오늘도 대성호는 우리 손님들과 완죤 신나게 놀다왔습니다
오늘은 첫 포인트를 먼~~~바다로 정하고 출발~~~
2시간여를 열심히 달려 포인트 도착 삑~.....수심 40m 깊은 수심만큼 싸이즈 좋은 우럭을 기대했지만 생명체....무...
10여분을 더 달려 포인트 도착 수심 50m 수심 깊이만큼 5짜가 나오길 바라며 삑~~.........생명체....무....이런 큰일이다..
중외만은 우럭이 나온다는데...조금 더 달려봅니다~세번째
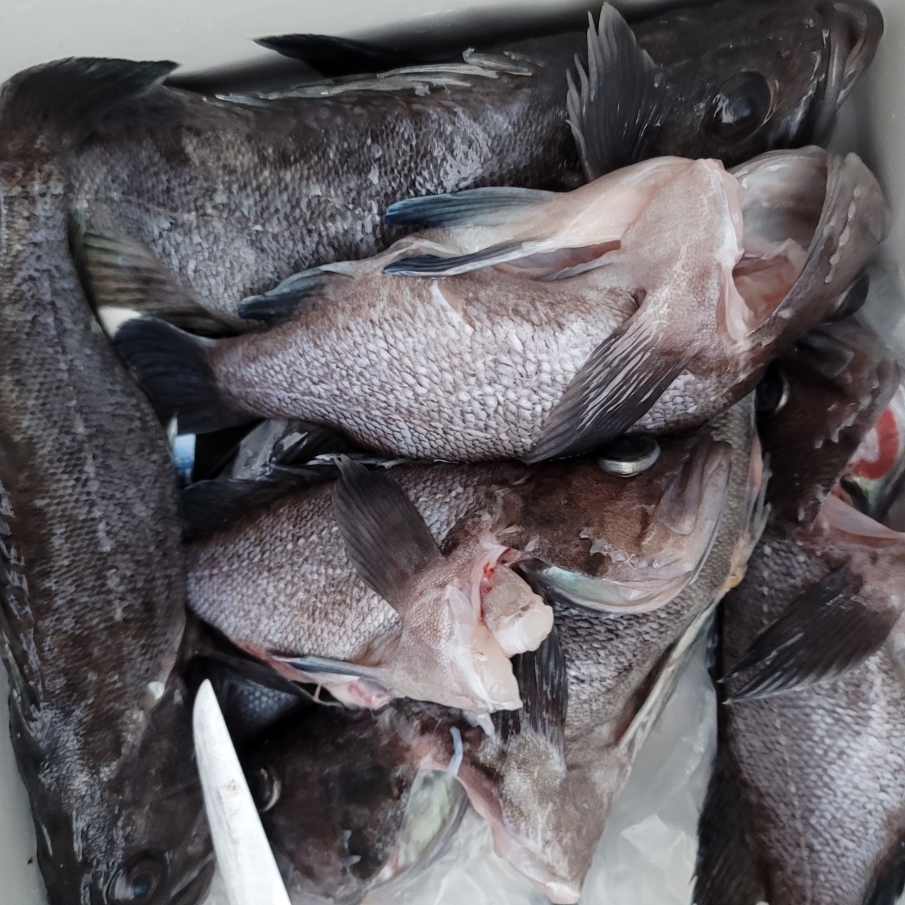
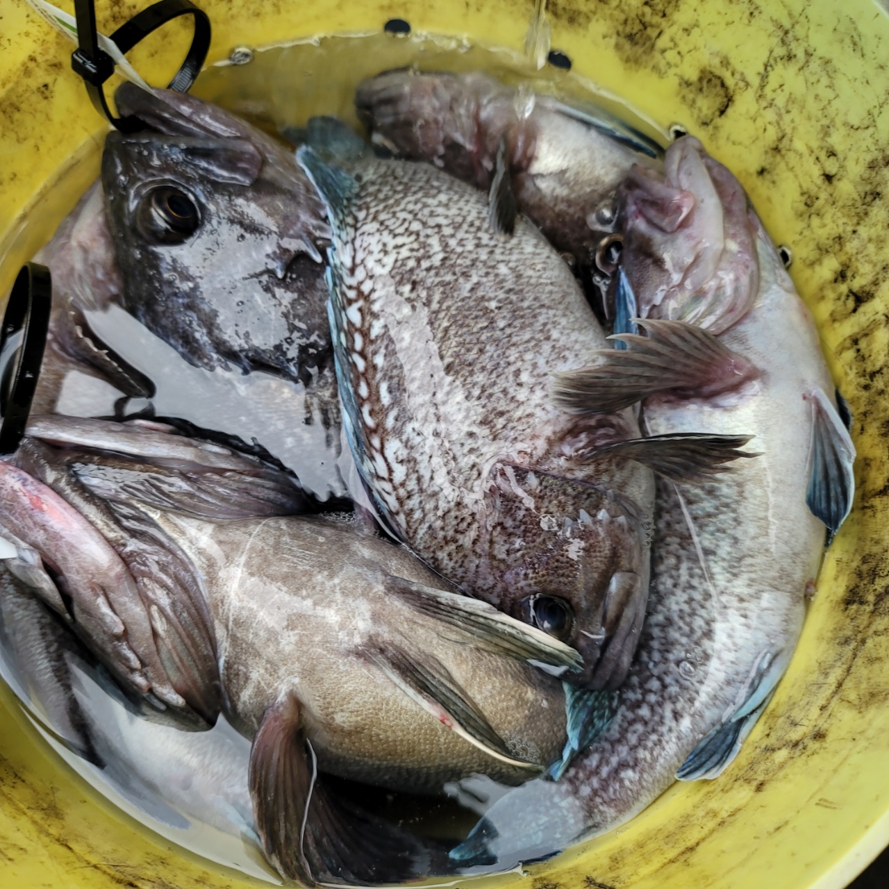
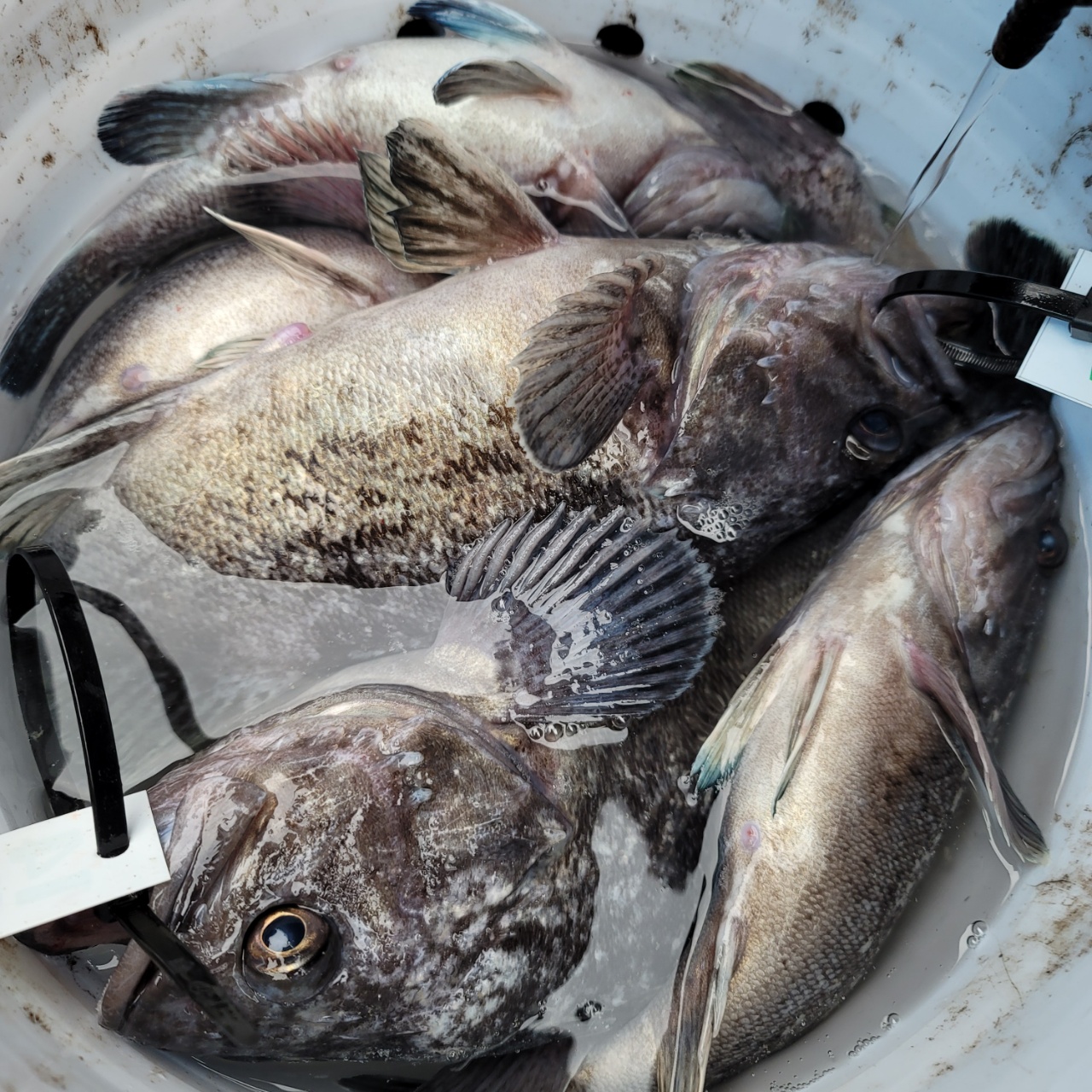
포인트 도착 삑~~~우당탕탕~~~우당탕탕~~~3짜~4짜~~~우럭들이 앞,뒤, 좌,우 번갈아가며 우당탕탕~그러다 5짜 우럭이 나오면 다같이 우와 사무장님 뜰채뜰채~~~쌍걸이가 나오면 쌍걸이쌍걸이~어쩌다 바닦을걸면 지구지구~ㅋ
그렇게 정신없이 오후 1시까지 열심히 낚시하고 점심을 먹었내요~점심 먹고 포인트 이동 삑~ 뒤에서 부터 히트~히트 중간도 히트~앞쪽도 히트~나오는 싸이즈가 4짜~3짜~2짜~ㅋ
더 오래해서 많이 많이 잡고싶었지만 쿨러가득 채우신분도 있고 해가 너무빨리 떨어져 3시에 마무리 하고 30분 정리하고~두시간여를 열심히 또 달려 복귀했내요~
멀리 다녀온 보람이 있는 하루였습니다~
우리 손님들 멀리 다녀오시느라 수고 많으셨습니다~
열기가 보이기 시작하니 먼바다 출조하는 분들은
열기채비 2개씩 챙겨오세요~~^^
손님고기로 광어도 세마리나~대꾸리님 58cm~ㅊㅋㅊㅋ~^^






















