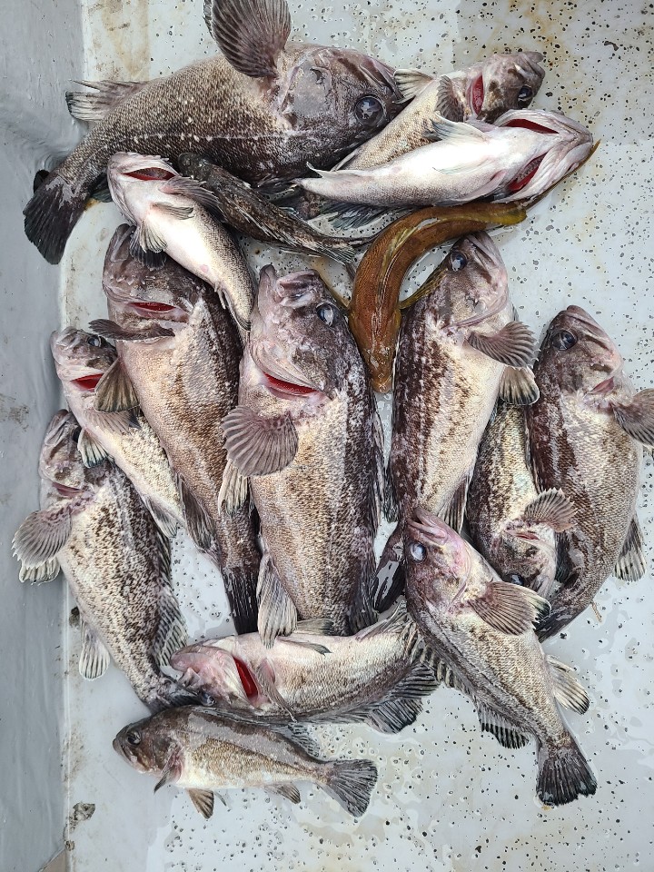
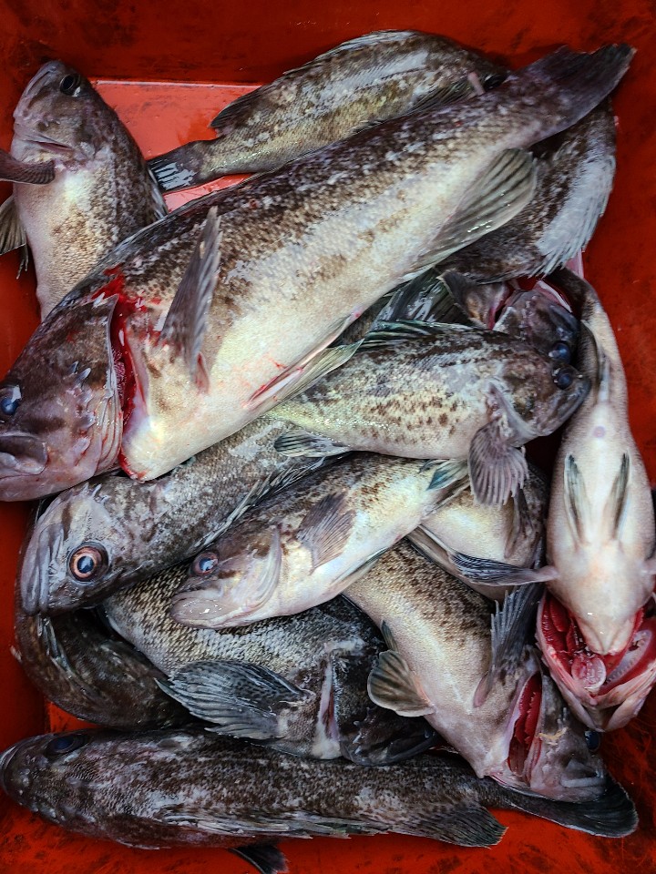
[뉴대성호(낚시전용선)] 12월14일 뉴대성호 우럭조황

  • 뉴대성호
  • 0
  • 2,655
  • 글주소
  • 12-15

많은초보분들과 다녀왔습니다^^


별기대없이 나갔는데 쏠쏠하게 나와주네요


날씨만 좋았다면 좀더편하게 좀더 잡았을텐데 아쉽네요~


즐겁게 놀다가셨길 바랍니다^^



















 

조황정보

번호 제목 글쓴이 날짜 조회수
5664

3월 1일 대성호 먼바다 다잡아 조황입니다

오늘도 대성호는 우리 손님들과 잘 놀다왔네요 어제에 기억을 가지고 신나게 달리는데 아....얼마기지못해 제네래다 벨트가 터져 가는길을 멈추게하네요...그래도 운항하는데는 당장 지장없고 전기를아껴사용하면 오늘은 충분할듯해 그냥 달려봅니다~~~어제 잘 잡았던 첫 포인트부터 다른배가 이미 도착해 낚시를하고있고...다른배와 함께 낚시를 했는데 어제보다는 상황이 영~ 별로라 더 멀리 달려 싸이즈 좋은 우럭 놀래미 광어잡고 그냥그냥 잘 놀다왔습니다~우리 조사님들 큰 기대하시고 오셨을텐데어제보다 절반밖에 못잡게해드려 넘 죄송합니다장원: 8번자리  고♡서님 총 12수 축하드립니다~PS: 다음주는 사릿물때라 쉬고 다 다음주에 조금물에날씨만 좋으면 손님들이 몇분이든 열심히 달려보겠습니다오늘도 대성호를 찾아주셔서 너무 감사드립니다~  

Hot 대성호(낚시전용선)
대성호캡틴 03-01 374
5663

2월 28일 대성호 먼바다 다잡아조황입니다

오늘도 대성호는 우리 손님들과 완죤 신나게 놀다왔습니다~오늘은 여성파워가 대단했던 하루였던거 같습니다생애 첫 낚시하신 좌현 세분중 두분이 여성분인데 랜탈대 가지고 3짜 4짜 쌍걸이에 방맹이 놀래미에 정말 대단했고우현에 내일 또 타시는 여성분도 잡았다하면 개우럭에, 3짜 쌍걸이를 하시니 옆에 계셨던분들이 얼마나 부러워 하시던지...ㅋ 암튼 재미지게 잘 놀다왔네요~~   장원 : 유♡영  23수 축하드립니다~~~대부분 10여수이상 하셨습니다~싸이즈는 5짜 4짜 3짜~거기에 참우럭까지물론 작은것도 있습니다~ 

Hot 대성호(낚시전용선)
대성호캡틴 02-28 210
5662

2월 14일 대성호 먼바다 다잡아 조황입니다

26년 첫 출항 다녀왔습니다 ~모처럼 날씨도 좋고  물때도 우럭 잡기 좋은물때라우리 손님들 모시고 멀리 우럭 잡으러 다녀왔네요~조황을 떠나서 오랜만에  바다에 나가니 넘 좋은하루였습니다잘 잡으신분은 9마리 못잡으신분은 3마리~5짜 개우럭도 나와주고 우럭싸이즈는 전체적으로 괜찮은편이었습니다~  그리고 이 시기에 보기힘든 광어도  4마리나와주었습니다~    

Hot 대성호(낚시전용선)
대성호캡틴 02-15 367
5661

12월12.13.14.27.28일 오늘의 장원

12월 12일 수나2호 정원석님(경민지 명예)12월 12일 뉴대성호 조원석, 봉하정, 홍순일, 김석형님12월 13일 대양호 조현효님12월 13일 뉴대성호 이정호, 구기성, 김성환, 오창렬, 이민우, 홍순일, 박인숙, 정형석, 김기동, 정재영, 박선희, 김두환, 김원준, 한태준, 박상열, 유기영, 안재홍, 동방억, 김주환님 12월 13일 수나2호 정광수님12월 27일 뉴대성호 이민우님(장원2),  12월 28일 뉴대성호 구기성님(장원2)

클럽씨남당댁
남당댁 12-30 307
5660

12월28일 뉴대성호 주꾸미졸업식마지막

25년 주꾸미졸업식 마무리잘했습니다한해 정말정말 감사드립니다올해마지막 장원은 갓기성님께서23수대부분10수오버 한팩씩잡아가셨네요어제도 운이좋아 조금은 잡을수있었는데오늘은 더 잡을수있어서 다행이였네요3월말쯤 봄쭈탐사부터 다시뵐께요~^^ 

뉴대성호(낚시전용선)
뉴대성호 12-28 500
5659

12월27일 뉴대성호 주꾸미졸업식 1일차

잘마무리하였습니다 

뉴대성호(낚시전용선)
뉴대성호 12-28 235
5658

12월 27일 대성호 먼바다 8인우럭조황입니다

오늘도 대성호는 우리 손님들과 잘 놀다왔네요 오랜만에 꼬리달린거 잡으러 다녀왔네요~기상예보와는 전혀 다르게 바람도 많이불고 너울 때문에 포인트 진입도 어렵고....ㅠ손바닥 만한거 잡자니 자존심이 상하고...ㅠ그래서 자존심 지키고 큰놈 잡으러 여기저기 많이 돌아다녔네요~~~~오늘에 최대어 김♡권님 축하드립니다싸이즈는 사진으로 감상하시죠~~~인생 우럭잡았다고 좋아하시네요~~~대성호는 1월~~~2월~~~3월~~~쭉~~~ 기상만 허락한다면 5인이상 무조건출조합니다 예약자가 없다고 망설이지 마시고 예약해주세요~~남당댁과 제가 어떻게든 5인이상만들겠습니다~~~~  

대성호(낚시전용선)
대성호캡틴 12-27 292
5657

12월15일 뉴대성호 주꾸미조황

누락되었던 조황올립니다...내일 마무리 졸업식 2일차입니다~잘나오지않으니 편하게 놀러오실분만 오세요~~추천드리지는 않습니다^^;; 

뉴대성호(낚시전용선)
뉴대성호 12-27 187
5656

12월13일 뉴대성호 주꾸미조황

오전에는 전날보다 잘나와주는것같아서 다행이라 생각했지만오후에 예보보다 급악화로 조금일찍마무리했습니다비도오고 날도추워서 더이상진행이 무의미했습니다다들비슷하게 잡아주셨네요~내일은 기상악화고 월요일 마지막출조로합니다날씨좋으면 말쯤에 졸업식이벤트출조 할수도있습니다^^ 

뉴대성호(낚시전용선)
뉴대성호 12-13 653
5655

12월12일 수나2호 주꾸미 조황사진입니다.

저희수나2호를 찿아주신 조사님들께 감사드립니다. 오늘도 수고 많이 하셨습니다. 12월12일 수나2호 조황사진입니다.  주꾸미 잡고왔습니다...  

수나2호 12-12 451
5654

12월12일 뉴대성호 주꾸미조황

급추워지긴했네요~~9월10월11월은 작년보다 잘나와주었지만12월만큼은 작년보다 덜나오네요대부분 20~47수를 잡아주셨습니다오늘도 역시 20수이하 잡으신들도 계셨습니다 15...17..17..18 등등첫낚시하신분도21마리나잡아주셨습니다내일은 오늘보다는 좀더 나와주긴할것같네요 

뉴대성호(낚시전용선)
뉴대성호 12-12 366
5653

12월 5.6.7.10일 오늘의 장원

12월 5일 뉴대성호 양한성, 양재훈, 문재영님12월 6일 뉴대성호 구기성, 서성원, 김선필님12월 7일 뉴대성호 이정호, 임장현, 김종호님 12월 10일 뉴대성호 김병현, 홍순일, 나근장, 한혜성

클럽씨남당댁
남당댁 12-10 266
5652

12월10일 뉴대성호 주꾸미조황

이제 시즌이 끝나가나봅니다잘나오진않습니다이번조금물때에 한번은 잘나와줄듯은합니다대부분20~39를 잡아주셨습니다20수이하도 몇분계셨습니다 16..17..18..등등 

뉴대성호(낚시전용선)
뉴대성호 12-10 419
5651

12월7일 뉴대성호 주꾸미조호아

또또 죄송합니다 ㅠ겨울에 이렇게 안나오질않았는데...9월10월11월 너무잘나와서 그런건지...오전반만하고 입항하였습니다정원은20수오바정도였습니다사리물때는 이제 출조하지않습니다2일간 정비하고 좋은물때만 출조합니다추위가 안정화되면 나와줄것같습니다수요일부터 인원수 상관없이 출조합니다 

뉴대성호(낚시전용선)
뉴대성호 12-07 597
5650

12월6일 뉴대성호 주꾸미조황

오늘도 죄송합니다....날씨가좋지않아 해보는데까지해보고일부환불후 조기입항하였습니다고생많으셨습니다 

뉴대성호(낚시전용선)
뉴대성호 12-06 483
5649

12월5일 뉴대성호 주꾸미조황

죄송합니다 ㅠ내일 더잡아볼께요날씨는 괜찮은 편이였으나 대사리에 추운날씨라 쉽지않았습니다대부분 23~41수를 잡아주셨습니다 

뉴대성호(낚시전용선)
뉴대성호 12-05 401
5648

11월26.28.29.30.12월1일 오늘의 장원

 11월 26일 뉴대성호 양한성, 김은철님11월 26일 대성1호 노재성님11월 26일 수나2호 이성원님11월 26일 블루원호 나근장님 (이혜진 명예)11월 28일 블루원호 홍순일님11월 28일 수나2호 이승학님11월 28일 대성호 선순보님11월 28일 뉴대성호 조현효, 구기성, 김상호님11월 29일  대성1호 조현효님 11월 29일 대성호 방원일님11월 29일  수나2호 김동현님11월 29일  뉴대성호 구기성님11월 29일  마린호 김병현님11월 29일  블루원호 김상호님11월 29일  화성호 안재홍님11월 29일 대양호 민현기님11월 30일 마린호 김병현님11월 30일 블루원호 조현효님11월 30일 대성1호 오원재님11월 30일 대양호 안재홍님11월 30일 수나2호 장명진님11월 30일 대성호 이진영, 김상호님11월 30일 뉴대성호 오창렬, 이민우님 12월1일 뉴대성호 오원재, 김은철, 양한성님

클럽씨남당댁
남당댁 12-01 324
5647

12월1일 뉴대성호 주꾸미조황

12월첫출조 바람이 좀있었지만 꾸준히나와주네요안나오는시간에 좀찾아볼까 돌아댕긴게 손해라면 손해이네요큰조황은 아니지만 평균조황은 괜찮은 편이였네요사리는 마지막출조 금토일월 출조합니다^^그후로도 얼죽쭈이벤트 날씨만좋으면 출조합니다70~80 3분60~70 2분50~60 6분40~50 6분40이하도 3분 첫낚시33수 

뉴대성호(낚시전용선)
뉴대성호 12-01 516
5646

11월 30일 마린호 쭈조황입니다

오늘도 마린호는 즐겁게 다녀왔습니다 오전부터 잘 자오지않는 쭈와 숨바꼭질을 하고다녔네요 오늘은 마린호가 졸업식을 마치고 가을 쭈시즌을 무사히 종료하게되었네요 찾아주신 조사님들 넘 감사드리고 마지막까지 함께 해주셔서 너무 감사드립니다오늘 장원 90수로 마무리했으며 다른분들은 20~60수 정도로 마무리했습니다 오늘도 수고하셨습니다 오늘의 장원 김*현님 축하드립니다 오늘또한 간식 ㅎㅎ 감사합니다  

마린호
마린호선장 11-30 403
5645

11월30일 뉴대성호 주꾸미조황

오늘도 사과에 조황을 올립니다대부분 40수전후를 잡아주섰습니다 ㅠ그래도 장원은 93수내일까지 출조하고 기상이좋지않아 배정비후 다음주 금토일 마지막사리출조합니다잘하시는분 70~80수 보통 40~50수목표로 놀러오시면될듯하네요 

뉴대성호(낚시전용선)
뉴대성호 11-30 478