[뉴대성호(낚시전용선)] 6월1일 뉴대성호 다잡아외수질조황

  • 뉴대성호
  • 0
  • 2,136
  • 글주소
  • 06-01

오늘 초보조사님 호응이 너무좋네요 ㅎㅎ


많이 못잡아도 기분은 좋군요


처음하시는분도 초보분도 우럭신나게 잡으시고


농어도 몇마리 큰넘도나와주고


광어도 큰넘이랑 2마리나와주고


그냥저냥 잘놀다온것같습니다


조황이 더좋으면야 좋겠지만 잘놀다가신다니 그걸로 좋지요

 




























 

조황정보

번호 제목 글쓴이 날짜 조회수
3204

5월30일 낚시대회 오늘의 장원은 누구?

뉴대성호 김경태님 대양호 성함^^ 문자주세요~화성호 개우러기님대성2호 신현수님 대물뺏지와 함께 2개입니다.뉴해랑호 장인필님대성호 최재필님 대물뺏지와 함께 2개입니다.레드원호 서인국님 대물뺏지와 함께 2개 입니다.해성호 박종석님 대성1호 김진섭님

클럽씨남당댁
남당댁 06-01 2,058
3203

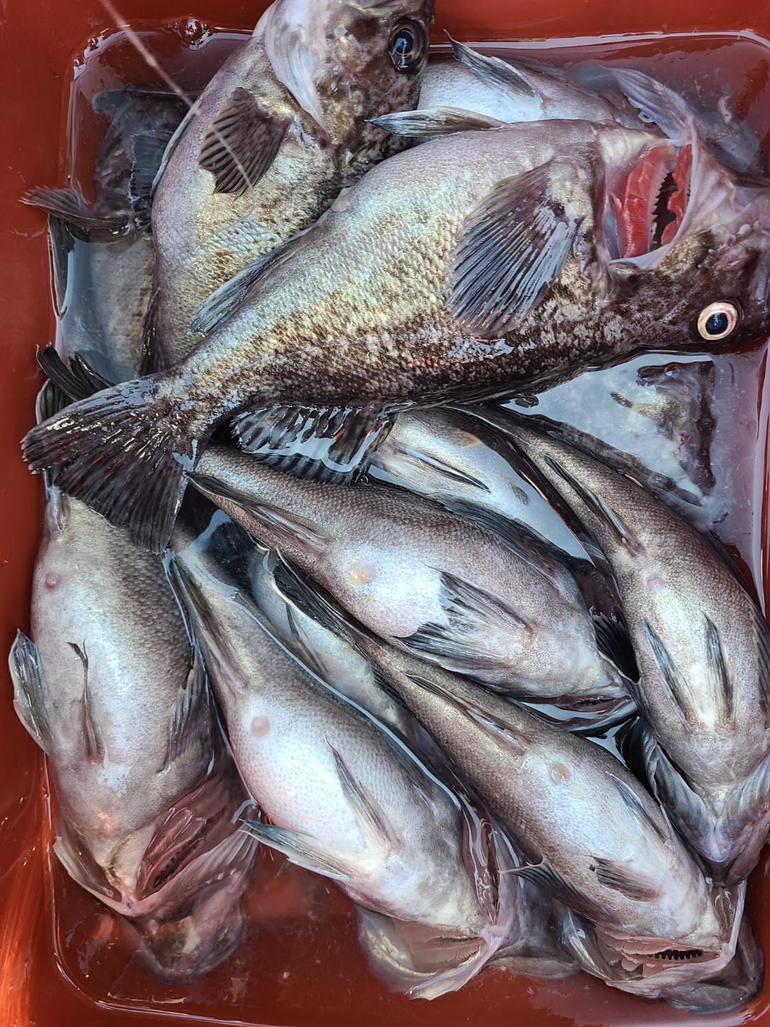
6월1일 뉴대성호 다잡아외수질조황

오늘 초보조사님 호응이 너무좋네요 ㅎㅎ많이 못잡아도 기분은 좋군요처음하시는분도 초보분도 우럭신나게 잡으시고농어도 몇마리 큰넘도나와주고광어도 큰넘이랑 2마리나와주고그냥저냥 잘놀다온것같습니다조황이 더좋으면야 좋겠지만 잘놀다가신다니 그걸로 좋지요  

뉴대성호(낚시전용선)
뉴대성호 06-01 2,137
3202 남당댁 05-31 2,474
3201

22년5월 클럽씨피싱 "광어다운샷"대회 결과(대성2호,대성호,해성호)

대성2호입니다 대성호입니다. 해성호입니다

클럽씨남당댁
남당댁 05-31 1,993
3200

22년5월 클럽씨피싱 "광어다운샷"대회 결과(대상, 뉴대성호,화성호,대양호,뉴해랑호,대성1호,레드원호)

안녕하세요? 클럽씨피싱입니다.어제 5월 30일 클럽씨피싱 광어 다운샷 대회 사고 없이 잘 마무리 되었습니다.평일임에도 불구하고 154명 만석으로 대회가 진행되었어요^^ 참여해주신 모든 클럽씨피싱 조사님들께 감사인사드립니다.광어 사이즈 1등 대회로 대물포인트 위주로 다니다보니 입질도 못받으신조사님, 우럭 손맛만 보신분들 많이 계신줄 압니다.앞으로 대회나 정식 출조나 많은분들이 만족하시고 즐길수 있는 낚시 될수있도록 더 많이 고민하고 노력하는 클럽씨피싱 선단 되겠습니다. 대성2호 신현수님께서 1등 광어 올려주셨습니다.19년도 광어다운샷 대회에서 거정호 타시고 1등하셨던^^ 어복과 실력이 함께있으신 조사님이십니다.^^축하드립니다.!!1등 신현수님 좌 우 계셨던 아차!! 조사님 이십니다.^^ 우승 후보로 대성호, 레드원호있었습니다. 계측사진입니다.전체1등도 있지만 각 선박 1등~5등 있었죠? 뉴대성호입니다.^^    화성호입니다. 대양호입니다.  뉴해랑호입니다. 대성1호입니다.레드원호입니다.

클럽씨남당댁
남당댁 05-31 1,891
3199

5월29일 오늘의장원은 누구?

뉴대성호 한승민님대성2호 김상은님레드원호 김교선님레드원호 채영숙님대성1호박병언님 김은미님 최봉화님 대성호 김관수님

클럽씨남당댁
남당댁 05-30 2,260
3198

5월 28일 대양호 다잡아외수질 조황

5월 28일 대양호 외수질 조황입니다.  

대양호(낚시전용선)
조PD 05-30 1,867
3197

5월 29일 대성 2호 우럭조황

 

대성2호(낚시전용선)
대성2호 05-30 2,077
3196

5월 29일 대성호 다운샷조황입니다

오늘도 대성호는 우리 손님들과 그냥 그냥 놀다왔네요 오늘도 초보손님들께서 대거 탑승해주셔서 조금은 힘든하루였네요 그래도 항상 찾아주셔서 넘 감사드려요~~^^초보손님이 많아서 그런지..아님 입질이 약해서 그런지오늘은 잡은 광어보다 빠진 광어가 더 많은 하루였습니다우리 초보 손님들 너울에 바람에 멀미에...고생 많으셨습니다  

대성호(낚시전용선)
대성호캡틴 05-29 2,017
3195

5월28일 뉴대성호 다잡아외수질

날씨가 안좋다보니 많이 힘드셨을듯하네요첫농어올리신 쭈신 한번더님께서 5농하셔서쭈신에서 농신으로 ㅎㅎ축하드립니다^^초보조사님들 많아 못잡아 죄송합니다다잡아외수질은 뉴대성호와 대양호 나갑니다 

뉴대성호(낚시전용선)
뉴대성호 05-29 2,568
3194

5월 28일 대성호 왕갑오징어 조황입니다

오늘도 대성호는 우리 손님들과 신나게 놀고싶었지만....오늘은 날씨때문에 그런지 갑오징어 조황이 영....ㅠ갑오징어 찾아 여기 저기 거기 까지 열심히 돌아다녀봤는데가는 곳마다 낮마리...ㅠ 바람이 바람이...ㅠ 정상적으로 배가 흘러갈수 없었네요..배에서 총 15섯마리..ㅠ 잘 잡으신분이 두마리 (4분)못잡으신분도 있구요...ㅠ  우리 조사님들 정말 수고하셨습니다  

대성호(낚시전용선)
대성호캡틴 05-28 2,486
3193

5월28일 오늘의장원은 누구?

뉴대성호 구기성님 대성호 김승현님뉴해랑호 박도화님대양호 최승규님 대물뱃지와 장원 총 2개^^ 대성2호 천승찬님

클럽씨남당댁
남당댁 05-28 1,794
3192

5월 28일 뉴해랑호 생활우럭조황

오늘도 역시나 바람이 장난이 아닙니다..ㅎ거기다 남풍..ㅠㅠ그래도 다행이 곧잘 나와주네요..중간에 물이 쎄지면서 킬링타임이 있기는 했지만 그래도 후두둑 쏟아지는 포인트 몇 군데에 잘 맞춰 진입해서 전체조황은 나쁘지 않은 수준입니다.오늘도 역시나 한가지 아쉬운 점은 씨알...ㅠ그래도 심심치 않게 손맛보시는게 생활우럭의 묘미이니 다들 줄겁게 웃으면서 낚시 마무리 잘하고 들어왔습니다...^^ 

뉴해랑호(낚시전용선)
해랑호 05-28 1,859
3191

5월 27일 뉴해랑호 생활우럭조황

아침 나절 바람이 장난 없네요...12분 단체 손님이라 초보분들도 많을텐데.. 걱정이 앞서는데...기우였네요...첫 포인트부터 그래도 꾸준히 나와줍니다.간간이 쌍걸이에 올시즌 첫 쓰리걸이...ㅎㅎㅎ물돌이가 시작되면서 바람이 물방향과 틀려지더니 아주 많이 잠시 소강상태..그래도 물이 바람을 이기기 시작하면서 올들어 처음으로 전원 히트...ㅋㅋ한가지 아쉬운 점이 있다면 씨알이 전체적으로 작네요..ㅠㅠ원래 이 시즌엔 마리수가 적어지면서 씨알이 커지는 경향이 있는데오늘은 바람의 영향인지 씨알은 적고 마리수는 괜찮은?? ^^그래도 잼있는 낚시하고 왔습니다.내일은 전체적으로 심한 남풍이라 오늘보다 더 걱정되는 하루이긴한데 오늘처럼 기우였음 하고 바래봅니다...ㅜㅜ 

뉴해랑호(낚시전용선)
해랑호 05-27 2,050
3190

5월26.27일 오늘의장원은 누구?

26일 블루원호 (레드원호) 하정희님, 안민용님, 박은명님, 조영미님 27일 뉴대성호 등대지기님 뉴해랑호 서의석님

클럽씨남당댁
남당댁 05-27 1,931
3189

5월26일 레드원호(블루원 양태선장) 갑오징어 조황

하루종일 바람이랑 물이랑 안맞아서 함든낚시를 하고 욌네요...  

레드원호(낚시전용선)
양태 05-26 2,538
3188

5월25일 뉴대성호 다잡아외수질

5분의 조사님 모시고 농어보겠다고 아주멀리다녀왔습니다구경만하고왔네요광어도 몇마리 구경~~아침에 잠깐한 갑오징어도 몇마리구경~~우럭조금 놀래미조금씩 잡았네요종류는 많은데 마리수가 별로군요다행이 해랑호 선장님과 해랑호 사무장님 남당댁이 잡은것들을 나눠드릴수있었습니다갑오징어는 약2주정도는 많은 양은 아니더라도 좀나와줄것같습니다 농어도 슬슬 비춰질것같구요^^ 

뉴대성호(낚시전용선)
뉴대성호 05-25 2,259
3187

5월 24일 뉴해랑호 생활우럭조황(22일 사진첨부)

오늘은 아슬아슬 6분 모시고 내만우럭 다녀왔습니다.소수인원이다보니 옹기종기 잼나게 놀다 왔네요..ㅎ78짜리 대광어도 올라와줘서.. 분위기도.. 업업...!!!!우리 초보 조사님들 똥바람에 고생들 정말 많으셨습니다...오후 바람이 불지만 않았음.. 좀 더 좋은 조황을 올릴 수 있었을텐데 많이 아쉽구...오늘 즐거운 하루 보내셨길 바랍니다...^^아.. 그리고 선장이 게으른 관계로.. 22일 조황을 못 올렸네요..ㅠ22일 일욜은 전반적으로 씨알이 적었네요..ㅠ몇 장 없는 사진이라도 첨부하니 혹 그날 오신 조사님들 사진이라도 퍼가시길...^^ 22일 조황사진입니다. 

뉴해랑호(낚시전용선)
해랑호 05-24 2,089
3186

5월24일 오늘의장원은 누구?

뉴해랑호 광어대물뺏지 김용필님대성호 최승호님 

클럽씨남당댁
남당댁 05-24 2,246
3185

5월 24일 대성호 왕갑오징어 대박조황입니다

오늘도 대성호는 우리 손님들과 완죤 신나게 놀다왔습니다 오늘은 긴 말이 필요없네요~~~조황으로 확인하세요~~최대 11마리~ 꽝조사님 한분...ㅠ앞으로 갑오징어 잘~~~나올거 같습니다~~~갑오징어 출조는 젊은 김양태 선장이 레드원호로 목요일(26)부터 출조합니다~~~손맛~입맛~왕갑오징어 쵝오~~~     

+3 대성호(낚시전용선)
대성호캡틴 05-24 2,576