[뉴대성호(낚시전용선)] 4월25일 뉴대성호 우럭조황

  • 뉴대성호
  • 3
  • 2,424
  • 글주소
  • 04-25

단체분들과 일반조사님모시고 우럭다녀왔습니다


아침부터 시원찮군요


많이아쉽습니다 조금이라도 더잡게 해드리려


멀리까지다녀왔습니다


날이안좋아서인지 만족스럽게 나오지는 않았네요


그와중에

갈매기님의 대광어 축하드립니다 뱃지 획득~!!


내일은 비가많이와서 하루쉬고 수요일부터 출항합니다^^





























 



조황정보

번호 제목 글쓴이 날짜 조회수
3124

4월29일 뉴대성호 우럭조황

아침에비에 바람에분위기가 좋지않네요기온도 뚝떨어져서 춥네요따뜻하게 입고오세요열심히 돌아다녔지만 잘나와주진않았습니다그래도 힘든상황에서도 열심히 낚시해주셔서 감사합니다 

뉴대성호(낚시전용선)
뉴대성호 04-29 2,189
3123

4월27일 오늘의장원은 누구?

​  뉴대성호 정현호님

클럽씨남당댁
남당댁 04-28 1,677
3122

4월27일 뉴대성호 우럭조황

날씨가 생각보다 안좋아서 많이들 힘드셨을듯합니다그래도 초보분들도 열심히 해주셔서손맛보시고 가셔서 다행입니다좀더 잡게해드려야하는데 아쉽지만 씨알은 괜찮은게 제법올라와 주었네요 

+1 뉴대성호(낚시전용선)
뉴대성호 04-27 2,448
3121

4월25일 오늘의장원은 누구?

​뉴대성호장원  김태명님!광어 대물뺏지! 진상만님 축하드립니다^^ 

클럽씨남당댁
남당댁 04-26 2,121
3120

4월 23일 레드원호 다운샷

핸드폰이 문제가 있어 그나마 몇장 찍지도 못한 사진들을 제대로 복구하지도 못해 조행기를 올리지 못했습니다.1차, 2차 출조는 스텝 위주에 낚시 였기에 올리지 않았습니다.3차 출조는 23일에 이루어졌습니다.오전 해무로 날씨가 생각만큼 좋지 않았습니다.승선해주신 조사님들 모두 열심히 해주셨는데 조황은 기대에 미치지 못했습니다.너무 작은것들은 방생하고 가져 올만한 사이즈 몇마리 그나마 큰거 몇마리하고 마무리했습니다.부족한 점이 많아 죄송했습니다.더 많이 고민하고 노력해서 좋은 조황이 나오도록 최선을 다하겠습니다.16번자리에서 낚시하신 이호섭 조사님께서 마릿수 1등을 하셨고가현엄마님께서 체고가 큰 사이즈좋은 광어 2마리 조과를 올려 주셨습니다.감사드립니다.그날 같이 해주신 조사님 모든분들 고생 너무 많으셨고 감사드립니다. 

레드원호(낚시전용선)
레드원 04-26 2,115
3119

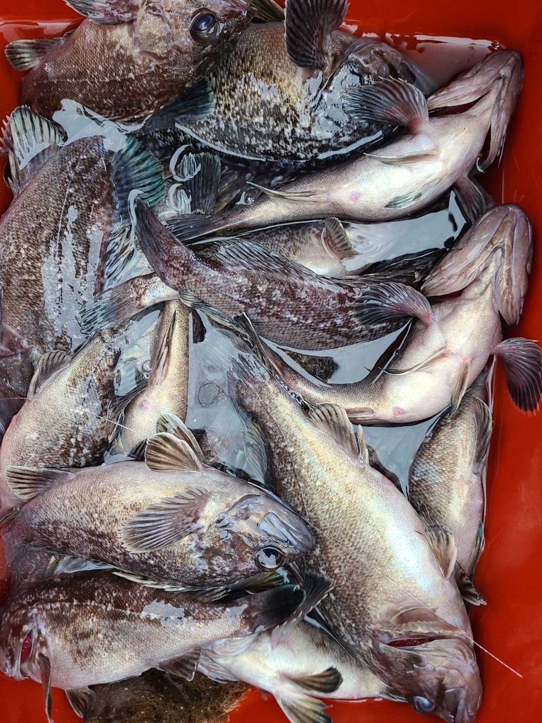
4월25일 뉴대성호 우럭조황

단체분들과 일반조사님모시고 우럭다녀왔습니다아침부터 시원찮군요많이아쉽습니다 조금이라도 더잡게 해드리려멀리까지다녀왔습니다날이안좋아서인지 만족스럽게 나오지는 않았네요그와중에갈매기님의 대광어 축하드립니다 뱃지 획득~!!내일은 비가많이와서 하루쉬고 수요일부터 출항합니다^^ 

+3 뉴대성호(낚시전용선)
뉴대성호 04-25 2,425
3118

4월 24일 대성2호 놀래미조황

  

대성2호(낚시전용선)
대성2호 04-25 2,159
3117

4월 24일 뉴해랑호 생활우럭조황

역시나 바다는 알 수가 없네요..어제와 다른 패턴..ㅋ하루종일 여기저기 돌아다니면서 포인트포인트 찍고 다녔네요...대물포인트도 있고 가끔 쏟아지는 포인트도 있고... 위안이라면 그나마 사이즈가 많이 커졌다고 해야하나...ㅎ어제와 마찬가지로 오후에 찬바람터지면서 힘들었다는..ㅠ그리고 활성도도 좋아져서 웜에도 큰우럭들이 반응을 하기 시작하네요...다음에 오실땐 다운샷채비 준비하셔도 좋을 듯 합니다.  

뉴해랑호(낚시전용선)
해랑호 04-24 2,396
3116

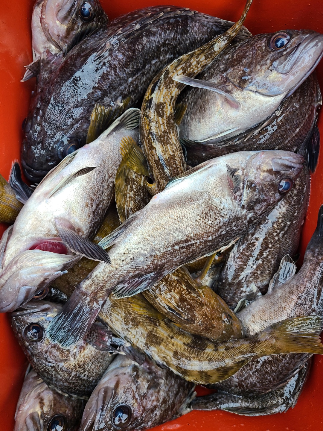
4월 24일 뉴대성호 우럭조황

안녕하세요~오늘은 짜파게티 선장 조PD입니다.어제랑 또 다르네요...오전에 씨알찾아 삼만리 오후에 마릿수찾아 삼만리 했습니다.오늘 은근히 초보조사님이 많으셔서...ㅎㅎㅎ 살려주세요^^마지막까지 열심히 해주셔서 감사합니다. 

+1 뉴대성호(낚시전용선)
조PD 04-24 2,393
3115

4월24일 오늘의장원은 누구?

대성호 이강호님대성2호 김장익님뉴해랑호 서일원님 뉴대성호 유기영님 김태훈님

클럽씨남당댁
남당댁 04-24 1,975
3114

4월 24일 대성호 12인 광어다운샷조황입니다

오늘도 대성호는 우리 손님들만 신나고 잼나게 놀다가셨네요(저는 너무 힘든 하루였네요...ㅠ)오늘은 물고기도 무시한다는 물때 무시....ㅠ어초에서 고기가 나온다는 이야기를 듣고 첫포인트를 어초로 정하고 출발~~포인트에 도착하니 친한 선장님들 두분 그리고대성호 3대뿐이라 참 좋았습니다~첫 어초에서 삑~아이고....12분중에 어초에 안걸린분은 단 두분....ㅠ 기븐이 쎄....두번째 어초 삑~ 아이고...역시나 지구와 싸우시는분들이...그뒤로 세번째..네번째...다섯번째...ㅠ 친한 선장님들은 10마리 이상씩 잡았는데 저만...열심히 지구와 싸우고 있었네요그래서 배를 한바퀴 돌면서 물어봤는데 다운샷 한번 이라도해보신분은 5섯분 7분은 다운샷 첫 경험 2분은 두세번....ㅠ어초에 고기 나온다는 소리에 어느세 배들은 많아지고...ㅠ과감히 어초를 버리고 여밭포인트로 이동 삑~ 그나마 안걸리고 한마리 한마리씩 잡아내시네요 이곳 저곳 멀리까지 가서 열심히 돌아다닌결과 우당탕도 있었고 한마리 두마리 세마리도 있었고 참 즐겁게 잘 놀다가셨네요~~~6광하신 10번 민들님 ㅊㅋㅊㅋ생애첫 낚시 오셔서 3광,2광,1광하신 조사님 ㅊㅋㅊㅋ아버지 모시고 첫 낚시 오셔서 3광하신 아들님 ㅊㅋㅊㅋ아버지도 1광 축하드립니다~~^^우리 조사님들 수고많으셨습니다~~~~애기들 방생하고 초보분들 모시고 이만큼 잡아왔습니다~내일은 대성호 대광어 탐사갑니다~자리 여유있으니 놀러오세요~~   

+2 대성호(낚시전용선)
대성호캡틴 04-24 2,145
3113

4월23일 오늘의장원은 누구?

뉴대성호 곽미정님해성호 심현서님대양호 이준성님대성2호 이용범님대성호 이봉규님레드원호 이호섭님 뉴해랑호 박재영님

클럽씨남당댁
남당댁 04-23 2,061
3112

4월 23일 대성호 광어다운샷조황입니다

오늘도 대성호는 우리 손님들과 잘 놀다왔네요 ~오늘은 아침부터 꼬이기 시작했네요...ㅠ제가 가려던 포인트에 이미 다른 수많은 배가 딱.....ㅠ그래서 미련없이 첫 포인트 버리고 이동...삑~한마리  한마리...세번째 포인트로 이동~~한번 흘리는데 히트~~히트~~더블히트~~~잠깐 우당탕탕~~그 와중에 다운샷 잘하기로 유명하신 우리 클럽씨 단손님께서 대광어 랜딩도중 이놈에 광어가 얼마나큰지 드렉을 막~~그러더니 어장줄에 걸려...ㅠㅠㅠ터지고 말았네요...ㅠ 여기 저기서 광어를 잡아내니 순식간에 배들이 많아지고 고기는 안나오고...ㅠ 대광어가 있을법한 곳으로이동 삑~~히트 그러나 올라오는 광어가 대광어가 아닌 애기광어 4마리 잡으면 3마리 방생...ㅠ  그리고 물이 안가는 틈에 어초공략  우리 조사님들 지구와싸우시는데 얼마나 죄송하던지..ㅠ 우리 조사님들 한마리라도 더 잡게 해드릴려고 하루종일 진짜 많이 돌아다녔지만 돌아다닌거에 비해 조과가 초라해서 죄송합니다...우리 조사님들 오늘 하루 정말 고생많으셨습니다~~~너무 늦게 입항하여 빨리 입항하느라 고기 정리도못했네요...ㅠ  

대성호(낚시전용선)
대성호캡틴 04-23 2,416
3111

4월23일 뉴대성호 우럭조황

오늘도 많은 초보조사님과 함께하였습니다구명조끼 새것까지 뜯어서 드렸네요^^하나하나 잡으실때마다 즐거워해주시니 감사할따름입니다아쉽게도 아침에 잡은 조황이 거의다군요 ㅠ그외에는 가끔씩 아주가끔씩나와주었네요더많이 잡게 해드려야하는데 오늘은 날이 아닌가봐요~~오늘장원은 애처가님의 사모님께서 단독선두로 뱃지의 주인공이 되셨습니다^^ 

뉴대성호(낚시전용선)
뉴대성호 04-23 1,958
3110

4월 20일 대성호 광어다운샷 탐사조황입니다

오늘도 대성호는 우리 손님들과 신나게 놀다 왔습니다 평일 탐사출조에 함께 해주신 우리 조사님들 감사합니다~이른 새벽 손님을 모시고 대물포인트로 이동~ 삑~ 잠시뒤 우현 히트~~대물임을 인지하고 선장실에서 나가는 순간  팅...ㅠ 두번째 광어는 6짜 세번째 광어는 5짜...그렇게 한두번 흘리는데 해랑호 선장님 히트~~대물을 확신하고 뜰채질 하러 바로 달려가 광어가 올라오길 기다리는데 광어가 이리째고 저리째고 줄엉킴까지 와 힘이 장난이 나니더라구요~올라온 광어 77 대광어~ㅊㅋㅊㅋㅊㅋ~~~~~잠시후 배들이 앞,뒤,옆 할거없이 너무 많이 모이내요.....ㅠ더이상 어렵다 판단하고 외만으로 go~~~포인트 도착 삑~~히트~~더블~~~그렇게 한번 흘릴때마다 한마리 두마리 세마리까지~~~그렇게 잼나고 신나게 놀다왔습니다~~~대성호는 내일 목요일 하루쉬고 금요일 정상출조합니다~   

대성호(낚시전용선)
대성호캡틴 04-20 2,195
3109

4월16일 오늘의장원은 누구?

​뉴대성호 이병기님, 지원규님

클럽씨남당댁
남당댁 04-18 2,633
3108

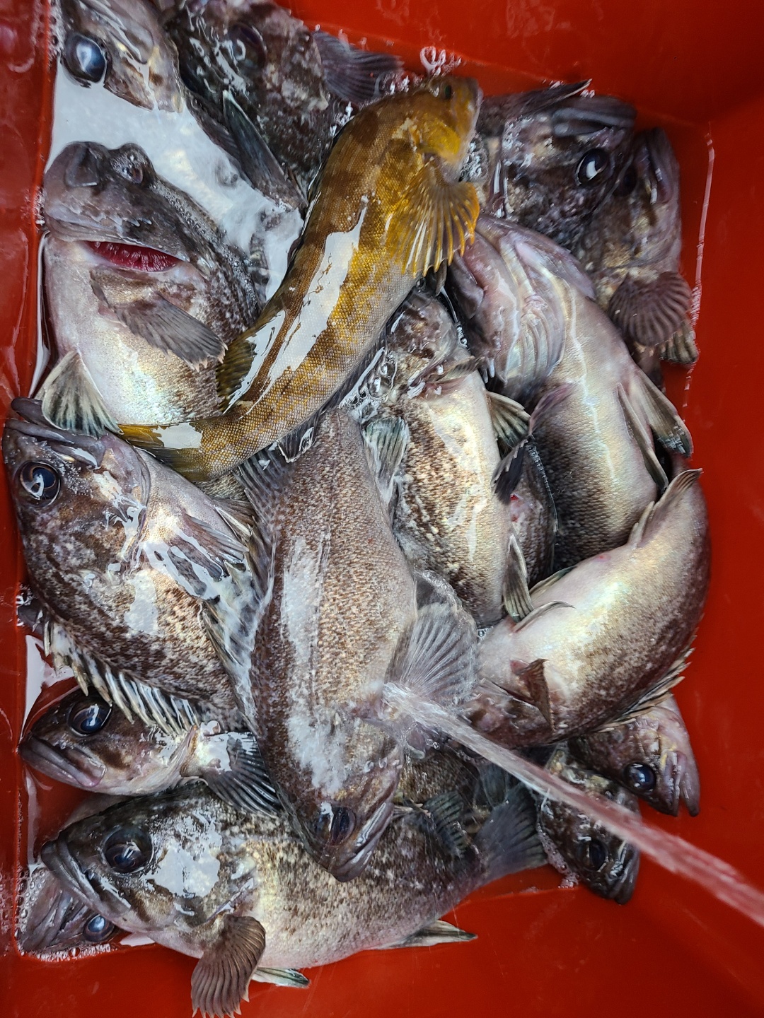
4월16일 뉴대성호 우럭조황

사리는 사리네요가는곳마다 띄엄띄엄 나오네요초보분들많으셨는데 어복폭팔하신분도계시고별로못잡으신분도계시고끝까지 열심히 낚시해주셔서 감사합니다 

뉴대성호(낚시전용선)
뉴대성호 04-16 2,659
3107

4월 15일 7인 대성호 광어탐사 조황입니다

오늘도 대성호는 우리 손님들 7분중 3분만 신나고 잼나게  놀다왔내요...ㅠ7분 모시고 잘 나왔던 포인트를 향해 출발~~~7분중에 다운샷을 해보신분은 3분...그 3분 중에서도 이제 다운샷 3번 해보신분~4번 해보신분~그리고 조PD....그래도 우리 손님들 광어 한마리라도 잡게 해드리고싶어 열심히 돌아다녔내요  그치만 배를 흘릴때마다 초보분을은 못잡으시고 다운샷 해보신 3분만 잡아내시는데  선장 마음이 영...ㅠ 거기에 더 열받는건 우리가 지나간 자리를 다른배가 뒤따라오면 2~3마리씩 잡아내는데...ㅠㅠ 암튼 힘든하루였내요조황결과 1번 박♡♡님  5광 ㅊㅋㅊㅋ3번 조 P D님   4광 ㅊㅋㅊㅋ10번 조사님    3광 ㅊㅋㅈㅋ총  15장중 한마리 방생~ㅠㅠ 광어 못잡으신 우리 손님들 얼마나 속상하실까...다음에 오시면 꼭 잡게 해드리도록 더욱더 노력하겠습니다 ~~~~~~오늘 늦게까지 진짜 고생많으셨습니다~~~~ 

대성호(낚시전용선)
대성호캡틴 04-15 2,060
3106

4월12일 오늘의장원은 누구?

​뉴대성호 김종성(0624)님 축하드립니다^^ 

클럽씨남당댁
남당댁 04-14 2,379
3105

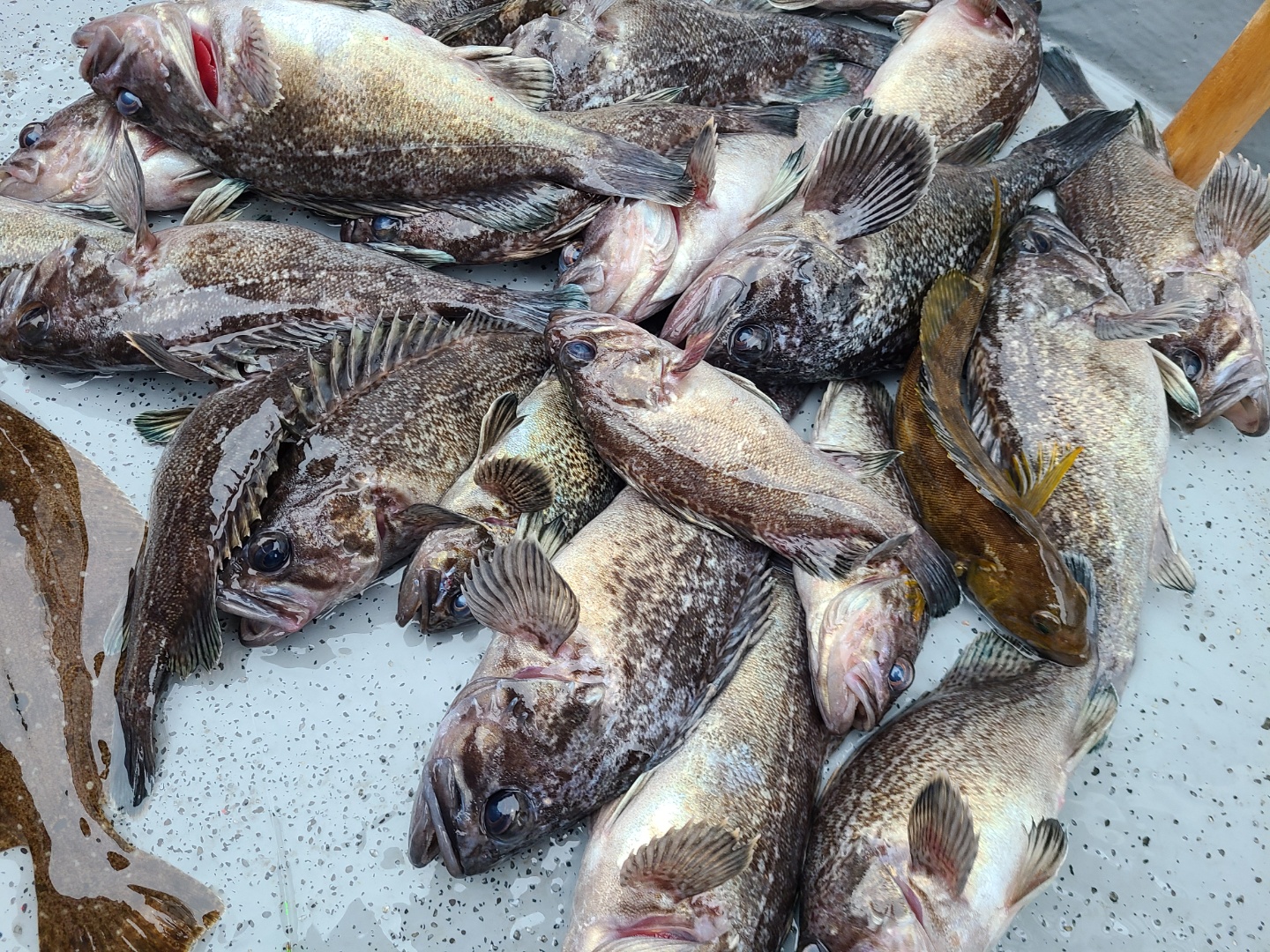
4월12일 뉴대성호 우럭조황

날씨가 꾸리꾸리합니다~별로 안나오는듯했는데하루종일 꾸준히 나와주네요초보분들도 많으셨는데 열심히 잡아주셔서 감사합니다^^ 

+1 뉴대성호(낚시전용선)
뉴대성호 04-12 2,637