[뉴대성호(낚시전용선)] 5월30일 뉴대성호 외수질조황

  • 뉴대성호
  • 1
  • 4,943
  • 글주소
  • 05-30

오전내내꽝치다가 씨알좋은 우럭과
광어몇마리잡고 체면치레하고 들어왔습니다

요즘 왜이리 물고기가 안나오는지 ㅠ
즐겁게 바람쎄시고 가시기만을
바랄뿐입니다~ 































 

조황정보

번호 제목 글쓴이 날짜 조회수
1184

5월 31일 뉴해랑호 중외만우럭 조황

얼렁 생활낚시 접고 전문낚시로 전향해야 되지 않을까 합니다...평균 우럭만으로 1분당 최하 10마리는 잡으셔야 하는데 요즘 그렇게 좋치 않네요..ㅠㅠ배에서 20마리만 나와도 되는 전문낚시보다그래도 150마리는 나와야 욕은 안먹겠구나 하는 우럭생활 낚시가 왠지 힘들어보이는..ㅎㅎ이상은 선장 넋두리였구여..^^오늘 고생하신 조사님들 너무 감사합니다.   

뉴해랑호(낚시전용선)
뉴해랑호 05-31 3,591
1183

5월 31일 대성호 다운샷조황

오늘은 13분 조사님과 함께 낚시를 했습니다~그러나 ...13분 중에 다운샷이 생에 첫낚시인 분이 무려...무려...8분이나 계신거 아니겠습니까..ㅠㅠ새벽에 배에 올라  시동을 걸고 손님을 맞이하는데 선장님 구명조끼 어디있나요...선장님 낚시대,릴 어디다 두나요...진짜 너무 힘든 하루가 될거같고 다운샷에 경험이 있으신 분들께 피해를 드릴까봐 두려웠습니다....ㅠㅠ 그래서 1번~12까지 왕 초보님들이 14번~20번까지 경험있으신분들이 자리를 알아서 분리 하시더라구요...휴~~~그래서 우리 초보 조사님들 베이트릴 사용법 부터 드렉조절 바닦 확인하는법 암튼 전반적으로다 교육을 하고 낚시를 시작했습니다그런데....헉​이게 왼일입니까 우리 초보 조사님들께서 히트~~히트~~또 히트~~그렇게 8짜 7짜 6짜 5짜 그것도 한두마리가 아닌 3마리 까지 잡으신 분도 계시고 마지막 광어 8짜도 초보 조사님께서 헉~~~~와~~~~~~그렇게 광어 14마리중 12마리를 생에 첫 낚시인 초보 조사님들께서 잡아 올리시고 그래도 나름 낚시좀 한다하시는 조사님들께서는 4짜 2마리..농어 한마리...끝 오늘은 정말 신기한 하루였습니다  아차 그리고 10여년 만에 초보 조사님 덕에 손낚시도 했내요 초보 조사님께서 희트를 했는데 릴이 고장이 난거죠 그래서 제가 69짜 광어랑 밀당을 해서 간신히 올렸내요 오늘은 참 신기한 하루였습니다(우리 선수 분들이 많이 못잡아 마음에 많이 걸리긴 했습니다,,ㅠㅠ)​대성호에 승선 하신 모든 조사님들께 선장이 직접 광어 잡는 법을 교육 할 것이며 낚시 도중  1:1 맞춤 교육을 진행합니다(그럼 줄은 누가잡고 배는 누가 움직이냐구요?  궁금하시면 낚시 하러 오세요~~~)오늘 보다는 내일이 내일 보다는 모레가 하루 하루 더 노력하여 발전하는 대성호가 되도록 최선을 다 하겠습니다  날씨; 맑음물색: 맑음 조황: 광어 14마리: 81,72,71,67,60,58,54,나머지 48~42 7마리 42한마리 방생(5섯분 단체 분들이 첫 낚시 기념이고 많이 잡았으니 한마리 방생한다내요...) 2마리 선상 회파티~ 농어 63추천웜: 다미끼 오랜지,레드펄, 라팔라 핑크,워터멜론아쉬음: (우리 선수 분들이 많이 못잡아 마음에 아픔니다...ㅠㅠ)중요사항: 드렉조절은 필수, (스피닝 릴, 우럭대는 아니아니 아니되요~)생에 첫 다운샷 제 고향 후배 81 ㅊㅋㅊㅋ생에 첫 다운샷 72,48 축하드립니다생에 첫 다운샷 71,54 축하드립니다 생에 첫 다운샷  이렇게 낚시하며 3마리 대박~~ 축하드립니다 ​ 

대성호(낚시전용선)
대성호캡틴 05-31 4,426
1182

5월31일 대양호 외수질 조황

 

대양호(낚시전용선)
바다이야기 05-31 3,424
1181

5월31일 뺏지이벤트주인공은?

5월의 마지막 날... 오늘의 클럽씨피싱 뺏지 주인공은 누구인가!!!축하드립니다.^^ 뉴대성호 조은성님! 대양호!! 어복작렬 한승민님 이십니다.항상 꽝이 없는것 같으신데.. 어복아닌 실력인데요?대성1호!!한광용님이십니다.^^ 축하드려유~ 축하드립니다.!!뺏지 2개째시쥬? 뉴해랑호 박재인님이십니다.! 마지막으로!! 대성호 오전내내 꽝으로 계시다가 오후 늦게 힛트하신 선장님 친구분이십니다.^^ 축하드려유~~

클럽씨남당댁
남당댁 05-31 3,017
1180

5월31일 뉴대성호 다잡아외수질조황

다잡아외수질다녀왔습니다^^잘나오지는 않지만 우럭놀래미광어가가끔씩나와주었구요어초를타다보니 새우가 떨어져서입항후 새우를 다시사가서 마지막까지 하고들어왔습니다마지막에 농어몇마리에 기분업^^생애첫광어 농어 축하드립니다아~ 농어잡으신2분이집에 임산부가 계시다니몸에좋은 농어 맛있게드세요^^ 

+1 뉴대성호(낚시전용선)
뉴대성호 05-31 4,631
1179

5월30일 대양호 외수질조황

 

대양호(낚시전용선)
바다이야기 05-30 4,508
1178

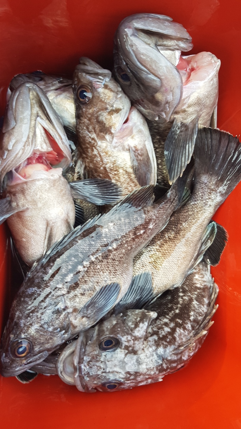
5월30일 뉴대성호 외수질조황

오전내내꽝치다가 씨알좋은 우럭과광어몇마리잡고 체면치레하고 들어왔습니다요즘 왜이리 물고기가 안나오는지 ㅠ즐겁게 바람쎄시고 가시기만을바랄뿐입니다~  

+1 뉴대성호(낚시전용선)
뉴대성호 05-30 4,944
1177

5월 30일 대성호 다운샷조황

오늘은 제가 가입되어있는 네이버 카페 팀임팩트 회원분들과 함께 재미지게 놀다 왔내요~ 대성호에 승선 하신 모든 조사님들께 선장이 직접 광어 잡는 법을 교육 할 것이며 낚시 도중  1:1 맞춤 교육을 진행합니다(그럼 줄은 누가잡고 배는 누가 움직이냐구요?  궁금하시면 낚시 하러 오세요~~~)오늘 보다는 내일이 내일 보다는 모레가 하루 하루 더 노력하여 발전하는 대성호가 되도록 최선을 다 하겠습니다  날씨; 맑음물색: 맑음 조황: 광어 6짜,5짜,4짜 10마리 , 우럭 5짜,4짜,3짜 50여마리(조황사진을 동생이 찍어 크기 사진은 못찍었내요...ㅠㅠ)추천웜: 핑크,멸치,레드,오랜지 단차: 기본 60십 이상 봉돌: 20호~30호아쉬음: 답사를 다녀온 포인트에서 광어를 1마리 밖에 못잡은게 제일 속상합니다...ㅠㅠ           대신 싸이즈좋은 우럭을 많이 잡아서 조금은 위로가 되는듯합니다중요사항: 드렉조절은 필수, (스피닝 릴, 우럭대는 아니아니 아니되요~)   

대성호(낚시전용선)
대성호캡틴 05-30 3,662
1176

5월30일 뺏지이벤트 주인공 인증

​안녕하세요? 남당댁 인사드립니다.^^ 오늘 5월 30일!! 황금같은 토요일 많은 고객님들이 찾아주셨습니다.^^ 정말 감사드려요!! 오늘 뻇지 주인공이 많이 탄생했는데요!! 한번 보시쥬~~ 뺏지 주인공은 나야나!!! 뉴대성호 우럭애 56센티 개우랙이가 나왔네요^^ 대물뺏지! + 배 1등 해서 총 2개의 뺏지 나갑니다.^^축하드립니다.^^!!!!!! 대성1호! 참돔타이라바 연속 2뺏지 인듯 합니다.!!신용건님 축하드립니다.!! 오늘 대물 1 + 배1등 입니다.!! 총 2개네요~완전 축하드립니다.!!  피크닉호!! 오늘 생새우 외수질 나갔습니다.^^ 시크, 츤데레 선장님과 멋진 한컷!축하드려유!!  뉴궁리호 참돔 타이라바!!! 반가운 클럽씨 단골 강창*닙 이십니다.!!오늘 참돔 7개올리셨습니다.!!^^진짜 축하드려유!!!!  용진호 다운샷 출조!! 김철수 님이십니다.!!! 축하드려유! 동백호 독배 출조!!초보이시지만 배에서 1등 차지!!변기완님이십니다. 축하드립니다.!!  해성호 출조하신 김용필님!! 오늘 6분단체 리더이십니다.! 리더답게 1등 획득!!! 대성2호 출조하신~~~~~양~~~진혁 님이십니다.^^ 쌍둥이신데 사무실에서 놀랬습니다.^^ 낚시실력은 여전히 인정~축하드려유~^^ 마지막으로 대성호 임팩트팀 매니저 축하드려유~~ 

클럽씨남당댁
남당댁 05-30 3,753
1175

5월30일 대성1호 참돔조황

 많진않지만 꾸준히 나와주었네요.뱃지이벤트 1등하신 신용건님이 대물도 잡으셔서 뱃지 2개  축하드립니다.

대성1호(낚시전용선)
대성1호 05-30 4,178
1174

5월30일 뉴궁리도 참돔타이라바조황

안녕하세요? 뉴궁리호 5월 30일 참돔 타이라바 조황입니다. 피싱훅 장호* 스탭님 필두로 단체 6분(올 대여대), 김수*님 여조사님3분 또한 타이라바 초보,부부조사님도 오늘 낚시 초보?, 그리고 단골 고객님 강창* 님 까지! 총 14분 출조하였습니다.  오늘 아침부터 걱정되는 시작이었죠!! 허리도 안좋은데 클럽씨피싱 뉴궁리호 위해 접힐 것 같은 허리 펴고!! 장호*스탭 님 열일 하셨나 봅니다.조황보시죠!!!!(ft. 타이라바? 초보도 도전해봅시다? 그래도 잡는사람은 다잡는다)   아침부터 꽝~~ 치시다가 마지막 입항 전 올리셨답니다. 용왕님 감사합니다.하는 마음으로 절 올리는^^ 개그맨 조사님이심이 틀림없네요~^^  오늘 대박 주인공!!!강창*님!! 혼자 7개 올리셨음돠^^실력 여전하시네요^^ 축하드립니다.

+3 뉴궁리호(낚시전용선)
남당댁 05-30 4,911
1173

5월29일 뉴해랑호 중외만 우럭 조황

생활낚시의 묘미는 약간의 미숙함에 있는 듯 합니다.조금은 서툴지만 그래도 아들과 함께하는 아버지나 친구, 연인과 함께 작은 물고기 한 마리라도 잡음 좋은...^^오늘은 웜만 쓰시는 분과 생새우 쓰시는 분... 오징어만 쓰신 분들그리고 초보와 고수의 조과차이가 극명히 나는 하루였네요...윔만 쓰신 분들은 그래도 쓸만한 우럭, 광어 몇마리씩 가져가시구여.오징어 쓰신 분들은 놀래미, 우럭등 싸이즈 천차만별의 마리수 위주 조황입니다.감을 못잡으시는 초보분들은 역시나...ㅠㅠ 그래도 초보로 처음 클럽씨에 입문하셔서 꾸준히 몇년간 다니시던 분이 오늘 뺏지 획득.. 작년부터 일취월장하시더니 드디어...ㅎㅎ축하드립니다.. 꼭 10개 채우셔서 쭈꾸미 우선예약권 따시기 바랍니다...^^오늘도 수고 하셨고.. 다음엔 더 좋은 조황으로 보답하겠습니다...  

뉴해랑호(낚시전용선)
뉴해랑호 05-29 3,665
1172

5월29일 대양호 외수질 조황

 

대양호(낚시전용선)
바다이야기 05-29 3,252
1171

5월29일 뺏지이벤트 주인공 인증

안녕하세요? 5월 29일 금요일 뺏지 주인공 발표합니다~!! 뉴해랑호 김정진님!!! 축하드려유~ 올해 벌써 뺏지 2갠거에유?? 와우와우!!   뉴대성호 p&f 정기출조 단체!!!!오늘 멀미로 다들 누워계실때~ 멀미 없어서  성공하신 박영록님입니다.!

클럽씨남당댁
남당댁 05-29 3,613
1170

5월28일 대성1호 참돔조황

 오늘은 4분 조사님이라 오늘의 뱃지는 없네요

대성1호(낚시전용선)
대성1호 05-29 3,430
1169

클럽씨피싱 참돔 타이라바 조황영상 (뉴궁리호, 대성1호)

  안녕하세요~ 조PD입니다!!   작년 거정호 사무장을 하면서 배운 타이라바를 뉴대성호에서 써먹을 수가 없어 비번인 날엔 대성1호와 뉴궁리호를 승선하곤 합니다.  "우리 타이라바 멤버들과 함께 하거든요~" 올해 짬짬히 만든 타이라바 영상이 두편!최근에 다녀온 뉴궁리호와 감성돔을 올렸던 대성1호 영상으로 각각 만나보겠습니다.아래 링크를 클릭! 클릭!뉴궁리호 -->> https://youtu.be/4Yf6H397xwk대성1호 -->> https://youtu.be/p_5yZscB0fU 

뉴궁리호(낚시전용선)
조PD 05-28 3,910
1168

5월21일~22일 완도 거정호 갈치낚시 현장영상!!

  안녕하세요~ 샵매니져 & 현 뉴대사무장 & 전 거정호사무장 조PD입니다^^   제가 지난주 목요일. 선단 식구 및 거정호와 친하신 조사님들 몇 분을 모시고 완도 다녀온 것을 많은 회원님들께서 알고 계시더라고요... "영상 언제나오냐공~" 몇 분이라도 관심가져주신 것 진심으로 감사합니다!! 클럽씨의 한 식구로 은혜 갚도록 하겠습니다^^그리하야 아래 링크에완도 클럽씨피싱!완도 거정호!생소할 수도 있는갈치낚시의 세계로 초대합니다~아시죠? 저와 팝콘 대양호 김선장도 갈치낚시 처음.가시죠~ 갈치잡으러!----> 클릭!! https://youtu.be/1mflGxSBi94 ----> 클릭!! https://youtu.be/1mflGxSBi94  ----> 클릭!! https://youtu.be/1mflGxSBi94   

+2 블루원(낚시전용선)
조PD 05-28 3,786
1167

5월27일 대성1호 참돔조황

 

대성1호(낚시전용선)
대성1호 05-28 3,320
1166

5월27일 뺏지이벤트 주인공 인증

 안녕하세요? 클럽씨피싱 이벤트 뺏지 주인공 인증입니다.!!  오늘 5월 28일 대성1호  참돔 타이라바 뺏지 주인공은요? 축하드립니다.!! 박영호님이십니다.!탑원팀들은 모두 실력자시군요? ^^ 축하드려유~ 

클럽씨남당댁
남당댁 05-27 3,592
1165

5월 27일 7人 대성호 다운샷조황

오늘도 일곱분 모시고 다녀왔습니다~일곱분중에 생에 첫 다운샷을 하신분이 4분...오늘까지 3번째 출조하신분이 한분.....그래서 다운샷교육 해드리고 웜 끼워드리고 드랙조절 해드리고 채비 만들어 드리고 암튼 막막 했습니다그러나 단 한분도 낚시도중 쉬거나 주무시는 분이 없고 우리 조사님들 얼마나 열심히 낚시를 하신는지 참 감사했습니다그결과 일곱분 전원 광어 희트 희트 희트~~~5짜 올라오고 6짜 올라오고 7짜 올라오고 우럭 3짜~4짜~5짜 올리시고 열심히 낚시해주셔서 너무 감사합니다 그리고 오늘 출조하신 우리 조사님들께서 얼마나 마음이 넓으신지  4짜 미만 광어는 그냥 방생하시고 5짜 우럭 두마리나 회를 뜨셔서 점심때 다같이 드시고....ㅠㅠ (전 사진이 필요한데...ㅠㅠ) 그래도 조사님들 덕분에 저도 너무 즐거웠습니다~다음에 또 뵈요~^^대성호에 승선 하신 모든 조사님들께 선장이 직접 광어 잡는 법을 교육 할 것이며 낚시 도중  1:1 맞춤 교육을 진행합니다(그럼 줄은 누가잡고 배는 누가 움직이냐구요?  궁금하시면 낚시 하러 오세요~~~)오늘 보다는 내일이 내일 보다는 모레가 하루 하루 더 노력하여 발전하는 대성호가 되도록 최선을 다 하겠습니다  날씨; 맑음물색: 맑음 조황: 광어 20마리 4짜 미만 5섯마리 방생, 우럭 5짜,4짜 20여마리추천웜: 핑크,멸치,레드,오랜지 단차: 기본 60십 이상 봉돌: 20호~30호아쉬음: 릴링중 대광어 2번이나 터짐, 원인: 드랙조절  드랙조절  드랙조절~~~~~~~~~~~~~~~중요사항: 드렉조절은 필수, (스피닝 릴, 우럭대는 아니아니 아니되요~)   

+1 대성호(낚시전용선)
대성호캡틴 05-27 3,488