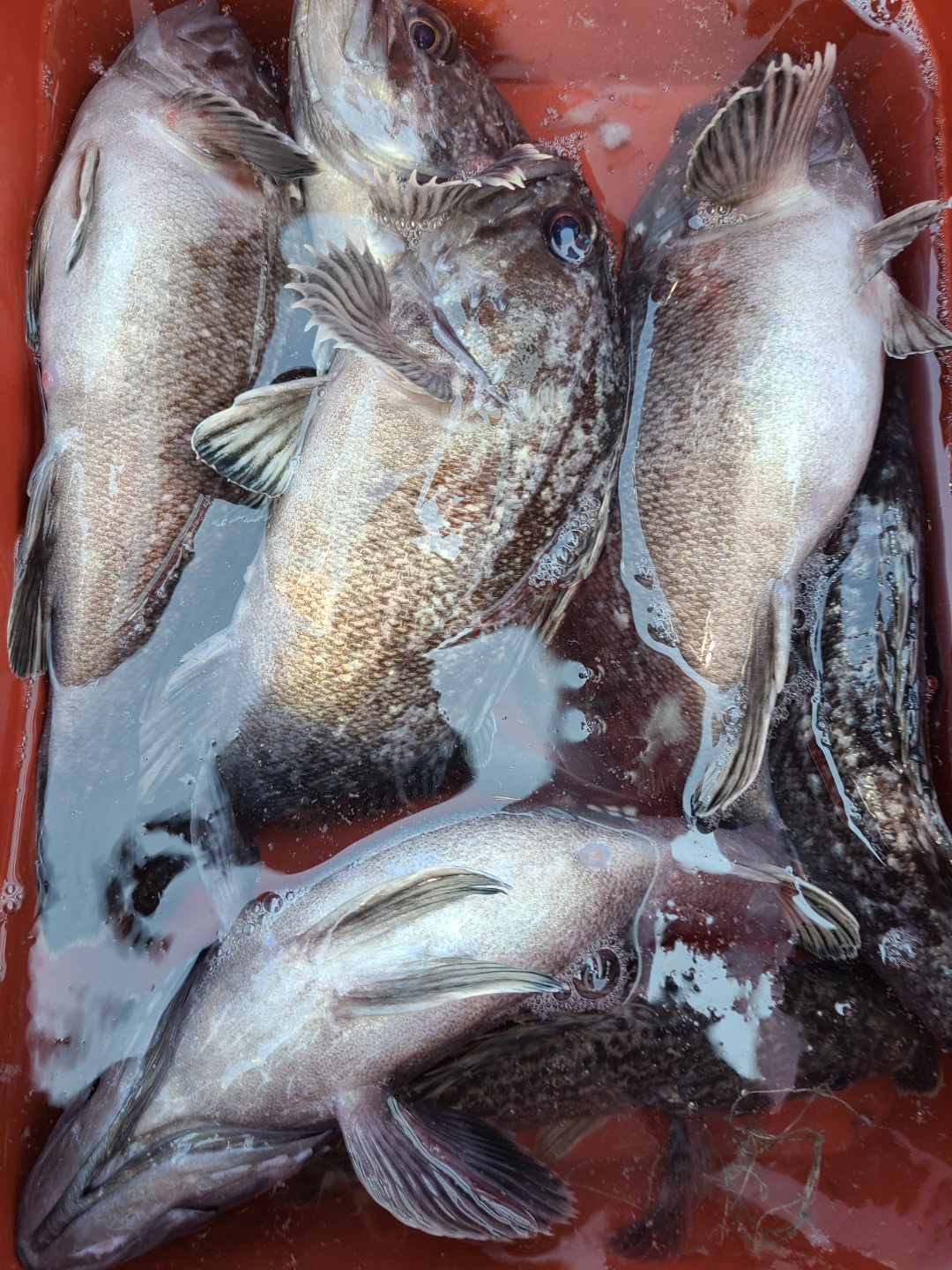
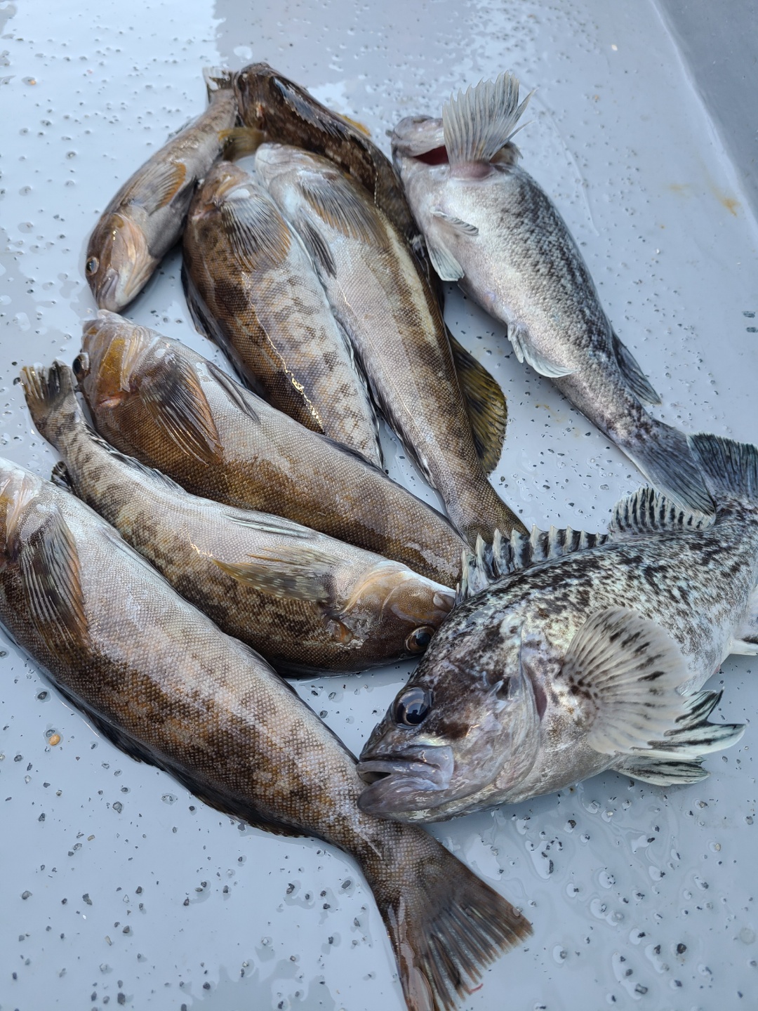
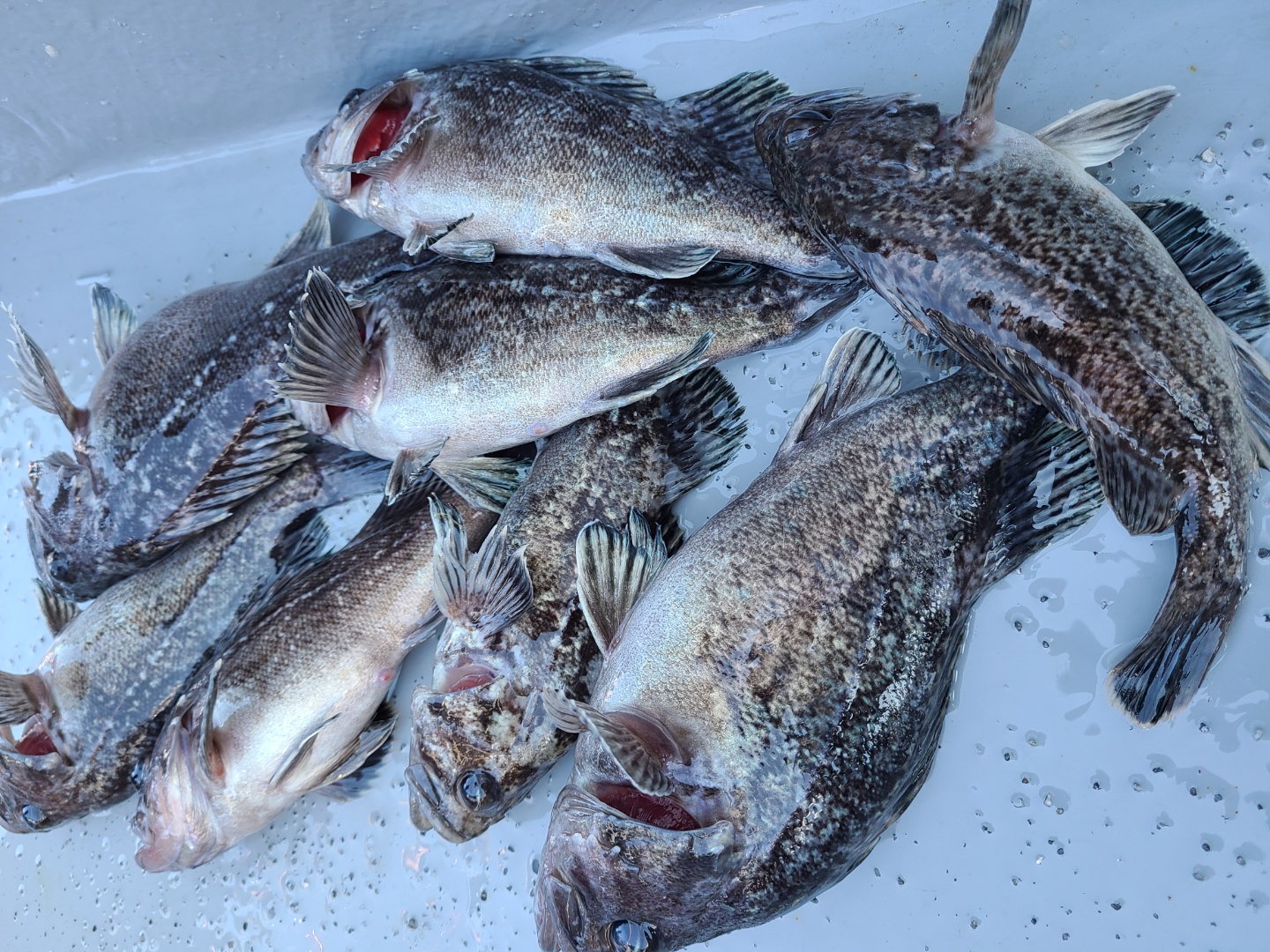
[뉴대성호(낚시전용선)] 4월3일5일 뉴대성호 우럭조황

  • 뉴대성호
  • 0
  • 2,987
  • 글주소
  • 04-05

3일에는 날씨가 많이 안좋아서 조황이 좋지않았습니다


오늘은 나름기대를 하고나갔지만


몇일간비와 바람의 영향이 있었네요


꾸준히 한마리한마리씩 잡고왔습니다


좋은 조황은 아니지만 즐겁게 놀다가셨기를 바랍니다^^


내일은 다시한번 기대를 해볼까요?




























 

조황정보

번호 제목 글쓴이 날짜 조회수
2164

4월 7일 6인 대성호 광어탐사 조황입니다

오늘은 지인 4분과 해랑호,뉴해랑호 선장님과 함께 광어 탐사 다녀왔습니다~날이 좋아서 그런지 광어 활성도가 많이 좋아진거 같습니다 이곳 저곳 그곳까지 열심히 탐사 다니며 광어 얼굴을 확인하고 왔내요~^^ 날씨가 계속 받처주면 앞으로가 더 기대가 됩니다~^^ 방생싸이즈 한마리없이 6짜,5짜,4짜 총17장잡았내요~^^         

+2 대성호(낚시전용선)
대성호캡틴 04-07 3,102
2163

4월7일 뱃지 주잇공은 누규?

오늘 뉴대성호 10분 모시고 다녀왔습니다.^^10인 이상출조시 뱃지 이벤트 진행!! 그럼 오늘의 주인공은 누구실까요?^^축하드립니다. 윤추원님!!!

+1 클럽씨남당댁
남당댁 04-07 2,984
2162

4월 6일 해랑호 생활우럭조황

6분 조사님 모시고 살랑살랑 바람쐬러 다녀왔습니다...^^몇 분 안되다보니 가족적인 분위기에서 즐기면서 낚시했네요...물도 좋고 날씨도 좋은데 바람은 아직도 좀 쌀쌀...~~생각보다는 조황이 오르지 않아 좀 아쉽습니다...항상 좀 더 가득가득 채워줄 수 있지 않았을까.. 하는 맴이...ㅎㅎ하여간 오늘 오신 분들 고생많으셨구여.. 담에 또 뵐께요.. 재밌게 하루 보내주신 조사님들 감사합니다...^^그리고 오늘 저희 배에서 열심히 조업해서 다른 조사님들께 고기품앗이도 해주신 대성호 선장님이랑 사무장님도 감사드립니다.....역쉬 광어배 선장님이 타시니 광어가 다섯마리....ㅋ오늘은 왠지 우럭채비보다 다운샷 채비에 우럭이나 광어가 좀 더 반응을 잘해서혹 다음에 오시는 분들도 다운샷채비 병행을 추천드립니다...아, 사비털어서 오뎅탕 끓여주신 우리 임시사무장이자 뉴해랑호 선장님께도....감사를...^^오늘의 대표사진은 어머님 모시고 낚시하러 오신 우리 효자조사님 모자입니다...넘 보기 좋더라구여...ㅎㅎ 

뉴해랑호(낚시전용선)
해랑호 04-07 3,193
2161

4월6일 뱃지주인공은 누규?

 4월 6일 뉴대성호 뱃지 주인공은? ^^우럭 마리수 1등으로 펭귄님 축하드립니다.!그리고 21년 대물뱃지 첫주인공 임강재 님이십니다.! ^^ 축하드립니다. (78cm로 대물뱃지 획득!!)

클럽씨남당댁
남당댁 04-06 2,840
2160

4월6일 뉴대성호 우럭조황

오늘하루 즐거우셨을까 모르겠습니다~광어 대물도 나와주고 쌍걸이도 간혹나와주었습니다많이잡으신분은 제법 잡아주셨는데 초보분들이 많이 찾아주셔서많이못잡으신분들이 몇분계십니다자주하시다보면 더 많이 잡으실수있을꺼에요^^내일도 기대를 해봅니다~ 

+1 뉴대성호(낚시전용선)
뉴대성호 04-06 3,418
2159

4월3일5일 뉴대성호 우럭조황

3일에는 날씨가 많이 안좋아서 조황이 좋지않았습니다오늘은 나름기대를 하고나갔지만몇일간비와 바람의 영향이 있었네요꾸준히 한마리한마리씩 잡고왔습니다좋은 조황은 아니지만 즐겁게 놀다가셨기를 바랍니다^^내일은 다시한번 기대를 해볼까요? 

뉴대성호(낚시전용선)
뉴대성호 04-05 2,988
2158

4월 3일 해랑호 생활우럭조황

대사리기간의 여파가 있는데다가 전날밤 심한 바람의 영향도 남이있고,짙은 해무에 비까지 왔네요...ㅠ이번 년도는 주말만 되면 왜이리 안좋아지는지....당연히 조황은 그리 좋치 않았습니다. 비소식에도 오셔서 열심히 하시는 조사님들을 보니 왜이리 죄스럽고 안쓰럽고 하던지...더더 열심히 해서 다음에 오시면 좋은 결과물 가져시도록 노력하겠습니다... 

뉴해랑호(낚시전용선)
해랑호 04-04 2,814
2157

4월 3일 뱃지 주인공은 뉴규??

굳은 날씨에 고생많으셨습니다.오늘 뱃지의 주인공은....바로... 뉴대성호 변완규님해랑호 김영호님두 분 축하드립니다^^

클럽씨남당댁
조PD 04-04 2,722
2156

4월 2일 대성호 광어탐사조황입니다

오늘도 대성호는 우리 손님들과 신나게 놀다 왔습니다 오늘은 손님 9분 모시고 다운샷 탐사 다녀 왔습니다 9분중에 3분은 다운샷 처음 이셨고..ㅠ 한분은 멀미 때문에 낚시를 얼마 못하시고 힘든 하루를 보내셨내요...ㅠ어제 출조하여 확인한결과 중외만권 까지는 물색이 너무 탁해오늘은 첫 포인트를 먼~바다로 결정하고 1시간 30분을 달려 포인트에 도착~물색은 너무 좋았습니다 그치만 빠른 물살을 피해 포인트에 진입하면 얼마못가 많은 배들이 모여들었고 광어보다 배가 더 많은 하루를 보내야 했내요...ㅠ 점심을 먹고 결단을 내려 30분간 이동하여 또다른 포인트에 도착 일단 주변에 배가 한대뿐이라 좋았내요 그런데 더 좋은일이 지금부터 시작~^^ 광어 얼굴도 보고 싸이즈 좋은 우럭들이 우리 손님들을 반겨주내요~^^ 그렇게 늦게 까지 낚시를 하고 6시가 훌쩍넘어서야 항에 입항했습니다~늦게까지 열심히 잡아주신 우리 조사님들 넘 감사드리고끝까지 저를 믿어 주셔서 다시한번 감사드리며 선장,사무장 간식까지 챙겨주셔서 넘 감사했습니다~^^조황: 광어 4마리, 우럭 38이상~45미만 5섯마리          35미만 많이~^^1인 최고조황: 광어 1마리  우럭 10여수 이상~      

대성호(낚시전용선)
대성호캡틴 04-02 3,319
2155

3월 27일 대성호 사무장님과 함께 광어탐사

오늘도 대성호는 우리 손님들께 한마리라도 더 잡게 해드리고자 7시 조금 넘어 사무장님과 광어 탐사 다녀왔습니다~여기 저기 돌아다니고 확인을 하려 했는데 11시쯤 해경에서전화가...12시 서해안 전해상 풍랑주의보 발효 예정이라 조귀입항 하라는 전화를 받아 어쩔수 없이 일찍 복귀했내요...그래도 광어 얼굴은 보고 왔습니다~^^ 

대성호(낚시전용선)
대성호캡틴 03-27 3,594
2154

3월 27일 뺏지 주인공은 누규?

궂은 날씨에도 정말 수고 많으셨습니다. ^^뉴대성호 정원기 님 이십니다.

클럽씨남당댁
남당댁 03-27 3,451
2153

3월 26일 대성호 광어탐사조황

오늘은 손님8분 모시고 광어 탐사다녀왔습니다~해무로인해 9시20분이 되서야 출항을 했내요...ㅠ첫 포인트에서 바로 광어가 얼굴을 보여주어 나름 기대를 했는데 첫 광어가 마지막 광어가 될줄은 생각도 못했고 첫 포인트에서 다른 배들처럼 하루종일 했다면 5~6섯 마리는 잡을수 있었겠지만 그럼 탐사출조라는 제 의도와 맞지안아 첫 포인트를 버리고  광어가 나올만한곳 여기 저기 많이 돌아다니며 탐사를 하고 왔습니다 우리 손님들 하루종일 고생 많이 하셨고 탐사 출조에 함께 해주셔서 넘 감사드립니다~그리고 우리 손님들 대성호를 찾아 주셔서 진심 너무너무 감사합니다 그래서 손님들께 제가 한가지 정보를 드리면... 광어 다운샷을 처음 해보시는 분 그리고 초보 분들께서는 지금 탐사기간에는  못잡을 확률이 많습니다 그럼 다운샷이 재미도 없고 어렵고 진짜 많이 힘들어 하십니다 탐사기간 말고 본격 씨즌 시작하면 (4월 중순) 오시는게 정신건강에도 좋고 다운샷이 재미난 낚시란걸 아시게  될것입니다~제가 꼭 재미나게 만들어 드리겠습니다~^^    

대성호(낚시전용선)
대성호캡틴 03-26 3,007
2152

3월23일 뉴대성호 내만우럭조황

날씨가 좋지않아 취소하려다물때가 워낙좋기도하고조황상관없이 가신다는분이 많아 출항하였습니다다행이 오전에는 생각보다는 조금나와주었으나오후에는 별소득없이 들어왔습니다바람과 파도에 고생많으셨습니다잘나오지는 않았지만 꾸준히 조황이 살아날듯하네요^^ 

뉴대성호(낚시전용선)
뉴대성호 03-24 3,442
2151

3월23일 뱃지주인공은 누규?

안녕하세요? ^^ 평일 출조에 함께해주신 조사님들께 감사인사드립니다.!23일  뱃지 주인공은 누규?? 일까유?뉴대성호는 주인공이 두분이시군요 !  갈매기님과 조영조 조사님이십니다.^^올해 벌써 두번째 뱃지로 현재 1위 달리고 계십니다.축하드립니다.!!!  

클럽씨남당댁
남당댁 03-23 3,081
2150

3월20일 뉴대성호 내만우럭조황

전날에도 입질이 별로 좋지않아 아쉬웠는데오늘은 더 좋지않군요전날은 잘잡힌거군요^^;;갑자기 추워지고 날씨가 좋지않아 힘들게 낚시하시느라 고생하셨습니다날이풀리면서 조황은 살아나리라 생각됩니다 

뉴대성호(낚시전용선)
뉴대성호 03-21 3,065
2149

3월 20일 대성호우럭조황입니다

오늘도 대성호는 우리 손님들과 신나게 놀다 왔습니다 한분 두분 배에 승선하시는데 오늘도 제 마음을 심쿵하게 하는손님이 5섯분이나~^^ 잘 잡으셔야 할텐데 걱정을하고 2시간을 이동하여 첫 포인트 도착전 다섯번 정도 설명을드렸내요~첫 포인트 도착 삐~우당탕 우당탕~잘 나와주었고두번째 두마리 세번째 두마리...너무 마릿수가 적어 탐사갔던 곳으로 1시간 더 이동 삐~우당탕 우당탕  마릿수는 많이는 아니더라도 한번 흘릴때마다 싸이즈 좋은 우럭과 놀래미가다섯~여섯 마리 정도 씩은 나와주내요~ 그렇게 한참 잡고 있는데 점심때쯤  바람이 터지고 너울도 커지고...ㅠ 손님들에 안전을 위해 다시 다시 한시간 이동 요번에는 우럭이 아닌 놀래미 4짜가 우당탕 우당탕...ㅋ 그렇게 즐겁게 낚시를 하고 입항했내요~오늘 오신 모든 조사님들 넘 감사드리고 너울에 바람에 고생 많이 하셨습니다~즐거운 저녁시간 되세요~대성호는 항상 우리 손님들을 위해 어떠한 상황에서도 최선을 다하는 대성성호가 되겠습니다~            

대성호(낚시전용선)
대성호캡틴 03-20 3,234
2148

3월20일 뱃지주인공은 누규?

궂은 날씨에 클럽씨 찾아주신 조사님들 정말 수고 많으셨습니다.^^날씨가 흐린탓인지 조황이 썩 좋지 않았지만 웃는 얼굴로 낚시 즐겨 주셔서 감사합니다.오늘 주인공은 누규실까요?해랑호 김정진님^^뉴대성호 솔로무사님^^대양호 악당들팀 중 최재성님^^대성호 손석구님이십니다.^^ 축하축하 드립니다. 

+1 클럽씨남당댁
남당댁 03-20 2,846
2147

3월 19일 뉴대성호 "내만우럭" 조황입니다

안녕하세요~ 뉴대성호입니다^^ 짧은 겨울을 보내고 21년도 첫 출조를 다녀왔습니다~역시 아시는 분들이 대다수... 찾아주셔서 감사드립니다.아침은 역시나 안물어줍니다.그래도 열심히 찾아 다닌 결과. 그냥저냥우럭, 노래미, 볼락 들 얼굴보고 입항했습니다.사진으로 만나 보실까요? 내만우럭 채비는 출조점의 우럭짱이면 되고요,미끼는 염색오징어가 문안했습니다. 단, 오전은 잘라 쓰시는 것이 유리~내일도 기대해 보겠습니다.

뉴대성호(낚시전용선)
조PD 03-19 3,456
2146

3월19일 뱃지 주잇공은 누규?

오늘 출조해봤는데생각보다 따땃해서 좋았습니다~뉴대성호는 우럭 마릿수로 장원을 가렸는데 같은 마릿수로 두 분이네요^^이윤식님, 정현호님축하드립니다~~~ 

클럽씨남당댁
조PD 03-19 3,316
2145

3월 13일 해랑호 "우럭탐사" 조황입니다

안녕하세요~ 금일 해랑호 일일사무장 조PD입니다.해랑호가 오늘 우럭탐사를 다녀왔습니다. 잘 나올 때는 쌍걸이도 심심치 않게~ 남녀노소 할 것 없이 연신 올려주셨네요~  모든 분이 만족하지는 않으셨겠지만 정말 재밌다고 해주신 분들이 계셔서 감사한 하루였습니다~좋은 날씨에 또 해랑호 만나뵙겠습니다.참고로 저는 뉴대성호에서... ㅋ

+1 해랑호
조PD 03-13 3,364