[대양호(낚시전용선)] 6월25일 대양호 외수질 조황

  • 바다이야기
  • 0
  • 2,259
  • 글주소
  • 06-25















 

조황정보

번호 제목 글쓴이 날짜 조회수
3264

7월9일 뉴대성호 백조기조황

백조기시즌은 시작은 한것같은데좀 아쉽게 나와주는군요여기서 두배정도씩만 나와주면 좋겠네요^^백조기는 비닐치고 내장손질하고소금쳐서 채반에 널어 해풍에 말리시면 맛있는 건조백조기완성~ 

+1 뉴대성호(낚시전용선)
뉴대성호 07-09 1,978
3263

7월8일 뉴대성호 백조기조황

전날 바람이쎄게분 영향이 남아있나봅니다마릿수가좀 떨어지네요첫낚시들이 많았지만 열심히 해주셨네요내일부터는 마릿수가 좀더 살아날듯합니다^^ 

뉴대성호(낚시전용선)
뉴대성호 07-08 2,276
3262

7월7일 오늘의장원은 누구?

뉴대성호 김윤호님 

클럽씨남당댁
남당댁 07-08 2,374
3261

7월7일 뉴대성호 농어조황

열정가득한 9분조사님과 다녀왔습니다날씨가 오전정도만가능할듯했는데역시나 날씨가 더안좋네요오전만 하고 들어왔습니다마지막농어외수질 잘마무리했습니다아쉬운분들은 이번주 토요일 일요일 대양호 출항합니다^^이제 내일부터 100조기 열심히 달려봅니다 

뉴대성호(낚시전용선)
뉴대성호 07-07 1,573
3260

7월3일 오늘의장원은 누구?

 뉴대성호 박수연님, 내친구님

클럽씨남당댁
남당댁 07-04 1,934
3259

7월2일 오늘의장원은 누구?

뉴대성호 장익수님 유기영님뉴해랑호 강경윤님 대성호 이대로님

클럽씨남당댁
남당댁 07-04 1,585
3258

7월1일 오늘의장원은 누구?

 뉴대성호 최문규님

클럽씨남당댁
남당댁 07-04 1,557
3257

7월 3일 뉴대성호 백조기 조황입니다.

안녕하세요~ 뉴대성호입니다.조금 모자랐어요. 백마리가조만간 백마리 이상 터질 것입니다~백조기 백마리 하시러 놀러오세요^^꼭 시원하게 준비해서 오세요! 수고많으셨습니다~

+2 뉴대성호(낚시전용선)
조PD 07-03 1,938
3256

7월2일 대성1호 참돔조황

 11분모시고 다녀왔습니다. 11분 모시고 다녀왔습니다.

대성1호(낚시전용선)
대성1호 07-03 1,930
3255

7월 2일 대성호 광어다운샷조황입니다 ~

오늘도 대성호는 우리 손님들과 완죤 신나게 놀다왔습니다~우리 손님들 모시고 멀리 다녀왔습니다 ~첫 포인트부터 우당탕탕~~~독탕으로 잼나게 놀았고~두번째 포인트 우당탕탕~~처음 흘릴때만에도 대성호독탕이었는데 두번,세번 흘리고 잘잡고있는데 어떻게 알았는지 모여드는 배들...에휴....그래도 점심먹기 전까지 한마리 두마리 꾸준히 잡았네요~~점심먹고 광어찾아 열심히 돌아다녔고 2시반쯤 우당탕탕~주변에 배들은 한대도 없고 한번흘릴때마다 5섯장~4장~3장 그렇게 안나올때까지 하다보니 어느덧 5섯씨...입항해서 심해하고 정리하니 7시30분...우리 손님들 광어 기본 3마리이상씩은 챙겨가셨고 큰거 찾아 멀리간 보람있게 4짜는 별로없고 기본5짜에 6짜도 여러마리 거기에 7짜도 나와주고 싸이즈도 싸이즈지만 광어 빵이~~오~~암튼 신나게 놀다왔습니다 ~^^총 마릿수는 65장정도 나온거 같습니다이♡♡님 12광 축하드리며  광어나눔 감사합니다 한♡♡님  9광   축하드리며  광어나눔 감사합니다    

대성호(낚시전용선)
대성호캡틴 07-02 1,903
3254

7월2일 뉴대성호 백조기조황

아직 사리물때이군요배들도 많이있네요오늘 전체적으로 안나오는듯했습니다이러면 안되겠다싶어 배없는곳들 집중공략해서조금이라도 잡을수있어 다행이였네요하루하루 조황은 나아질듯합니다^^백조기 잡으로 오세요~~  

뉴대성호(낚시전용선)
뉴대성호 07-02 2,024
3253

7월1일 뉴대성호 농어외수질조황

농어외수질에 아쉬워하시는 13분의 조사님과 함께하였습니다^^몇일간 날씨가 아주않좋았죠?바다에나가보니 똥물이네요 붕어도 떠다녀요 ㅋ날씨도 똥바람에 뭐하나 좋을것없는 날이지만그래도 열심히 해주셔서 몇마리잡고왔습니다^^아쉬운분들을위해 7월7일 마지막 농어만공격갑니다7월9일10일 대양호도 농어갑니다 

뉴대성호(낚시전용선)
뉴대성호 07-01 2,184
3252

6월 25일 뉴해랑호 백조기 조황

남풍입니다... 아니 남풍전에 태풍이네요..태풍이 올라온다는 예보가 있어서 바람이 상당합니다.출조를 해야하나 고민하다가 몇몇 조사님들의 의견을 수렴해보니일단 안죽으면 나가자고 하시는..--열정들이 대단하십니다..ㅋ그래도 물때가 약한 편이라 생각보다는 잘 나와주네요..저번 탐사때는 여기저기 포인트 다니면서 개체 확인하는데 중점을 두었는데오늘은 그래도 나올만한 포인트 위주로 다녔습니다.1등하신 분이 60수오버.. 낚시 좀 하시는 분들은 40수 오버는 하셨는데..작년 상황과 비교해보면 슬슬 시즌 시작이라고 감히 말씀드릴 수 있겠네요..바람만 조금 도와줬어도 하는 아쉬움이 남습니다..ㅠ가끔 백조기낚시는 언제가 좋냐고 물어보시는 분들이 많은데7월부터 8월까지가 정시즌이구여.. 물이 약할때는 마리수는 적은 대신 씨알이 좋구..물이 쎄지면 마리수는 많은 대신 씨알이 작다라고 생각하심 되고7월이 오히려 씨알이 좋은 경우가 많구여..7월말애서 8월초 정도에 한차례 씨알이 작아졌다가다시 8월 중순 넘어가면 씨알이 다시 커지는 경우가 많습니다.물론 해마다 바뀌는 지라 100%라고 말씀은 못드리는데 올해 저는 마리수보다는 씨알 위주의 운영을 생각하고 있으니 제 배 타실 분들은 참고해주시길..ㅎㅎ  

뉴해랑호(낚시전용선)
해랑호 06-29 1,836
3251

6월 25일 대성호 다운샷조황입니다

오늘도 대성호는 우리 손님들과 신나게 놀고싶었으나 기상이 안좋은 상황이라 그러지 못했네요...오늘은 18분 조사님과 함께 다운샷 다녀왔습니다9분 단체팀  4분 단체팀 초보손님들이 많이 아주 많은 날이네요~날씨만 아니 너울만 조금 덜했어도 우리 초보 손님들도 많이 잡아가실수 있었을텐데 하는 아쉬움이 큰 하루였네요9광으로 장원하신 20번 조사님 축하드립니다~마릿수는 조금 적어도 싸이즈가 훌룡하네요~^^   

대성호(낚시전용선)
대성호캡틴 06-26 1,848
3250

6월25일 뉴대성호 농어외수질

날씨가 많이 안좋았지만 농어는 좀 나와주었습니다이번달은 날씨가 안좋아 시즌종료인데아쉬운분들이 많아 7월에 2일~3일정도 외수질 출항예정이니놀러오세요^^7월1일은 기상악화로 아쉬운 갈매기님을위한 농어외수질예정입니다인원상관없이 출항합니다7월7일도 아쉬워하시는분들을 위해 준비했습니다^^ 

+1 뉴대성호(낚시전용선)
뉴대성호 06-26 2,097
3249

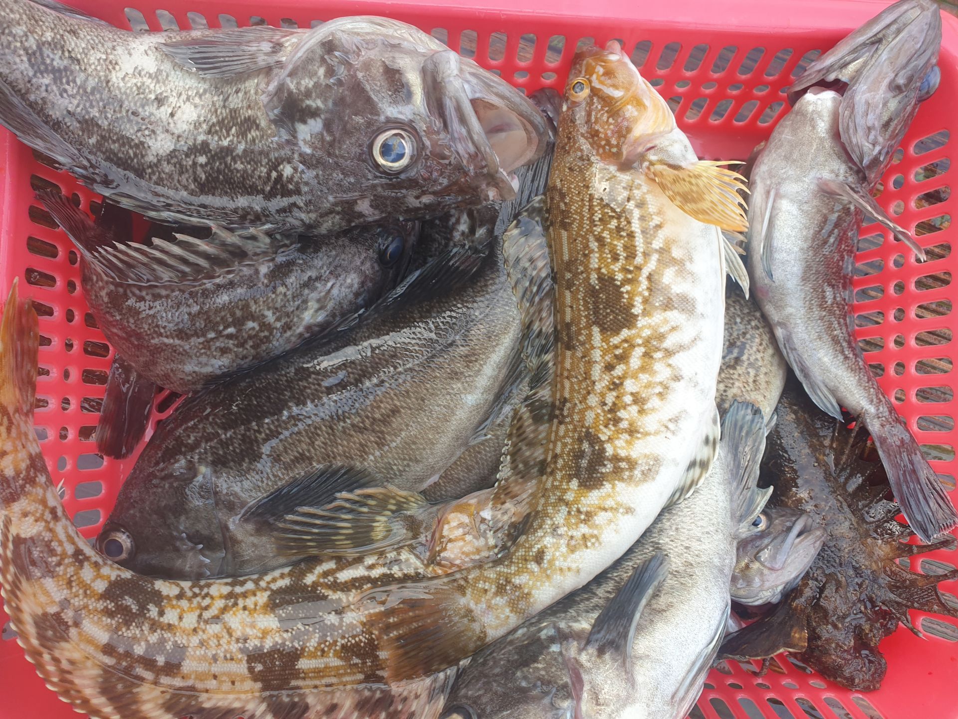
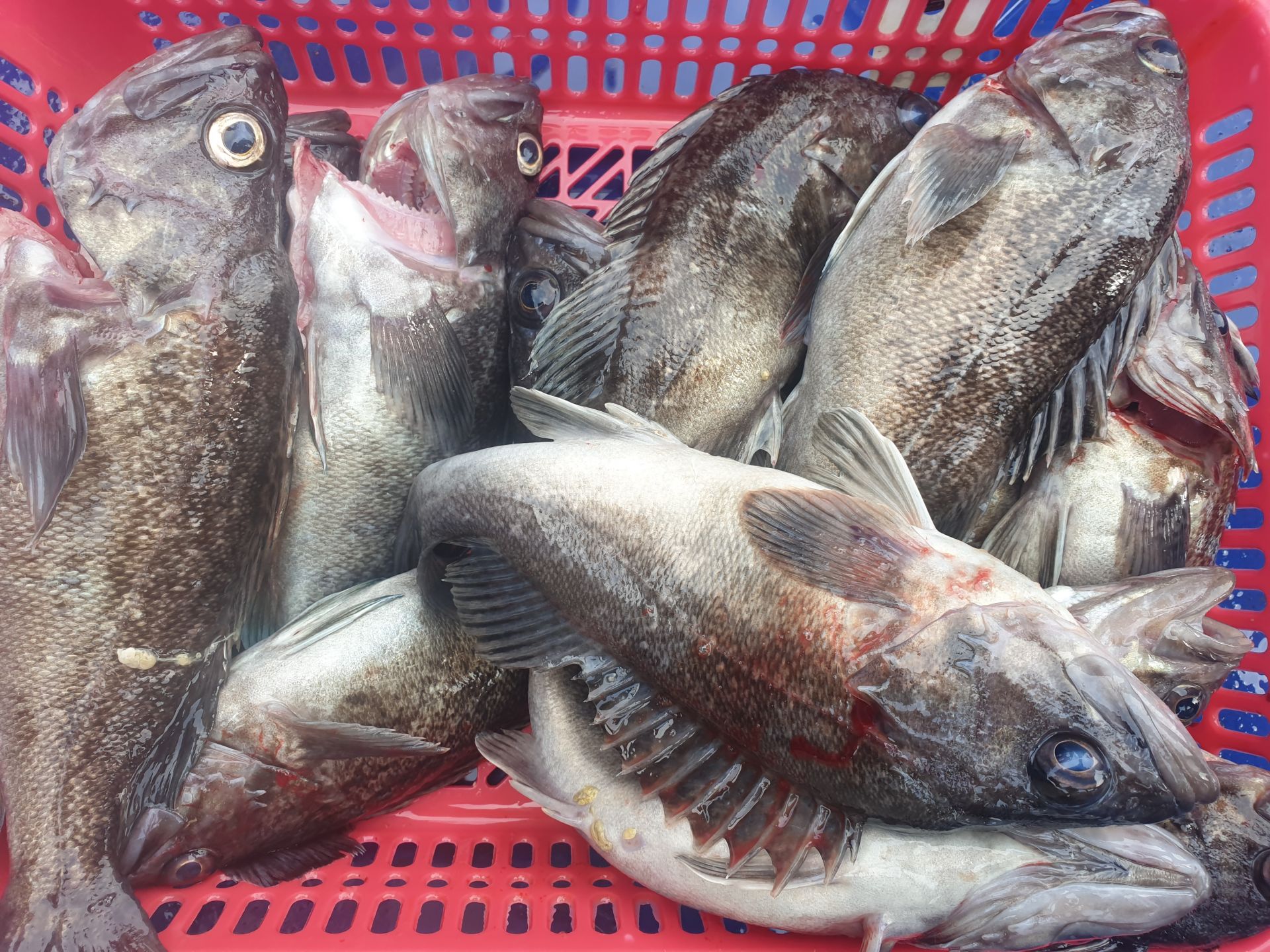
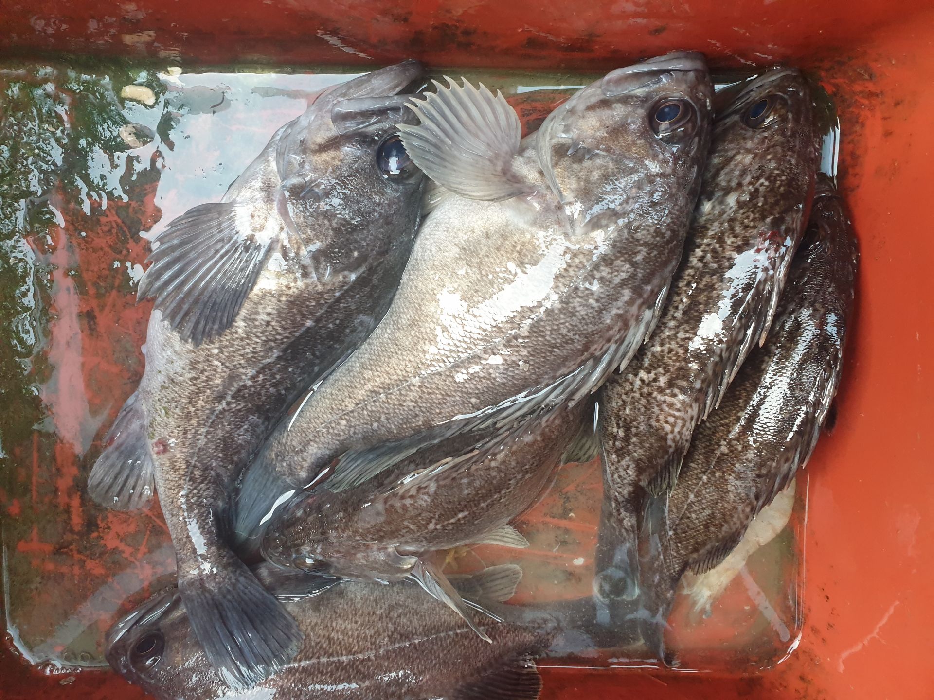
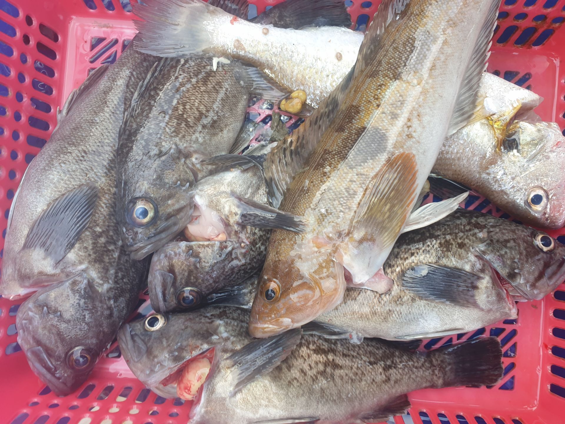
6월25일 대양호 외수질 조황

 

대양호(낚시전용선)
바다이야기 06-25 2,260
3248

6월25일 오늘의장원은 누구?

뉴해랑호 내친구님뉴대성호 농어 마리수 동일/ 이윤식님, 김두환님, 조범일님대성호 최형재님대양호 노기석님 해성호 김병현님

클럽씨남당댁
남당댁 06-25 2,265
3247

22년 6월19일 클럽씨피싱 참돔타이라바 선단미니대회 결과

전체 1등 대양호 박종근님!전체 2등 대성1호 백남진님!전체 3등 뉴대성호 한승민님!대성1호 선박 1등부터 5등입니다. 축하드립니다.^^ 축하드립니다. 연장 출조의 힘! 김중화님참돔 처음이신데? 22년 광어 1등의 기운이 아직 남아있나봅니다. 신현수님커플 시상! 축하드립니다. 김현정님사장님 보다 실력이 좋으십니다.^^ 축하드립니다. 차은숙님 레드원호 (블루원양태선장) 1등~5등입니다.연장 출조에도 체력 대단하세요! 축하드립니다. 백운기님축하드립니다^^ 축하드려요! 1(한조사님^^)김두환님!!! 축하드려요!!!!!!!!^.^ 앵글러준님 보고있나유?백승혁님 축하드려요^^   뉴대성호 선박 1등~ 5등입니다.개그맨 피가 흐른.....는... 정삼호님 축하드립니다.^^ 와우!!! 사장님은 전체3등! 사모님이 뉴대 2등까지! 정말 축하드려요~축하드립니다!^^ 뉴대성호에서 한번 더 뵐수 있겠군요!!축하드려요! 피싱훅 화이팅! 박승국님!! 축하드립니다.^^ 대양호 선박 1등 ~ 5등 입니다.역시! 송병수님~ 대회에서도 실력발휘는 계속되시는군요!피싱훅 화이팅~ 이영설님 축하드려요!종순님^^ 표정왜그..래...유? ^^ 우와~ 좋겠다 대양호 무료승선권~~축하드립니다. 최종상님~우와~ 5등 공동수상~ 릴세척은~ 영석 릴닥터로~~^^  

클럽씨남당댁
남당댁 06-19 1,964
3246

6월19일 오늘의장원은 누구?

대양호 박종근님 대성1호 백남진님뉴대성호 한승민님 정삼호님레드원호 백운기님 대성호 오창렬님

클럽씨남당댁
남당댁 06-19 2,167
3245

6월 19일 대성호 12인 광어다운샷조황입니다

오늘도 대성호는 우리 손님들과 완죤 신나게 놀다왔습니다 우리 손님 12분 모시고 외연도인근으로 출발~첫 포인트 도착 싸이즈 좋은 광어가 얼굴을 보여주고 두번흘려 5섯마리 잡았는데 갑자기 배들이 한30척은 모인거 같습니다....배 많은 곳에서 스트레스 받고 낮마리로 잡느니 다른 포인트 찾아 한가하게 즐기고싶어 과감히 첫 포인트를버리고 이동~~~포인트 이동해 이곳 저곳을 광어 나오는곳을 찾았네요~한번 흘리는데 10마리 주변에 배 한대도 없고 기븐이 얼마나 좋은지~ 우리 손님들도 즐겁게 잘~~~완죤 잘~~놀다가셨습니다 12명 전원 광어손맛을 보셨고 8광,7광,6광,5광등 신나게 놀다가셨습니다~~우리 손님들 싱싱한 광어를 가져가실수 있도록 심해를 항에 다들어와서 했고 예쁘게 깔고  사진찍고싶었지만 싱싱한 광어를 위해 극냥 막깔고 찍었네요~~총 마릿수는 60장  방생 5장~12분 우리 조사님들 수고많이 하셨습니다~대성호 내일은 100광을 위해 조금 더 멀리 갈 예정입니다~손맛보러 놀러오세요~아직 자리여유 많아요~~  

대성호(낚시전용선)
대성호캡틴 06-19 1,983