[대성호(낚시전용선)] 11월 28일 우럭조황입니다

  • 대성호캡틴
  • 1
  • 2,696
  • 글주소
  • 11-28

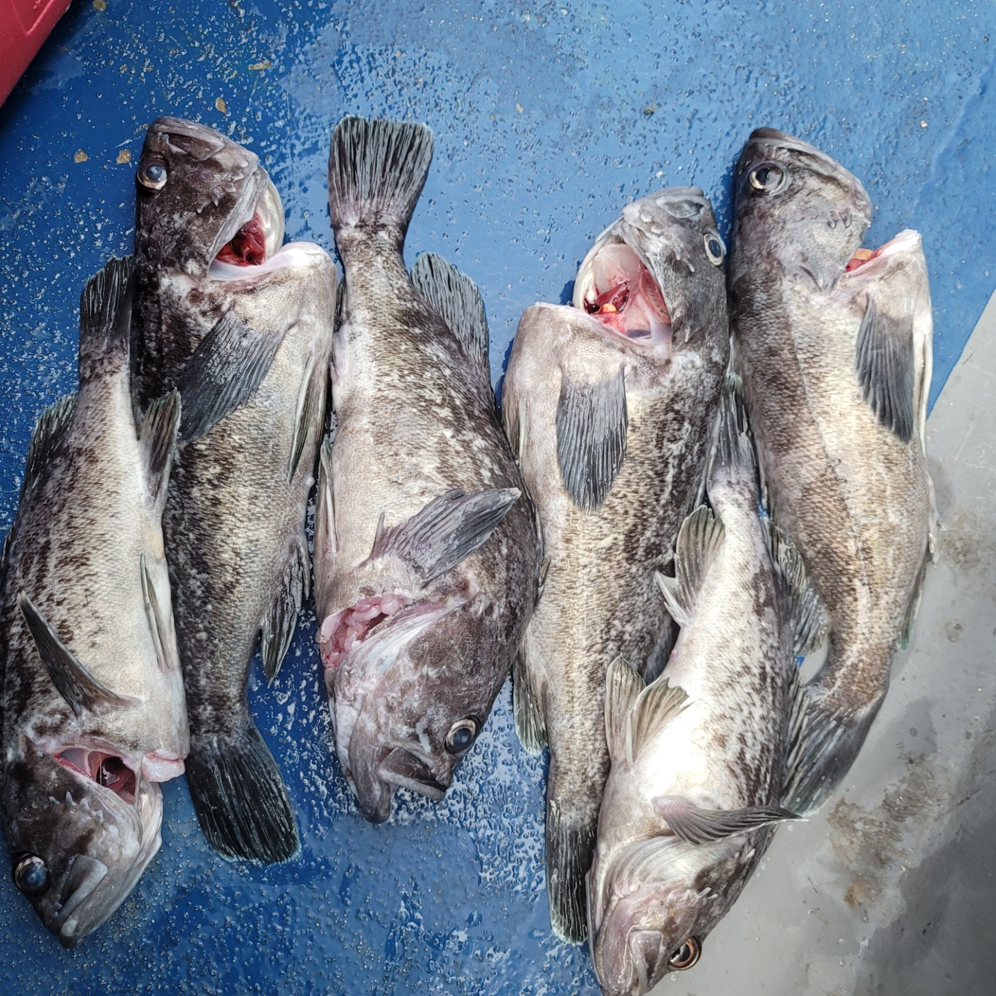
오늘도 대성호는 우리 손님들과 완죤 신나게 놀다왔습니다~


오늘은 단체손님 17분 모시고 우럭낚시 다녀왔습니다~

새벽에 손님들을 맞이 하는데~헉ㅡㅡ.....17분중에 낚시 경험있으신분은 단 두분 그것도 두세번...ㅠ 초등학교 2학년 어린조사님 장인어른,장모님,아버지를 모시고 오신 부부조사님..ㅠ거기에 대여 낚시대 14대~~~~....ㅠ 앞이 캄캄하더라구요..

그래서 새벽부터 손님들 앞으로 모이시게 하여 낚시대 사용방법~채비하는방법~낚시하는 방법~을 한참 설명하다보니 출항시간이 지나버리고 재 마음은 비워버리고...ㅠ포인트도 손님에 맞게 바꿔서 출항~ 첫 포인트 도착 삑~여기저기 바닦과 씨름을 하시고 낚시대 부러지는지 모르시고 릴링을 하시고..

사무장님께서 한분한분 다 해결해드리고  또다시 교육을하고~다시한번 포인트 진입~삑~ 와~~~드디어 한분 한분 우럭을 잡아내십니다~와~~~~그렇게 어초 진입은 생각도 못하고 

여밭에 신나게 우럭도 잡으시고 지구도 잡으시면서 재미지게 놀다가 물이 완전히 멈춰 큰맘먹고 어초 포인트로 이동  삑~헉ㅡㅡ한분도 빠짐없이 전원 히트~~~지구를 히트~ ...ㅠ 그래도 다시도전 또 도전...괜한짖을 했습니다...ㅠ

과감히 어초 버리고 다시 여밭으로 이동 오~~잘 잡으십니다 싸이즈 좋은 우럭도 많이 나오고~신나게 잡으시며 행복해 하시더라구요~~

많이 잡으신분은 30여수~ 못잡으신은 5수~그런데 모두 초보조사님~^^ㅋ

대성호는 12월~3월까지 먼~~~바다 우럭낚시갑니다~^^


 











 







 

 





 


조황정보

번호 제목 글쓴이 날짜 조회수
3044

11월 28일 레드원호 주꾸미 조황

전반적으로 크게 다르지 않은 조황이었습니다.오전 시작은 어제보다는 좋았었는데 오후들어 점차 입질이 줄어드는 양상으로 마무리 되었습니다.선수에 자리하신 오원재 조사님, 임주원 조사님 두분이 어려운 11월 마지막 휴일을 즐겨 주시며 선전 하셔서 뱃지 주인공이 되어 주셨네요.감사합니다.11월 마지막 휴일을 맞아 찾아주신 조사님 모든분이 모자란 조과와 추운 날씨속에서 고생 많으셨습니다.감사드리고 고맙습니다.안전하게 귀가 하시고 얼마남지 않은 올 한해 마무리 잘하시고  건강 하십시요. 

레드원호(낚시전용선)
레드원 11-29 2,464
3043

11월 28일 우럭조황입니다

오늘도 대성호는 우리 손님들과 완죤 신나게 놀다왔습니다~오늘은 단체손님 17분 모시고 우럭낚시 다녀왔습니다~새벽에 손님들을 맞이 하는데~헉ㅡㅡ.....17분중에 낚시 경험있으신분은 단 두분 그것도 두세번...ㅠ 초등학교 2학년 어린조사님 장인어른,장모님,아버지를 모시고 오신 부부조사님..ㅠ거기에 대여 낚시대 14대~~~~....ㅠ 앞이 캄캄하더라구요..그래서 새벽부터 손님들 앞으로 모이시게 하여 낚시대 사용방법~채비하는방법~낚시하는 방법~을 한참 설명하다보니 출항시간이 지나버리고 재 마음은 비워버리고...ㅠ포인트도 손님에 맞게 바꿔서 출항~ 첫 포인트 도착 삑~여기저기 바닦과 씨름을 하시고 낚시대 부러지는지 모르시고 릴링을 하시고..사무장님께서 한분한분 다 해결해드리고  또다시 교육을하고~다시한번 포인트 진입~삑~ 와~~~드디어 한분 한분 우럭을 잡아내십니다~와~~~~그렇게 어초 진입은 생각도 못하고 여밭에 신나게 우럭도 잡으시고 지구도 잡으시면서 재미지게 놀다가 물이 완전히 멈춰 큰맘먹고 어초 포인트로 이동  삑~헉ㅡㅡ한분도 빠짐없이 전원 히트~~~지구를 히트~ ...ㅠ 그래도 다시도전 또 도전...괜한짖을 했습니다...ㅠ과감히 어초 버리고 다시 여밭으로 이동 오~~잘 잡으십니다 싸이즈 좋은 우럭도 많이 나오고~신나게 잡으시며 행복해 하시더라구요~~많이 잡으신분은 30여수~ 못잡으신은 5수~그런데 모두 초보조사님~^^ㅋ대성호는 12월~3월까지 먼~~~바다 우럭낚시갑니다~^^     

+1 대성호(낚시전용선)
대성호캡틴 11-28 2,697
3042

11월28일 대양호 중외만 우럭 조황

 

+2 대양호(낚시전용선)
바다이야기 11-28 2,392
3041

11월28일 뉴대성호 주꾸미조황

어제보다는 전체적으로는 조금더 나와준것같군요안나올때는 징하게 안나와 줍니다그래도 포기하지마시고 한땀한땀잡아주세요^^ 

+1 뉴대성호(낚시전용선)
뉴대성호 11-28 2,697
3040

11월27일 뱃지 주인공은 누규?

해성호 랭커 임영철님 양한성님 대성2호 오~창렬님대성호 랭커 유성호님 한민형님해랑호 오원재님동백호 김교선님대양호 이정근님 (순간촬영으로^^;;눈보호차^^ )뉴대성호 랭커 구기성님 김성환님화성호 박창윤님레드원호 랭커 윤시순님, 이광호님 강병선님, 이재성님 * 마리수가 적게나오다보니 동률이 많네요^^  대성1호 김진현님

클럽씨남당댁
남당댁 11-28 2,309
3039

11월27일 뉴대성호 주꾸미조황

어제보다는 살짝 떨어집니다그래도 졸업하기에는 괜찮을듯 하네요^^ 

뉴대성호(낚시전용선)
뉴대성호 11-28 2,341
3038

11월 27일 레드원호 주꾸미 조황

오랜만에 출조를 다녀온 오늘은 날씨는 화창했지만 기온이 낮아 조사님들께서 추위에 고생이 많으셨습니다. 추위를 견뎌가시며 오늘 하루 정말 열심히 최선을 다해 주셨는데 조과가 너무 좋지 못해 죄송했습니다.이렇게 안좋은 상황에서도 동출하신 가족분들을 케어 하시면서도 남다른 집중력을 보여 주시며 항상 최선을다해 주시는 유일한 여성 랭커 윤시순 조사님께서 이변없이 최다 마릿수로 1등을 하셨고 일반부 1등에서 마릿수 동률로 이광호 조사님, 강병선 조사님, 이재성 조사님 이렇게 3분이나 되셨네요. 축하드립니다.전체적으로 조과가 않좋은 가운데 묵묵히 최선을 다해주신 조사님들 모두 감사드립니다.어느덧 주꾸미시즌 막바지를 향해가고 있는데 마지막까지 최선을 다하겠습니다.안전하게 귀가 하시기 바랍니다.감사합니다. 

레드원호(낚시전용선)
레드원 11-27 2,423
3037

11월26일 뱃지 주인공은 누규?

​​뉴대성호 양한성님해성호 임주원님 정석민님대양호 박태용님

+1 클럽씨남당댁
남당댁 11-27 9,945
3036

11월26일 해성호 쭈꾸미 조황

초겨울로 들어서는 시기에 예년에 비해서올해는 참 따뜻한 날씨인것 같네요그래도 아침 첫 포인트에 떨어진 활성도....간간이 올라오던 주꾸미가 한마리한마리씩 모여서다들 조금은 서운한 듯 해도 드실만큼 모였네요100수 넘으신분들에.... 웬만하면 2~3Kg이상씩....열심히들 하루를 즐기셨구요^^입항 전까지 열심히들 잡으시느라 오늘도 수고 많으셨읍니다내일은 어떨지 또 기대되네요....ㅎㅎ 

+2 해성호(낚시전용선)
해성호 11-26 10,141
3035

11월26일 뉴대성호 주꾸미조황

주꾸미시즌 막바지로 향하고있습니다몇일간 날씨가 안좋아 출항을 못하고 오랜만에 출조하게되어 걱정을 하였지만그래도 꾸준히 나와주네요선단내에  잘잡으신분들은 100수전후를 잡아주셨습니다그래도 50수를 목표로 오셔서 즐기셔야합니다^^주꾸미시즌 마무리는 클럽씨피싱에서~~ 

+1 뉴대성호(낚시전용선)
뉴대성호 11-26 2,598
3034

11월21일 뉴대성호 주꾸미조황

안개주의보 10시였는데 다행이 안개가 심하지않아 정상출항하였습니다많은 양은 아니지만 꾸준히 나와주었고선단내 100수오버도있고 100수근처분들도 많았습니다  먹을만치는 잡아왔습니다기상이않좋아 몇일 쉬고 주꾸미시즌 마무리 잘하겠습니다^^ 

뉴대성호(낚시전용선)
뉴대성호 11-22 3,212
3033

11월21일 해성호 쭈꾸미 조황

어제 극심한 안개에 살짝 겁먹고걱정했는데 아무 문제없이 출항하게되었네요다행히 주꾸미도 그냥그냥~ㅎㅎ실력들이 좋으셔서  드실만큼은 갖고 가시네요오늘도 수고하셨읍니다  

+1 해성호(낚시전용선)
해성호 11-22 2,522
3032

(랭킹업뎃했슈~)11월21일 뱃지 주인공은 누규?

대성호 한민형님해랑호 신유진님, 오창렬님뉴대성호 랭커유성호님, 랭커 김장익님, 박은주사모님뉴해랑호 심상진님, 유인설대양호 진영수님대성1호 연택수님 해성호 류동희님<<11월21일 기준 랭킹 실시간 순위>> * 순위에 이의있는 분들께서는 010 5333 3888 로 뱃지 획득 날짜 문자 주세요^^1위           유성호님  42개2위           김장익님  36개3위           임영철님  28개 4위           구기성님 22개공동5위     김성권님, 양한성님  20개7위           한민형님  19개8위            오창렬  12개9위           천승찬님  11개공동10위         김선경님, 정원기님  10개  

클럽씨남당댁
남당댁 11-22 2,814
3031

11월20일(오후반낚시) 뱃지 주인공은 누규?

늦어서 정~말 또 죄송합니다. ^^20일 안개로 오후반 출항!오전 내내 기다려주시고늦은 1시반 출항까지 함께해주셔서 정말 감사드립니다.대양호 한민형님, 박창윤님뉴대성호 랭커 윤시순님 랭커구기성님 이정근님, 전종억님대성2호 임주원님해성호 양한성님화성호 김교선님뉴해랑호 이종섭님 해랑호 랭커 유성호님 이준한님

클럽씨남당댁
남당댁 11-22 2,214
3030

11월19일 뱃지 주인공은 누규?

늦어서 또 죄송합니다. ^^ 뉴대성호 괭하남님과 대꾸리님 

클럽씨남당댁
남당댁 11-22 9,389
3029

11월18일 뱃지 주인공은 누규?

늦어서 죄송합니다.^^ 뉴대성호 이상덕님 대성호 이귀찬님, 조현효님 김상호님 

클럽씨남당댁
남당댁 11-22 9,360
3028

11월 21일 대성호 광어다운샷조황입니다

오늘도 대성호는 우리 손님들과 잼잼나 놀다왔내요 첫 포인트를 멀리 잡고 출발~~~가는 도중 첫 포인트 지역 선장님께전화가 오내요 오지마오지마....ㅠ 나오라는 광어는 안나오고 우럭만 나온다내요...ㅠ 첫포인트를 버리고 두번째 포인트로 이동 삑~ 아...간질나 죽겠습니다..,한번 흘릴때마다 한마리 한마리 어쩌다 두마리 이러지도 저러지도 못하고 있는 상황에서 선장님들께 전화가 오기 시작하는데.... 이곳이 제일 잘나온다는...ㅠ 그래서 점심 먹기전까지 열심히 줍줍~밥먹고 한참 뜸하다 물이가기 시작하니 다시 한마리두마리~열심히 줍고 다녔내요 잡아 올린건 50여마리 올라왔는데 킵한건 40수 정도 한거 같습니다~ 많이 잡으신분은 5광4광3광 아쉽게 광어는 한마리도 못잡으신분이계셔 많이 죄송했내요...ㅠ조황: 6짜 2마리 5짜 15마리 나머지는 4짜입니다..         우럭 개인물통에 가득~^^예전에는 4짜 이하 잡으면 포인트를 이동하여 방생또는 항에 들어와서 방생했지만 이제는 손님께서 잡은 즉시 방류합니다  

대성호(낚시전용선)
대성호캡틴 11-22 2,483
3027

11월20일 뉴대성호 주꾸미조황

역대급 안개3번에걸쳐서 취소하시고 가실분 가시라고 말씀드렸지만우리클럽씨회원님들 끝까지 버텨 오후1시반에 출항~!!대단하십니다^^생각보다 잘나와주어서 다행이였습니다내일은 좀 기대를 해봅니다~오늘 장원은 클럽씨유일한 여자랭커 쭈여신 윤시순님께서 50수오버갓기성님 50수오버전종억님과 이정근님은 50수 근소하게다들 늦게까지 열심히낚시해주셔서 너무감사드립니다^^ 

+2 뉴대성호(낚시전용선)
뉴대성호 11-20 2,917
3026

11월19일 뉴대성호 주꾸미조황

전날에는 날씨가 너무안좋아 조기입항하였습니다오늘은 날씨가 전날에비해서는 괜찮군요 그래도 좋지는 않아서 아쉬웠습니다끝물로 가는 이시즌에 100수 잡으시면 초고수이지요~오늘은 100수까지 안나왔지만 잘잡아주셔서 감사합니다한민형님 김선경님^^ 공동우승 축하~물론 그들만의 리그입니다^^;;50수를 목표로 한땀 한땀 잡아주시고 즐겨주세요~ 

+3 뉴대성호(낚시전용선)
뉴대성호 11-19 3,081
3025

11월17일 뱃지 주인공은 누규?

뉴대성호 랭커 구기성님, 김진국님, 안재홍님대성호 국진광님해랑호 랭커 김성권님 임장현님 레드원호 양한성님

클럽씨남당댁
남당댁 11-18 2,682