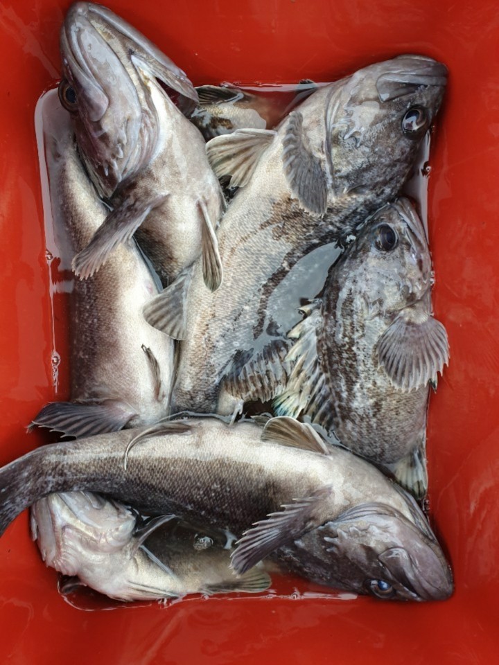
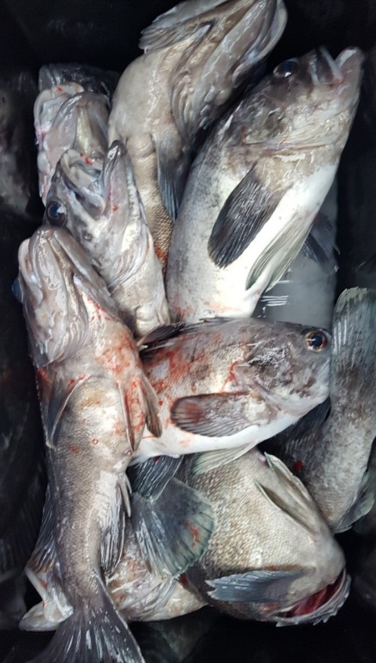
[대성호(낚시전용선)] 12월 20일 대성호 먼바다 우럭조황입니다

  • 대성호캡틴
  • 1
  • 3,162
  • 글주소
  • 12-20

오늘도 대성호는 우리 손님들과 신나게 놀다 왔습니다 ~

오늘은 8,6,4,명 단체 손님과 개인손님 한분 그리고 저에 아들과 함께 우럭낚시 다녀왔습니다 

먼바다를 향하여 출항을 하는데 너울이 생각보다 심하여 걱정을 했고 아니나 다를까 포인트 도착하여 낚시를 시작하는 신호음이 울렸는데...여덜 아홉분 정도가 심한 멀미로 인하여 취침 중 이시더라구요...그래서 포인트를 빼려 했으나 열심히 낚시 하시는 

분들께서 싸이즈 좋은 우럭을 잘 잡아 내시고 거기에 쌍걸이도 자주나오고 그래서 포인트를 뺄수가 없더라구요...그렇게 점심 먹기 전까지 꾸준히 한마리 한마리 나와 주었고 점심 식사후 광어 포인트에 진입을 했지만 우리 배에선 단 한마리도 못잡아내고 옆에 같이 흘렸던 다운샷배에서는 한마리 한마리 올라 오기에 심히 제 마음이 불편하여...ㅠㅠ 포인트를 뺄 수 밖에 없었내요 

그렇다고 우리 손님들이 실력이 없었던게 아니고 광어가 생미끼에는 반응이 없고 웜에만 반응을 했던거 같습니다

우리 손님들은 한분 빼고 모든 분들이 우럭채비에 오징어를 사용해서 반응이 없었던거 같습니다...그래서 다시 우럭,광어 포인트로 이동~~~그리고 점심 식사후 우리 손님들 두세분 빼고는 모두 나오셔서 열심히 낚시를 해주셔서 감사하고 출항해서 입항 할때 까지 멀미로 고생하신 우리 손님들 정말 정말 고생 많으셨습니다~


대성호는 우리 손님들께서 어렵게 시간내어 힐링하러 오신것을 알기에 우리 손님들께서 즐겁게 놀다 가실수 있도록 

최선을 다 하겠습니다~감사합니다








 
 
 



  내 엄지 손가락~~ㅋㅋ

조황정보

번호 제목 글쓴이 날짜 조회수
2144

3월 9일 대성호 우럭조황입니다

오늘도 대성호는 우리 손님들과 신나게 놀다 왔습니다 오늘은 손님 10명 모시고 우럭 사냥 다녀왔습니다~10명중에 생애 첫낚시가 2명...3명은 새벽에 반주로 술을 너무 많이 드신듯...에효...그치만 생애 첫 낚시 오셔서 인생참우럭  잡고, 우럭 잡고, 놀래미 잡고 아주 잼나게 잘 놀다가신다 말씀 해주셨고 한,두분 빼고는 모두 만족하신다 하며 즐거워 하셔 저도 기븐이 넘 좋으내요~ 이 시기에 광어도 두마리나 얼굴을 보여줘 광어 탐사에 희망이 보입니다~^^        

대성호(낚시전용선)
대성호캡틴 03-09 3,539
2143

2021년 3월 7일 해랑호 첫 우럭생활낚시 탐사 조황

사실 어제 첫출조했습니다...ㅡㅜ해넘은 후 처음뵙는 반가운 얼굴들도 많으시고...기쁜 맘으로 2021년 첫 출조를 했는데....싸한 분위기....ㅋ물과 바람.. 수온등.. 모든 것이 안맞는 날이었나봅니다.ㅜㅜ역시 아직은 이른 건가라는 생각으로 오늘 중외만권 탐사출조..한마리한마리 나와주기 시작하네요..^^이틀전 바람의 영향으로 물색과 수온이 맞지않아 어제는 그리 힘들었나봅니다.가까운 중외만권에서 여기저기 포인트찍으며 탐사진행하다가 혹시나 하는 맘에 내만권을 들어와 다시 탐사..내만권도 나와줍니다...^^3월초에 이정도의 조황이라면 왠지 이번 시즌은 조황이 나쁘지 않을 듯한 희망이..^^어제 오신 분들께는 너무 죄송했구여..ㅠ오늘 오신 분들도.. 아직은 쌀쌀한 날씨에 고생많으셨습니다.아직 수온이 낮은 탓에 그리 좋은 조황은 아니었지만 즐겁게 낚시해주셨다니 정말 감사합니다.이제 제대로 된 시즌의 시작이 얼마 안남았네요...ㅎ얼른 코로나시대가 종말되고 활기찬 즐낚의 생활이 되셨음 좋겠습니다...^^오늘 조황은 전체적으로 잘 잡으신 분이 우럭만 20마리 조금 안되게 잡으셨고.. 평균.. 7-10마리 사이이신 듯 합니다.노래미도 우럭만큼 나왔을라나...신기하게도 놀래미만 잡으신는 분들과 우럭만잡으시는 분들도 나뉘시고...ㅎㅎ수온이 낮은 탓에 우럭보다는 놀래미입질이 끊임없이 와서 그래도 심심하지는 않으셨다네요...^^사이즈는 역시 생활낚시라 그냥 그냥 먹을만한 정도...오히려 들어가기 전 내만권에서 괜찮은 사이즈가 나왔습니다.사진은 좀 미리찍어서 많이 없어보이네요..ㅎㅎ감안하시고 봐주시구여.. ^^아.. 그리고 올해부터 뉴해랑호 선장을 맡게된 이종훈 선장님께서 친히 오늘 오신 분들 우럭 모두 포를 떠 드렸네요...ㅎㅎ감사합니다...^^ 뉴해랑호도 많은 사랑 부탁드립니다..^^ 

뉴해랑호(낚시전용선)
해랑호 03-07 3,546
2142

3월7일 뱃지 주잇공은 누규?

대성호 "가태권'님 이십니다.^^대성호 '유성호'님이십니다.!공동 수상이네요^^축하드립니다.!!

클럽씨남당댁
남당댁 03-07 2,727
2141

2021년 이벤트및 운영공지

많은 사랑을 받은 20년도 클럽씨피싱 뱃지 이벤트가 21년도를 맞아 새롭게 리뉴얼 되었습니다.기존 룰은 같게 진행됩니다.작년 과도한 경쟁과 맘편히 낚시 할 수 없는 경쟁 구도가 있어작년 랭킹 탑10 조사님들과의 경쟁에서도 재미를 느끼실 수 있는 "정면 승부로 받자!"가 추가 되었습니다.또한, 더 많은 조사님들이 이벤트 상금과 상품을 받으실수 있도록 시상내역을 확대하였습니다. 자세한 내용은 아래 공지를 참조하시면 됩니다.!《작년 탑10 조사님이십니다.》1. 천승찬님2. 김장익님3. 신현수님4. 구기성님공동5. 윤시순님, 유성호님7. 임영철님공동8. 김성권님, 김두환님10. 유성진님 안녕하세요? 클럽씨피싱남당점 운영진입니다.21년 새롭게 펼쳐지는 이벤트들 중 5월 가정의 달 특별 이벤트를 소개하려 합니다.^^찐 가족을 위한 이벤트이므로 "가족관계증명서"로 인증해주시면 됩니다.자세한 내용은 010-5333-3888 로 문의해주세요^^감사합니다.^^  안녕하세요? 뉴대성호 선장입니다.2020년 코로나로 다들 힘드셨죠? 이번해에는 코로나를 이겨내고 맘편하게살아갈수있는 세상이 되었으면 합니다. 다들 힘내세요~!!작년에 프리미엄좌석서비스 반응이 너무좋아 이번년도에도 연장하기로 결정하였습니다^^21년 안전하고 여유로운 낚시를 위한" 프리미엄 비워두기 좌석 서비스 "에 대해 소개하려합니다.   『프리미엄 비워두기 좌석 서비스』란?- 작년 코로나 19로에 인원을 적정 축소하여 출조하게 되었습니다. 같은 내용으로 21년에도 진행하게 되었습니다.  조사님들의 이해를 위해 "비워두기" 좌석 서비스로 이름이 변경되었습니다. (코로나 19 사회적 거리두기는 보너스!!)   ▶ 인원조정은 어떻게 되나요?-  뉴대성호 9.77t 낚시전용선 2명 비워두기   (뉴대성호는 배가 커요^^) -  해랑호, 대성호 9.77t 낚시전용선 4명비우기-  화성호  8.55t 낚시전용선  4명비우기-  대성1호,대양호,뉴해랑호,대성2호,동백호 7.93t 낚시전용선 3명비우기   ( *생활우럭낚시부터 프리미엄 비워두기 좌석서비스를 운영합니다.)   ( *단 생활낚시 주꾸미,갑오징어 백조기는 그대로 정상운영됩니다.)   ( *상황에 따라 제한인원에서 +1인 추가될수도있습니다.)   ▶소규모프리미엄독배서비스(준비중) - 코로나가 잠잠해지면 소규모 독배로 여유로운 낚시를 체험해보세요-17인승~22인승배를   5~9인 소규모 평일 프리미엄독배 90만원에...-코로나 상황에 맞게 운영하겠습니다-독배문의 환영합니다 010-5333-3888  자세한 내용은 문자, 전화로 문의주시면 설명해드리겠습니다.^^힘찬 한 주 보내시길 바랍니다.^^】

뉴대성호(낚시전용선)
남당댁 03-06 6,327
2140

3월 4일 대성호 우럭조황입니다

오늘도 대성호는 우리 손님들과 신나게 놀다 왔습니다 손님 8분 모시고 먼바다~물 안가는곳을 이곳 저곳 찾아다니며 우럭잡고 왔내요~대사리 기간이지만 싸이즈 좋은 우럭들도 얼굴을보여주고 특히 참우럭이 4짜 얼굴도 보고왔내요      

대성호(낚시전용선)
대성호캡틴 03-04 3,704
2139

2월 19일 대성호 우럭조황입니다

오늘도 대성호는 우리 손님4분과 임팩트있게 놀다 왔내요~^^기상이 많이 안좋아서 오전만 낚시 하고 조기 입항 할수있어 취소할까 고민고민 또 고민하다 결국엔 조사님들께 선택 권한을 드리기로 결정하고 취소하셔도 100%환불 해드린다고까지 문자를 보내드렸는데 그래도 바다가보고싶은분이 4분이나 계셔 출항을 했습니다아니나 다를까 7시30분~11시30분까지 딱 4시간하고 철수했내요~우리 조사님들 고생 많으셨습니다~~~~~4시간 낚시 조황조황: 1등 4짜우럭 2마리 포함 총 12마리         2등 4짜우럭, 놀래미 포함 9마리         3등  4짜우럭 포함  총7마리 두마리 방생        4등  우럭3마리 놀래미 한마리 총 4마리점심을 항에 들어와서 준비 하는동안 손님들께서 고기를 다들 손질하셔  쿨러에 담아놓아 싸이즈는 측정을 못했내요~내일도 너울이 있을것으로 예상합니다 너울때문에 힘들어 하시는조사님들께서는 다음 기회에 오시는걸 추천 드립니다~☆파란 비닐봉지를 배에서 드린거라 사진이 비슷비슷 하내요~    

대성호(낚시전용선)
대성호캡틴 02-19 4,134
2138

2월6일 거정호 열기조황(클럽씨피싱 완도점)

2021년 2월6일 클럽씨피싱 완도점 거정호 먼바다 사수권.추자권 열기 조황입니다.처음 도착후 반짝입질이 전부~낱마리 돌아다니면서 쿨러 채우고 왔습니다. 찾아주신 한국낚시아카데미 조사님들 감사하고 수고많으셨습니다.                      

완도점
클럽씨피싱완도점 02-09 3,165
2137

2월6일 클럽씨호 방어지깅조황 (클럽씨피싱 완도점)

지깅하시느라 고생많으셨습니다.지깅은 체력을 충분히 보층하고 오셔야합니다.후반전쯤되면 방전이 되어서 많이 힘들어 하십니다.오늘도 수고 많으셨습니다.감사합니다.http://www.clubseawando.co.kr/post/240  

완도점
클럽씨피싱완도점 02-09 3,746
2136

1월 23일,24일 뺏지주인공은 누구?

안녕하세요?^^ 남당댁입니다. 2021년 1월 첫출조가 있었는데요!대성호 먼바다 우럭 다녀왔습니다.! 23일, 24일 뺏지 주인공은 누구실까요?^^23일, 한민형 고객님 이십니다.^^24일 최귀호 고객님 이십니다.! 축하드립니다.!!! 

클럽씨남당댁
남당댁 01-26 2,977
2135

1월 24일 대성호 우럭,조황입니다

오늘도 대성호는 우리 손님들과 신나게 놀다 왔습니다 ~아주 멀리~멀리 큰 기대감을 가지고 평소보다 1시간 일찍 출발~포인트에 도착하니 기상에 없던 바람에 너울에...ㅠㅠ 그래도 열심히 이곳 저곳을 돌아다녀 보지만 한마리 한마리 낮마리 수준으로 올라오는 우럭...바람에 너울만 없었더라도 큰놈들을 더 많이 잡을수 있었을텐데...그래도 우리 조사님들 열심히 낚시 해주셔서 많이 잡으신분은 20여수 이상 그러나 못잡으신 분들은 4~5섯수아쉬움이 많은 하루였내요 그래도 두세분 빼고는 다들 드실만큼 잡았다고 좋아하시니 정말 감사했습니다~대성호는 2월에도 먼바다 우럭출조 합니다~^^        

대성호(낚시전용선)
대성호캡틴 01-24 4,467
2134

1월 23일 대성호 우럭,조황입니다 2월에도 출조합니다~^^

오늘도 대성호는 우리 손님들과 신나게 놀다 왔습니다 ~어제와는 다른 기상 상황 너울도 있고 바람도 있고....하루종일 시원한 입질은 없고이놈에 예민한 우럭들이...그래도 잘 잡으시는분은 20여수 못잡으신분은 5~6수그래도 다들 열심히 하셔 드실만큼은 잡으신듯 하내요~      

대성호(낚시전용선)
대성호캡틴 01-23 3,052
2133

1월21일 완도 클럽씨호 방어조업중 대물히트 영상

안녕하세요~ 조PD 인사드립니다^^; 너무 오랜만이시죠? 죄송합니다.ㅎㅎㅎ오늘 클럽씨호가 선장 및 사무장님들과 조업을 다녀왔습니다.메다 훨 넘어버리는 대물과의 한 판!영상으로 만들어 봤습니다~아무쪼록 재미나게 보시고 클럽씨호 많은 사랑 부탁드립니다^^ 헤헤;아래링크 클릭!!!!https://youtu.be/VUM2GZU4n1Yhttps://youtu.be/VUM2GZU4n1Y  

완도점
클럽씨피싱완도점 01-22 4,036
2132

2021년 첫 출항 1월 22일 대성호 우럭,조황입니다

오늘도 대성호는 우리 손님들과 신나게 신나게 놀다왔습니다 8분 모시고 우럭사냥 다녀왔습니다~싸이즈 좋은 4짜이상 우럭들은 다들 한,두마리씩 잡으셨고 여성 조사님만 3마리~^^5짜 우럭도 얼굴을 보여주내요~^^    

+2 대성호(낚시전용선)
대성호캡틴 01-22 3,591
2131

지금도 조황정보를 보고 계시는 클럽씨 조사님들! 새해 복 많이 받으세요~

클럽씨피싱 조사님들!새해 인사 동영상으로 준비해보았습니다!아래 링크로 가보시죵~https://youtu.be/eGKNIIyQDwQhttps://youtu.be/eGKNIIyQDwQ​ 

+1 클럽씨남당댁
조PD 12-31 4,002
2130

12월22일 뉴대성호 주꾸미조황

날씨가 추워져서 잘잡히지않네요~~이곳저곳 많이돌아다녔지만 소량씩만나와주었습니다낙지도 좀나와주었습니다추운데 고생많으셨구요한해 코로나로 힘드셨을텐데 클럽씨피싱이 조금이나마 힐링및 위안이되었으면 합니다코로나로인한 5인이상 집합금지등 코로나예방차원으로자율적으로 이번년도는 조금일찍 시즌오프합니다 내년 3월에 뵙겠습니다^^매해 더욱성장하고 노력하는 클럽씨피싱되겠습니다^^ 

뉴대성호(낚시전용선)
뉴대성호 12-23 3,510
2129

12월 22일 마지막 뱃지 주인공은 뉴규??

오늘이 마지막이 될 줄 몰랐습니다... ㅎㅎㅎ뉴대성호만 출조하였는데용20년도 랭킹합산의 마지막 주인공은 뉴규??? 뉴대성호 조현묵&박동춘님!두 분 축하드립니다^^그럼 코로나가 물러간 내년 시즌을 기약하겠습니당!!다들 건강하시고 감사합니다~

클럽씨남당댁
조PD 12-22 3,604
2128

12월20일 뉴대성호 먼바다우럭조황

몇일간 바람파도에 출항은 못하고 오랜만에 출항을 다녀왔습니다수온이 많이떨어졌네요~너울도 상당하군요~씨알은 큰편이였으나 마리수는 좀 아쉬웠습니다 

뉴대성호(낚시전용선)
뉴대성호 12-21 4,793
2127

12월 20일 뱃지 주인공은 뉴규??

한참을 쉬고 다시 돌아온 조PD입니다! 오늘 먼바다 우럭다녀왔습니다~아침 너울이 장난이 아니었어요^^;오늘의 뱃지 주인공은 뉴규??대양호 박성규님대성호 박종화님 뉴대성호 굿조사님^^모두모두 축하드립니다^^

클럽씨남당댁
조PD 12-20 3,789
2126

12월 20일 대성호 먼바다 우럭조황입니다

오늘도 대성호는 우리 손님들과 신나게 놀다 왔습니다 ~오늘은 8,6,4,명 단체 손님과 개인손님 한분 그리고 저에 아들과 함께 우럭낚시 다녀왔습니다 먼바다를 향하여 출항을 하는데 너울이 생각보다 심하여 걱정을 했고 아니나 다를까 포인트 도착하여 낚시를 시작하는 신호음이 울렸는데...여덜 아홉분 정도가 심한 멀미로 인하여 취침 중 이시더라구요...그래서 포인트를 빼려 했으나 열심히 낚시 하시는 분들께서 싸이즈 좋은 우럭을 잘 잡아 내시고 거기에 쌍걸이도 자주나오고 그래서 포인트를 뺄수가 없더라구요...그렇게 점심 먹기 전까지 꾸준히 한마리 한마리 나와 주었고 점심 식사후 광어 포인트에 진입을 했지만 우리 배에선 단 한마리도 못잡아내고 옆에 같이 흘렸던 다운샷배에서는 한마리 한마리 올라 오기에 심히 제 마음이 불편하여...ㅠㅠ 포인트를 뺄 수 밖에 없었내요 그렇다고 우리 손님들이 실력이 없었던게 아니고 광어가 생미끼에는 반응이 없고 웜에만 반응을 했던거 같습니다우리 손님들은 한분 빼고 모든 분들이 우럭채비에 오징어를 사용해서 반응이 없었던거 같습니다...그래서 다시 우럭,광어 포인트로 이동~~~그리고 점심 식사후 우리 손님들 두세분 빼고는 모두 나오셔서 열심히 낚시를 해주셔서 감사하고 출항해서 입항 할때 까지 멀미로 고생하신 우리 손님들 정말 정말 고생 많으셨습니다~대성호는 우리 손님들께서 어렵게 시간내어 힐링하러 오신것을 알기에 우리 손님들께서 즐겁게 놀다 가실수 있도록 최선을 다 하겠습니다~감사합니다     내 엄지 손가락~~ㅋㅋ

+1 대성호(낚시전용선)
대성호캡틴 12-20 3,163
2125 바다이야기 12-20 3,507