[뉴대성호(낚시전용선)] 6월4일 뉴대성호 다잡아외수질 조황

  • 뉴대성호
  • 0
  • 2,616
  • 글주소
  • 06-04

날씨도 희리고 해무가 심하네요


분위기가 농어는 안나올것같아서


멀리가서 이것저것 잡히는데로 잡고


농어대물도 잡고 들어왔습니다


요즘 초보조사님들 즐거워하시니 참 다행입니다^^



 



 







































 


조황정보

번호 제목 글쓴이 날짜 조회수
3224

6월10일 뉴대성호 농어외수질

농이 심하군요~~전설의 물고기가 되어가는 농어입니다10분의조사님들과 다녀왔습니다열심히 돌아다녔지만 많지않네요 

뉴대성호(낚시전용선)
뉴대성호 06-10 2,185
3223

6월 9일 대성호 광어다운샷조황입니다

오늘도 대성호는 우리 손님들과 신나게 놀다 왔습니다 첫 포인트부터 광어가 얼굴을 보여줬고 어떤 포인트는 우당탕탕~어떤곳은 낮마리~물만 잘 가줬다면 완전 신나게 놀수있었는데..많이 아쉽고 무엇보다 빠트린 고기가 많아 저도 속상하고 손님도 속상하고 그랬네요...우리 손님들 고생 많으셨습니다~대성호는 요번주 토요일까지 출조하고 일요일(12일)~다음주 목요일(16일)까지 예쁘게 단장하고 우리 손님들 맞이하겠습니다~^^  

대성호(낚시전용선)
대성호캡틴 06-09 1,714
3222

6월9일 레드원(블루원)갑오징어 조황

8분모시고 갑사냥 다녀왓습니다총 14마리 나왓습니다쭈꾸미는 사직찍고 바로 방생^^ 

레드원호(낚시전용선)
양태 06-09 2,031
3221

6월6일 오늘의장원은 누구?

레드원호 이민호님 뉴대성호 내친구님, 지상주님

클럽씨남당댁
남당댁 06-06 1,989
3220

6월 5일 뉴해랑호 생활우럭 조황

어제 컴터에 약간의 이상이 생기는 바람에 이제야 올립니다...^^일욜은 어제 토욜에 비해서 조황이 좀 떨어지네요..수온이 토욜...20.6도.. 일욜 18.9도..ㅋ1도이상 차이나다보니 활성도도 떨어지고 거기다 우리 조사님들... 생애 첫 낚시가 반수가 넘으신지라...ㅎㅎ첨엔 난리도 아니었는데.. 그래도 차츰차츰 안정을 찾으셔서 다행이 마무리 잘 하고 들어왔습니다..^^저도 아침나절엔 살짝 멘탈이 나갈뻔 했는데.. 유쾌하신 조사님들덕에 맘다시 잡고 여기저기 낱마리라도 잡으면서 노력했네요조황은 썩 좋치 않았어도 한마리한마리에 즐거워해주시는 초보조사님들을 보며역시 생활낚시의 장점은 이런 즐거움이 아닐까 생각해봅니다.ㅎㅎ비도 살짝오고 바람도 불고 수온도 떨어져 활성도도 없는 상황이 초보조사님들이 낚시하기에는 최악의 조건이었을텐데도 열심히 낚시해주셔서오늘도 정말 감사한 마음으로 즐겁운 하루 보냈습니다..^^ 

뉴해랑호(낚시전용선)
해랑호 06-06 2,062
3219

6월6일 뉴대성호 외수질조황

농타임 농씨~~~잡은것보다 얼굴보고 떨군게 더많은 하루많이아쉽습니다몇일쉬고 금요일부터 농어 달려볼께요^^ 

뉴대성호(낚시전용선)
뉴대성호 06-06 2,569
3218 양태 06-06 2,685
3217

6월6일 오늘의 장원은 누구?

뉴해랑호 서일원 박종원님레드원호 차은숙님뉴대성호 서태원님대성2호 김장익님대성호 한민형님대양호 박완규님 대양호 임영철님

클럽씨남당댁
남당댁 06-05 2,028
3216

6월 5일 대성2호 놀래미 조황

 

대성2호(낚시전용선)
대성2호 06-05 2,511
3215

6월5일 대성1호 참돔조황

 8분모시고 다녀왔습니다

대성1호(낚시전용선)
대성1호 06-05 1,978
3214

6월5일 대양호 외수질조황

 

대양호(낚시전용선)
바다이야기 06-05 2,021
3213

6월 5일 대성호 광어다운샷조황입니다

오늘도 대성호는 우리 손님들과 신나게 놀다 왔습니다 ~첫 포인트를 조금 멀리잡고 출발~삑~ 광어가 한마리 한마리 우럭은 한마리 두마리 그러다 5짜개우럭까지~ 그런데 광어는 낮마리라 포인트를 이동합니다~1시간~  삑~우당탕탕 광어 나오는 싸이즈가 4짜후반부터  6짜중반까지~ 우리 손님들 신나게 놀다 가셨네요~~멀리 다녀오시느라 고생 많으셨습니다   

대성호(낚시전용선)
대성호캡틴 06-05 1,705
3212

6월 4일 대성호 광어다운샷조황입니다

오늘도 대성호는 우리 손님들과 신나게 놀다 왔습니다 ~이른 새벽 우리 손님들을 모시고 첫 포인트로 출발~~했는데..배들이 너무많이 가는거 같아 일단 한박자 쉬고 가려고 중외만부터 찍고 들어가기로 결정 중외만 3곳을 찍어봤는데 우럭과 놀래미...광어는 얼굴만 보여주는 정도 그래서 다시 40분 이동 다른배가 없네요~^^  한번흘릴때마다 한마리~두마리~세마리~ 그런데 그게 다였다는 포인트를 이동하여 찍어보지만 시원하게 나오는 곳은 없고 낮마리로 나와주네요그렇게 점심먹을때까지 포인트 이동해가며 열심히 잡았고점심먹고 한곳에서 한번 흘리는데 5섯마리 이곳도 이게 다,.그렇게 하루종일 낮마리로 열심히 잡고 다녔네요~그결과 한분빼고 전원 광어 손맛을 보셨고 집에 가실때는 광어와 우럭으로 넉넉히 챙겨가셨네요~오늘도 광어 나눔 해주신 임♡♡님(오늘장원)과 항상 나눔해주시는 한♡♡님 정말갑사합니다~광어 44장 방생 6섯장  5짜~4짜 개우럭들~우리 손님들 전투 낚시때문에 힘드셨죠..너무 고생많으셨습니다~^^ 방생    

대성호(낚시전용선)
대성호캡틴 06-04 1,692
3211

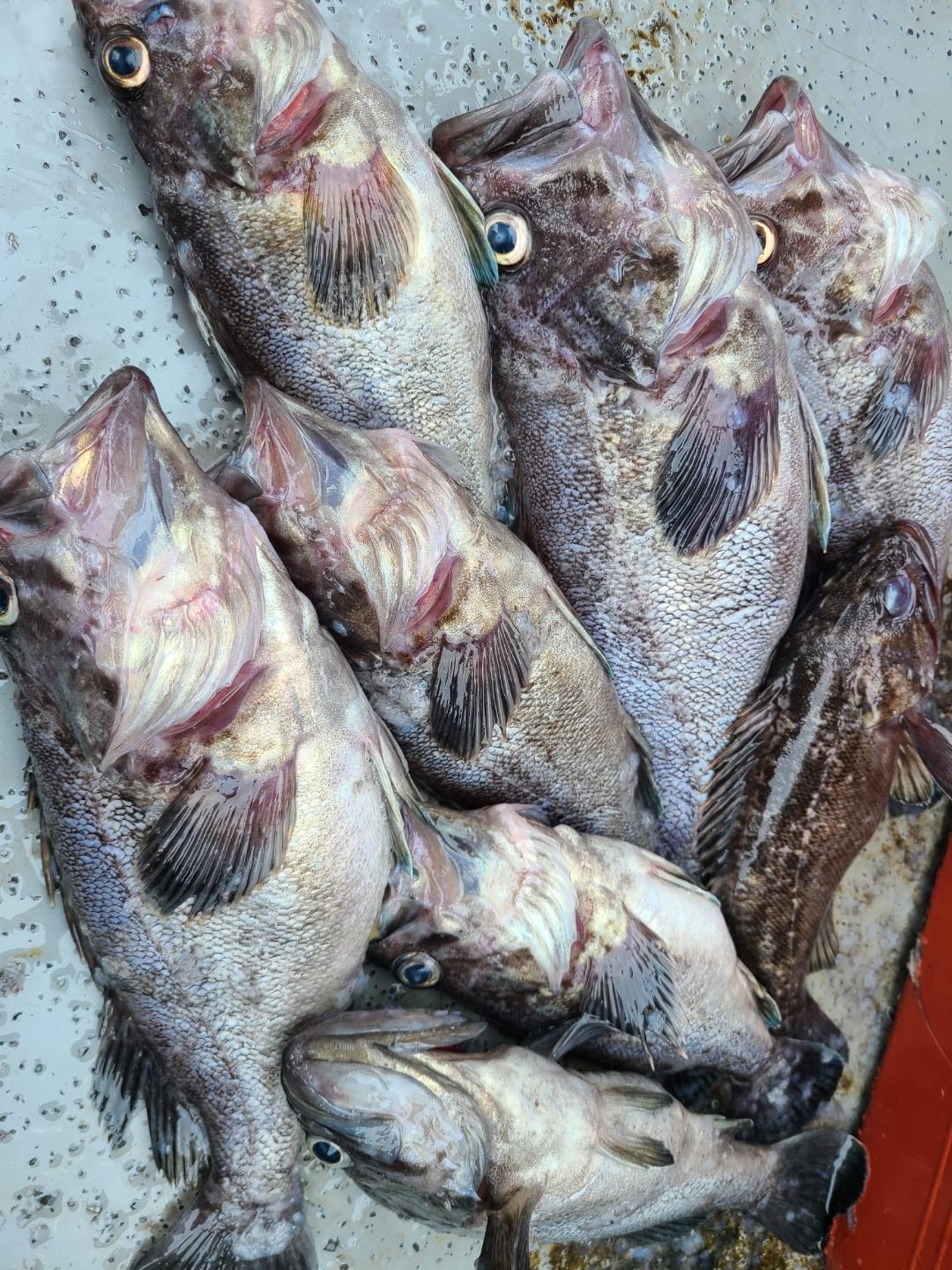
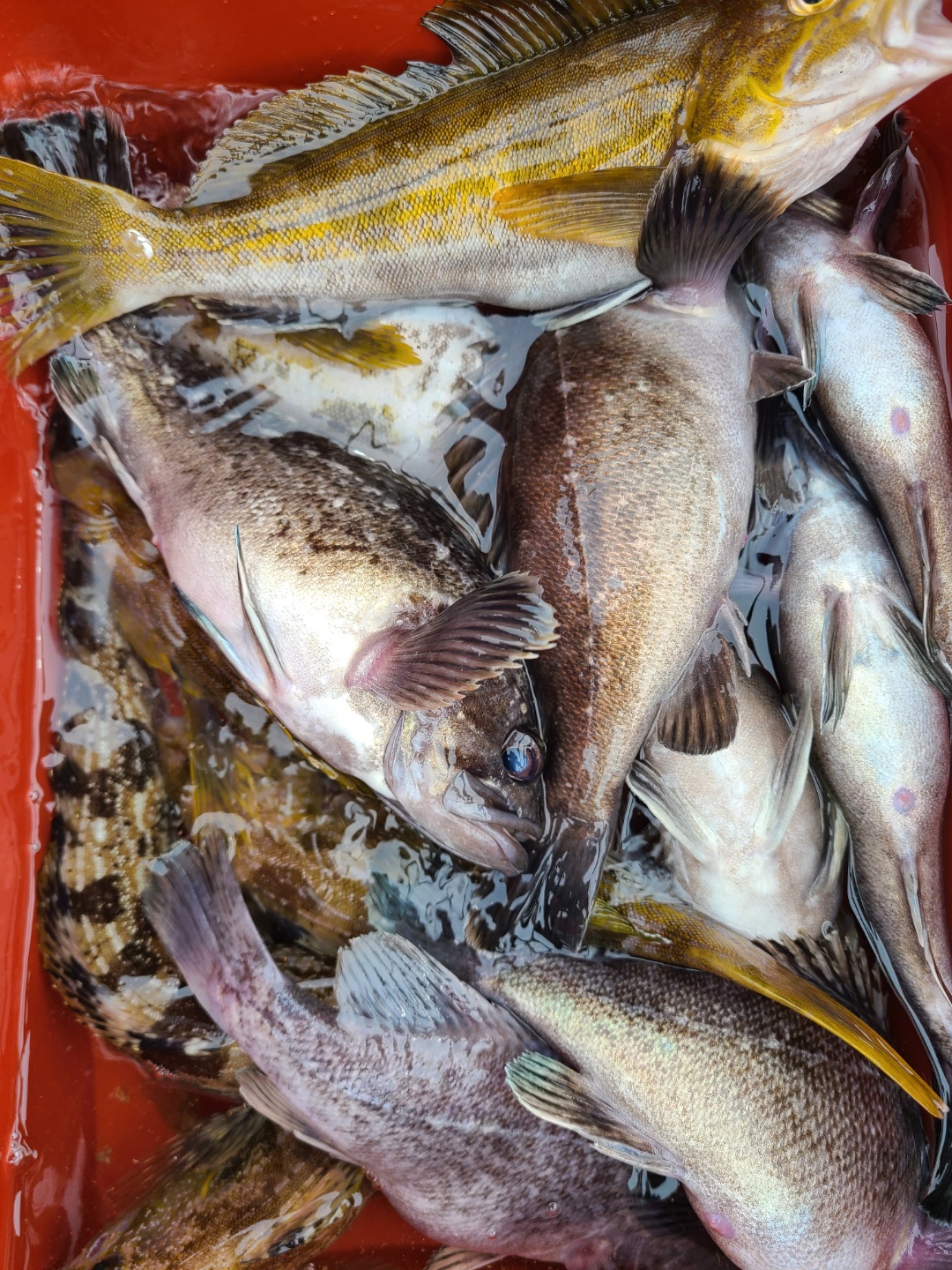
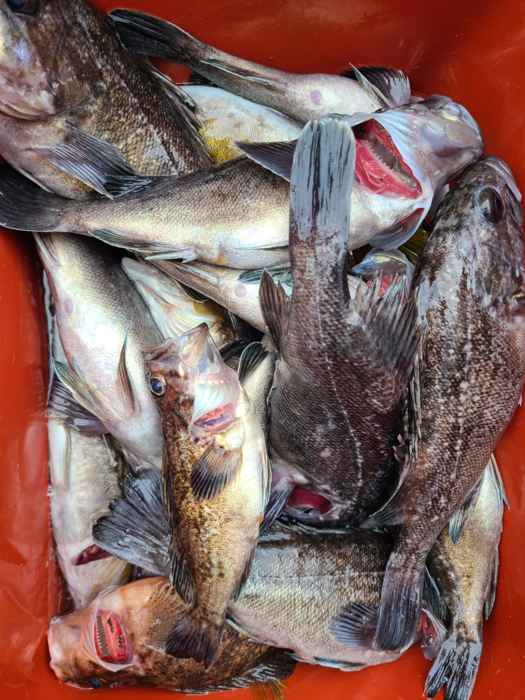
6월4일 뉴대성호 다잡아외수질 조황

날씨도 희리고 해무가 심하네요분위기가 농어는 안나올것같아서멀리가서 이것저것 잡히는데로 잡고농어대물도 잡고 들어왔습니다요즘 초보조사님들 즐거워하시니 참 다행입니다^^   

뉴대성호(낚시전용선)
뉴대성호 06-04 2,617
3210

6월4일 오늘의장원은 누구?

뉴해랑호 김영화님뉴대성호 이정완님뉴대성호 대물뱃지 이근우님대성1호 김덕환님대성호 임영철님 대양호 김원회님

클럽씨남당댁
남당댁 06-04 2,212
3209

6월4일 대양호 외수질 조황

 

대양호(낚시전용선)
바다이야기 06-04 1,918
3208

6월 4일 뉴해랑호 생활우럭 조황

오늘은 커플데이입니다...ㅋㅋ16분 중 10분.. 5커플이 오셨네요... 부부의 날 이벤트 때도 이렇게 커플이 많지는 않았던거 같은데..^^그래서 하루종일 분위기 화기애애^^하긴 이런게 생활낚시의 묘미가 이닐런지..ㅎㅎ조황도 아주 못잡으신 분 없이 다들 드실만큼은 잡아가신 듯...너무 보기 좋고 부러운 하루였네요...조사님들도 다들 즐거운 하루보내셨길 바랍니다...^^ 

뉴해랑호(낚시전용선)
해랑호 06-04 1,522
3207

6월4일 대성1호 참돔조황

 14분 모시고 다녀왔습니다.

대성1호(낚시전용선)
대성1호 06-04 1,939
3206

6월 1일 대성호 광어다운샷조황입니다

오늘도 대성호는 우리 손님들과 신나게 놀다 왔습니다 ~오늘은 마릿수 작정하고 첫 포인트를 조금 멀리잡았는데...아 너울이 생각보다 많이 심하더라구요....낚시를 시작도 하기전에 몇분은 멀미로 쓰러지시고...바다에 집어를 하시면서 낚시하시는분도 계시고...너울 때문에 포인트에 진입도 못하고..ㅠ너울이 조금 죽어 30여분을 달려 다시 포인트로 이동~ 그런데 포인트에 10여척에 배가 거의 같이 도착~ 삑~......히트~히트~여기까지는 좋았다 생각했는데.  좋은게 좋은게 아닌듯 다른 배들은 한번 흘릴때 4~5섯마리씩 올리는데 우리 배는 두마리...한마리...거기에 포인트에 다시 진입하려고 삑삑 두번울리면 잠시만요~~~아....ㅠ 어김없이 앞,뒤.옆 채비엉킴....ㅠㅠㅠㅠㅠㅠㅠㅠㅠ....ㅠㅠㅠ ㅠㅠㅠ ㅠㅠㅠ.....오늘 승선하신 우리 손님들 대부분 다운샷 경험이 전무후무한 상태...이 상황을 어찌해야 할찌...우리 손님들 어떻게 재미지게 놀다 가실수 있게 해드리지...생각끝에 잘 못잡는 광어보다 쉽게 잡을수 있는 우럭을 잡게 해드리자 생각하고 오후에는 우럭과 광어가 함께 있지만 우럭 비중이 큰 포인트로 이동해서 3짜~~4짜~~~거기에 5짜 개우럭까지~많이 잡아가셨네요~우리 손님들 오늘 너울 때문에 너무 고생 많으셨습니다 그리고 즐겁게 잘 놀다 간다며 인사해주셔서 넘 감사했습니다알쥬~대성호에서 우럭은 35이상 넘어야 번호표 해드리고 어창에 들어가고 조황사진에 찍혀유~~ 오늘 뺏지 주인공이 될뻔한 박빙승부 3분 조사님 수고 많으셨고6광으로 장원하신 11번 유♡♡님 축하드립니다방생 

대성호(낚시전용선)
대성호캡틴 06-01 1,956
3205

6월1일 오늘의 장원은 누구?

블루원호(레드원호) 차재식님뉴대성호 장원 오정화님뉴대성호 대물 신필규님대성호 유종하님해성호 김병현님

클럽씨남당댁
남당댁 06-01 2,441