소수인원 모시고 다녀왔습니다
아침에 잠깐갑오징어 해서 손맛좀보고 그이후에 농어 우럭 다다녀봐도
나오질않아 너무힘들었네요
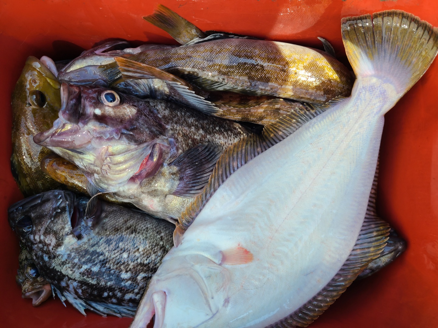
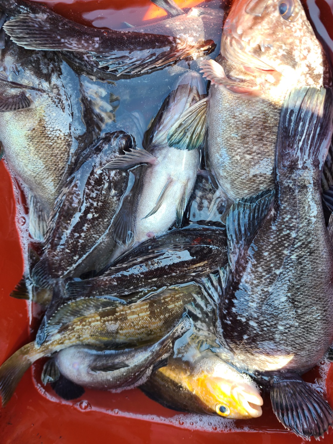
다행이 멀리다녀와서 우럭이랑 대광어 손맛보고왔습니다
갑오징어는 아직까지 동백호가 잘잡고있는것같습니다
끝나기전에 갑오징어 잡아가세요^^
뉴대성호는 2일간 쉬면서 정비하고 토요일에 먼바다 다잡아다녀오겠습니다

























Severity: 8192
Message: Function create_function() is deprecated
Filename: helpers/basic_helper.php
Line Number: 724
Backtrace:
File: /web/bdsr/cb_clubsea/application/helpers/basic_helper.php
Line: 724
Function: _error_handler
File: /web/bdsr/cb_clubsea/application/controllers/Board_post.php
Line: 556
Function: display_html_content
File: /web/bdsr/cb_clubsea/application/core/CB_Controller.php
Line: 128
Function: post
File: /web/bdsr/cb_clubsea/index.php
Line: 321
Function: require_once