오늘도 대성호는 우리 손님들과 신나게 놀다 왔습니다 ~
오늘도 대성호는 우리 손님들과 싸이즈 좋은 우럭을 찾아 멀리 다녀왔습니다 ~


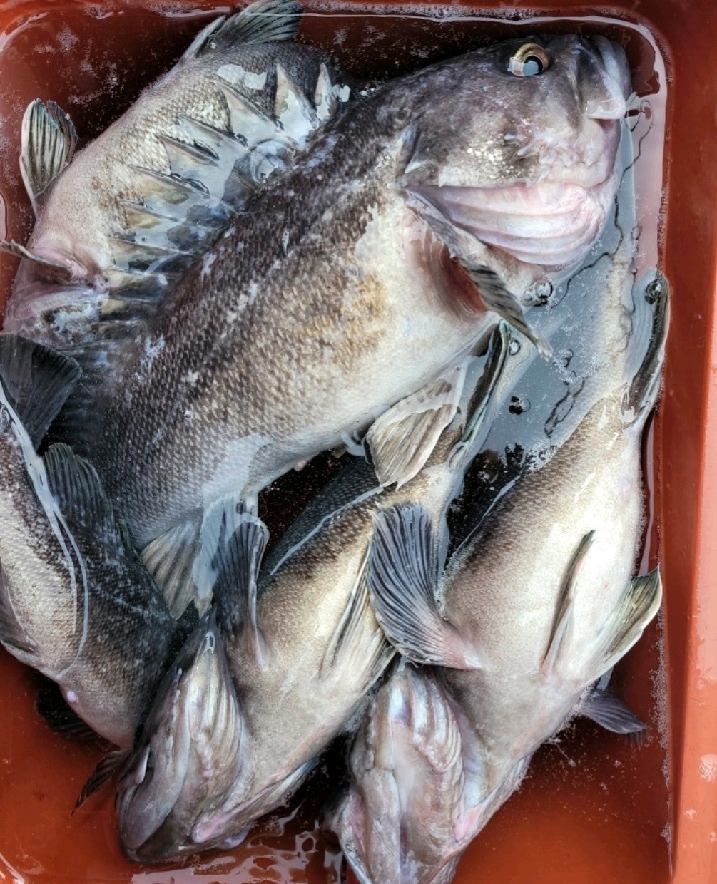
첫 포인트에서 첫 우럭이 올라오는데 싸이즈와 빵이 장난이
아니네요 5짜 개우럭~ㅊㅋㅊㅋ~~^^
그리고 이어서 올라오는 녀석들도 싸이즈가 아주 준수합니다
그런데 마음이 불안해지기 시작합니다.....?
대성호 징크스 첫 고기가 대광어 이던가 개우럭 이면 그날은 이상하게 힘든하루를 보내더라구요....ㅠㅠ
첫 포인트에서 몇마리 잡고 다음 포인트로 이동 아....이게 왠일입니까..그동안 안보이던 애럭이 그것도 쌍걸이에 여기 저기서 올라오기 시작하는데...두번째 포인트 마찬가지..마릿수로 포기하고 그냥 확 포인트 버리고 대물 포인트로 이동~~
삑~~~잠시뒤 싸이즈 좋은 3짜~4짜~5짜~ 우럭이 한마리 한마리 올라오기 시작합니다~ 마릿수 버리고 큰거 잡으러 간게 얼마나 다행이던지요~~다들 싸이즈 좋은 놈들로 드실만큼은 잡아가신듯 하여 다행입니다~~~오늘 정말 고생많으셨습니다~
손님고기로 4짜 5짜 광어잡으신분 축하드립니다~~~

















열기 싸이즈가~~~3짜우럭만하내요~^^


