오늘도 대성호는 우리 손님들과 신나게 놀다 왔습니다 ~
아주 멀리~멀리 큰 기대감을 가지고 평소보다 1시간 일찍 출발~
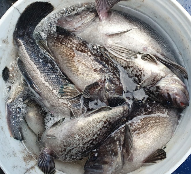
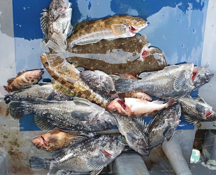
포인트에 도착하니 기상에 없던 바람에 너울에...ㅠㅠ 그래도 열심히 이곳 저곳을 돌아다녀 보지만 한마리 한마리 낮마리 수준으로 올라오는 우럭...바람에 너울만 없었더라도 큰놈들을 더 많이 잡을수 있었을텐데...
그래도 우리 조사님들 열심히 낚시 해주셔서 많이 잡으신분은 20여수 이상 그러나 못잡으신 분들은 4~5섯수
아쉬움이 많은 하루였내요 그래도 두세분 빼고는 다들 드실만큼 잡았다고 좋아하시니
정말 감사했습니다~
대성호는 2월에도 먼바다 우럭출조 합니다~^^















