[뉴대성호(낚시전용선)] 5월3일 뉴대성호 내만우럭조황

  • 뉴대성호
  • 0
  • 596
  • 글주소
  • 05-04

소수지만 약속을 지키기위해 출조다녀왔습니다


전날에는 배부르게 먹을만치였는데


오늘은 그냥 먹을만치인듯합니다


고생들하셨습니다^^


뉴대성호는 내만우럭은 마지막이며


5월6일 다운샷이벤트출조후


5월12일부터 다잡아외수질출조합니다












 







 





 


조황정보

번호 제목 글쓴이 날짜 조회수
3824

5월14일 블루원호 참돔조황

  

블루원(낚시전용선)
양태 05-14 503
3823

5월13일 뉴대성호 다잡아외수질조황

아침부터 우당탕~그이후로는 줍줍~     

뉴대성호(낚시전용선)
뉴대성호 05-14 530
3822

5월13일 대양호 우럭조황

 

대양호(낚시전용선)
바다이야기 05-13 443
3821

5월12일 뉴대성호 다잡아외수질조황

10분모시고 다잡아 외수질 첫출항~아침 우럭 우당탕그후 농어 8짜들 7짜들 큰것들 굿~점심먹고 줍줍하다 들어왔습니다나름 괜찮은 하루였습니다^^      

뉴대성호(낚시전용선)
뉴대성호 05-13 458
3820

5월 13일 대성호 광어다운샷조황입니다

오늘도  우리 손님들과 광어찾아 열심히 돌아댕겼네요 정말 이상한 일입니다....광어가 잘 나오고 있다가도 다른 배들만 모이면 우리 손님들은 못잡고 다른배 잡는거 구경만 하고...정말 환장하겠습니다...또 오늘도 어깁없이 대꾸리는 터트리고 올라오다 빠지는건 어찌 이리 많은지...빠트린 손님들도 많이 속상하시겠지만 저또한 마음이...ㅠㅠ여성분도 많이 승선하셨고 초보님들은 다연히 1/3정도는 계시죠..ㅋ 그래도 다들 열심히 해주셔서 소중한 조과 올려봅니다    

대성호(낚시전용선)
대성호캡틴 05-13 269
3819

5월 12일 대성호 9인 광어다운샷조황입니다

오늘도 우리 손님들을 모시고 광어찾아 열심히 돌아댕겼네요손님 9명중에 5섯분이 생애첫 다운샷....ㅠㅠㅠ너무 힘든 하루였지만 나름 보랍된 하루였네요~~다운샷 처음하신분이 대광어도 잡고~^^ 

+1 대성호(낚시전용선)
대성호캡틴 05-12 294
3818

5월2.6.7일 오늘의장원은 누구?

5월2일 뉴대성호 최종걸님5월6일 대성호 유재민님5월6일 대성1호 첫참돔 코인이벤트 정회원님 5월7일 대성호 홍재만님

클럽씨남당댁
남당댁 05-09 376
3817

5월 7일 대성호 광어다운샷 조황입니다

오늘도 광어찾아 여기,저기 엄청 돌아다녔네요오늘은 손님 14분 그중 생애 첫 다운샷이 5섯분,올해 다운샷을 시작하신분이 4분 힘들걸 예상하고 첫 포인트로 출발~포인트 도착했는데 너울에 바람에...ㅠ벌써 멀미로 주무시는 분도 계시고 드신걸 아침부터 확인하는 분도 계시고...우리 손님 많이 힘드셨죠...다음번엔 멀미약 꼭 챙겨드세요~~~오전에는 너울 때문에 가고싶은 포인트에서 낚시가 어렵고...  그나마 낚시 할만한 포인트에서는 낮마리 낮마리 낮마리  멀리까지 이동해봤는데 헛걸음만 하고...다시 긴 시간이동 가고싶은 포인트 도착 삑~잠시뒤 히트~~히트~~히트~~~~~히트 이렇게 4마리가 우당탕 나오더니 다시 흘리니 한마리도 안나오고 또다시 흘려보니 3마리가 또 2마리 거기에 실한 농어까지 여기까지는 참 좋았는데 그후로  이동한 포인트에서는 또 낮마리...총20마리로 마무리 하고 입항했네요~~우리손님들 너울에 바람에 비에 고생많으셨습니다광어: 20장 한마리 방생 농어 1마리추천웜: 멸치,모터오일레드,또는 펄들어간 웜    

대성호(낚시전용선)
대성호캡틴 05-07 534
3816

23년 5월6일 대성1호 참돔조황

7분 모시고 나가 4마리잡고들어왔습니다.비바람이 불어서 낚시에 집중하기 어려운 날이었네요.

대성1호(낚시전용선)
대성1호 05-07 493
3815

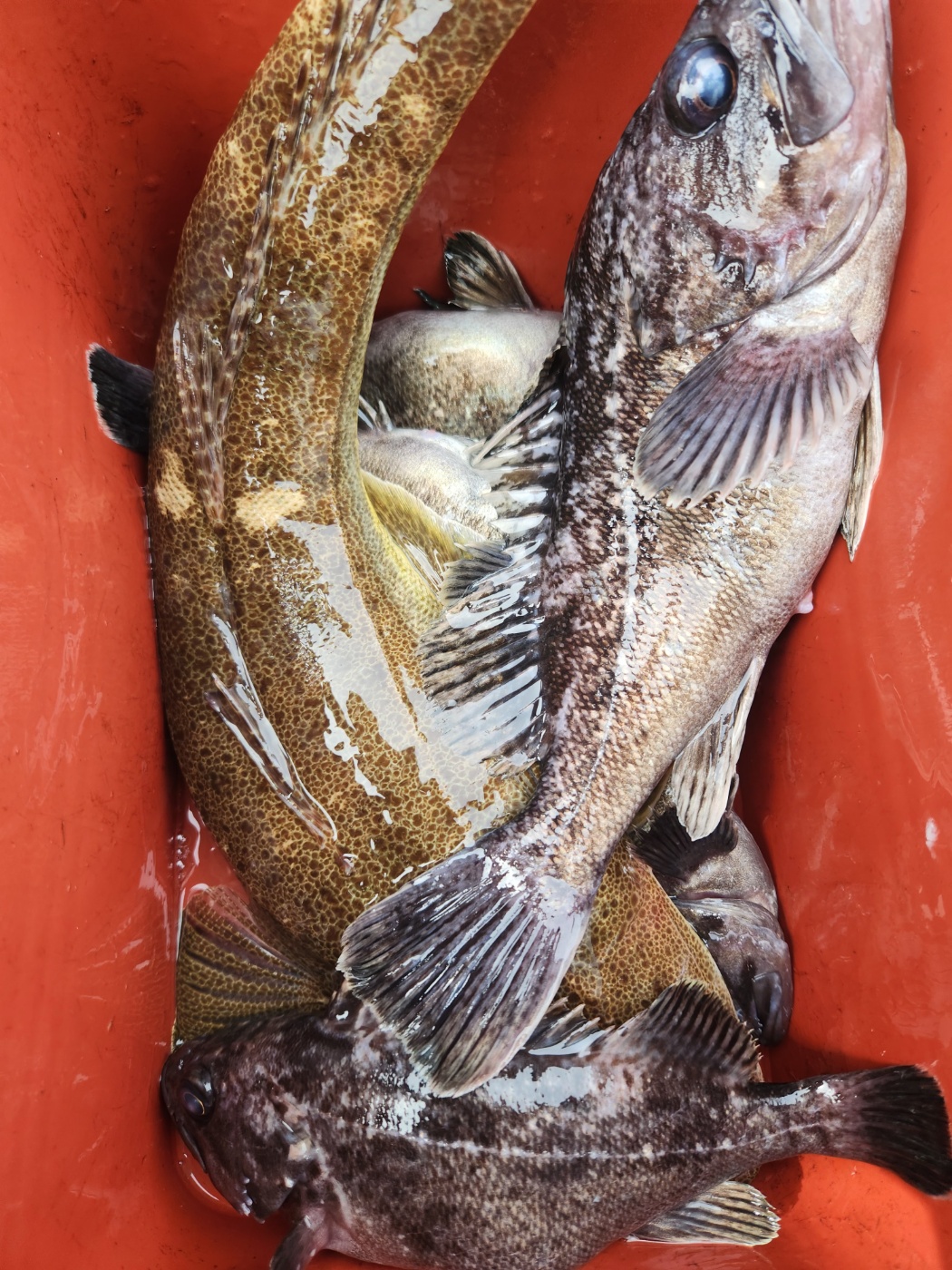
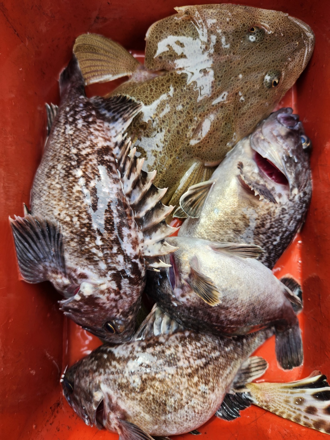
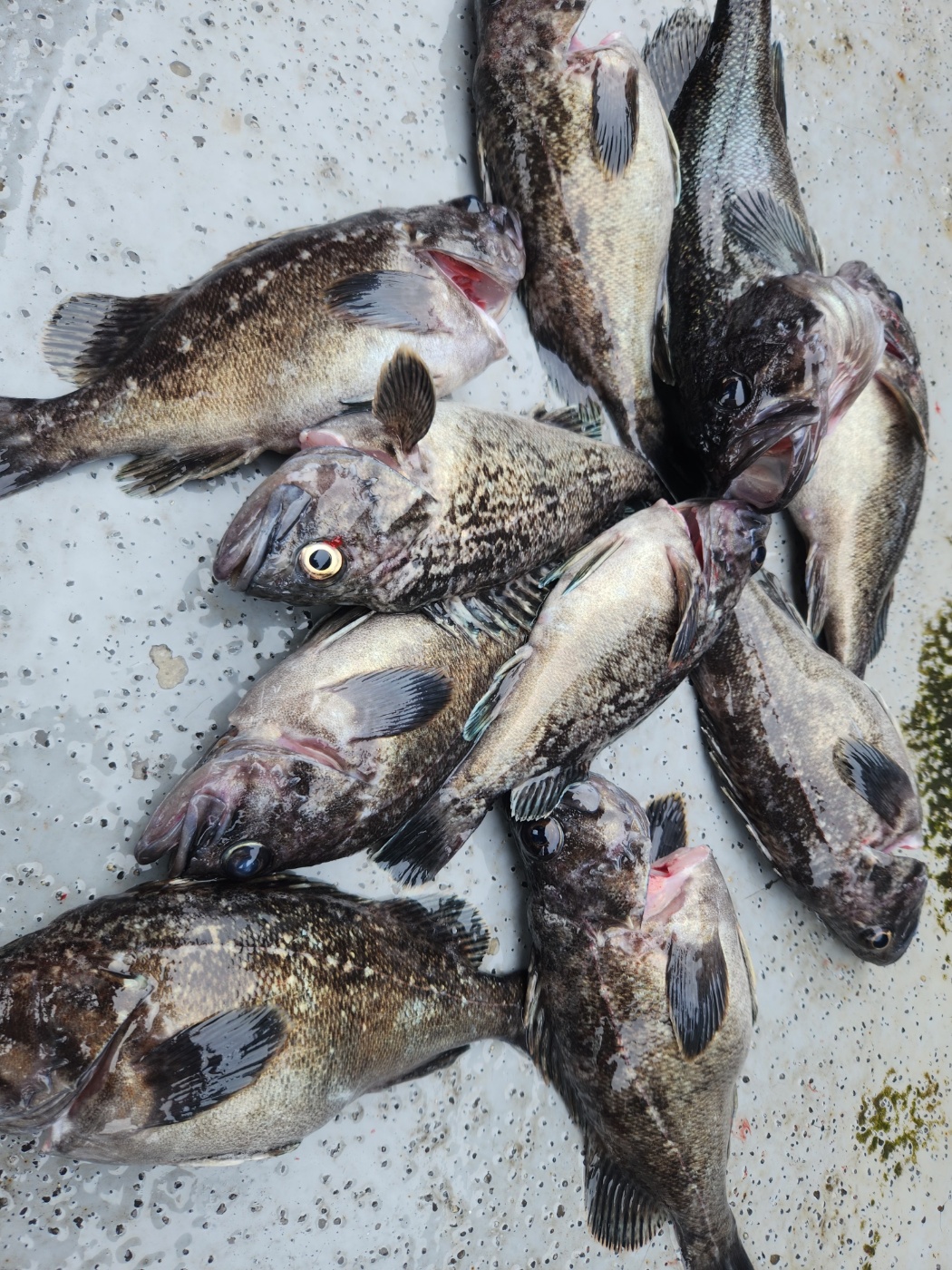
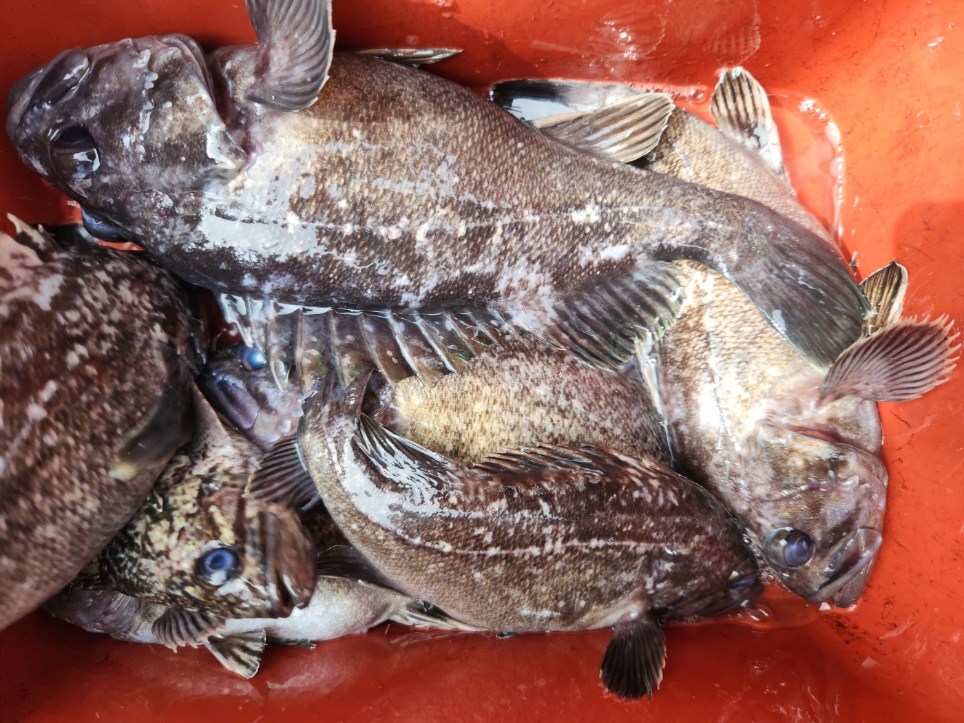
5월3일 뉴대성호 내만우럭조황

소수지만 약속을 지키기위해 출조다녀왔습니다전날에는 배부르게 먹을만치였는데오늘은 그냥 먹을만치인듯합니다고생들하셨습니다^^뉴대성호는 내만우럭은 마지막이며5월6일 다운샷이벤트출조후5월12일부터 다잡아외수질출조합니다   

뉴대성호(낚시전용선)
뉴대성호 05-04 597
3814

5월2일 뉴대성호 내만우럭조황

맨날꽝만치다가 오늘은 그래도 먹을만치는 되는듯해서 다행입니다^^    

뉴대성호(낚시전용선)
뉴대성호 05-02 777
3813

5월1일 오늘의장원은 누구?

뉴대성호 구영철님 대성호 한상우님

클럽씨남당댁
남당댁 05-01 634
3812

4월29일 오늘의장원은 누구?

4월29일 뉴해랑호 박춘근님4월29일 뉴해랑호 대물뱃지 황인정님4월29일 뉴대성호 장원 민원기님4월29일 뉴대성호 대물뱃지 오창렬님4월29일 대성호 이상돈님 4월29일 대성호 대물뱃지 이보연님

클럽씨남당댁
남당댁 05-01 350
3811

5월1일 뉴대성호 내만우럭조황

.    

뉴대성호(낚시전용선)
뉴대성호 05-01 587
3810

2023년 4월 30일 뉴해랑호 내만우럭조황

비바람이 예보된 관계로 취소의향 문자보내고...그래도 굳이 오시겠다는 10분 모시고 출항했습니다...^^오늘도 데자뷰 느낌, 막판뒤집기하고 들어왔습니다... 첫 수로 대광어 딱....ㅋ첫 포인트에서 쓸만한 우럭 몇마리...바람은 불어도 좀 할 만한 날인가 했는데 그 이후로 계속 힘드네요..날은 한겨울인가 싶을 정도로 춥고 바람에 비는 오고...ㅠㅠ씨알도 작아지고.. 마리수도 안나오고...이대로 끝내야 하는데마지막 포인트에서 다시 먹을만한 우럭들이 나오기 시작...ㅎㅎ올해 첫 4짜 개우럭도 나오고 나머지 공부 좀 하다가 너무 늦어지는 듯 해서 아쉬움 머금고 들어왔네요..힘든 날인거 뻔히 알고도 오신 분들인만큼 최대한 드실만큼은 가져가게 해드리고 싶었는데 다행인 듯 합니다...^^너무 고생들 많으셨구여... 담에 날좋은 날 뵙도록 할께요..ㅎㅎ아.. 오늘도 사진은 제대로 못 찍었네요.. 미리 정리하신 분들도 많고 바람부는 날엔 사진찍기가 얘매한 부분이 있네요...조황사진 두 개는 비슷해보이긴 해도 다른 분 꺼입니다...마지막에 정리안하신 두 분꺼..^^ 

뉴해랑호(낚시전용선)
해랑호 04-30 620
3809

4월 29일 대성호 대광어다운샷 조황입니다

오늘은 조황사진만 올려드립니다우리 조사님들 넘 고생많으셨습니다 79대물 축하드립니다~~  

대성호(낚시전용선)
대성호캡틴 04-30 590
3808

4월29일 뉴대성호 내만우럭조황

날씨가 좋지않아 선택권드리고14분 모시고 다녀왔습니다잘나오지는 않았고날이 안좋다보니 초보분들과 조황격차가 좀있네요   

뉴대성호(낚시전용선)
뉴대성호 04-30 589
3807

4월28일 뉴대성호 내만우럭조황

8분모시고 다녀왔습니다요즘 잘안나오긴합니다인원이적다보니 그냥저냥 먹을만치 잡아왔네요그나마 다행입니다^^   

뉴대성호(낚시전용선)
뉴대성호 04-28 708
3806

4월 27일 대성호 6인 다운샷조황입니다

오늘도 대성호는 우리 손님들과 광어사냥 다녀왔습니다 오늘은 여섯명에 손님을 모시고 대광어에 촛점을 맞추고 대광어 포인트로 이동~ 1시간을 달려 첫 포인트 도착 삑~잠시뒤 히트~그러나 대광어가 아닌 킵싸이즈 광어가 얼굴을 보여주네요 광어가 있는걸 확인했으니 다시 흘려보고 또 흘려봤는데 대광어 얼굴은 볼수없었고 또 이동 히트 이놈도 작은놈 또 이동 히트 이놈도 작은놈...광어가 있는줄 알면서도 대광어가  없기에 포인트 버리고 이동 삑~잠시뒤 히트~~~이번은 대광어가 확실했습니다~한참을 랜딩하다 올라온놈이 69~다시한번 흘리는데 히트~~했는데 원줄이 그만 팅.....ㅠ그후로는 소식이 없었습니다 아직 대광어가 자리를 못잡은듯한 느낌  점심먹고 포인트 이동 삑~~히트~ 랜딩을 하시는데 이놈도 대광어다 싶었는데 아쉽게 68 싸이즈는 조금 아쉬웠지만 그래도 너무 좋아하시는 우리 손님~~그 뒤로도 광어는 올라왔지만 싸이즈가 많이 아쉬웠습니다오늘 함께 해주신 조사님들 너무 감사드리고 오늘 하루수고 많으셨습니다~~   

대성호(낚시전용선)
대성호캡틴 04-27 643
3805

4월22.23일 오늘의장원은 누구?

4월 22일 뉴대성호 대물코인 이영복님4월22일 뉴대성호 최문영님, 고대용님4월22일 대성호 홍수민님4월 22일 뉴해랑호 권순덕님4월22일 대성호 코인 이병구님 4월 23일 대성호 대물뱃지1 + 장원뱃지 !  박성준님 축하드립니다.

클럽씨남당댁
남당댁 04-24 562