21

먼곳까지 다녀왔지만 조황이 썩좋지않네요


그래도 농어가 쭉 나와줄것같네요^^






 




 








 








 




 






조황정보

번호 제목 글쓴이 날짜 조회수
3844

5월 23일 대성호 14인 대박광어다운샷조황입니다

오늘도 대성호는 우리 손님들과 완죤 신나게 놀다왔습니다 한적한 곳에서 신나게 신나게 완죤 신나게~~우당탕탕~~4짜 낮마리 나머지는 기본 5짜 6짜 7짜 8짜~~~내일 하루쉬고 목요일 출조합니다~~~손맛 찡하게보실분 놀러오세요~~~  

+1 대성호(낚시전용선)
대성호캡틴 05-23 518
3843

5월 23일 블루원호 갑오징어 조황

+1 블루원(낚시전용선)
양태 05-23 671
3842

뉴대성호 농어랜딩영상입니다.(6월 외수질 기대해주세요)

안녕하세요~ 조PD입니다.지난 5월 12일뉴대성호 외수질 낚시에서농어랜딩장면만추려서 간단하게 만들어봤습니다.손맛, 몸맛, 입맛이 있는6월 외수질 농어의 세계로 오셔서뉴대성호에서 상품도 타가세요~https://youtu.be/Zjq1KV7yZQI 위 링크 클릭!!  

뉴대성호(낚시전용선)
조PD 05-23 321
3841

5월 22일 블루원호 첫 갑오징어조황입니다.

안녕하세요~ 조PD입니다. 갑오징어 조황이 궁금하신 분이참으로 많으실 것이라 생각합니다.오늘은 김양태선장님대신봄갑오징어 사기꾼인 제가 올려드릴께요^^; 오늘 13분의 조사님을 모시고 갔는데요~우당탕탕하는 시간도 있고세상떠나갈 듯한 지루한 시간도 있고"한마리만 더~" 외치다가추가 히트하시는 분도 계시고일단. 13분조사님 모두 꽝은 없었고요1마리 잡은 분도 계시고2마리 잡으신 분들이 대다수...장원은 5마리로 마무리했습니다.2마리만 잡아도 정말 즐거운 낚시가 되실 것이라생각합니다^^ 23마리 올린다고 수고하신 김양태 블루원 선장님~수고하셨고요.주꾸미는 전량 방생합니다!!아래는 출조점 채비, 에기 현황입니다.https://www.clubsea.co.kr/post/7456

블루원(낚시전용선)
조PD 05-22 570
3840

5월21일 블루원호 참돔조황

 

+1 블루원(낚시전용선)
양태 05-21 517
3839

5월 21일 대성호 광어다운샷조황입니다

12분조사님 그중 절반은 생애첫다운샷그래도 다들 열심히 해주신덕에 5짜~6짜~7짜~8짜로40개하고 3시30분에 입항했네요~~~다들 고생많으셨습니다~~~ 

대성호(낚시전용선)
대성호캡틴 05-21 490
3838

5월20일 뉴대성호 다잡아외수질조황

먼곳까지 다녀왔지만 조황이 썩좋지않네요그래도 농어가 쭉 나와줄것같네요^^     

뉴대성호(낚시전용선)
뉴대성호 05-21 491
3837

5월 20일 대성1호 참돔조황

 

대성1호(낚시전용선)
대성1호 05-21 267
3836

2023년 5월 20일 뉴해랑호 중내만생활낚시 조황

주말마다 날씨 좋은 날이 없네요...오늘도 바람과 물의 방향이 반대...사리때임에도 물이 안가는 이상한 하루였습니다.아침에 내만 첫포인트에서 쏠쏠하게 올라오길래 이제서야 우럭이 얼굴을 비추기 시작하나 했는데내만을 벗어나니 바람도 심하고 물도 멈춰서 한마리한마리,.광어도 몇마리 건져올리고...그래서 과감히 다시 내만으로 빽...다시 한마리한마리 잡다가 들어오기전 조금 나와줘서 체면치레만 한 거 같네요...아직 바람이 차서 추위에 고생하신 조사님들 수고들 많으셨습니다... 

뉴해랑호(낚시전용선)
해랑호 05-21 322
3835

23년도 봄 갑오징어 얼굴 비추니 블루원으로 오세요.

안녕하세요~ 조PD입니다.몇일 전 대성호로갑오징어 얼굴을 살피러 조업출항하였습니다.바람도 너무 강해서 기대를 안했는데제 손에서 갑자기 느껴지는 묵직한 뭔가가~"아~ 내만갑이가 시작되었구나..."아무튼 대성호선장님 고생많으셨습니다. 너무 늦게오시면 다 빼먹고 없으니다음주부터 시작되는 블루원호를 예약하시면 됩니다.아시죠? 자리는 앞뒤가 좋으니 서둘러 예약하세요^^사용에기는 샵에서 추천드리겠습니다.https://www.clubsea.co.kr/post/7456아래 링크로 제 유튜브영상을 만나보세요!!https://youtu.be/JSOjfWnp0_Q  

블루원(낚시전용선)
조PD 05-20 483
3834

5월20일 오늘의장원은 누구?

5월 20일 뉴대성호 장광희님 5월 20일 대성호 신현수님5월 20일 뉴해랑호 김재윤님 5월 20일 대성1호 박병언님 신용건님

클럽씨남당댁
남당댁 05-20 177
3833

5월 20일 대성호 광어다운샷조황입니다

5월 20일 광어다운샷조황입니다 두통이 하루종일 지금 까지도 머리가 흔들리는거 같네요 손님들때문이 아니라 컨디션조절을 잘못해서 그런거에요....반성하고 있습니다~~~그래서 평소보다 일찍 입항했습니다 대성호를 찾아주신 우리 손님들 수고많이 하셨고 정말감사합니다~광어는 나오는 싸이즈가 5짜반 6짜반 7짜    

대성호(낚시전용선)
대성호캡틴 05-20 260
3832

5월 19일 대성호 9인 광어다운샷조황입니다

5월 19일 9인 다운샷조황입니다 3일 연속 9짜 8짜 7짜 대광어를 잡았던 장소를 첫 포인트로 정하고 출발~~~아....배들이 배들이....ㅠ9명중에 5섯분이 생애 첫 다운샷...ㅠ걸었다하면 대광어같은데 중간에 다 터져버리네요...ㅠ 그래도 기본 5짜 6짜로 9명이서 25섯마리 잡고 입항했네요~~  

대성호(낚시전용선)
대성호캡틴 05-20 136
3831

5월18일 오늘의장원은 누구?

5월 18일 대성호 정창영님5월 18일 대물뺏지 심선보님 5월 18일 대물뺏지 이흥수님

클럽씨남당댁
남당댁 05-19 200
3830

5월 18일 대성호 다운샷조황입니다

오늘은 우여곡절 우당탕탕 입니다.. 오전에 물이 빨라서인지 우리 조사님들은 엉키고 또 엉키고...또 또 엉키고..ㅠㅠ 다른배 8마리 뜰채질할동안 저희는 단 한마리도 못했네요...ㅠㅠ 그래서 깊은수심 대광어는 오후 들물에 잡기로하고 광어찾아 이곳저곳 돌아다녀봤지만 점심 먹을때까지 4짜 2마리....ㅠ 점심먹고 들물에 맞춰 대광어 포인트로 go~go 삑~  히트~더블~~올라오는 싸이즈가 기본 6짜 7짜거기에 95대광어에 우당탕탕하고 왔네요~~오늘이 역대급으로 힘든 하루였네요~~~조황 : 전체사진 1열 4짜 2마리 5짜                         2열 6짜 , 3열 65,67,68,69,70                         3열 78, 89,95대광어 잘 나와요~~내일 자리여유 있어요~~인생광어 잡으러 가요~~~    

+2 대성호(낚시전용선)
대성호캡틴 05-18 344
3829

5월14일.16일 오늘의장원은 누구?

5월 14일 블루원호 오창렬님5월 14일 블루원호 첫 참돔 오창렬님5월 14일 뉴대성호 대물뺏지 윤성숙님5월 14일 대성호 서승우님5월 14일 뉴대성호 김정임님 5월 16일 뉴대성호 이은영님

클럽씨남당댁
남당댁 05-16 427
3828

5월12일,13일오늘의장원은 누구?

5월 12일 뉴대성호 장원 진상만님5월 12일 뉴대성호 농어 대물 정태완님5월 12일 뉴대성호 농어 대물 김대겸님5월 13일 뉴대성호 서일원님5월 13일 뉴해랑호 박승길님5월 13일 화성호 첫수 김원철님5월 13일 화성호 박동명님5월 13일 대양호 첫수 이벤트 코인 김용운님5월13일 대양호 장원 김용운님 5월13일 대양호 이벤트 코인 한민형님

클럽씨남당댁
남당댁 05-16 206
3827

5월14일 뉴대성호 외수질조황

안녕하세요~ 짜파게티 조피디입니다.하루종일 어초만 휘젖고 다녔습니다.일반 편한 포인트도 찍어봤지만드실만한 뭐라도 잡아가실려면 어초밖에 없었던 하루...그래서 그런지 많이 힘들어하셨는데...제 맘도 아팠답니다.우럭은 전날보다 씨알이 작아졌고 노래미도 마릿수가 줄었어요.그래도 농어를 만나 어찌나 다행인지^^; 8짜농어 올리고 하루종일 어찌나 좋아하시던지...제가 기분이 좋았습니다.깔따구라 불리는 작은 농어까지 7마리는 올린 것 같은데개인어창으로 들어가 정확히는 모르겠네요^^; 정말 수고많으셨습니다. 더 노력하고 공부하는 조피디되겠습니다.

뉴대성호(낚시전용선)
조PD 05-15 539
3826

5월 15일 대성호 6인 광어다운샷조황입니다

어제는 요즘 핫하다는 포인트로 달려봤는데 나오는 광어가 싸이즈가 35,36,37아...심해도 너무 심하더라구요 어쩌다 4짜 5짜....ㅠㅠ 그래서 오늘은 다른 포인트로 go~go 손님6섯명 모시고 광어찾아 열심히 돌아다녔는데 나오는 싸이즈가 일단 너무 좋았습니다 4짜 4수 5짜7수 6짜11수 75 1수 특대광어 주둥이 닫고 93 6섯분이서 총26마리 (2마리38,39)는 방생했습니다~대성호는 단 한분에 손님도 소중히 생각하며 기상이 허락한다면 무조건 출조합니다~내일 하루 정비하고 수요일부터 정상출조 합니다   

+2 대성호(낚시전용선)
대성호캡틴 05-15 451
3825

5월 14일 대성호 광어다운샷조황입니다

오늘도 대성호는 광어찾아 삼만리~~요즘 핫하다던 그곳으로 go~사....나오는  광어가 죄다 35,36,37,어쩌다 4짜 멀리까지 갔지만 싸이즈가 너무작아 포인트 버리고 다시 1시간 이동 낮마리로 한마리 한마리 너무힘든 하루였고우리 조사님들께 너무 죄송했습니다   

대성호(낚시전용선)
대성호캡틴 05-15 296