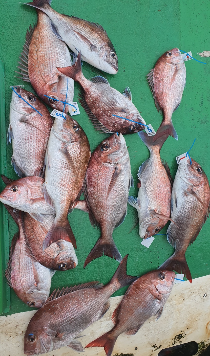
오늘은 8분(스탭2명)모시고 참돔 사냥 다녀왔습니다!
8분중 3분이 첫 참돔 낚시를 오셨는데요
스타강사 장호영 대표님의 교육을 받고 모두 랜딩에 성공하셨습니다!!!
딱!!한분이 꽝을 하셔서 아쉬움이 조금 남은 시간이였습니다
오늘 수고 많으셨습니다!








Severity: 8192
Message: Function create_function() is deprecated
Filename: helpers/basic_helper.php
Line Number: 724
Backtrace:
File: /web/bdsr/cb_clubsea/application/helpers/basic_helper.php
Line: 724
Function: _error_handler
File: /web/bdsr/cb_clubsea/application/controllers/Board_post.php
Line: 556
Function: display_html_content
File: /web/bdsr/cb_clubsea/application/core/CB_Controller.php
Line: 128
Function: post
File: /web/bdsr/cb_clubsea/index.php
Line: 321
Function: require_once