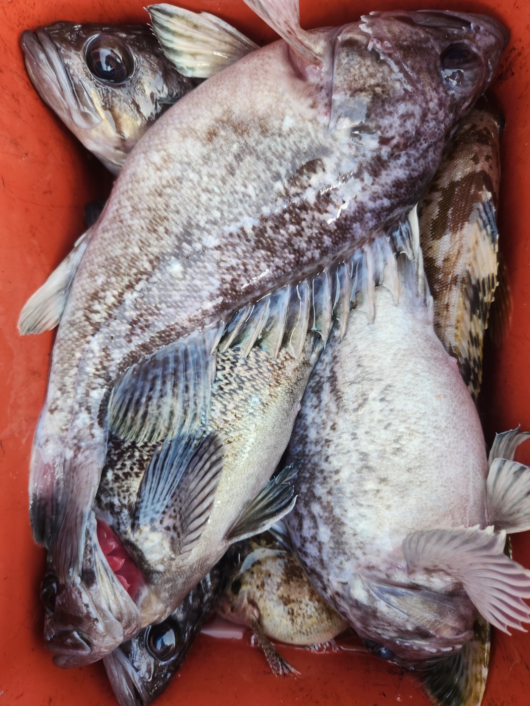
[뉴대성호(낚시전용선)] 4월17일 뉴대성호 내만우럭조황

  • 뉴대성호
  • 0
  • 562
  • 글주소
  • 04-21

소수인원이지만 바람쎄로 나갔다왔습니다


조황은 가장 안좋은것같았네요


다음물때부터는 좋아지리라 기대해봅니다^^













 








 








 



 


조황정보

번호 제목 글쓴이 날짜 조회수
3804

4월 23일 대성호 광어다운샷 조황입니다

오늘도 대성호는 우리 손님들과 광어사냥 다녀왔습니다 매일 어렵고 힘들지만 오늘은 특히 역대급으로 힘든 하루를보내고 왔습니다....ㅠ저희만 있을땐 나오는가 싶다가 어느세 다른 배들이 모여들기시작하면 저희만 못잡고...줄 엉키고 바닦과 싸우고 계시고..우리 조사님들 많이 힘드셨죠...ㅠ 그래도 다들 잘 놀다간다 인사도 해주시고 3관왕에 대광어 잡으셨을때 부러운 눈빛으로 바라는 보셨지만 축하도 해주시고 다음주에 또 오시겠다고예약도 해주시고 너무 많이 감사드립니다~다음 출조때는 꼭 두마리 토끼를 다 잡으실수 있도록 열심히 노력하겠습니다 ~  

대성호(낚시전용선)
대성호캡틴 04-23 874
3803

2023년 4월 22일 뉴해랑호 중내만생활낚시 조황

오늘은 13분 모시고 다녀왔습니다.저희 배도 물이 쎈 아침나절에 잠깐 대광어포인트 쓱쓱~~ 시간만 버렸네요..ㅜㅜ그래도 물때맞으면 짬내서 대광어포인트는 다녀볼라니 다운샷 채비는 준비해주심 좋겠네요..오늘은 조사님들이 주로 우럭채비를 많이 하신 듯... 오전엔 개망인가 싶을 정도로 낱마리 주으러 다니다가오후에 빈도수가 조금씩 늘어나더니 그래도 잘 잡으시는 분들은 놀래미포함 40수 오버 조황이 나오네요날이 춥고 우럭 입질이 약한 듯 해도 역시 놀래미는 지렁이에 반응합니다..ㅎ아, 놀래미포인트는 사리때만 들어가니까 혹 놀래미도 잡으시려는 분들은 사리때 지렁이 준비하심 될 듯 합니다.입항전 내만에서도 괜찮은 싸이즈 우럭도 좀 채워주고 드실만큼 잡아가셨는데....반면에 조황차이가 너무 심해서 몇 마리 못잡으신 조사님들도 꽤 계셨네요..ㅠ바람도 찬데 늦게까지 고생하시고 가볍게 보내드려서 어찌나 죄송하던지...수고해주신 우리 조사님들 고생 많으셨습니다...^^ 

뉴해랑호(낚시전용선)
해랑호 04-23 602
3802

4월 22일 대성호 14인 광어다운샷 조황입니다

오늘도 대성호는 우리 14분 손님 모시고 광어찾아 출항~어느 포인트에서 대광어가 나온다는 소식을 듣고 열심히 달려갔습니다~도착해보니 광어 배들이 한두대 정도 있었는데 어느순간 10여척에 배들이 모여들었고 나오라는 대광어는 안나오고 애기들만 그것도 극 심한 낮마리...괜히 시간만 버렸네요또다른 대광어 포인트로 출발 주변에 배는 한대도 없고 얼마나 좋던지 조금 흘러가는데 9번 조사님 히트~ 랜딩 하시는데 버거워 보여 대물이구나~한참을 랜딩후 올라온 광어는 65 조금 아쉬운 싸이즈 그래도 한번 흘릴때마다 싸이즈 좋은놈들이 한마리 한마리 올라오고.....잠시뒤 2번 조사님 히트~로드를 보니 이건 무조건 대광어다싶어 천천히를 외치며 힘을 실어드렸는데 광어가 꾹  꾹  꾹 하기를 여러번 찌~~~~~~익 하기를 수차례 (두근두근) 갑자기 꾹꾹꾹 찌~~~~~~익 팅.............ㅠㅠ 저도울고 조사님도 울고....ㅠ 정말 아쉬웠네요. .....ㅠ 흥분한 마음을 바로잡고 다시 흘리는데 너무 낮마리라 다시 1시간 포인트 이동 따박 따박 우당탕탕~~물이 죽어 또 이동한 포인트에서 따박  따박 우당탕탕 그렇게 조금 늦게까지 하고 놀다왔습니다~ 조황: 6짜2마리 5짜 여러마리 포함 32수, 개우럭은 써비스14분 우리 조사님들 정말 고생많으셨습니다 ~ 광어2마리는 어디갔을까요..., ㅋ   

대성호(낚시전용선)
대성호캡틴 04-22 589
3801

4월17일 뉴대성호 내만우럭조황

소수인원이지만 바람쎄로 나갔다왔습니다조황은 가장 안좋은것같았네요다음물때부터는 좋아지리라 기대해봅니다^^    

뉴대성호(낚시전용선)
뉴대성호 04-21 563
3800

2023년 4월 19일 뉴해랑호 중내만생활낚시 조황

오늘은 12분 조사님들 모시고 중내만권 낚시 다녀왔습니다.사리물때에 어제 바람도 많이 불어서 내만권은 힘들 듯 하여 쬐~금 멀리 갔는데걱정과는 달리 첫 포인트에서 그나마 요즘치고는 따박따박 나와주네요..광어도 5짜 딱~~ 방생용 광애도 여러마리~~그러나 역시나...ㅎ우럭은 한마리, 한마리... 광어는 귀여운 아가들만 보이네요...ㅎㅎ그나마도 점심식사 후 들물 물이 쎄지기 시작하니까 뚝...ㅠㅠ날은 따뜻한데 바람이 아직 차가워서 으슬으슬.. 한 동안 유람하다가 마지막 포인트에서 따박따박 다시 나와주어서 나머지 공부 열심히 하다가 들어왔습니다.그래도 드실만큼은 잡아가시지 않았나 싶은데 조황이 좋치는 않네요...광어는 킵한 것만 10마리 정도 되네요..윤달로 인해 작년보다 한달이 느리다던데 어여 예년 조황으로 돌아왔음 하는 바람입니다.오늘 오신 분들 고생많으셨습니다...^^아, 저희 배의 정체성(?)에 대한 간략한 소개..생미끼, 다운샷 병행이라고 되어 있는데 다운샷이라는게 채비이름인건 다들 알고계시죠?우럭낚시의 특성상 거친 여밭을 자주 가는데 생미끼채비는 손실이 많아서 다운샷 채비를 병행하는 거랍니다.다운샷 채비의 장점은 일단 손실률이 적다는 것과 생미끼에 비해 냄새가 없다는 것.. 잡은 고기들의 싸이즈가 조금 더 좋다는 것..광어에 조금 더 반응한다는 것등..이 있네요..생미끼의 장점은 당연히 마리수 조과가 더 좋다는 것?? ㅎ광어 다운샷배는 광어를 주어종으로 어쩌다 우럭이 잡히는 것이고저희 배는 우럭을 주어종으로 하고 어쩌다 광어도 잡고, 놀래미도 잡고 하는 것이니 참고해주세요...^^ 

뉴해랑호(낚시전용선)
해랑호 04-19 640
3799

4월19일 오늘의장원은 누구?

 뉴해랑호 김정진님 

클럽씨남당댁
남당댁 04-19 558
3798

4월13~16일 오늘의장원은 누구?

4월 13일 뉴대성호 박재한님4월 14일 뉴대성호 엄기행님4월15일 뉴대성호 박완규님4월 15일 뉴해랑호 최창연님 4월15일 대성1호 김기훈님4월15일 대성1호 코인 이기돈님 4월 15일 대성호 장윤창님 4월16일 뉴대성호 양해제님 4월 16일 대성호 조두환님 

클럽씨남당댁
남당댁 04-17 515
3797

4월 16일 대성호 16인 광어다운샷 조황입니다

오늘도 대성호는 우리 손님들 16분과 신나게 놀고싶어 어제 그곳으로 열심히 달려갔습니다~포인트 도착 5분전....ㅠ 어떻게 알았는지 벌써 다른 배들이 에휴...그래도 이곳 저곳을 찾아보는데 낮마리로 어쩌다 하나씩 나오는 광어 그것 마져도 빠트리는 우리 손님들...ㅠ한번 흘리고 다시 포인트로 이동하려고 하면 어김없이 들려오는 잠시만요...ㅠㅠ 제 마음이 타들어가기 시작합니다.포인트를 이동하여 삑~....옆에서 같이 흘러가는데 더한것은 대성호 뒤를 따라오는데 그 배는 흘릴때마다 2장~3장 우리배는 001001...줄엉킴...그렇게 점심먹기 전까지 광어10장...이데로면 큰일이다 생각이들어 점심먹고 손님들과 화이팅도하고 다른 배들이 없는 또 다른 포인트로 이동 삑~잠시뒤 두마리 동시 히트~한번 흘릴때마다 한마리 두마리 얼굴을 보여주고 거기에 싸이즈 좋은 광어도 올라와주니 얼마나 다행이던지마지막까지 열심히 해주신 10분 조사님 진심으로 감사드리며 멀미로 추위에 힘들어하시며 선실에 들어가신 6분 정말 고생많이 하셨습니다~조황: 6짜 2마리 5짜 3마리 포함 23장장원: 3광하신 5번 조사님 축하드립니다 대성호 예약하시는 우리 손님들께 당부말씀 드립니다합사 2호이상 절때 아니됩니다 다른 조사님들께 피해를 줘요 합사는 맥심 2호까지며 1호나 1.5호 꼭 지켜주시고 릴은 무조건 베이트릴 입니다 봉돌은 수시로 변하니 예약 문자를 꼭꼭꼭 확인해주시기 바랍니다~~※17일~21일까지 구명뗏목 검사로인해 출항을 못하고 다음주 토요일 부터 정상출항 합니다~※   

대성호(낚시전용선)
대성호캡틴 04-16 1,029
3796

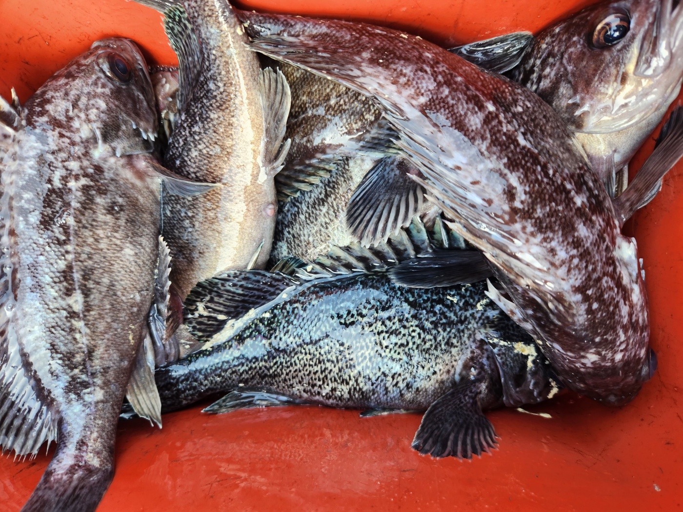
4월16일 뉴대성호 내만우럭조황

안녕하세요~짜파게티선장 조피디입니다.오늘 선단에서 우럭을 홀로나가 쓸쓸했는데요..우럭나오는 곳이 어제 다르고 오늘 다르고 내일 달라서참 어려운 것 같습니다.그래도 드실만큼 골고루 잡아가셔서다행이라 생각합니다^^오늘 오신 조사님들 감사드리고수고하셨습니다.  

뉴대성호(낚시전용선)
조PD 04-16 776
3795

2023년 4월 15일 뉴해랑호 내만우럭조황

비도 오고.. 날씨도 갑자기 추워져서 오돌오돌 떨다가 들어왔습니다.오전 중엔 거의 낱마리 힘들게 잡다가 점심식사 후 그나마 한 포인트 찾아서 체면치레..전체 조황도 썩 좋치 않아서 오늘 오신 분들께 많이 죄송했네요..다음 출조때는 뭔가 더 나은 날이 되리라 기대해 보랍니다...^^ 

뉴해랑호(낚시전용선)
해랑호 04-16 464
3794

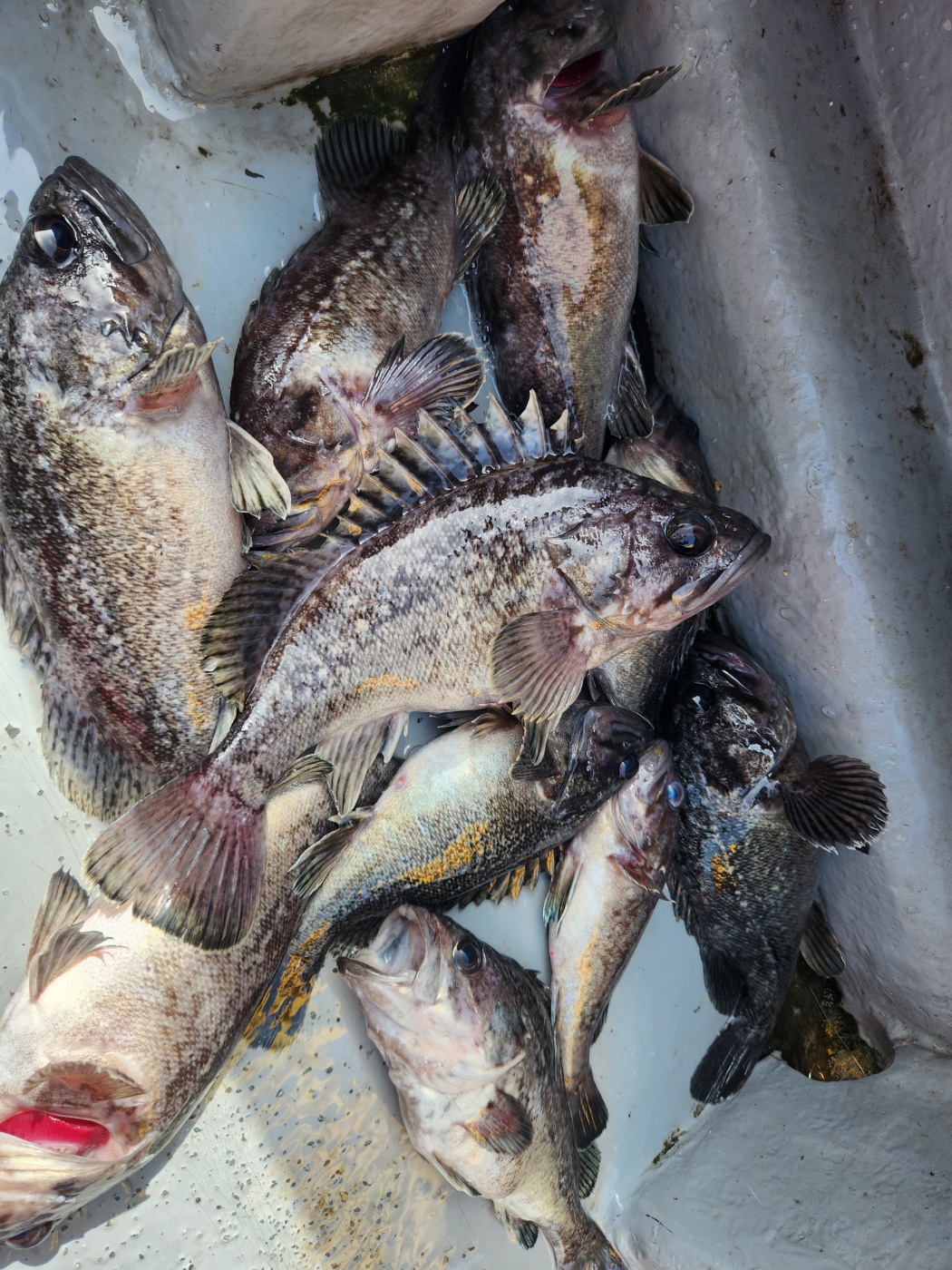
4월15일 뉴대성호 내만우럭조황

계속 조황이 좋지않네요~한마리 한마리 힘들게 잡아왔습니다요즘 힘든 우럭낚시네요그래도 어제보다는 좀났군요~    

뉴대성호(낚시전용선)
뉴대성호 04-15 664
3793

4월 15일 대성호 광어다운샷 조황입니다

2023년 탐사를 마치고 첫 정식출조 다녀왔습니다~첫 포인트를 멀리잡고 출발~~한참을 달려 포인트에 도착삑~ 잠시뒤 히트~싸이즈 좋은 광어가 올라오네요~잠시뒤 히트~더블히트~광어가 반겨주니 멀리나온 보람이 있네요~그렇게 점심먹기전까지 잼나게 놀았고~점심먹고 포인트 이동 이때부터 조금씩 힘들기 시작하네요 한마리 어쩌다 한마리 나오고 올리다 빠지고 털리고 숏바이트에...광어가 있을곳에 쌩둥맞은 개우럭이...이렇게 마무리 하는줄 알았는데 마지막 포인트에서 한번더 잼나게 놀다가  복귀했습니다~조    과: 6짜 2마리, 5짜 1마리 포함 킵 30수3광 하신분이 1번,13번,15번,20번 조사님 축하드립니다장   원: 20번 조사님 축하드립니다~추천웜: 트리거X 투톤 핑크, 버클리 만새기 오늘 이 두가지 웜이 아주 핫핫핫 했습니다 ※※※다음주 월요일(17일)~금요일(21일)까지 배 정비후토요일부터 정상출항합니다※※※      

대성호(낚시전용선)
대성호캡틴 04-15 659
3792

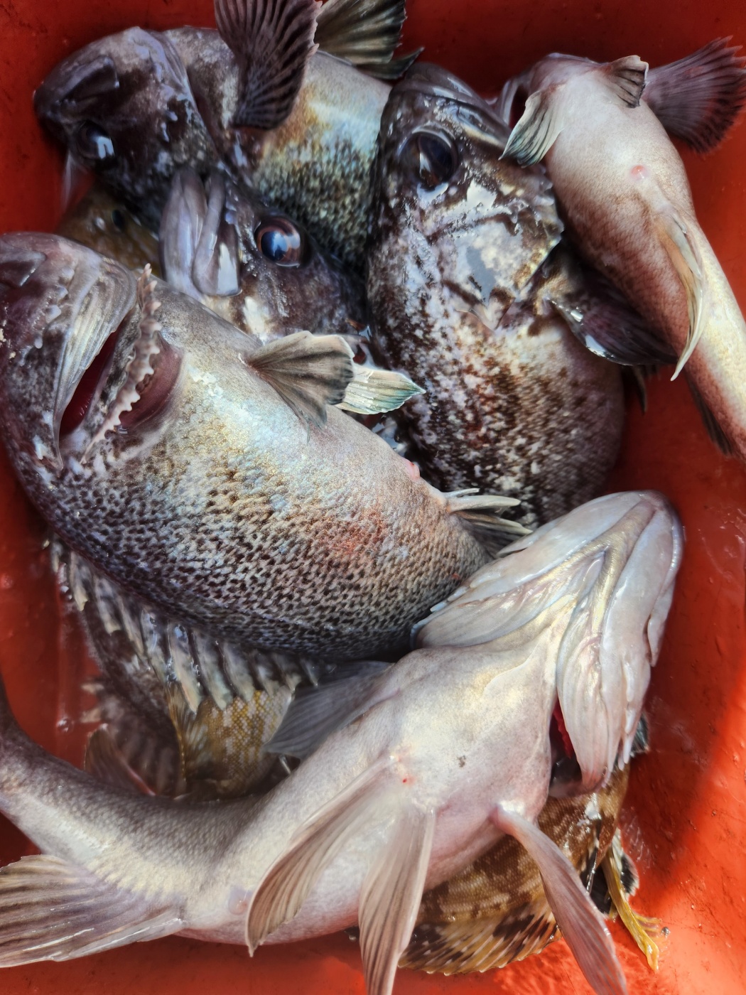
4월14일 뉴대성호 내만우럭조황

요즘 잘나오지않네요꽝치고 들어왔습니다 죄송합니다~   

뉴대성호(낚시전용선)
뉴대성호 04-15 500
3791

4월13일 뉴대성호 내만우럭조황

아직 새벽은 쌀쌀하네요 따뜻하게 입고 오시면좋을듯합니다쌀쌀해서인지 입질이 시원하지않고 오후에는 더 힘들었네요매번 한마리라도 더잡게 해드리고싶은데 쉽지않아죄송합니다 내일은 좀더 잡을수있게 달려보겠습니다^^    

뉴대성호(낚시전용선)
뉴대성호 04-13 619
3790

23년도 봄 우럭 랜딩영상입니다! (4월2일 뉴대성호 내만우럭조황)

http:// 안녕하세요. 뉴대성호 짜파게티 조PD입니다.지난 2일 출조 후 조황을 올렸어야 했는데홍성산불로 정신이 없어 이제야 올립니다.걱정되셔서 연락주신 조사님들께 다시 한 번 진심으로 감사드립니다.이번주 물때도 좋고 날씨도 좋고클럽씨피싱 우럭선박 많은 이용부탁드려요^^지난 출조 내만우럭랜딩영상은 아래 링크를 클릭!!https://youtu.be/dkyxieEFyjo https://youtu.be/dkyxieEFyjo  아래는 2일 일요일 조황사진입니다.딱 한 분이 꽝치고 계시다가 마지막에 한 마리 올리셔서저는 무척기뻤지만 한편으로 송구합니다^^; 

뉴대성호(낚시전용선)
조PD 04-12 485
3789

4월 9일 13인 대성호 광어탐사 실시간입니다

13분 조사님 모시고 열심히 돌아다니다 올께요~어제보다 무조건 좋을줄 알았는데...ㅠ광어를 잡으시는분만 잘 잡으시네요 6짜 2마리 포함 두자리수3광에  2광에 우리 조사님들 오늘도 고생많으셨습니다   

대성호(낚시전용선)
대성호캡틴 04-09 983
3788

4월 8일 대성호 광어다운샷탐사 실시간입니다

 2광째~^^ 2광째~^^   2광째~  밥먹고 오후 들물이 시작되면서 물색깔이....ㅠ결국 오후에는 꽝이네요..ㅠ

대성호(낚시전용선)
대성호캡틴 04-08 873
3787

4월2일 오늘의 장원은?

 오세경님

클럽씨남당댁
뉴대성호 04-03 803
3786

2023년 4월 1일 뉴해랑호 첫 내만우럭조황

드디어 첫 출조 나갔네요...^^2주전 출조가 잡혀있었는데 조황이 너무 좋치 않을 듯, 한 분당 평균 세네마리 잡으실라는 하는 두려움에 과감히 취소...ㅎㅎ오늘은 첫 출조라는 걸 생각하면 나쁘지는 않았던 듯 합니다.물론 하루 종일 심심했구.. 이삭줍기하는 수준이었습니다..ㅠ마리수나 씨알도 그닥...ㅎㅎ 방생도 많이 하셨구여..어제보다도 안좋은 하루였다는데 전 첫 출조라 그런지 그냥 타협하게 되나봅니다...^^아직 입질이 약아서 물고 가만히 있는 우럭들도 많았고 예보에 없던 바람도 살짝있긴 했는데이제 시즌이 시작한 건 확실히 느낄 수 있는 하루였네요...올해는 꼭 우럭에만 치중하지 않고 근해에서 잘나오는 어종들 번갈아가면서 약간 다잡어 느낌의 운영을 해볼까 하오니 올해도 많은 관심 부탁드립니다.  

뉴해랑호(낚시전용선)
해랑호 04-03 747
3785

4월1일 뉴대성호 내만우럭조황

힘든 하루였습니다아침부터 스크류에 줄이2번이나 걸리고그럭저럭 나와주던 우럭들은 입맛이 안맞는지 잘물어주지않았습니다열심히 돌아다니고 연장도 하였지만 죄송한 마음이군요바람쎄로왔다고 신경쓰지말라지만 좀더 잡게 해드렸어야했는데오늘은 역부족이였습니다다음에 오실때 오늘못잡은것까지 잡게 해드릴께요조심히들어가세요~~     

뉴대성호(낚시전용선)
뉴대성호 04-01 897