[대성호(낚시전용선)] 8월 28일 거정호 참돔 타이라바 조황

  • 조PD
  • 0
  • 5,666
  • 글주소
  • 08-30

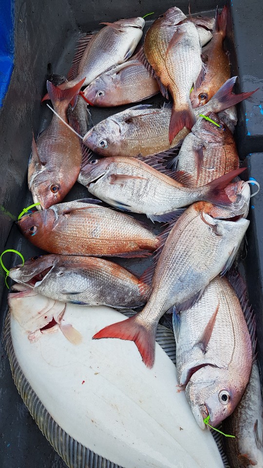
19. 08. 28. 수요일 거정호 조황!

금일 일곱분의 회원님을 모시고 출항!
아직 물이 적어 그런지 입질이 시원하지 않습니다.
지렁이를 쓰면 백조기! 그 백조기를 피해야 참돔의
얼굴을 만날 수 있다는...
이제 금주 토요일과 추석 당일이 올해 남당에서의 거정호
마지막 타이라바가 되겠군요^^
참으로 아쉽습니다.
아래 조황사진입니다. 











 

조황정보

번호 제목 글쓴이 날짜 조회수
604

9월2일 뉴대성호 주꾸미조황

어제보다는 10~15프로 상승하였습니다^^늦게까지 잘잡아주셔서 감사합니다~자세한내용은 블로그로 놀러오세요~한망탱이사진은 부부조황입니다^^ 

+1 뉴대성호(낚시전용선)
뉴대성호 09-02 6,509
603

9월1일 용진호 주꾸미조황

 

뉴대성호(낚시전용선)
뉴대성호 09-02 5,475
602

대성1호 9월 1일 쭈꾸미 조황

첫날인데도 비교적 준수하게 잘 나왔습니다.아쉬운점은 나오는데 몇몇분이 만족하시고접으셔서 더 잡을수 있는데도 아쉽게 철수하였습니다  

대성1호(낚시전용선)
대성1호 09-02 4,620
601

9월1일 거정호 주꾸미조황

19. 09. 01 거정호 쭈꾸미 스타트~안녕하세요. 거정호 조PD입니다. 참돔 타이라바를 마치고 쭈꾸미를 오늘시작하였는데요. 처음이다 보니 낚시도 서툴고 식사준비며 마무리며 많이서툴렀습니다. 이해해 주셔서 감사합니다. 금일 김근한님이 속해 계신 BDJ 회원님들 및 참돔무사 장상순님, 윤일봉님 등 20분의 회원님들모시고 원산도로 시작해서 천수만까지 두루두루 다녔습니다. 초반치고 씨알고 괜찮은 놈들도 섞여 올라오고 갑돌이도 깜빡 방문을 했습니다.먹물 제대로 한 방 맞았습니다 TT오늘부터 출동한 조PD의 드론인 일명 "조드론"도 출동하였답니다^^  

대성호(낚시전용선)
조PD 09-01 5,791
600

9월1일 첫 주꾸미 뉴궁리호 조황

 

뉴궁리호(낚시전용선)
바다이야기 09-01 6,060
599

9월1일 대성호 첫 쭈꾸미조황

오늘 주꾸미 첫 출항이라 많이 부담스럽고 걱정도 많이 했는데 중간중간 소강상태가 있긴했어도 잘 나온 하루였습니다.주로 4-5미터권에서 낚시를 했는데 재미있었습니다.무슨 주꾸미배가 그리 많은지...100마리에서 350마리 사이로 잡은거 같네요. 우리 꾼님들 날씨도 더운데 고생많으셨습니다.올해 주꾸미는 현 상황으로 봐서는 상당히 좋을것 같습니다.오늘 쬐끔한놈들 잡느라고 수고하셨습니다.감사합니다. 

대성호(낚시전용선)
대성호 09-01 5,504
598

해성호9월1일 쭈꾸미 조황

올해 첫 쭈꾸미 다녀왔읍니다 물때탓에 좀 힘들기는 했지만 일부 시간대 빼고는 그래도꾸준히 나와 주었읍니다단지 아직 씨알도 작고 갑이도 작고하지만 이런 시작이라면 올해도 기대가 되네요오늘 1년을 기다려서 맞이한 쭈꾸미 조업에 그래도즐거운시간 보내신 듯 해서 다행이라 생각합니다오늘 조업하신 울 조사님들 푹 쉬셔요고생 많으셨읍니다  

해성호(낚시전용선)
해성호 09-01 5,619
597

9월1일 뉴대성호 주꾸미조황

오늘은 물때가 가장안좋긴하지만꾸준히나올때도 막나올때도 뜸하게나올때도 있는 하루였네요~첫스타트가 좋습니다^^씨알도 작은편이긴하지만 괜찮은 사이즈였습니다시즌초반이라 키로수는 많이나오진않고마리수는 제법 나와주었습니다^^아직 수온이높기때문에 주꾸미를 지퍼팩에담아아이스박스에 보관해주세요~ 상할수있어요~자세한내용은 블로그로 놀러오세요~ 

+1 뉴대성호(낚시전용선)
뉴대성호 09-01 5,858
596

8월 31일 뉴대성호 백조기졸업식(feat.감사이벤트)

8월31일 뉴대성호 백조기 졸업식(감사이벤트) 7.8월 무더운 날씨에도 열정하나로 백조기 낚시 찾아주신고객님들위해 감사이벤트와합께 졸업식다녀왔습니다.올해 새롭게 백조기 입학해주셔 졸업식까지 찾아주신 고객님과, 작년도, 올해도 함께 해오신 고객님들과졸업식 진행하며 소소한 대회? 를 치뤘습니다.마지막날인만큼 유종의 미를 장식하고 싶었지만....시즌이래 마릿수는 최악이었네요..하지만! 마지막 손맛을 잊지말라는 뜻인지왕백조기들은 역대급으로 많이 나와주어 씁쓸한 마음을 달래줍니다.졸업식 자세한 내용은 블로그로 확인해주세요~^^  

+1 뉴대성호(낚시전용선)
남당댁 09-01 5,486
595

8월31일 대성1호 백조기졸업식

백조기 졸업식 잘마무리했습니다이제 주꾸미시즌입니다^^

대성1호(낚시전용선)
뉴대성호 09-01 5,053
594

8월 31일 뉴해랑호 백조기 졸업식...

대사리라 좋치않은 조황에도 마지막까지 함께 즐거운 시간 보내주신 조사님들 감사드립니다...^^1등은 백조기 74수하신 박재인님이 차지하셨네요.쭈꾸미도 백조기처럼 대박 조황이어서 모두 즐거운 시즌을 보냈음 좋겠네요함께 하지 못한 다른 조사님들도 다음에 이런 기회 만들어 다시 만나뵐께요.사랑합니다...ㅎㅎ2019년 백조기가 오늘로 끝이 났습니다.

뉴해랑호(낚시전용선)
뉴해랑호 08-31 4,646
593

8월 31일 거정호 참돔 타이라바 조황

19. 08. 31. 거정호 참돔 타이라바 조황안녕하세요. 내일부터 쭈꾸미시즌이라 사실 오늘이 19년도 마지막 타이라바입니다.그래서 그런지 많은 분들이 예약해 주셨습니다. 감사합니다.나름 타이라바 졸업식인데 조황이 시원하지 못해 아쉽습니다.9월 13일 정말 마지막 타이라바가 있답니다.올 한해 동안 거정호의 참돔 타이라바 사랑해 주셔서 감사드립니다.이제부턴 쭈꾸미, 갑오징어로 만나겠습니다^^  

대성호(낚시전용선)
조PD 08-31 5,084
592

8월 28일 거정호 참돔 타이라바 조황

19. 08. 28. 수요일 거정호 조황!금일 일곱분의 회원님을 모시고 출항!아직 물이 적어 그런지 입질이 시원하지 않습니다.지렁이를 쓰면 백조기! 그 백조기를 피해야 참돔의 얼굴을 만날 수 있다는...이제 금주 토요일과 추석 당일이 올해 남당에서의 거정호마지막 타이라바가 되겠군요^^참으로 아쉽습니다.아래 조황사진입니다.  

대성호(낚시전용선)
조PD 08-30 5,667
591

8월28일 뉴대성호 백조기조황

오늘은 초보분들이 많이찾아주셨는데요~잘잡으신분과의 격차가 어느때보다 컸네요~잘잡으신분은 최강부부 두분이서350수를 잡아주셔서장원을하셨네요~멀미에 낚시를 많이못하신분 쉬엄쉬엄하신분등 50~80수잘잡으신분들은 100수이상 150~200수까지 격차가많이나서아쉽다면 아쉬운 하루입니다계속 너무잘나와서 그런지 좋은 조황에도 불구하고많이 못잡은 느낌입니다~~자세한 조황은 블로그로 놀러오세요^^ 

+1 뉴대성호(낚시전용선)
뉴대성호 08-28 5,437
590

8월27일 뉴대성호 백조기조황

오늘도 백조기 다녀왔습니다아직까지도 잘나와주네요^^비도오고 힘들었을텐데 잘잡아주셔서 감사합니다자세한내용은 블로그로 놀러오세요~ 

+1 뉴대성호(낚시전용선)
뉴대성호 08-27 5,741
589

8월 26일 거정호 참돔 타이라바 조황

19. 08. 26 거정호 참돔 타이라바 조황! 안녕하세요. 조드론 조PD입니다. 금일은 5분의 회원님들을 모시고 출조하였습니다. 낚시를 처음하시는 분께서 당당하게 2마리 올려주십니다. 역시 어복이 있는 10번자리에서 열심히 릴링하신 결과입니다. 제 친구도 승선했는데 3마리 올립니다. 신기하게 낚시를 잘하더라고요.... 조PD는 4번 랜딩해서 3번 털렸습니다. 맨탈붕괴~~ㅎㅎㅎ 바람은 없고 해가 쨍쨍하여 오후에 지쳐가는데도 열심히 해주셔서 감사합니다. 입항하면서 갑오징어 포인트 한 곳 탐사도 하였습니다. 아직, 귀엽습니다^^ 9월 갑오징어 많이 사랑해 주세요~ 갑오징어는 거정호, 대성1호 운영합니다. 참돔!! 정말 몇일 남지 않았습니다. 손맛보러 오세요~  

대성호(낚시전용선)
조PD 08-26 5,291
588

8월26일 뉴대성호 백조기조황

연이은 대박조황입니다^^24일은 고근수님의 개인기록갱신 220마리및 전체조황2200마리25일은 뉴해랑호의 고수들의 기록갱신200수이상오늘은 100조기 입항이 아니고 150조기입항 15인 총2000마리조기입항하였습니다~백조기는 끝나가는데 더잘나오네요^^이제 27일28일만 남았군요 주꾸미시즌준비로 29일30일 정비하고마무리는 31일에 감사 이벤트 진행하겠습니다^^특히 오늘 김종천님께서는 3번째 백조기인데작년 처음에는 30수 그리고 70수오늘은 160수를 잡아주셨네요~고생하셨습니다^^자세한내용은 블로그로 놀러오세요^^ 

+1 뉴대성호(낚시전용선)
뉴대성호 08-26 5,606
587

해성호 8월25일 백조기조황

아침부터 꾸준히 잘 나와주었읍니다전날보다 덜 나왔구 해도 쨍쨍해서 약간은상대적으로 힘들긴 했으나 즐거운 하루였네요더운날씨에 고생 많으셨읍니다 

해성호(낚시전용선)
해성호 08-26 4,547
586

8월 25일 뉴해랑호 백조기 대박 조황~~!!^^

오늘도 기록 갱신하고 돌아왔습니다...사실 처음 출조때부터 내노라하는 조사님들이 몇 분 타셔서 은근 기대했었는데역시 실력은 배신하지 않습니다..ㅎㅎ3분이 200수 이상을 잡으셨습니다. 조황사진을 찍는데 조사님들이 다들 지치시고 힘들어하셔서1등하신 조사님만 양해구해 항구에 들어와서 찍고나머지 분들은 초스피드로 찍었네요..아, 유일하게 오전에 지렁이 떨어져서 백수 못넘기신 조사님께는 사과말씀드릴께요..어떻게든 낚시하실 수 있게 해드렸어야 했는데.. 그렇게 되지 못해서참 하루종일 저도 맘이 불편했답니다.ㅠㅠ담에 오심 제가 더 신경 써서 그런 일이 없도록 미리미리 준비하도록 하겠습니다.오늘 조사님들 너무들 고생많으셨구여... 열심히 낚시해주셔서 감사했습니다.  

뉴해랑호(낚시전용선)
뉴해랑호 08-26 5,206
585

8월25일 뉴대성호 백조기조황

오늘은 가족애가 넘치는 뉴대성호입니다^^ 딸을 대려오신분 와이프 대려오신분 아버님 모셔오신분 김상태님께서는 어머님을 모셔오셔서 지렁이끼워지고 백조기손질하고~ 고기띄어주고 아주힘든낚시를 했지만 효자네요 효자^^ 그래면서도 100수를 넘게잡아주셨습니다 어머님도 많이잡아주셨구요^^생애첫낚시도있고 낚시경험이 적은분들도있었지만여기저기 만쿨이군요~전체조황은 떨어졌지만어제에이어 오늘 연짱하신분 기준으로는 조금씩더잡았네요^^자세한내용은 블로그로 놀러오세요^^  

+1 뉴대성호(낚시전용선)
뉴대성호 08-25 5,303