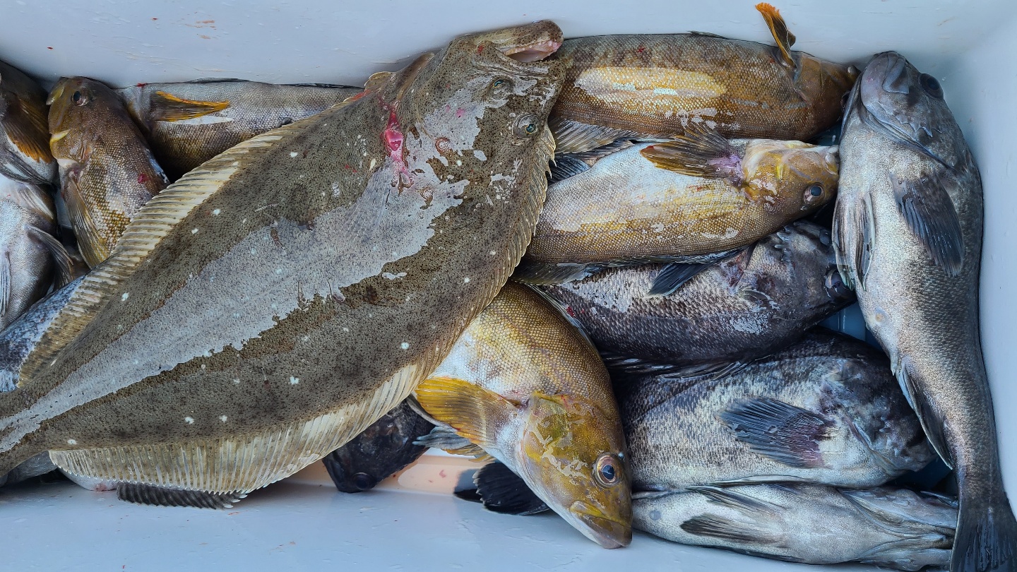
[뉴대성호(낚시전용선)] 5월22일 뉴대성호 다잡아외수질

  • 뉴대성호
  • 0
  • 3,155
  • 글주소
  • 05-23

농어가 안나와주니 아쉽네요~


대사리기간에 농어가 좀들어올것같네요^^


개인간 조과차이가 많이나는게 맘이 아프군요 ㅠ




 



























 

조황정보

번호 제목 글쓴이 날짜 조회수
2264

5월29일 뉴대성호 농어외수질조황

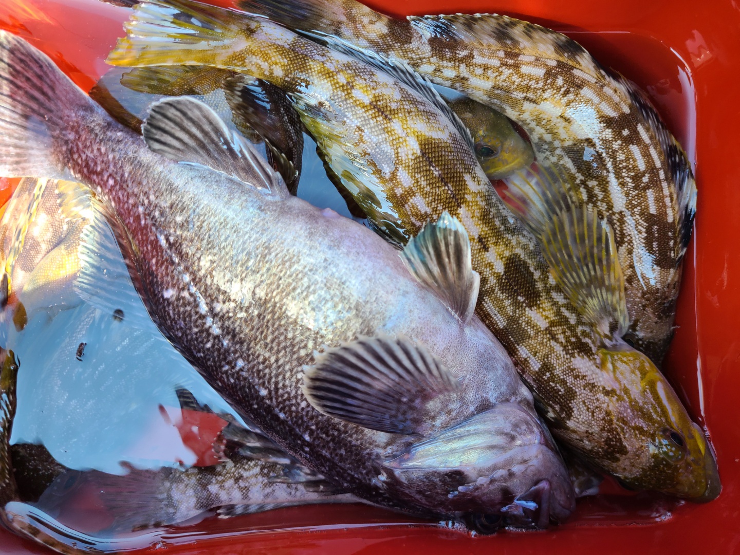
날씨가 몇일간 좋지않았네요고생스런 하루가 될듯 하였습니다그래도 농어는 얼굴을 비춰주고농어위주의 낚시다보니 우럭은 아주 가끔씩 나와주었습니다농어시즌 초입입니다농어낚시가 난이도가 높은 낚시는 아니니한번쯤 도전해보세요^^ 

뉴대성호(낚시전용선)
뉴대성호 05-29 3,062
2263

5월 29일 대성호 광어다운샷조황입니다

오늘도 대성호는 우리 손님들과 잘 놀다왔내요 오늘은 포인트 선정에 있어 어려움이 많은 하루였내요가까운곳은 광어가 잘 안나오고...멀리 가자니 초보 조사님들이 많아 너울 때문에 고생하실게 눈에 보이고...ㅠ 그래도 조금 멀리 나가 낚시를 시작했는데 생각보다 우리 초보 조사님들 너울을 잘 견디시며 낚시를 열심히 하시더라구요 그런데...역시나 광어 얼굴은 볼수 없었습니다...그래서 다시 멀리 이동하여 낚시를 시작했고 한마리 두마리 광어 얼굴이 보이기 시작하는데 이놈에 너울이 얼마나 심하던지...저도 지금 땅멀미를 다하고 있내요...하루종일 너울 이겨가며 늦은 시간까지 열심히 낚시 하시느라 고생 많으셨습니다~대성호에는 전투낚시를 지향하며 낚시 초보 이신 분들께서도  선장과 사무장이 현장 맞춤 1:1 교육을 해드려 어떻게든 광어 손맛을 볼수있게 최선을 다해 도와드리고 있습니다    

+2 대성호(낚시전용선)
대성호캡틴 05-29 2,517
2262

5월29일 해성호 우럭 조황

5분 조사님들과  함께 다녀왔읍니다 새벽까지 불어댄 바람에 너울도 심했고 또거센 물살에 만족스럽지 못한 조과였지만 꾸준히 즐기며 낚시 하시느라  고생들 많으셨읍니다그래도 조금은 죽어가는 물에 나아지는 느낌이들어다행이라 생각 됩니다.....오늘보다 나은 내일을 기대 해봅니다 

+1 해성호(낚시전용선)
해성호 05-29 2,707
2261

5월 22,23일 해랑호 늦은 광어 다운샷 조황...

해랑호 선장입니다.제 다운샷 조황을 궁금해하시는 분들이 많은 듯해서 마지막으로 조황올립니다.사실 광어 다운샷을 해야되나 아님 하던데로 생활우럭을 해야되나 나름 고민을 했었는데잘잡으시는 조사님 20마리이상.. 조사님들 평균 10마리 이상의 조과를 목표로 다니던 사람이 한분당 한두마리..그것도 결국엔 잘 잡으시는 몇몇 분들이 조황의 반이상을 잡아올리시고 한마리도 못 잡으시는 분들이 태반인 낚시를 하기에는 멘탈이 안따라주네요..ㅜㅜ제 모토가 그래도 다들 손맛은 보게 해드리자는 주의라...ㅜㅜ일단 이 번주부터 다시 생활우럭으로 돌아왔구여.. 그 동안 미흡한 제 배에서 광어다운샷을 해주신 많은 분들.. 감사하고 죄송합니다...이제 6월17일부터는 또 백조기탐사부터 시작인데더욱 열심히 노력하겠습니다. 감사합니다.아, 그리고 저희 사무장님이 유튜브에 올리신 영상 링크 걸어봅니다.보실 분들은 보시고 구독..알람,..좋아요...ㅋㅋ 눌러주세요..^^ 5월 22일 조황입니다. 총 21마리 잡았네요.. 5월23일 조황입니다. 방생제외 15마리인데 두마리를 먼저 조사님이 챙기셔서 13마리찍었네요..ㅎㅎ 

+4 뉴해랑호(낚시전용선)
해랑호 05-27 2,688
2260

5월 23일 뉴해랑호 생활우럭조황

금일 물때 3물 11분 조사님들 모시고 출하였습니다.단체 2팀,개인1분,스탭1분 내만권에서 간조 time 보고 오전 10시경에 외만권 쪽으로다녀 드실만큼 잡아 왔습니다. 시간이 조금만 더있었으면 하는 생각이 들 정도로오늘은 손님들과 단합이 잘되어서 즐거운 낚시였던 것 같습니다.감사합니다. 오늘 하루 고생하셨구요. 다음에 또 오시면 재미있는 선상낚시 되도록 노력 하겠습니다~~광어 방생~~~~~ 깻잎~~~손맛 보셨네용~~4분 조사님이 잡은 아이스 박스.  

+1 뉴해랑호(낚시전용선)
뉴해랑호 05-25 2,280
2259

5월23일 대성1호 참돔조황

15분 모시고 나가 10 마리 잡고 왔습니다.대광어도 나오고 참돔 65짜리도 나오고 재미는 있었지만너무 낱마리로 하루종일 고생했네요.

대성1호(낚시전용선)
대성1호 05-24 3,068
2258

5월23일 뱃지 주잇공은 누규?

뉴궁리호 작은형님!대물뺏지 1!  참돔 최다어 뺏지1! 로 총 2개 뺏지 받으셨습니다.^^대성1호 박재현님!! 광어대문 잡으셔서 대물뺏지 축하드립니다.!대성1호에서 공동뺏지수상자이시죠~탑원정범호님! 대성1호는 참돔배! 참돔 최다어로 뺏지 1획득!!대양호 최용순님!! 올해 어복이 많으십니다!! 대성호 백성종님!해랑호 대꾸리님~ 역시 잘잡으셔유^^뉴해랑호 안영배님! 마지막으로 뉴대성호 , 클럽씨 첫출조해주신 유투버 고성준님! 모두 축하드립니다.!!

클럽씨남당댁
남당댁 05-24 2,635
2257

5월 23일 대성호 광어다운샷조황입니다

오늘도 대성호는 우리 손님들과 잘 놀다왔내요 오늘은 첫 포인트를 1시간 10분 이동하여 대물포인트에 도착도착하니 하나둘 모이기 시작한 배들 광어보다 배가 더 많은한두번 흘려보고 반응이 없어 40분더 이동하여 어렵게 한마리 한마리 모았내요...ㅠ 오후들어 물이 너무안가 많이 어려웠내요...그래도 하루종일 열심히 낚시 해주신 우리 조사님들 수고하셨습니다~조황: 광어 18장(5장방생)  우럭 4짜~3짜~조금대성호에는 전투낚시를 지향하며 낚시 초보 이신 분들께서도  선장과 사무장이 현장 맞춤 1:1 교육을 해드려 어떻게든 광어 손맛을 볼수있게 최선을 다해 도와드리고 있습니다   

대성호(낚시전용선)
대성호캡틴 05-23 3,047
2256

5월 23일 뉴궁리호 참돔 조황

금일 10분 조사님과 다녀왔습니다.참돔 최다어(5수), 광어 대물 (78cm)로 뱃지 2개 싹쓸이 하셨네요!!축하드립니다~

+2 뉴궁리호(낚시전용선)
양태 05-23 2,967
2255

5월22일 뉴대성호 다잡아외수질

농어가 안나와주니 아쉽네요~대사리기간에 농어가 좀들어올것같네요^^개인간 조과차이가 많이나는게 맘이 아프군요 ㅠ  

뉴대성호(낚시전용선)
뉴대성호 05-23 3,156
2254

5월22일 대성1호 참돔조황

10분조사님 모시고 나가6마리 잡고왔습니다.

대성1호(낚시전용선)
대성1호 05-23 2,652
2253

5월22일 해성호 우럭 조황

오늘도 수고 많으셨읍니다 

해성호(낚시전용선)
해성호 05-23 2,807
2252

5월 22일 뉴해랑호 생활우럭조황

금일 물때 2물 14분 조사님 모시고 출항 하였습니다~~오전 내만권 조황이 좋아 지면서 오후에 외만권 포인트를 찾아가며 사냥을 하였지만 만족스러운 조과가 아니였습니다.오늘도 늦게까지 연장하면서 열심히 해주신 조사님께 감사합니다.재미있는 하루였던것 같습니다. 

뉴해랑호(낚시전용선)
뉴해랑호 05-22 2,599
2251

5월 22일 대성호 광어다운샷조황입니다

오늘도 대성호는 우리 손님들과 신나게 놀다 왔습니다 첫 포인트를 아주 먼~바다로 정하고 출발~~아...멀긴 머내요 그래도 하루종일 싸이즈 좋은 우럭과 광어가꾸준히 나와주어 즐거운 하루 보내고 왔습니다~우리 손님들 먼~바다 다녀오시느라 고생많으셨습니다~조황: 광어 28장(3장방생)  우럭 4짜~3짜~많이~많이대성호에는 전투낚시를 지향하며 낚시 초보 이신 분들께서도  선장과 사무장이 현장 맞춤 1:1 교육을 해드려 어떻게든 광어 손맛을 볼수있게 최선을 다해 도와드리고 있습니다  

대성호(낚시전용선)
대성호캡틴 05-22 2,724
2250

5월22일 뉴궁리호 참돔 조황

 

뉴궁리호(낚시전용선)
양태 05-22 2,623
2249

5월22일 뱃지 주잇공은 누규?

해랑호 김희영님!대성호 이은석님대양호 한준수님뉴해랑호 노명진님!대성2호 장익수님해성호 최만희님, 임영철님대성1호 이병무님!뉴대성호 조창배님! 마지막으로 뉴궁리호 신용건님 이십니다.! 축하드립니다.

클럽씨남당댁
남당댁 05-22 2,480
2248

5월21일 뱃지 주잇공은 누규?

오늘도 어제와같이 비가 야금야금 왔어요 바람도 있어서 속상한 하루입니다.그래도 뺏지의 주인공은 탄생하셨네요!축하드립니다.뉴대성호!악당들 악당박재한님!타코나끼님 축하드려요!( 뉴대성호는 왜 공동 뺏지냐 하시는분들 계시는데, 우리 조피디사무장님께서 한마리한마리 세어가며 공정하게 판정합니다.)::대성호 임용재님! 축하드립니다.!내일은 오랜만에 클럽씨 선박 대거 출동합니다.!10인이상 선박이면 뺏지 이벤트 도전가능! (참돔은 7인이상)몇자리 안남았으니 얼른 도전해보세요! 

클럽씨남당댁
남당댁 05-21 2,733
2247

5월21일 대성1호 참돔조황

아침부터 너울로 인해 고생했습니다.4분 모시고 나가 2마리 잡았습니다.선수분들은 못잡으시고 첨 오신분이 두마리 잡아갔네요.

대성1호(낚시전용선)
대성1호 05-21 3,244
2246

5월21일 뉴대성호 우럭조황

멀리가야하는데 날씨가 급 안좋아졌군요아주가끔씩나오는 우럭들오늘은 틀렸어~틀렸어~~다행이 한포인트에서 그럭저럭 즐겁게 잡아주셨네요오후에는 입질이 더떨어져서 힘들게 마무리하였습니다ㅠ내일부터는 농어우럭광어 다잡아외수질 나갑니다열심히 잡아볼께요^^ 

+1 뉴대성호(낚시전용선)
뉴대성호 05-21 2,229
2245

5월 21일 대성호 부부의날 광어다운샷조황입니다

오늘은 부부의날 이벤트 출조를 하였내요~오늘 같은날 진짜로 안싸우면 다행인 날 이었습니다북서풍 똥바람은 불어대고 심한 너울에 포인트 진입조차 어려운 상황에서도 열심히 낚시를 해주셔서 그나마 광어 얼굴은 볼수있었내요~너울만 아니었어도 늦게 까지 낚시해서광어 손맛 더 보게 해드릴수 있었는데...처음으로 3시에 낚시마치고 입항했내요...ㅠ조황: 광어 6장  우럭 4짜~3짜~낱마리대성호에는 전투낚시를 지향하며 낚시 초보 이신 분들께서도  선장과 사무장이 현장 맞춤 1:1 교육을 해드려 어떻게든 광어 손맛을 볼수있게 최선을 다해 도와드리고 있습니다 

대성호(낚시전용선)
대성호캡틴 05-21 2,523