[뉴대성호(낚시전용선)] 5월6일 뉴대성호 내만우럭조황

  • 뉴대성호
  • 0
  • 3,230
  • 글주소
  • 05-08

조금 늦은 조황입니다~~


요즘 날씨가 안좋다보니 귀한시간 내주었다가 출항취소가 많네요


아쉽습니다~~ 날씨가 오락가락 하다보니 조황도 오락가락합니다^^;;


열심히 돌아다녔는데 많이는 나오질 않았습니다


날씨도 좋아지고 안정화다되면 좋아지겠죠~~


조사님들 맘들 편하게 놀러오세요^^























 

조황정보

번호 제목 글쓴이 날짜 조회수
2224

5월14일 대성1호 참돔조황

11분모시고 나가 6마리  나왔네요.

대성1호(낚시전용선)
대성1호 05-15 2,784
2223

5월14일 해랑호 광어 다운샷 조황.....

안녕하십니까.. 초보다운샷 선장 해랑호입니다...ㅎㅎ오늘은 7분 모시고 다운샷 다녀왔습니다.안하던 다운샷을 하려니 어리버리 좌충우돌중입니다...^^그래도 몇번 탐사출조도 다녀오고 열심히 하다보면 조사님들께 죄스럽지 않은 날이 오리라 믿으며오늘도 열심히 이리저리 찍어보구 있네요..ㅎ앞으로 부족한 점이 있더라도.. 양해바라구여..또 많은 채찍질도 감사히 받겠습니다...오늘의 정리를 하자면..광어 입질이 상당히 약네요..ㅎ바이트는 좀 받은 편인데... 올라오는 숫자는 좀 아쉽네요..그래도 76짜리 광어 한마리 낚아주셔서 겨우 체면만 세웠습니다..활성도는 있는 편이어서 거친 여밭에선 한바퀴정도 감고 흘러가게 두면 올라와서 문다고 하시네요...참조하심 좋을 듯 하구여..오늘 오신 조사님들 고생많으셨구여.. 감사했습니다... 

뉴해랑호(낚시전용선)
해랑호 05-14 2,440
2222

5월14일 뱃지 주잇공은 누규?

​안녕하세요? 날씨 좋~은 오늘 클럽씨피싱 뱃지 주인공은 누규?축하드립니다.! 대성1호 김학춘사장님^^ 축하드립니다. 해랑호 류지영님^^ 오늘 뉴대성호 뺏지 풍년이네요.왼쪽부터 이준영님, 신영상님, 정기원님 이십니다.^^ (뉴대성호 뺏지선정기준 동률)

클럽씨남당댁
남당댁 05-14 3,964
2221

5월 13일 8인 대성호 광어다운샷조황입니다

오늘은 8분 출조했는데... 그중 4분은 첫 다운샷...그래서 결국 다른 4분만 신나게 놀다왔습니다 첫 포인트를 어디로 갈까 고민...고민...또 고민 전날 늦게 까지 고민하고 상의하고 전년도 데이터 확인하고...그래서 도착한 첫 포인트 와~~~~~잘나오내요~~~~다른배 하나없이 대성호만 똭~~ 그런데 말입니다 평소 잘 잡으시던분이 렌딩중 쇼크가 나가고...원줄이 나가고...렌딩중 바늘채 사라지고...이런ㅡㅡ 얼마나 속상하실까요..저도 속이 까맣게 타들어 갑니다....ㅠ 오늘 잡은 조과에 2/3는 렌딩중 빠지고 렌딩중 터지고...이런날도 있내요...ㅠ대성호에는 전투낚시를 지향하며 낚시 초보 이신 분들도  선장과 사무장이 현장 맞춤 1:1 교육을 해드려 어떻게든 광어 손맛을 볼수있게 최선을 다해 도와드리고 있습니다자세한 내용은 https://m.blog.naver.com/wdqhtks/222350409950 

대성호(낚시전용선)
대성호캡틴 05-14 2,577
2220

5월13일 대성1호 참도조황

7분모시고 다녀왔습니다.

대성1호(낚시전용선)
대성1호 05-14 2,561
2219

5월 13일 뉴해랑호 생활우럭조황

금일 물때 8물 사리 6분 조사님들 모시고 출항 하였습니다~~~내만권은 한포인트 가서 확인 해보았지만 잔 입질만 있고 조류가 빨라 외만권으로 고고!!!첫포인트 도착하여 조사님들이 거친 여밭 및 어초를 잘 견뎌 주셔서 나쁘지 않은 결과가 나왔습니다.그리고 여조사님이 처음으로 광어 잡으셔서 드러뽕!! 하시려다가 빨리 가서 간신히 광어 얼굴 보았습니다. 축하드려요~오늘 물때가 빠른 와중에 즐겁게 열심히 해주셔서 감사합니다.~~스탭분이 하루종일 놀다가 인생 광어 76짜리 잡았네요. 축하~~ 

뉴해랑호(낚시전용선)
뉴해랑호 05-13 2,369
2218

5월13일 뱃지 주잇공은 누규?

​대성1호 작은형님! 축하드립니다!참돔팀 7인이상 출조시 뱃지 이벤트 진행합니다!

클럽씨남당댁
남당댁 05-13 2,374
2217

5월 12일 7인 대성호 광어다운샷조황입니다

오늘도 대성호는 우리 손님들과 신나게 놀다 왔습니다 오늘은 광어 퀀~~우럭 킹이 탄생 했내요~^^오전에는 그런데로 즐거운 낚시를 했는데 오후들어 물이 전혀안가 조금은 힘든 낚시를 하고 왔습니다~자세한 내용은 이곳을 클릭~~~http://m.blog.naver.com/wdqhtks/222348829283    

대성호(낚시전용선)
대성호캡틴 05-13 2,497
2216

5월 11일 대성호 2인 광어다운샷조황입니다

오늘도 대성호는 우리 손님들과 신나게 신나게 놀다왔습니다 오늘은 출항 계획이 없었는데 3분이 오시기로해서 저녁늦게  출항을 결정했내요~그런데 오시기로 한분들 중에 한분이 연락두절..그래서 두분 모시고 다운샷다녀왔습니다~두분이서 하루종일 광어와 싸이즈 좋은 우럭 손맛으로 너무 즐거웠다고 하시니 저또한 즐거운 하루를 보내고왔내요~조과: 광어 16장 (2마리방생) 싸이즈우럭 많이날씨: 아침 비..오후 바람 물색: 좋았내요선장 추천웜: 지금은 그렇게 특별한 웜이 없었습니다대성호에는 전투낚시를 지향하며 낚시 초보 이신 분들도 선장과 사무장이 현장 맞춤 1:1 교육을 해드려 어떻게든 광어 손맛을 볼수있게 최선을 다해 도와드리고 있습니다  

대성호(낚시전용선)
대성호캡틴 05-11 2,550
2215

5월 9일 뉴해랑호 생활우럭조황

5월달에 변덕스러운 날씨 변화로 몇일간 날씨가 안좋았다가......5월9일 4물 조사님 13분 모시고 출항해서 몇 포인트에서 조금이나마 나와서 다행이었습니다. 어제까지 바람이 많이 불어 외만권에 노을과 바람이 거세 조사님들 고생 하시는 것보다 내만권을 열심히 다녀보았습니다. 더 많이 잡아가셔야 좋았는데. 그러지 못해 참 마음이 씁슬했습니다.그럴때마다 조사님들이 입항할때 재미있게 놀고 고생했다고 말씀해 주실때 마다 고마웠습니다.  더욱 노력하는 뉴해랑호 선장이 되겠습니다.감사합니다~~ 

뉴해랑호(낚시전용선)
뉴해랑호 05-10 2,252
2214

5월9일 뉴대성호 내만우럭조황

이틀간 분바람에 조황이 좋지않을것같아 열심히 돌아다녀조금씩 조금씩 잡고왔습니다많은 양은 못잡았지만 대물광어와 씨알좋은 우럭들이 내만에서 나와주어그나마 다행이였습니다많이 잡게 해드려야하는데 요즘 날씨가 워낙 변덕이 심하니 많이 아쉽습니다금요일부터는 다잡아외수질 첫출조를 시작합니다^^많이들 놀러오세요~~ 

뉴대성호(낚시전용선)
뉴대성호 05-10 2,822
2213

5월9일 뱃지 주인공은 누규?

​5월 9일 클럽씨피싱 뺏지 주인공입니다.^^ 해랑호 김정진님!!!대성호 박재선님!!!대성1호 정주희님!뉴궁리호 대물뺏지!!!! 피싱훅 최덕찬님 뉴대성호 솔로무사님! 그리고 대물뺏지 신현우님마지막으로 뉴해랑호 신동형님! 축하드립니다. 

클럽씨남당댁
남당댁 05-10 2,294
2212

5월9일 대성1호 참돔조황

대성 대성1호도 늦게나마 1호참돔이 나왔네요.사이즈도 66센티로 괜찮았습니다.ㅎㅎㅎ그후 낱마리로 하나씩 올라왔구요.8분모시고 8마리잡고 돌아왔습니다.1등은 세마리 잡으셨네요^^

대성1호(낚시전용선)
대성1호 05-10 3,084
2211

5월 9일 대성호 광어다운샷조황입니다

우리 손님들께 너무 죄송한 하루였습니다전날 대광어를 잡아 오늘도 대광어 포인트 위주로 이동 이동 또 이동...이틀 동안 큰 바람이 불어 물색이 완전 형편없었내요..첫 포인트가 꼬이기 시작하니 가는곳마다 재미를 못보고 그나마  물색 좋은 곳을 찾아 가서 한두마리 걸어내면 바로 물색이 뻘물로 변해버리고...손님들께 많이 힘든 낚시를 하게 해드려 넘 죄송했습니다...그런데 얼마 안되는 광어지만 한마리 한마리 올라올때마다 다들 본인이 잡은거 같이 축하도 해주고 고기가 안나올때면 선장을 위로도 해주고 배 분위기를좋게해주셔 넘 감사했습니다~조과: 광어 10장 (3마리방생) 우럭 여러마리날씨: 참 좋았내요~물색: 완전 커피색(연아커피~^^)선장 추천웜: 지금은 그렇게 특별한 웜이 없었습니다대성호에는 전투낚시를 지향하며 낚시 초보 이신 분들도 선장과 사무장이 현장 맞춤 1:1 교육을 해드려 어떻게든 광어 손맛을 볼수있게 최선을 다해 도와드리고 있습니다오늘은 사무장 개인 사정(49제) 으로 하루 결근하여 개인 사진을 못찍어드렸내요  죄송합니다 

대성호(낚시전용선)
대성호캡틴 05-10 2,189
2210

5월9일 뉴궁리호 참돔 조황

  

뉴궁리호(낚시전용선)
양태 05-10 2,988
2209

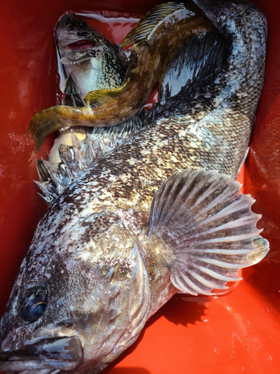
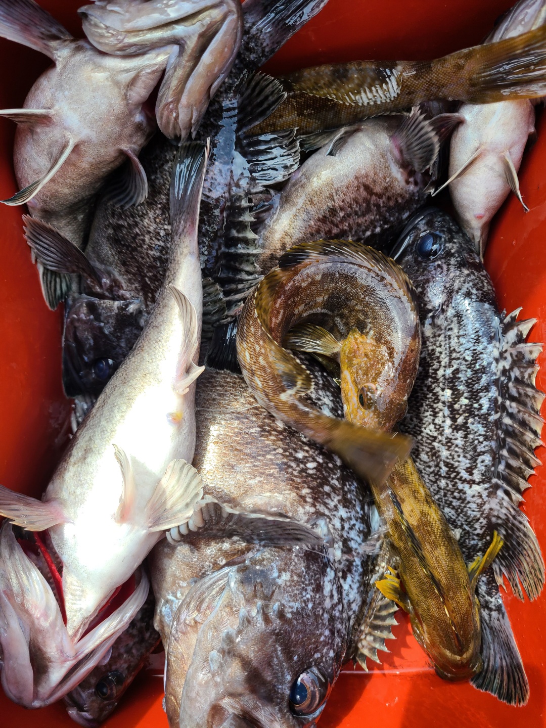
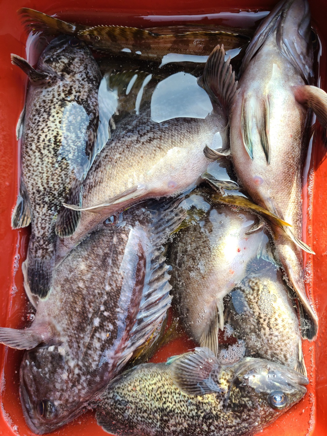
5월6일 뉴대성호 내만우럭조황

조금 늦은 조황입니다~~요즘 날씨가 안좋다보니 귀한시간 내주었다가 출항취소가 많네요아쉽습니다~~ 날씨가 오락가락 하다보니 조황도 오락가락합니다^^;;열심히 돌아다녔는데 많이는 나오질 않았습니다날씨도 좋아지고 안정화다되면 좋아지겠죠~~조사님들 맘들 편하게 놀러오세요^^ 

뉴대성호(낚시전용선)
뉴대성호 05-08 3,231
2208

5월6일 뱃지 주잇공은 누규?

​오늘 뉴대성호 뺏지주인공은?누구실까요?^^최원구님이십니다!축하드려요!!

클럽씨남당댁
남당댁 05-06 2,935
2207

5월 6일 7인 대성호 대광어다운샷조황입니다

오늘은 대성호 첫 조기퇴근하고 들어왔내요~7명의 조사님과(남자 5인 여자 2인 임대 낚시대 5섯분) 출발~포인트 도착...벌써 두분은 멀미 때문에 선실에서 못나오시고 주무시내요...물때 맞춘 첫 포인트에서 수만은 배들 사이에서 그래도 다행이7짜 75짜 두마리나 나오고 출발이 좋았습니다 그렇게 조금후 6짜~5짜~4짜 그리고 17cm..ㅋ 광어들이 나오고 좋았는데문제가 생겼내요..손님들이 먹을만큼 잡았다고 점심먹고 들어가자고..에효...ㅠ 조황을 생각하면 더 했어야 했는데 심한 너울과 멀미 하셔 주무시는 4분이계셔 어쩔수 없이 점심먹고 입항했습니다~   

대성호(낚시전용선)
대성호캡틴 05-06 2,833
2206

5월 5일 해랑호 생활우럭조황

기상이 계속 바뀌어서 우왕좌왕 하다가 소수 몇몇 분들만 모시고 다녀왔습니다.생각보다 바람의 영향도 적고 날씨도 좋아서 나름 드실만큼 잡아가셨네요..오늘 오시기로 하셨던 분들이 모두 오셨었음 더 좋아을 듯 한데.. 아쉽네요...항의는 구라청으로..^^아.. 그리고 오늘은 뺏지발행인원인 10인이상은 안되었는데한분이 다른 분들보다 좀 많이 잡으셔서 선장직권으로 뺏지 발행했습니다.오늘 오신 분들 고생많으셨습니다...^^그리고 저는 이번 출항이 잠정적으론 올해 생활우럭 마지막 출조일 수도 있겠네요.5월8일부터는 다운샷출조합니다...다운샷도 열심히 할테니 많은 관심과 응원 부탁드리겠습니다...^^ 

+1 뉴해랑호(낚시전용선)
해랑호 05-06 2,759
2205

5월5일 뉴대성호 우럭조황

어제 풍랑주의보로 취소하였다가늦게나마 풀려서 다시 예약받고 나갔다왔습니다물때가 약하다보니 생각보다는 날씨는 괜찮았습니다잘 나와주지 않아 힘들게 조금씩 조금씩잡고 들어왔습니다어린이날 이벤트 출조 오신 낚시꿈나무들 손맛은보고 갈수있어다행이였네요^^ 

+2 뉴대성호(낚시전용선)
뉴대성호 05-05 2,634