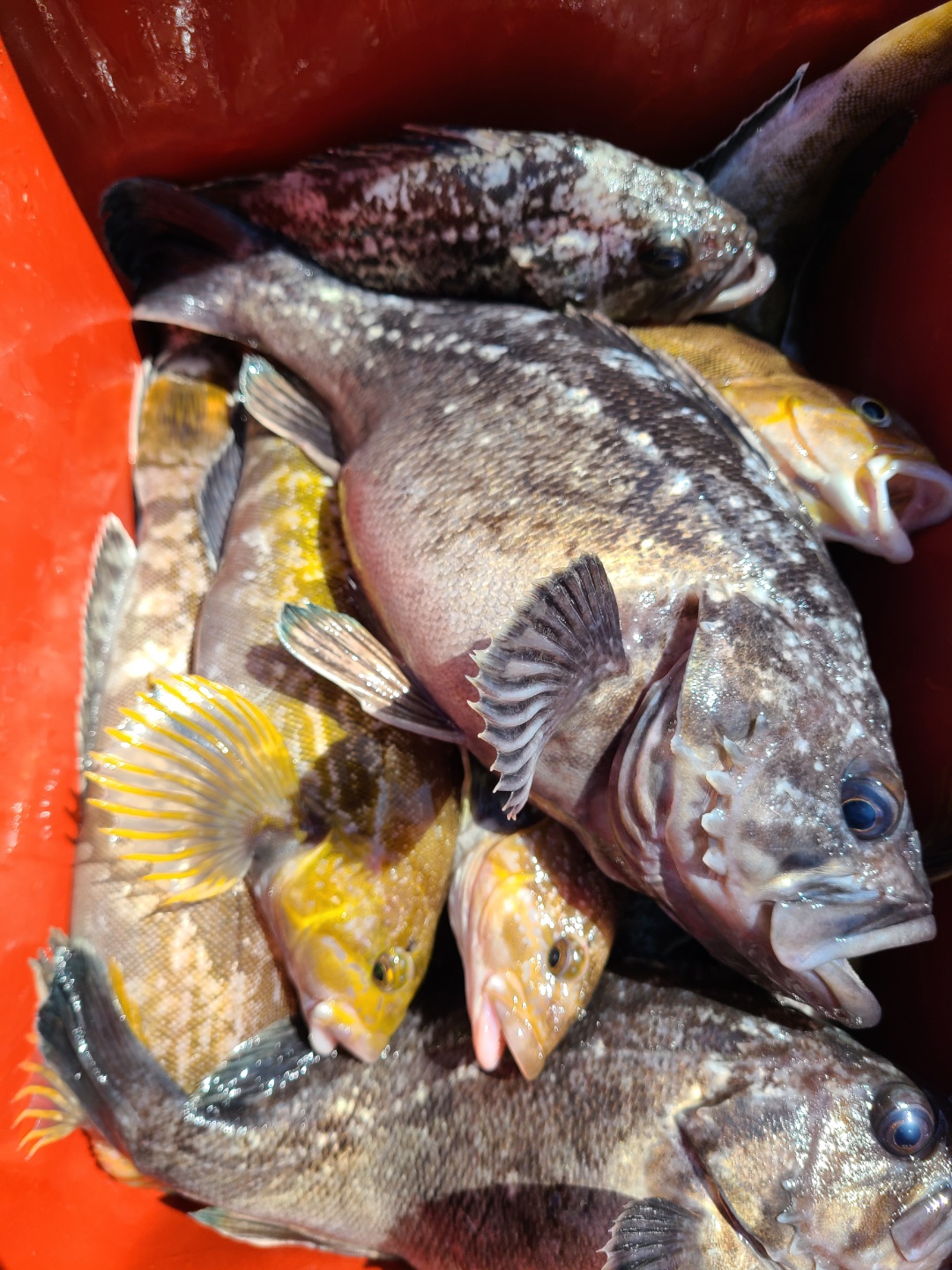
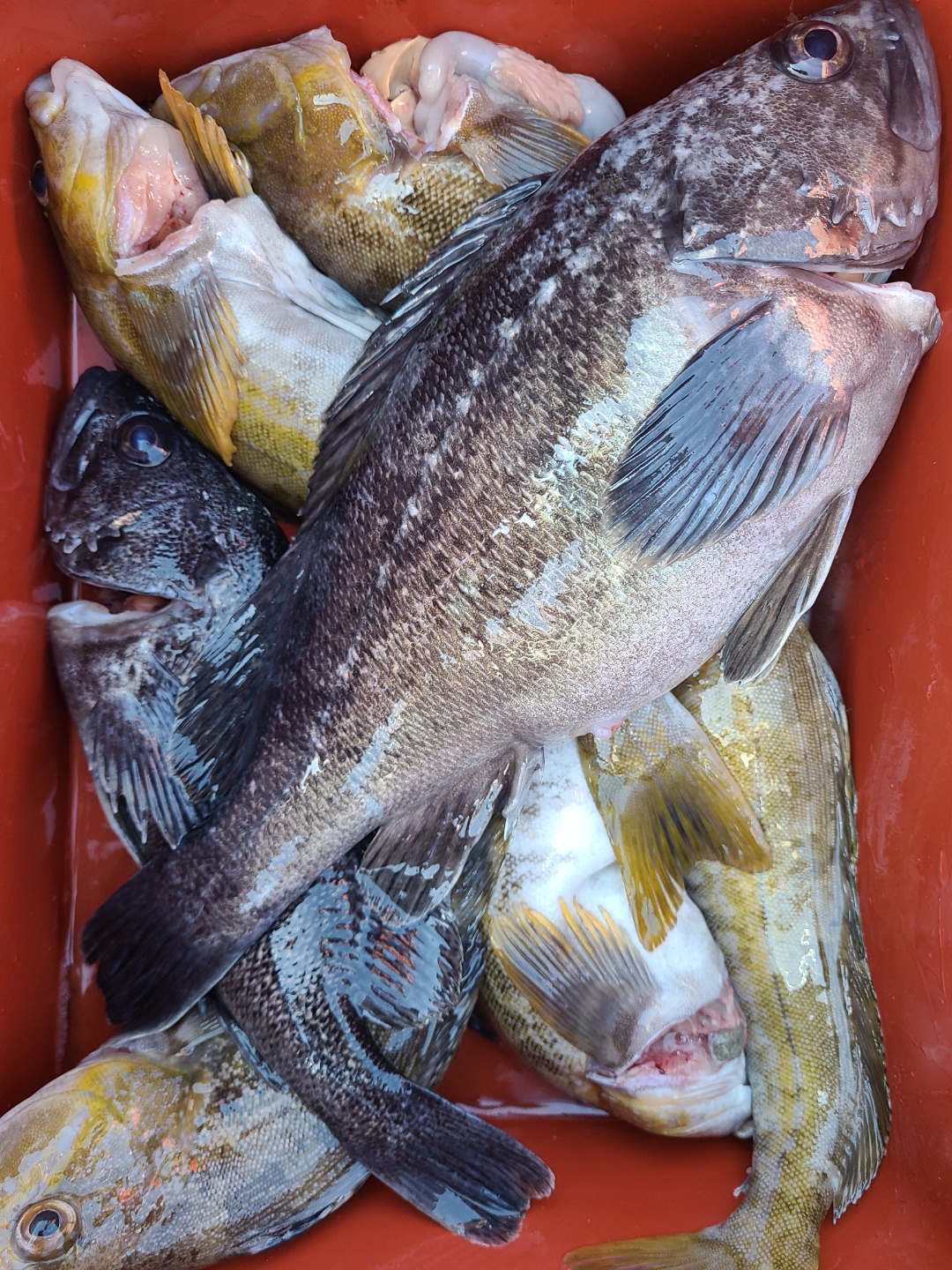
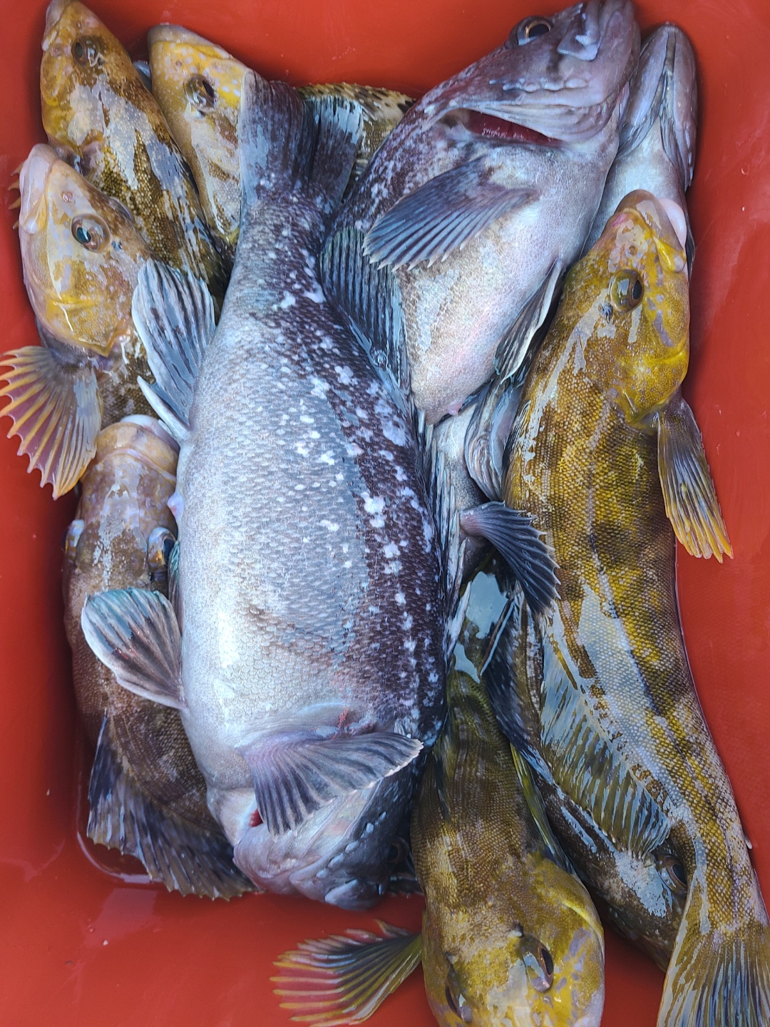
[뉴대성호(낚시전용선)] 5월18일 뉴대성호 다잡아조황

  • 뉴대성호
  • 1
  • 2,764
  • 글주소
  • 05-18

오늘은 어초위주의 낚시를 진행하였습니다


수온이 낮은 관계로 활발하진않았지만


조금씩 나아지긴하네요~~


수온이 차니 놀래미가 많이덤벼드는군요


씨알은 큰변이였습니다


내일도 최대한 잡을수있도록 열심히 다녀오겠습니다^^



























 

조황정보

번호 제목 글쓴이 날짜 조회수
2280

6월7일 뱃지주인공은 누규?

 뉴대성호 승선하신 김강채님과 김수회님이십니다.^^ 축하드립니다. 

클럽씨남당댁
남당댁 06-08 2,987
2279

6월7일 뉴대성호 다잡아외수질조황

전날 갑오징어가 잘나와주어서 갑오징어는 아주잠깐 맛보기로만 해보았습니다몇마리는 못잡았지만 씨알이 참좋네요^^갑오징어 낚시 하실분들은 동백호와 대양호를 이용해주시면됩니다농어를 좀잡아줘야하는데 요즘 농어가 많지는 않네요좋은 조황은 아니지만 농어몇마리 7짜광어 우럭다수 백조기구경 씨알좋은 갑오징어 장대 놀래미 쭈꾸미(방생)등등해양생물 구경시켜드리고왔네요  

+2 뉴대성호(낚시전용선)
뉴대성호 06-07 2,906
2278

6월 7일 대성호 4인 광어다운샷

오늘도 대성호는 우리 손님들과 신나게 놀다 왔습니다 오늘은 손님 4분 모시고 2시간여를 달려 먼바다로~출발~~그런데...예상과 다르게 오전에는 조황이 영...뜨문뜨문 한마리 한마리..진짜 한마리  한마리..오전동안 5섯마리... 넘 힘든 시간을 보내고 고민에 빠졌습니다 더 위로 올라갈까 아님 수심 깊은 곳으로 갈까...고민 고민 하다가 깊은곳으로 결정하고 삐~채비가 바닦을 찍음과 동시에 히트~더블~뜨ㅡ트리풀~~광어와 우럭이 잘 나와줍니다~그렇게 오후 시간을 정신없이 보내고 현장에서 3시30분 종료~  즐겁게 마무리 하고 입항 했습니다~조황: 광어 20장 우럭 여러마리~ 대성호에는 전투낚시를 지향하며 낚시 초보 이신 분들께서도  선장과 사무장이 현장 맞춤 1:1 교육을 해드려 어떻게든 광어 손맛을 볼수있게 최선을 다해 도와드리고 있습니다    

대성호(낚시전용선)
대성호캡틴 06-07 2,996
2277

6월6일 동백호 갑오징어 (짬낚탐사조황)

안녕하세요? 기상악화 취손데 무슨 조황이지? 하는 분 계실듯 합니다.^^바람피해 내만으로 2시간 다녀왔습니다. 갑오징어 사이즈가 아주 좋습니다.동백호 6월달 갑오징어 낚시 출조합니다.!9월 시즌 전 신발짝 손맛 보실 분 예약 클릭하세요!!! 

동백호(낚시전용선)
남당댁 06-06 3,627
2276

6월4일 대성1호 참돔조황

 5분모시고 나가 23마리 잡았습니다.

+2 대성1호(낚시전용선)
대성1호 06-05 2,699
2275

6월4일 뺏지주인공은 누규?

​6월4일 해랑호 뺏지주인공! 황용운님이십니다^^ 

클럽씨남당댁
남당댁 06-05 2,585
2274

6월4일 뉴대성호 다잡아외수질

이번년도 날씨가 너무안좋군요 ㅠ소수인원 모시고 외수질다녀왔습니다농어는 실종상태~!공개수배할예정입니다^^우럭은 드실만큼잡으신듯합니다오후에는 똥바람에 다들고생하셨습니다 

뉴대성호(낚시전용선)
뉴대성호 06-05 2,786
2273

6월2일 뉴대성호 다잡아외수질조황

소수인원 모시고 시원하게 멀리 댕겨왔습니다전날 수문개방으로 농어만 하기에는 무리가있는듯하여멀리가서 광어랑 우럭 놀래미를 잡고왔습니다마지막에는 농어를 하였지만 농어어군과 입질만있었습니다마지막에 농어가 좀나와줬다면 괜찮은 하루가될뻔했지만나올듯 나올듯 나오지않았습니다내일은 농어위주다음주는 다잡아 우럭광어농어할예정입니다^^ 

뉴대성호(낚시전용선)
뉴대성호 06-03 3,239
2272

라팔라 x 클럽씨피싱 6월13일 다운샷 대회최종공지

안녕하세요? 클럽씨피싱 운영진입니다.코로나 19로 경기가 좋지 않음에도 불구하고 20년, 21년 클럽씨 피싱을 찾아주셔서 정말로 감사드립니다.그 감사에 힘입어 클럽씨피싱에서 다운샷 감사 이벤트 대회로"라팔라/13FISHING x 클럽씨피싱 다운샷 대회" 를주최하게 되었습니다.출조점 조PD의 노력으로^^좋은 기회로 찾아뵙게되었네요!아래 내용으로 참고하시면 됩니다.^^아! 당일 샾에서 좋~은 가격으로 라팔라 트리거웜 판매 한다고 하니참고하시고! 올해 쓰실 웜 미리 쟁여두세요^^ 

+1 클럽씨남당댁
남당댁 06-03 3,300
2271

5월31일 뉴대성호 농어외수질 조황

요즘 왜이렇게 날씨가 안좋은지거기에 여기저기 수문개방을 ㅠ소수인원으로 다녀왔습니다조황은 좋지않았습니다내일은 조금멀리 다녀올까합니다^^황제낚시 고고~~ 

+2 뉴대성호(낚시전용선)
뉴대성호 06-01 3,484
2270

5월30일 뱃지주인공은 누규?

5월 30일 뱃지주인공!임창권님이십니다.^^축하드립니다. 

클럽씨남당댁
남당댁 05-31 2,707
2269

5월29일30일 대성1호 참돔조황

29일 29일 13분모시고 나가 13마리 잡고 왔습니다.30일 7분모시고 나가서 1마리 잡고 돌아왔습니다.무슨 이유에선지 하루사이에 입질이 사악해졌네요.

대성1호(낚시전용선)
대성1호 05-31 3,115
2268

5월 30일 대성호 9인 광어다운샷조황입니다

오늘도 대성호는 우리 손님들과 잼나게 놀다왔내요 오늘에 첫 포인트 역시 어제 조금 나와주었던 먼~~~바다로 정하고 출발~~그런데 가고자 했던 포인트에 오늘은 배들이 많이 모였내요...ㅠ 그래서 첫 포인트를 버리고 조금더 이동 찍고 조금더 이동 이동 하다보니 격렬비열도 까지 가게 되었내요  올해 첫 격비 출격~시기가 아직 이르지만 그래도 광어 얼굴을 확인할수 있었고 싸이즈 좋은 우럭도 심심치 않게 올라와주어 나름 괜찮았내요~점심 식사이후 도착한 포인트 삐~히트 히트 더블 쓰리히트~우당탕 했지만 광어는 두세마리 싸이즈 좋은 우럭이 또 나와주내요~그런데 문제는 8분중에 잡으시는 분들만 잡는다는거...배를 번갈아 가며 포인트 진입해도 에휴.....ㅠ 다같이 잡으면 얼마나 좋을까요~또 빠지는건 얼마나 많은지...거기에 대광어도 빠트린(유@호) 친한 동생이라 제가 바다에 빠트릴뻔..ㅋ 오늘 하루 참 많이 아쉬운 하루였내요 그래도 드실 만큼은 잡아 가신거 같아 재미지게 놀다 왔습니다~대성호에는 전투낚시를 지향하며 낚시 초보 이신 분들께서도  선장과 사무장이 현장 맞춤 1:1 교육을 해드려 어떻게든 광어 손맛을 볼수있게 최선을 다해 도와드리고 있습니다   

대성호(낚시전용선)
대성호캡틴 05-30 2,794
2267

5월 29일 뉴해랑호 생활우럭조황

금일 물때 9물 사리 어버이날 취소 되었던 저희 가족하고 와이프 지인분들하고 물때도 안좋고 너울이 넘치는 이때 예약을 해서 (서로 시간이 맞지 않아 굳이 잡은 날짜)바다에서 고생 하고 왔습니다. 처음 바다선상낚시에 교육 30분 하고 17분 가족을 모시고 내만에는 너울과 바람이 별로 없어 6시 출항해서 첫포인트 6시30분에시작하였지만 2마리만 방생용 사이즈가 아니고 거의 방생용만 모습이 보여.몇일 동안 태풍 주의보에 외만권 너울이 심하다고 하여 나가지 않을 결심을 했지만 물양이 많고 유속이 빨라 할수 없이 외만을 나가서 보니깐 너울과 바람이 장난이 아니였습니다.1시간 넘게 온 외만을 다시 갈수 없어 열심히 하였지만 몇분의 가족들은 선실에서 나오지 않고처음 바다선상낚시이어서 여밭에 가면 채비 손실이 많아 채비손실 및 바닥에 채비를 담구지 않아 힘든 낚시였습니다.그래도 몇마리씩 잡고 좋아하시고 선상에서 저희 가족이 가지고 온 고기 파티해서 재미있었습니다.너울에 식사가 힘들었지만...즐거운 생활우럭 낚시 였던 것 같습니다. 우럭은 평균 때보다는 엄청 안나왔지만...ㅠㅠ항상 노력하는 뉴해랑호 되겠습니다~~~ 사진 찍으게 없어 몇장만 ㅠㅠ 

+2 뉴해랑호(낚시전용선)
뉴해랑호 05-30 2,735
2266

5월29일 뱃지 주잇공은 누규?

 대성1호 또! 대물 나왔네요 무려 92센티 정도 된다고 하네요!며리님 친구 강현준님!대성1호 참돔 마리수 1등 김덕환님! 대성호 김현님!뉴궁리호 한상민님!대양호 이승욱님!! 뉴대성호 조동주님! 윤슬님! 축하드립니다.!!! 

클럽씨남당댁
남당댁 05-30 2,595
2265

5월29일 한치조황(클럽씨피싱 완도점)

5월 29일 클럽씨피싱 완도점 거정호 한치 낚시 조황입니다. 대포 한치와 신발짝 갑오징어가 꾸준하게 밤새 물어주네요 ~^^이카메탈과 삼봉 낚시에 시원하게 잡아당겨 줍니다.클럽씨피싱 완도점 바로가기 http://www.clubseawando.co.kr/Video Player00:1200:28

완도점
클럽씨피싱완도점 05-30 3,681
2264

5월29일 뉴대성호 농어외수질조황

날씨가 몇일간 좋지않았네요고생스런 하루가 될듯 하였습니다그래도 농어는 얼굴을 비춰주고농어위주의 낚시다보니 우럭은 아주 가끔씩 나와주었습니다농어시즌 초입입니다농어낚시가 난이도가 높은 낚시는 아니니한번쯤 도전해보세요^^ 

뉴대성호(낚시전용선)
뉴대성호 05-29 3,312
2263

5월 29일 대성호 광어다운샷조황입니다

오늘도 대성호는 우리 손님들과 잘 놀다왔내요 오늘은 포인트 선정에 있어 어려움이 많은 하루였내요가까운곳은 광어가 잘 안나오고...멀리 가자니 초보 조사님들이 많아 너울 때문에 고생하실게 눈에 보이고...ㅠ 그래도 조금 멀리 나가 낚시를 시작했는데 생각보다 우리 초보 조사님들 너울을 잘 견디시며 낚시를 열심히 하시더라구요 그런데...역시나 광어 얼굴은 볼수 없었습니다...그래서 다시 멀리 이동하여 낚시를 시작했고 한마리 두마리 광어 얼굴이 보이기 시작하는데 이놈에 너울이 얼마나 심하던지...저도 지금 땅멀미를 다하고 있내요...하루종일 너울 이겨가며 늦은 시간까지 열심히 낚시 하시느라 고생 많으셨습니다~대성호에는 전투낚시를 지향하며 낚시 초보 이신 분들께서도  선장과 사무장이 현장 맞춤 1:1 교육을 해드려 어떻게든 광어 손맛을 볼수있게 최선을 다해 도와드리고 있습니다    

+2 대성호(낚시전용선)
대성호캡틴 05-29 2,766
2262

5월29일 해성호 우럭 조황

5분 조사님들과  함께 다녀왔읍니다 새벽까지 불어댄 바람에 너울도 심했고 또거센 물살에 만족스럽지 못한 조과였지만 꾸준히 즐기며 낚시 하시느라  고생들 많으셨읍니다그래도 조금은 죽어가는 물에 나아지는 느낌이들어다행이라 생각 됩니다.....오늘보다 나은 내일을 기대 해봅니다 

+1 해성호(낚시전용선)
해성호 05-29 2,950
2261

5월 22,23일 해랑호 늦은 광어 다운샷 조황...

해랑호 선장입니다.제 다운샷 조황을 궁금해하시는 분들이 많은 듯해서 마지막으로 조황올립니다.사실 광어 다운샷을 해야되나 아님 하던데로 생활우럭을 해야되나 나름 고민을 했었는데잘잡으시는 조사님 20마리이상.. 조사님들 평균 10마리 이상의 조과를 목표로 다니던 사람이 한분당 한두마리..그것도 결국엔 잘 잡으시는 몇몇 분들이 조황의 반이상을 잡아올리시고 한마리도 못 잡으시는 분들이 태반인 낚시를 하기에는 멘탈이 안따라주네요..ㅜㅜ제 모토가 그래도 다들 손맛은 보게 해드리자는 주의라...ㅜㅜ일단 이 번주부터 다시 생활우럭으로 돌아왔구여.. 그 동안 미흡한 제 배에서 광어다운샷을 해주신 많은 분들.. 감사하고 죄송합니다...이제 6월17일부터는 또 백조기탐사부터 시작인데더욱 열심히 노력하겠습니다. 감사합니다.아, 그리고 저희 사무장님이 유튜브에 올리신 영상 링크 걸어봅니다.보실 분들은 보시고 구독..알람,..좋아요...ㅋㅋ 눌러주세요..^^ 5월 22일 조황입니다. 총 21마리 잡았네요.. 5월23일 조황입니다. 방생제외 15마리인데 두마리를 먼저 조사님이 챙기셔서 13마리찍었네요..ㅎㅎ 

+4 뉴해랑호(낚시전용선)
해랑호 05-27 2,937