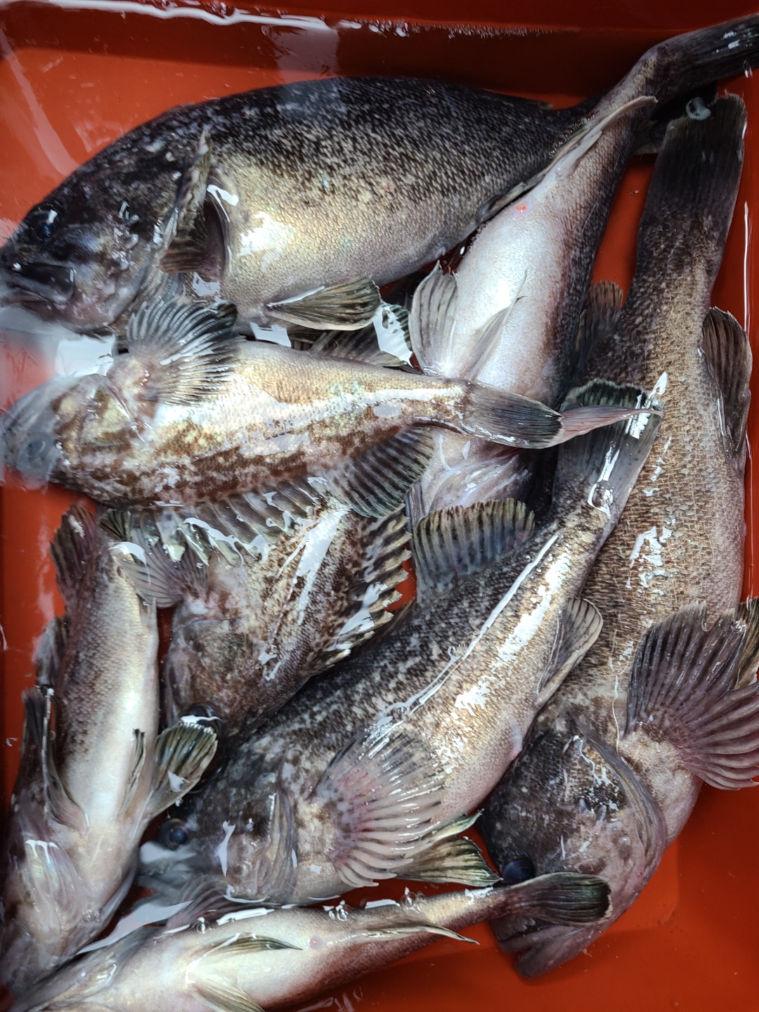
[뉴대성호(낚시전용선)] 4월9일 뉴대성호 우럭조황

  • 뉴대성호
  • 0
  • 2,325
  • 글주소
  • 04-10

우럭첫낚시부부조사님 초보조사님이 많이 놀러와주셨는데


날씨가 좋지않아 아쉽게 잡고 들어왔네요


한마리라도 더잡게 해드리고자 사방팔방 돌아다녔지만


잘나오지도않고 줄도 많이 날리고 힘든하루였군요


조과차이도 많이나는군요


많이 아쉬운하루

  




















 

조황정보

번호 제목 글쓴이 날짜 조회수
3104

4월11일 뉴대성호 우럭조황

물때도 좋건만 몇일간 바람이쎄서그런가시원찬습니다하루종일 아쉬웠는데그래도 제법 잡아주신것같아 조금이나마 위안이되네요더잡게 해드려야하는데 아쉽습니다대성호선장님이 열심히 잡아서 나눔감사드립니다^^ 

뉴대성호(낚시전용선)
뉴대성호 04-11 2,254
3103

4월10일 오늘의장원은 누구?

대양호 임재봉님 대성2호 김장익님뉴대성호 임삼제님뉴해랑호 전영식님대성1호 양동욱님 대성1호 최이두님

클럽씨남당댁
남당댁 04-11 2,219
3102

4월 10일 뉴해랑호 생활우럭조황

어제의 바람이 아직 조금 남아있어서 그런지 오늘도 그리 좋치는 않네요..그래도 가끔 쓸만한 놈들도 나와주고.. 어제보다는 나은 하루였습니다.역시나 광어? 광애두 두마리 나오구...ㅋㅋ손님중 14분이 단체로 오신 분들이라 생초보분들도 많았는데한마리한마리 잡으시면서 너무 즐겁게 보내셨네요...ㅎㅎ수고들 많으셨습니다... ^^ 

뉴해랑호(낚시전용선)
해랑호 04-11 2,449
3101

4월 10일 대성2호 놀래미조황

 

대성2호(낚시전용선)
대성2호 04-10 2,551
3100

4월 10일 대성호 광어탐사 조황입니다

4월 10일 대성호 광어탐사조황입니다 일단 어제 오신 분들께 죄송합니다...간신히 두자리수 조황은 했지만 넘 죄송합니다...ㅠ오늘 오신분들은 즐겁게 잘 놀았죠...ㅋ광어도 적당히 나오고 우럭도 적당히 나오고~^^싸이즈도 광어도 나오고~~^^22년 광어 마릿수 1등 5광 하신 민들님 축하합니다~^^출조는 평일 출조가 쵝오~ 마릿수 손맛을 원하십니까?그럼 평일 출조 하세요~기름값이 어마무시 하지만 7인이상 무조건 출조합니다~~그렇다고 6섯명은 출항안하는거 아닙니다~  항상 최선을 다하는 대성호가 되겠습니다~~^^   

대성호(낚시전용선)
대성호캡틴 04-10 2,176
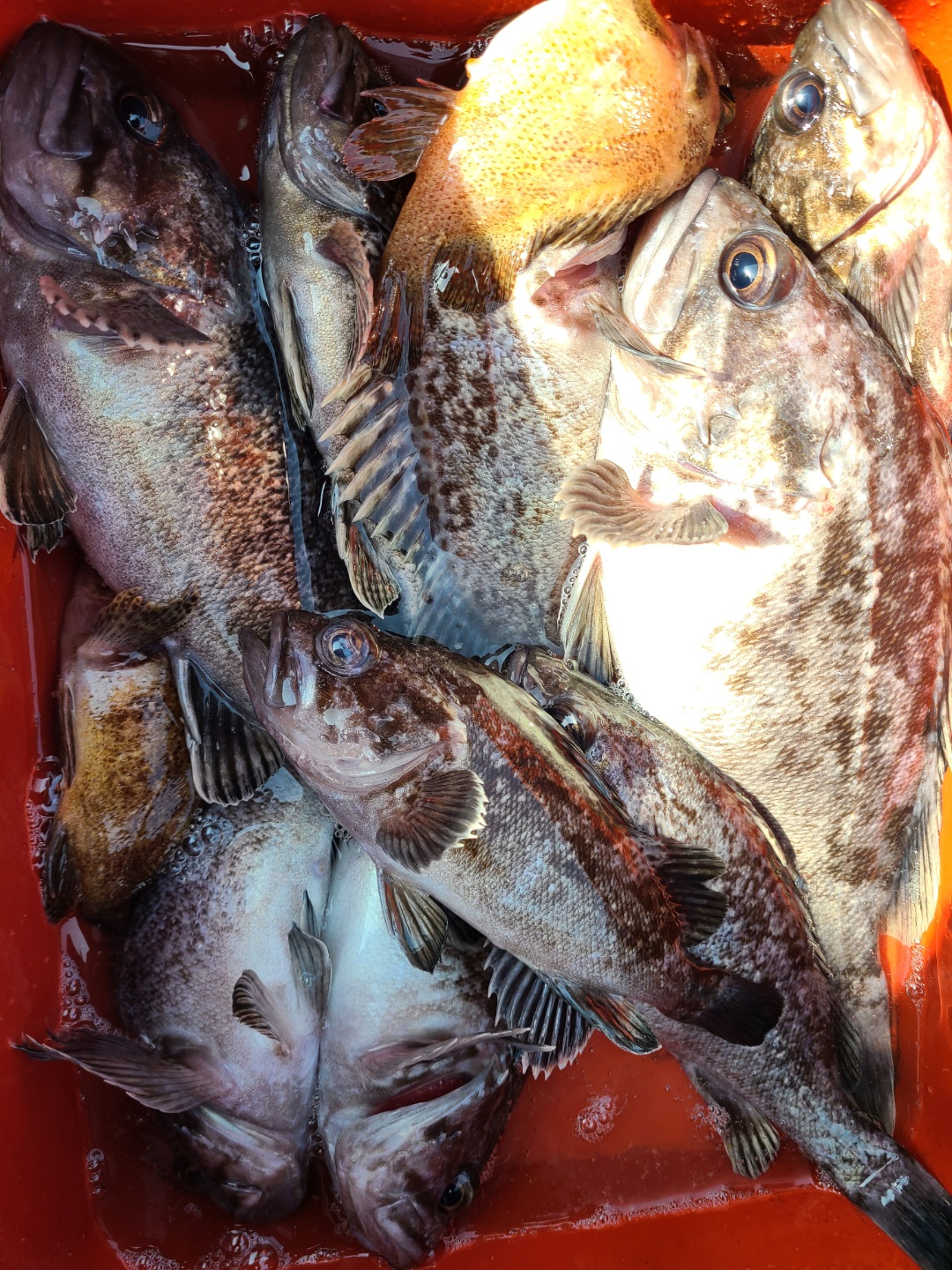
3099

4월10일 뉴대성호 우럭조황

안녕하세요~뉴대성호 짜파게티 슨장 조PD입니다. 22년도 첫 선장출조인데오후에 너무 안나왔어요^^;참 송구합니다! 월요일 화요일 뉴대성호 출조합니다!!! 

뉴대성호(낚시전용선)
조PD 04-10 2,325
3098

4월9일 뉴대성호 우럭조황

우럭첫낚시부부조사님 초보조사님이 많이 놀러와주셨는데날씨가 좋지않아 아쉽게 잡고 들어왔네요한마리라도 더잡게 해드리고자 사방팔방 돌아다녔지만잘나오지도않고 줄도 많이 날리고 힘든하루였군요조과차이도 많이나는군요많이 아쉬운하루   

뉴대성호(낚시전용선)
뉴대성호 04-10 2,326
3097

4월9일 오늘의장원은 누구?

대성1호 백성진님대성2호 이정근님대양호 김희영님뉴해랑호 박동욱님 뉴대성호 임영철님모두모두 축하드립니다.!오늘 똥바람에 버텨주셔서 감사합니다.

클럽씨남당댁
남당댁 04-09 1,792
3096

4월8일 오늘의장원은 누구?

뉴대성호 차정수님! 대물뱃지!  이용범님 우럭 55cm  내만우럭낚시에서 우럭 보스를 잡았네요^^ 

클럽씨남당댁
남당댁 04-09 1,882
3095

4월 9일 뉴해랑호 생활우럭조황

요즘 주말만 되면 날씨가 안좋아져서 큰일입니다.수온도 오르고 물때도 좋아서 오늘은 좀 나오리라 생각했는데생각지도 않은 바람이 부네요그래도 어제 조황이 좋았다니 희망을 가지고 출조..일단 역시나 조황은 썩 좋지는 않았구여...꾸준히 잡히기는 하는데 씨알 적은 것도 많고 마리수도 물때치고는 충분치는 않네요..바람이 심하게 불어서 줄도 많이 날리고 엉키기도 하고...^^매번 드리는 말씀... 물때는 하등 상관없구...그냥 날씨좋은 날이 조황이 좋네요..ㅎㅎ그래도 즐겁게 시간 보내구 가신 듯 해서 감사하구여...담에 날씨 좋은 날 오셔서 많이많이 손맛보셨음 좋겠네요.. 

뉴해랑호(낚시전용선)
해랑호 04-09 1,947
3094

2월 오늘의 장원은 누구?

2월 11일 대성호 김종성님!2월12일 대성호 정운열님!!2월 25일 대성호 이화준님!!! 모두모두 축하드립니다.~^^ 

클럽씨남당댁
남당댁 04-08 1,980
3093

4월 8일 13인 대성호 광어탐사 조황입니다

2022년 세번째 탐사 다녀왔습니다 오늘도 대성호는 우리 손님들과 신나게 놀다 왔습니다 ~새벽에 대성호 승선하시는 손님과 샾에서 만났는데 채비와 봉돌을 얼마나 준비해야 하나요 물어보셔 어초를 갈 생각에 20개씩은 준비하세요~했는데....정작 어초는 가지못했내요..저때문에 채비를 많이 준비하셨을텐데...죄송합니다~생각과 다르게 포인트를 잡고 포인트 마다 한마리 한마리 때로는 두마리~세마리 그렇게 재미지게 놀다왔내요~그러나어초로 포인트를 잡았으면 더 신나게 놀수도 있었는데 조금은 후회스럽내요...ㅠ13번 조사님 4광 축하드립니다~17번 조사님 4광 축하드립니다~19번 조사님 4광 축하드립니다~9번,10번 부부조사님 4광 축하드립니다~(각각2광)그외 3광 2광 1광 모두모두 축하드리며 손맛 못보신 3분 조사님께는 넘 죄송하내요...담에 꼭 복수하러 오시면 많이 잡으실수 있도록 노력하겠습니다~ 

+1 대성호(낚시전용선)
대성호캡틴 04-08 2,301
3092

4월8일 뉴대성호 우럭조황

내만에서 55짜리 우럭이 똭~!대물뱃지 축하드립니다^^잘잡으신분들 꽤잡아주셨구요초보분들도 그럭저럭잡아주었네요조금은 아쉽지만 물때가 깡패네요^^내일은 조금 어려운낚시일수있으니바람쎄러오신다 생각하고 마음좀 비우고오시면 좋을듯합니다 

뉴대성호(낚시전용선)
뉴대성호 04-08 2,271
3091

3월~4월 우럭탐사 현장영상 (뉴대성호)

안녕하세요~ 조PD입니다.3월부터 출조한 내만우럭탐사에서 영상을 짬짬히 찍어한편으로 만들어봤습니다~클릭!!https://youtu.be/QQKx5DPYPJohttps://youtu.be/QQKx5DPYPJo 클릭!!우럭들이 눈에 아른아른하신가요? 내만우럭, 중외만우럭, 다운샷 탐사는클럽씨피싱!!!감사합니다. 

뉴대성호(낚시전용선)
조PD 04-07 1,755
3090

4월 3일 뉴해랑호 생활우럭조황

오늘도 10분 모시고 출조나갔다 왔습니다..갑자기 기온이 떨어지고 해무가 심해서 그런지 어제랑은 또 다른 양상이네요...여기저기 부지런히 쏘다니면서 마리수 채우러 다녔습니다.사릿물에 오후엔 바람까지 터지면서 오후물때까지 보구 들어올까 했던 계획은 뒤로 접구...아쉽게 들어왔습니다.ㅜ 

뉴해랑호(낚시전용선)
해랑호 04-03 2,482
3089

4월 3일 대성호 광어탐사조황입니다

2022년 두번째 광어탐사조황입니다 오늘은 우리 조사님들 즐겁게 잘 놀다가셨습니다~첫 포인트를 어제와 다르게 잡고 출발~~가는 길에 한군데 찍어봤는데...꽝..ㅠ 다시 20분 이동 삑...생명채 무...ㅠ 다시 15분 이동 배들이 앞에도 옆에도 뒤에도...많이보여 광어좀 나오려나 하고 기대를 하며 삑~~잠시뒤 히트~~....애럭이 올라오고 잠시뒤 히트~~간신히 킵싸이즈 광어 한마리가 올라왔내요그 뒤로 두번이나 더 흘려봤지만 얼굴을 보지못했고 주변배들도 역시 한마리도 못올리고 있는 상황  그래서 다시 포인트 이동~ 일단 주변에 배가 없어서 좋았습니다~ 삑~잠시뒤 히트~더블~쓰리~~포히트~~~싸이즈 좋은 우럭과 광어 한마리가 올라오내요~~그뒤로 한번 흘릴때마다 광어가 한마리씩 올라와주었고 우럭들도 애럭 부터~4짜까지 다양하게 올라와 즐겁게 낚시를 할수 있었고 물이 멈추는 시간이 조금 빨라 점심을 일찍먹고 점심 먹고난 후로도 우럭들은 꾸준히 올라와 주었으며 광어는 한마리 한마리 어쩌다 두마리 잡으며 즐겁게 낚시를 이어가는데 바람이...똥바람이 불어대고 너울도 심해져 낚시하기 힘든 상황이라 철수할수밖에 없었내요~그래도 우리 손님들 회맛은 다들보실수 있을만큼 잡아가셔 참 다행입니다~너울과 바람에 수고 많으셨습니다광어 마릿수는 총 18장 킵은 15섯장 3마리 방생우럭 그냥 잘나와었습니다~3번   구♡♡님 3광 축하드립니다 10번 민들님     3광 축하드립니다2광,1광하신 모든분들 축하드리고, 광어 손맛은 못보시고 4짜 우럭 손맛보신분들도 축하드리며 다음번엔 광어 손맛보실수 있도록 제가 더 열심히 노력하겠다   

대성호(낚시전용선)
대성호캡틴 04-03 2,504
3088

4월 2일 뉴해랑호 생활우럭조황

2022년 정식 첫 출조 다녀왔습니다...^^오늘은 오랜 단골분들 독배....독배인지라 8시반쯤 출항했네요..사릿물인데다 11분중 8분이 생애 첫 낚시....ㅎ손맛이라도 다들 보여드려야 되는데 하는 부담감으로 나갔는데 첫 포인트부터 나름 곧잘 나오네요...저보다 다들 맘이 넓으셔서 그런지 한마리한마리 잡으실때마다 너무 즐거워 하셔서 저도 좋은 날이었습니다.낚시객보다는 야유회 느낌인지라 물이 돌면서 뜸해지자 바로.. 식사시간..점심은 항구에 입항해서 배 묶어 놓고 우럭매운탕 끓이시고.. 회도 뜨시고... 댁에서 싸오신 맛있는 반찬도 꺼내 놓으시고..심지어 편의점에 물건도 사러다녀오시고...다들 넉넉한 가슴을 가지셔서 그런지 두세시간 그렇게 후딱ㅋ역시 배에서 먹는 매운탕은 진리더군여..마지막에 잠깐 나가서 몇마리 더 잡고 들어오셨네요...제가 낚시하면서 이런 분들은 처음인듯...ㅎㅎ덕분에 첫 출조부터 조사님들이 손수 잡아 대접해주신 점심 맛있게 먹었구여...기분좋은 2022년 시작을 열어주셔서 감사했습니다...사무장님도 우럭 회뜨고 손질하시느라 고생많으셨어요..^^ 

뉴해랑호(낚시전용선)
해랑호 04-02 2,131
3087

4월2일 뉴대성호 우럭조황

역시 사리는 사리이군요다들 알고오셨다지만많이잡게 해드려야하는데 많이 아쉽네요좋은 물때에 다시뵐께요^^내일은 해랑호 출조합니다 놀러오세요^^사리라고는 하지만 먹을만큼은 나와요~~  

뉴대성호(낚시전용선)
뉴대성호 04-02 2,260
3086

4월 2일 대성호 광어탐사조황입니다

2022년 대성호 첫 광어탐사 조황입니다 첫 포인트를 향해 출발~~~1시간 가량 이동하여 광어 찾아 이곳 저곳 그곳까지 찍어봤는데 광어 얼굴은커녕 우럭 놀래미까지도 한마리 얼굴을 볼수없었내요...그래서 다시 1시간이동...그나마 이곳은 광어가 가끔 얼굴을 보여줘 얼마나 다행이던지...ㅠ 그런데 아직 바다수온이 안정이 안돼서 그런지 입질이 예민한거 같습니다입질받고 올리다 빠지고 다올라와서 빠지고 에휴...ㅠ그나마 선수분들은 잘 잡아내셔 이만큼 잡아왔내요...ㅠ12번 조사님 3광 축하드립니다20번 조사님 3광 축하드립니다3번,11번   조사님 2광에 축하드립니다~1번 조사님 1광 축하트립니다~1번,10번 조사님 싸이즈 좋은 광어 다 올라와서 얼굴만 보고 빠이빠이....ㅠ 넘 아쉬워 마시고 다음번엔 대광어 잡아가세요~오늘 오신 우리 손님들 탐사하시느라 고생많으셨습니다~다음번엔 양손 무겁게 가실 수 있게 최선을 다해 노력하겠습니다  

+4 대성호(낚시전용선)
대성호캡틴 04-02 2,211
3085

3월28일 뉴대성호 우럭탐사조황

몇일간 바람이불어서 잘나와주진않군요하루종일 낱마리 줍고 나머지공부까지 하고 들어왔네요수요일 마지막탐사갑니다^^ 

뉴대성호(낚시전용선)
뉴대성호 03-28 2,558