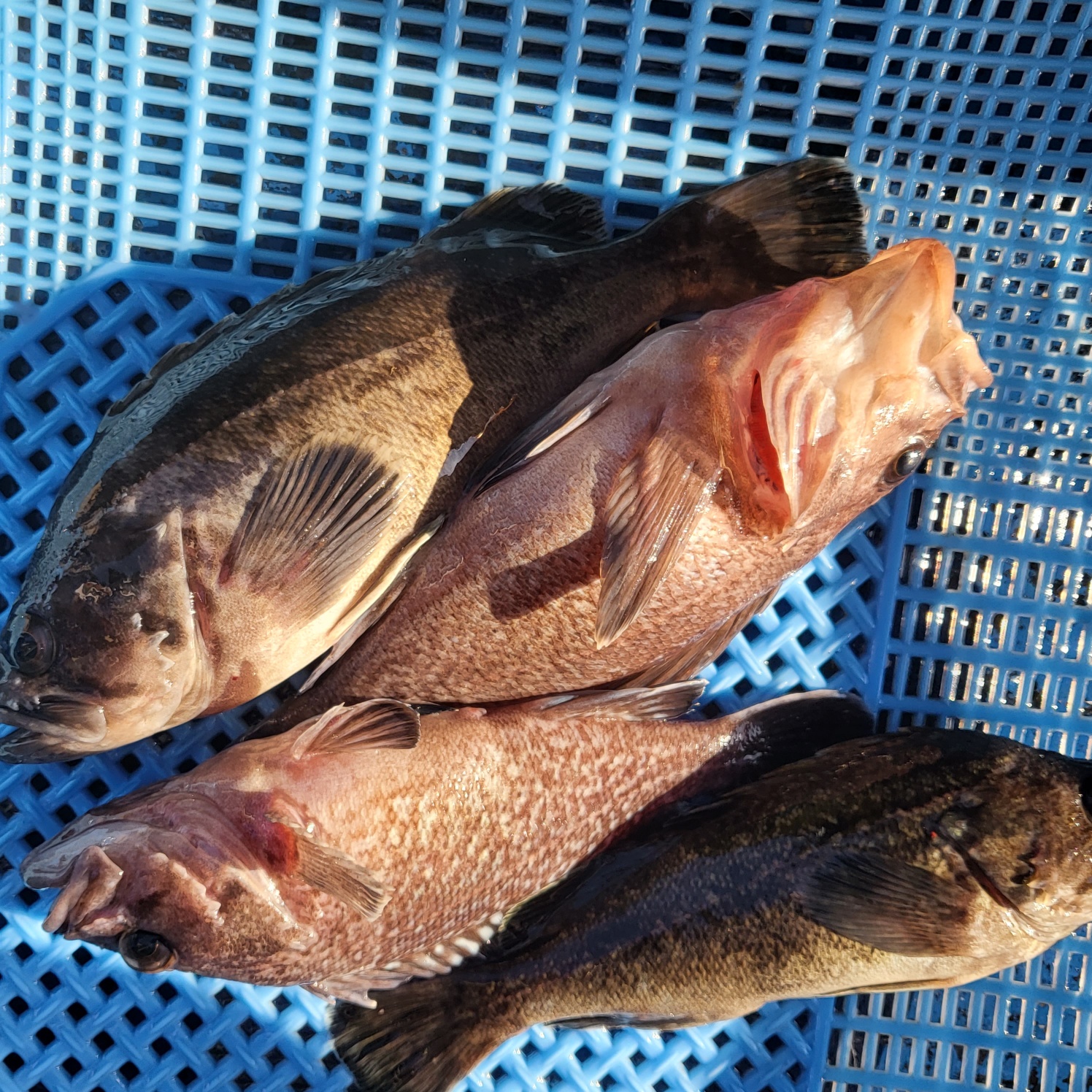
[대성호(낚시전용선)] 2월 26일 대성호 먼바다 우럭조황입니다

  • 대성호캡틴
  • 0
  • 1,305
  • 글주소
  • 03-01

아~~올씨즌 겨울바다 어렵네요....

날씨 때문에 출조횟수는 작년에 30%에도 못미치고...ㅠ

조황또한 작년에 절반에도 못미치고...ㅠ

올겨울 정말 힘드네요...ㅠ 그래도 저는 긍적적으로 

생각하려합니다 1~2월에 힘들었으니 3월부터는 좋아지리라 생각하며 우리 조사님들께서 찾아주신다면 날씨만 허락한다면 우리 조사님들 즐겁게 놀다 가실수 있도록 최선을 다해 

노력하겠습니다 ~~











 








 
 



조황정보

번호 제목 글쓴이 날짜 조회수
3784

4월1일 오늘의 장원은 누구?

4월1일 정식 출조가 시작되었습니다.^,^23년도 뱃지이벤트는 계속됩니다!장원으로 뱃지타고 10개모아 상금까지!!장원이 힘들다면! 코인 도전!!!  뉴대성호 문영진님^.^ 뉴해랑호 김두환님^,^

클럽씨남당댁
남당댁 04-01 482
3783

2월 오늘의 장원은 누구?

2월4일 대성호 이승학님2월11일 대성호 조희철님 2월 26일 대성호 슬라마님

클럽씨남당댁
남당댁 04-01 360
3782

4월 1일 대성호 광어탐사 실시간입니다~^^

2023년 1호,2호 광어가 얼굴을 보여주네요~^^ 3호 올라왔네요~    2광째~ 

대성호(낚시전용선)
대성호캡틴 04-01 556
3781

3월31일 뉴대성호 우럭탐사조황

마지막탐사 댕겨왔습니다오전에는 그럭저럭 나와주었는데바람이 이상하게 불기시작하면서 입질이 떨어졌네요많이 아쉽게 마무리하였습니다    

뉴대성호(낚시전용선)
뉴대성호 03-31 513
3780

3월30일 뉴대성호 우럭탐사조황

2주전에도 탐사진행하였지만 잘나와주지않아서일정취소하고 다시 출조 다녀왔습니다2주전에 이르다고 판단하였고 2주후에나 나올꺼라 예상하였는데다행이 이주부터는 나와줍니다아직 탐사고 초반이라 많이는 안나와주었지만많이잡으시분은 좀잡아주셨고 개인차는 나는날이였습니다물때도 좋고 날씨도좋아 바람쌔로 놀로오셔도될듯합니다^^     

뉴대성호(낚시전용선)
뉴대성호 03-30 804
3779

3월 27일 대성호 우럭조황입니다

언제쯤 신나게 놀수있을까요....ㅠ일곱분 모시고 광어 탐사를 다녀왔습니다 토요일 나가보니 물색이 너무너무 똥물이라 일요일 취소하고월요일 일곱분 단체팀 취소하라고 전화를 드렸는데....무조건 나가자고 꼭 나가자고...마음이 얼마나 무겁든지...어찌어찌하여 출항을 했는데 역시나 물색이....믹스커피 색으로 어떠한 생명체도 반응이 없어 우리 손님들 어떻게든 드실건 잡아가셔야 할거같아 이동에 이동 또 이동 물색찾아 이동하니 먼~바다까지 나왔네요 그래도 다행인건 우리 손님들 싸이즈 좋은 우럭과 놀래미는 잡게해드려 얼마나 다행이던지...눈물날뻔 했습니다...ㅠ 

대성호(낚시전용선)
대성호캡틴 03-28 581
3778

뉴대성호 내만우럭탐사

내만우럭탐사를 다녀왔지만 어려가지이유로 잘나와주지않았습니다고생만 시켜드려 죄송합니다금년은 좀늦어지는것같아 죄송하지만 취소하였습니다다시 다음주부터는 열심히 달려보겠습니다29일 30일 31일 내만탐사 인원과 상관없이 출항하니 놀러오세요^^  

뉴대성호(낚시전용선)
뉴대성호 03-23 865
3777

3월 19일 대성호 광어탐사 조황입니다

2023년 광어 탐사를 시작합니다~어제 3월 18일 토요일 첫 탐사를 다녀왔는데 여기 저기 많이 돌아다녔네요~~그 중에 한곳~~~~선수 1번 히트~~~ 낚시대 휨세가 장난이 아닙니다 조타실에서 얼른 뛰어나가 뜰채를 들고 대기 와~~~광어가 광어가 이시기에 대광어가~~~수면 위로 다 올라왔는데 이놈이 힘을 엄청쓰기 시작합니다 광어가 힘을쓰니 갑자기 뜨뜩소리가....드렉을 잠그는소리...수면위로 다 올라와 뜰채질 하려는 순간 치고 나가는 대광어~갑자기 띵....ㅠㅠㅠ 정말이지 물에 뛰어들고 싶더라구요....ㅠ1번 조사님과 20번 조사님 저, 사무장님 동시에 아~~~~ㅠㅠ그렇게 첫 광어를 바다에 보내고 더이상 광어는 볼수가 없었네요...점점 수온이 올라가면서 조금씩 음직이는거 같습니다~요번주 토,일,월 광어탐사 진행하오니 대성호 첫 광어에 주인공인 되어주세요~~~~(손님고기로 먹을만한 우럭들도 얼굴을 보여주네요~)  

대성호(낚시전용선)
대성호캡틴 03-22 631
3776

2월 26일 대성호 먼바다 우럭조황입니다

아~~올씨즌 겨울바다 어렵네요....날씨 때문에 출조횟수는 작년에 30%에도 못미치고...ㅠ조황또한 작년에 절반에도 못미치고...ㅠ올겨울 정말 힘드네요...ㅠ 그래도 저는 긍적적으로 생각하려합니다 1~2월에 힘들었으니 3월부터는 좋아지리라 생각하며 우리 조사님들께서 찾아주신다면 날씨만 허락한다면 우리 조사님들 즐겁게 놀다 가실수 있도록 최선을 다해 노력하겠습니다 ~~   

대성호(낚시전용선)
대성호캡틴 03-01 1,306
3775

2월18일 클럽씨피싱 완도점 거정호 심해갑오징어조황

2월18일 완도 거정호 먼바다 갑오징어 조황입니다.너울성 파도로 힘든 오전 날씨, 오후들어 느나 타임~ 시간이 야속한 날... 아쉽네요. 오전에 잘잡으신 분들이 오후에 지쳐 마릿수가 아쉽고 ,오전에 적응을 못하신 조사님들 그나마 분발하여 체면을~날씨 관계상 다음주 22일부터 출항할수 있을것 같습니다.클럽씨피싱 완도점 http://www.clubseawando.co.kr/클럽씨피싱 완도점 예약전화 010 2956 3600클럽씨피싱 완도점 밴드 https://band.us/@clubseawando뭉치면싸다(셔틀버스) 홈페이지 http://www.wandobus.co.kr/뭉치면싸다(뭉싸) 밴드방어https://band.us/@mungssa예약전화 010 3330 9888  

완도점
클럽씨피싱완도점 02-18 1,721
3774

2월18일 클럽씨호 방어부시리 지깅 조황

월18일 클럽씨호 방어지깅 찐한 손맛보고들어갑니다.11시까지 계속 힘들게 꽝치다가 꾸준하게 나와줬네요.중방어부터 대물부시리까지 까지 아주 골고루잡아오랜만에 손맛도 제대로보고 즐거운 하루였습니다오늘 목감팀들 그리고 클럽씨피싱을 자주 찾아주신 우리 꾼님들, 팔아프시다고 하신 여성조사님 모두 고생많으셨습니다.감사합니다 클럽씨피싱 완도점 http://www.clubseawando.co.kr/클럽씨피싱 완도점 예약전화 010 2956 3600클럽씨피싱 완도점 밴드 https://band.us/@clubseawando 뭉치면싸다(셔틀버스) 홈페이지 http://www.wandobus.co.kr/뭉치면싸다(뭉싸) 밴드방어https://band.us/@mungssa예약전화 010 3330 9888 

완도점
클럽씨피싱완도점 02-18 819
3773

2월16일 클럽씨피싱 완도점 심해갑오징어 조황

2월16일 완도 거정호 먼바다 갑오징어다녀왔습니다.아침부터 예상밖의 궂은 날씨로 인해 너울과 추위로 너무 고생 많이 하셨습니다. 오늘은 요즈리 삼봉 수박,옥수수,고추장에 반응이 좋은 하루였습니다.

완도점
클럽씨피싱완도점 02-17 753
3772

2월 12일 대성호 우럭 굿조황입니다 ~

대성호는 오늘도 우리 손님들과 신나게 놀고싶었는데...다들 신나게 놀다 가셨어야했는데 그러지 못했네요잘 잡으신 분들은 싸이즈 좋은놈으로 7수~8수는 하셨고평균 4수~5수정도 하셨습니다~물론 꽝치신분도 계셨구요...   

대성호(낚시전용선)
대성호캡틴 02-14 1,429
3771

2월8일 클럽씨호 방어지깅 굿!! 조황

2월8일 클럽씨호 방어지깅 굿!!조황입니다.오늘은 원래 날씨가 좋지않다고해서 취소자분이 계셔서 왕초보 5분 몇번해보신분2분해서 7분 모시고 나와서 40여수했네요.40여수중에 부시리는 3마리 뿐이고 나머진 전부 방어였습니다.씨알도 괜찮았구요. 오늘도 고생많으셨습니다... 감사합니다. 클럽씨피싱 완도점 http://www.clubseawando.co.kr/클럽씨피싱 완도점 예약전화 010 2956 3600클럽씨피싱 완도점 밴드 https://band.us/@clubseawando 뭉치면싸다(셔틀버스) 홈페이지 http://www.wandobus.co.kr/예약전화 010 3330 9888

완도점
클럽씨피싱완도점 02-08 786
3770

2월 4일 대성호 먼~바다 개우럭 조황입니다~

일단 사진만 올려드립니다~    

대성호(낚시전용선)
대성호캡틴 02-04 1,529
3769

1월23일 클럽씨호 방어조황입니다

1월23일 클럽씨호 방어조황입니다 오늘은 나간배들이 거의없어서 남해안을 다가진 기분이었습니다.그런데 물도쎄고 물색이 탁해서 시원하게 입질이 없고 옆구리 꿰어나오고 등짝 꿰어서나오고 꼬리 걸려서 나오고... 한마디로 웃기는 상황이었습니다.고기는 많은데 탁해서 그런지 정상적인 힛트가 별로없네요.그래도 모두 재미있게 낚시하시고 가신것같아 다행입니다.큰놈작은놈 골고루해서 40여수 잡았네요.오늘도 모두 수고많으셨습니다.클럽씨호는 가능하면 한치시즌전에는 지깅위주로 해볼예정입니다.감사합니다 클럽씨피싱 완도점 http://www.clubseawando.co.kr/클럽씨피싱 완도점 예약전화 010 2956 3600클럽씨피싱 완도점 밴드 https://band.us/@clubseawando뭉치면싸다(셔틀버스) 홈페이지 http://www.wandobus.co.kr/뭉치면싸다(뭉싸) 밴드방어https://band.us/@mungssa예약전화 010 3330 9888 

완도점
클럽씨피싱완도점 01-23 1,120
3768

1월21일 클럽씨호 방어조황입니다.

1월21일 클럽씨호 방어조황입니다 오전에 다행히 피딩이 걸려서 웬만큼잡았네요.오늘 목감팀분들과 지인들 모시고 다녀왔습니다.초보분들이 너무 많다보니 줄관리를 못해서 아쉬운게 많습니다.피딩에 낚시를 해야하는데 줄푸느라고 시간이 너무 지체되어 많이 속상했습니다.어쨌튼 음력으로 한해의 마무리를 했네요.우리 회원님들 어복충만 하시고 행복한 새해 시작하시기 바랍니다.오늘도 모두 수고 많으셨습니다.감사합니다 클럽씨피싱 완도점 http://www.clubseawando.co.kr/클럽씨피싱 완도점 예약전화 010 2956 3600클럽씨피싱 완도점 밴드 https://band.us/@clubseawando뭉치면싸다(셔틀버스) 홈페이지 http://www.wandobus.co.kr/뭉치면싸다(뭉싸) 밴드방어https://band.us/@mungssa예약전화 010 3330 9888

완도점
클럽씨피싱완도점 01-21 952
3767

1월8일 클럽씨호 방어조황

1월8일 클럽씨호 방어지깅대회 조황입니다.오늘은 대회라 마릿수보다는 큰 고기를 잡아야하는데 큰고기는 못잡고 마릿수로 대신했네요.대회시상때문에 일찍 끝내지 않았다면 제법 많은숫자를 잡을수 있었을것 같습니다.오늘 여러가지로 산만한 상황이었는데 모두 고생많으셨습니다.모레 1월10일(화요일)부터는 방어지깅 자리여유 있습니다.완도로 방어 잡으러 오세요...감사합니다.   클럽씨피싱 완도점 http://www.clubseawando.co.kr/클럽씨피싱 완도점 예약전화 010 2956 3600클럽씨피싱 완도점 밴드 https://band.us/@clubseawando   뭉치면싸다(셔틀버스) 홈페이지 http://www.wandobus.co.kr/뭉치면싸다(뭉싸) 밴드방어https://band.us/@mungssa약전화 010 3330 9888 

완도점
클럽씨피싱완도점 01-08 1,092
3766 클럽씨피싱완도점 01-08 1,143
3765

2023년 1월1일 새해첫날 대방어 대박조황입니다.

2023년1월1일 대방어,특방어로 대박조황입니다올한해 시작부터 너무 좋은 조황으로 인사드리게되어서 참 감사한 마음입니다.점심식사를 오후 3시에 할정도로 낚시하는 내내 흥분과 긴장의 연속이었습니다.중방어 하나없이 1미터 전후의 대방어 특방어로 풍족하게 잡고 들어갑니다.너무많이 떨궈서 속상했지만 하루종일 열정적으로 흔들어주신 덕택에 좋은조황을 만들수 있었습니다.제가 완도에와서 마릿수는 100마리 넘게 찍어봤어도 이렇게 큰방어들로 이만큼 잡아본건 처음이네요.모두 여러분들 덕택입니다.앞으로도 더노력해서 좋은 조황으로 보답해드리도록 하겠습니다.행복하세요.....클럽씨피싱 완도점 http://www.clubseawando.co.kr/클럽씨피싱 완도점 예약전화 010 2956 3600클럽씨피싱 완도점 밴드 https://band.us/@clubseawando뭉치면싸다(셔틀버스) 홈페이지 http://www.wandobus.co.kr/뭉치면싸다(뭉싸) 밴드방어https://band.us/@mungssa예약전화 010 3330 9888

완도점
클럽씨피싱완도점 01-02 1,245