[동백호(낚시전용선)] 11월25일 동백호 우럭조황

  • 동백호
  • 1
  • 3,689
  • 글주소
  • 11-25







 

조황정보

번호 제목 글쓴이 날짜 조회수
2104

2020년 뱃지이벤트 랭킹현황~!!(12월11일수정)

 안녕하세요? 클럽씨피싱 랭킹 도전 중간결산보고입니다. ( 20년도 획득한 기준입니다.)1위.      천승찬님(36개)2위.      김장익님(24개)3위.      신현수님(22개)4위.      구기성님(17개)공동5위.윤시순님(14개)              유성호님(14개)7위.      임영철님(11개)공동 8위.김성권님(10개)               김두환님(10개)10위.     유성진님(9개)11위.     서원석님(8개)12위      한민형님(7개)공동13위. 박광남님(6개)            이용범님(6개)            정관님(6개)            김환태님(6개)            김남조님(6개)            심우상님(6개)            정석민님(6개)            이상덕님(6개)            양한성님(6개)             김태선님(6개) 공동23위. 강승범님(5개)            조성권님(5개)            조유복님(5개)            김하중님(5개)            최순식님(5개)            최원우님(5개)            오창렬님(5개)            안재홍님(5개)이상 30위 까지 순위입니다. ( 뺏지 개수에 대한 이의제기는 12월 20일까지 클럽씨피싱 대표전화로 문자 넣어주세요)***  마지막 출조가 얼마 남지 않은 듯 하네요^^  ***(남은기간에 1뺏지 획득으로 순위 경쟁에 도전하세요^^)

+2 클럽씨남당댁
뉴대성호 12-03 7,424
2103

11월 29일 뱃지 주인공은 뉴규??

남당에 첫 눈이 내렸습니다. 찔끔~첫 눈 내린날의 뱃지 주인공은 뉴규??뉴대성호 김장익 & 구기성 님해성호 천승찬님동백호 김두환님모두모두 축하드립니다^^내일은 기상악화로 쉽니다~~~~

+6 클럽씨남당댁
조PD 11-29 5,855
2102

11월4일 늦은 뺏지 주인공은?

뉴대성호 신철영님!대성호 김하중님!대양호 백승한님!대성1호 김상현님!동백호 전중완님 이십니다.!! 

+1 클럽씨남당댁
남당댁 11-29 4,880
2101

11월27일 갈치낚시조황(클럽씨피싱 완도점)

2020년 11월26일 클럽씨피싱 완도점 먼바다 조황입니다.소수인원으로 먼바다 갈치잡으러 갔다왔습니다.하루 하루가 모르는 상황, 어제와는 다르게 대갈치들이 물어주네요, 몇일 기상악화로 쉬어야 할 듯합니다.클럽씨피싱 완도점을 찾아주신 조사님들 감사하고 수고많으셨습니다.http://www.clubseawando.co.kr   

완도점
클럽씨피싱완도점 11-29 4,748
2100

11월26일 뉴대성호 주꾸미조황

조사님들 먹을만큼은 잡으신것같아 다행입니다여조사님이 1등을 해주셨네요 대단해요^^날이추워지며 기상이 안좋습니다최대한 출항가능한날만 출항예정이며주꾸미는 다음좋은 물때인 조금무시물때까지 하며12월24일은 주꾸미졸업 감사이벤트출조12월26일은 씨에스피싱 카페동출이 잡혀있군요^^ 

뉴대성호(낚시전용선)
뉴대성호 11-28 4,768
2099

날씨로 인하여 주말 취소가 아쉬우시죠? 다운샷 랜딩영상 시청해보세요~

안녕하세요~ 조PD입니다!! 비오고 추운 어느 쉬는 날!클럽씨피싱 가족들과 다운샷 대회를 오전동안 용진호로 다녀왔습니다~과연 어떠한 일들이 있었는지 아래 링크를 타고 감상하세요~아직 구독 안하신분 계시려남??https://youtu.be/eslvSnzyB08  

+1 수나2호(낚시전용선)
조PD 11-28 4,882
2098

11월 26일 뱃지 주인공은 뉴규??

안녕하세요~ 조PD입니다! 오늘은 제가 에기로 물메기를 올려서 손님께 이벤트로 드렸네요^^맛있게 지리로 드세요~~자~ 오늘도 조촐하게 세 분의 뱃지 주인공이 탄생하였는데요.과연..... 뉴규??세요??뉴대성호 현여진님~동백호 강영기님해랑호 조의형님물메기가... 크죠?암튼, 모두모두 축하드립니다^^내일은 기상악화로 바이바이... 

클럽씨남당댁
조PD 11-26 4,535
2097

11월26일 동백호 주꾸미조황

오늘 최고120여수 5.4키로 최저 3키로네요낙지도 잘 나와주고요평균 4키로대네요 

동백호(낚시전용선)
동백호 11-26 4,817
2096

11월 25일 해랑호 쭈꾸미 조황

오늘은 뉴대와 두 배만 출조 했습니다...내만을 위주로 돌아다녔는데잘잡으신 분의 마리수는 어제와 비슷 ... 최저 마리수도 40마리는 넘은 듯 합니다...평균 마리수는 50-60수정도...마지막 졸업시즌이라 그런지 생초보분보다는 그래도 좀 해보신 분들이 오신건지... 그래도 기본 마리수는 해주시네요...^^추운데 고생들 많으셨습니다....오늘도 감사했습니다...^^ㅋ 창고 대방출입니다...ㅎㅎ아무래도 씨알이 좀 적다보니 키로수로 1등을 판가름하기가 쉽지가 않네요...ㅎ세분 모두 오차범위 100g 내외라...^^최고 마리수는 101마리... 이 중에 최저 마리수하신 분은 갑이 한마리 잡으셨는데.... 그것때문인지... 킬로수가 비슷하시네요...ㅎㅎ하여간 추운데 다들 열심히 잡아주셔서 세분 모두 뺏지 자격이 있으신 분들이라......모두 드렸네요....고생들 하셨습니다...^^ 

뉴해랑호(낚시전용선)
해랑호 11-25 4,016
2095

11월24일 갈치낚시조황(클럽씨피싱 완도점)

2020년 11월24일 클럽씨피싱 완도점 먼바다 조황입니다.초저녁 부터 사정없이 입질 시작 밤새 물어주네요.갈치들이 살이 붙어 오동통합니다..항상 아쉬움은 씨알~(꼭 필요한 골라잡기) 마릿수를 보면 언제 끝날지 모를정도로 많이 나옵니다. (윤달이 있어서 조금 늦게까지 하지 않을까 생각합니다)클럽씨피싱 완도점을 찾아주신 조사님들 감사하고 수고많으셨습니다.www.clubseawando.co.kr  

완도점
클럽씨피싱완도점 11-25 3,587
2094

11월25일 뉴대성호 주꾸미조황

오늘은 차분히 공략해봅니다꾸준히나와주네요초보분들도 많으셨지만 드실만큼잡아가셨네요~천스타님도 세자리수를 넘겨주셨습니다나오는걸로봐서는 돌아오는 조금무시때도 많이는 아니더라도 좀나와줄듯합니다^^ 

+1 뉴대성호(낚시전용선)
뉴대성호 11-25 4,183
2093

11월24일 뉴대성호 주꾸미조황

가끔 먼가 안맞을때가 있죠...호기롭게 큰거잡으로 해랑호랑 외만을 나갔다왔구요너무안나와서 마지막에는 내만에서 조금이나마 잡고들어올수있었습니다죄송합니다 많이 잡게해드리고싶은마음에 한달에한번쯤은 삐끗하네요내년에 못잡은거 더잡게하겠습니다^^ 

+1 뉴대성호(낚시전용선)
뉴대성호 11-25 3,531
2092

11월 25일 뱃지 주인공은 뉴규??

안녕하세요~ 오늘 클럽씨 주꾸미는 뉴대성호와 해랑호만 다녀왔습니다~금 주 중 가장 따뜻한 날씨였는데요~오늘의 장원은 뉴규??해랑호 유호운&신동현&김하중님 세 분 축하드립니다~ 뉴대성호 천승찬님축하드립니다~

클럽씨남당댁
조PD 11-25 3,381
2091

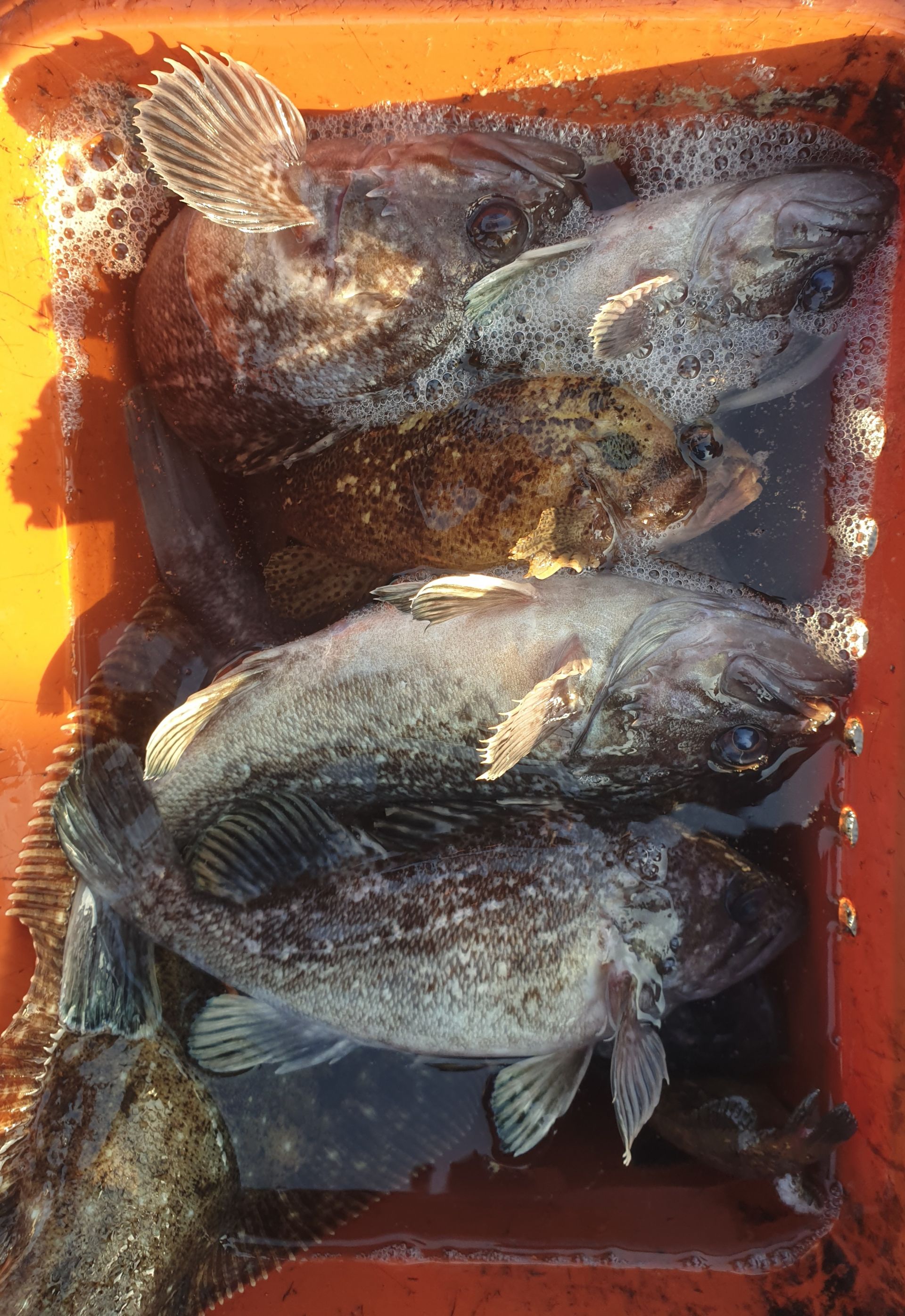
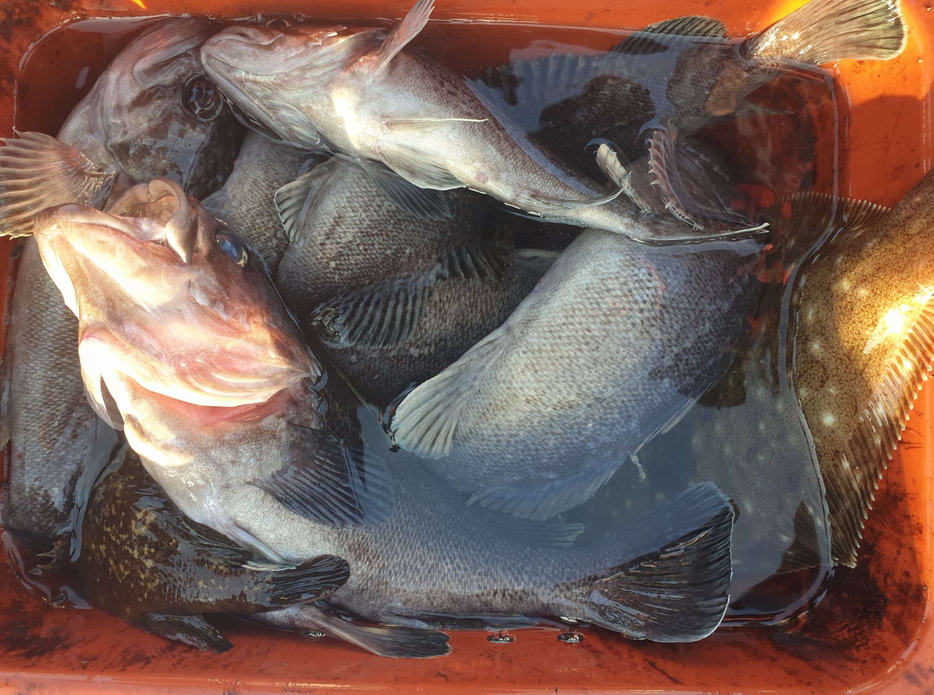
11월25일 동백호 우럭조황

 

+1 동백호(낚시전용선)
동백호 11-25 3,690
2090

11월 24일 해랑호 쭈꾸미 조황

오늘은 해랑호와 뉴해랑호의 콜라보~~거창하지만.. 결국 해랑호가 기름이 없어서 뉴해랑호타고 손님들과 출조 했네요..ㅎㅎ처음엔 제가 선장을 하고 뉴해랑호 선장님께서 사무장을 봐주시기로 하셨는데어찌어찌 하다보니 뉴해랑호 선장님이 익숙한 배의 선장을, 저는 삼장이 되어버렸네요..그래서 진짜진짜 오랜만에 조사님들과 즐거운 시간을 보냈습니다.처음으로 제 배에서 낚시도 해보고..조사님들 한분한분과 이런저런 얘기도 하면서 즐거운 하루 보내고 왔습니다..어제 마리수에 비해 씨알이 작어서 오늘은 과감하게 외만으로 고고~~ 좀 적게 잡더라도 큰 놈 잡으러가자는 맴으로 갔는데의외로 마리수까지 나와주어서 다들 드실 만큼 잡아가셨습니다..ㅎ한분만 조금 적게 잡으셨는데 그나마 제가 잡은거 나눔 해드려서 한분도 빠짐없이 평균 조황정도는 가져가셨는데...이런 날이 선장으로써는 가장 기분이 좋습니다...오늘 최고의 찬사...^^낚시 다녀본 날들중 오늘이 가장 즐거우셨다는 분도 계셨네요...오늘 한분한분 너무너무 감사드리구여... 저도 조사님들 덕분에 정말정말 즐거운 하루 보내고 왔습니다.조사님들만큼 저도 힐링하는 하루였네요...ㅎㅎ오늘도 역시 모든 조사님들 감사드리구여... 저도 올 쭈꾸미시즌 중 손가락안에 꼽을 만큼 즐거운 하루였네요....^^아, 마지막으로 올시즌 뉴해랑호 마지막 출조였구여... 그동안 수고해주신 박현수선장님 감사했습니다....^^자타공인 선단 탑클래스이신 구*성님... 시즌 전에 제 배 한번이라도 타보시겠다고 처음으로 오셨는데...ㅎㅎ 결국 뉴해랑호 타셨네요...^^담엔 꼭 해랑호 함 이용해주시기바랍니다....ㅎㅎ가끔 클래스분들 타시면 어찌나 그리 잘 잡으시는지 같은 낚시꾼으로서 경탄을 마지않는데... 이분도 역시 그러시네요..이런 조황 안좋은 시기에 세자리 마리수에 무게는 가볍게 7킬로....ㅋ오늘 즐거운 낚시 해주셔서 감사했습니다....^^ 

뉴해랑호(낚시전용선)
해랑호 11-24 3,657
2089

11월 24일 대성호 주꾸미조황입니다

오늘도 대성호는 우리 10분에 손님들과 신나게 놀다 왔습니다 조황: 1등 배♡♡님 114수, 2등 ☆☆☆님 약 100수, 3등 ♤♤♤님 96수, 4등 ♧♧♧님 70수초보조사님 6섯분은 평균 40수정도 하셨내요날씨도 추운데 정말 수고 많이 하셨고 고생하셨습니다~     

+1 대성호(낚시전용선)
대성호캡틴 11-24 2,943
2088

11월 24일 뱃지 주인공은 뉴규??

안녕하세요~ 조PD입니다. 어제보단 덜 추운 하루였습니다~조황도 어제보다 더 나아진 하루였고요~오늘의 뱃지 주인공은 뉴규??해랑호(뉴해랑호) 구기성님동백호 김태관님동백호 신현수님대성호 배종옥님뉴대성호 안재홍&임철용님모두모두 축하드립니다!뱃지는 뱃지일 뿐 재미나게 즐기시는게최고가 아닐까요?~~~ 

클럽씨남당댁
조PD 11-24 2,759
2087

11월24일 해성호 주꾸미 조황

오늘 5분 조사님들과 황제낚시 다녀왔읍니다역시 황제낚시라서인지 잘~자으시네요...ㅎㅎ아침에 약간은 주춤한듯 했으나 꾸준히 잡아내셨읍니다평균 100수 넘겼고요 전원4.5Kg ~ 5.1Kg정도 잡으셨읍니다고생 많으셨읍니다 

+1 해성호(낚시전용선)
해성호 11-24 2,998
2086

11월 23일 해랑호 쭈꾸미 조황

시즌 막바지까지 물때좋은 주말엔 날씨가 안좋다....라는 법칙이 어김없이 적용되네요...일요일 하루쉬고 낚시 다녀왔습니다.사실 어제 물뒤집어지고, 바람쎄고.. 개체수는 많이 줄고...날도 갑자기 추워지고...오늘 어떨까 걱정했는데 생각보다? 요즘들어 마리수로는 걍 평타이상인 듯...평균 조황이 60마리는 넘는 듯 합니다... 1등하신 분은 100마리 모자르게 잡으셨는데..80마리대 잡으신 분이 좀 많네요... 그 외도 골고루 다들 잘 잡으신 듯...근데.. 씨알이 좀 작아서...ㅠ 흠.. 이 놈들이 언제나 클까... 하는 생각...근데 클때쯤이면 시즌도 끝나있겠져...ㅎㅎ내일은 바람도 적고, 물도 오늘보단 더 흐를테고... 기온도 오늘보다 높고....더 잘 나와줘야 되는데... 이제껏 이런 법칙이 통한 적인 없어서...ㅋ하여간 내일도 열심히 이리저리 다녀 보겠습니다...오늘 오신 조사님들... 추운데 정말 고생많으셨구여.... 오늘도 역시나 감사했습니다...^^우리 스피닝고수십니다...오후에 너무 춥고 몸이 얼어서 거의 2시간 가까이 남들 다 잡는데 혼자만 거의 낚아올리지 않으셧?? 아니 못하셨는데도... 이 정도네요...정말 마지막엔 선장실에 찾아오셔서 제 손을 그 차가운 손으로 꼭 잡으시면서 추워서 죽겠다구... 들어가자고.....ㅎㅎㅎㅎㅎ제 욕심엔 조금 더 해서 100마리 넘기고 들어오려다 2시간동안 7마리 잡으셨는데.... 얼마나 더 잡으실까해서 걍 들어왔습니다...ㅎㅎ오늘 평균조황의 수훈 갑이십니다.. 이분 못잡으시던 시간에 다른 분들이 많이 잡으셨네요...^^ 감사드립니다....ㅎㅎ 

뉴해랑호(낚시전용선)
해랑호 11-23 3,551
2085

11월23일 해성호 주꾸미 조황

무쉬~무시무시하게 안나올까봐 걱정했읍니다허나 걱정과는다르게 저조한 출발을 했으나 해가 나기시작하고약간씩이지만 수온이 점점 올라가면서 아쉬운듯 꾸준히나와주었읍니다바람땜에 좀 춥긴 했어요^^;;고생 많으셨구요 따스한밤 보내세요 

해성호(낚시전용선)
해성호 11-23 3,095