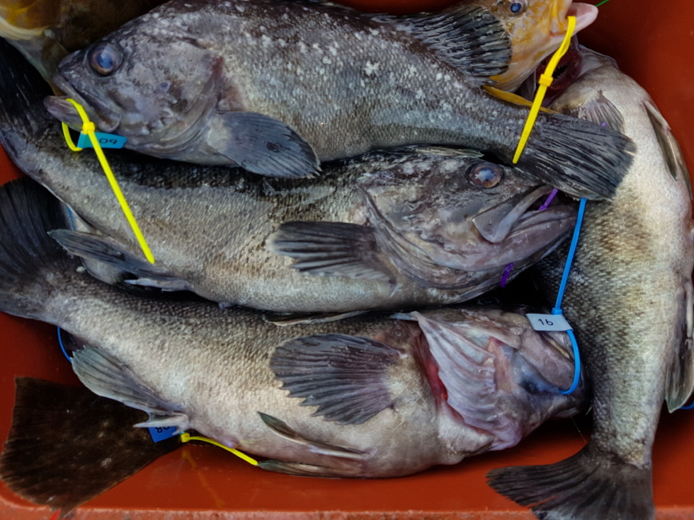
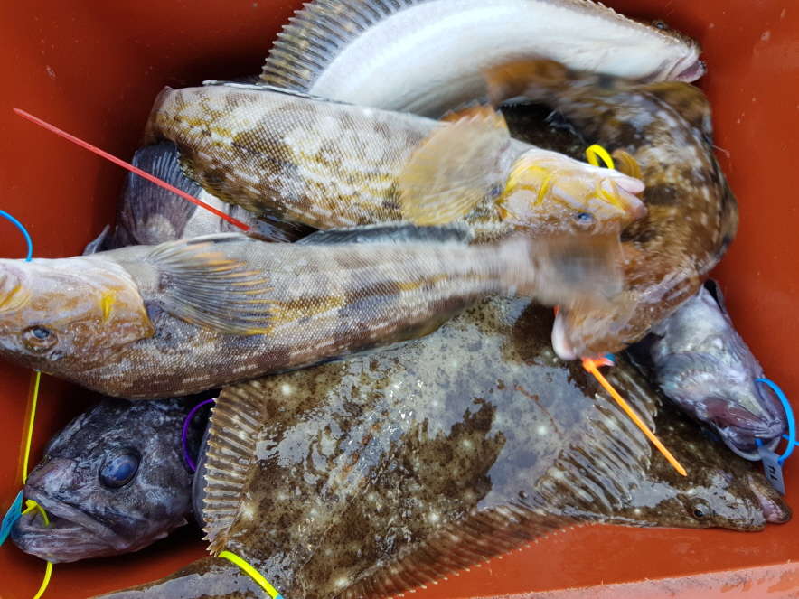
오늘도 광어와 우럭 파티한 날입니다.
출항이 5시에서 4시로 변경되어 일찍 출항하니까 좀 나은거 같네요.
오늘은 생새우로는 개우럭을 다운샷으론 광어를 잡았는데
오전에 잘 나와줘서 오늘도 푸짐한 하루가 되었습니다.
제 생각대로 "뭐든지 많이 잡자"가 통했던 하룹니다.
모두 수고 많으셨습니다.
앞으로도 더욱 좋은 조황이 될수 있도록 노력하겠습니다.
오늘 모두 만족하셨나요?
17.18,19,20번 손님(안*수님) 오늘 즐겁게 낚시해주셔서 감사합니다.
다른분들도 감사하구요.
모두 건강하시고 행복하세요.
감사합니다 ^^꾸벅^^

오늘도 광어만한 개우럭들이 많이 나와줬습니다. 개우럭도 역시 생새우를 좋아하나 봅니다.

오늘은 우리 사무장님이 오전내내 여기저기 쫒아다니느라 화장실도 제대로 못갔다고 합니다.

그렇게 좋아유?









광어보다 더 좋은 우럭입니다.
모두 수고 많으셨습니다.
감사합니다.