[대성호(낚시전용선)] 8월 2일 거정호 참돔 타이라바 조황

  • 조PD
  • 0
  • 5,303
  • 글주소
  • 08-02

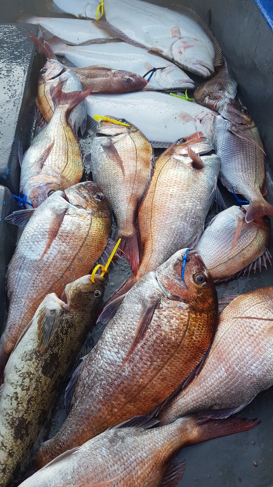
  2019. 08. 02. 금요일 조황입니다.

  
  금일 무더운 날씨속에 열심히 해주신 회원님들께 다시 한번 감사드립니다. 
시원한 음료를 준비하였는데도 부족한것 같습니다. 주말인 내일과 모레는 
얼음물도 충분히 준비하겠습니다. 
  참돔 씨알이 비교적 괜찮았습니다. 8짜가 조금 모자란 광어도 올라왔답니다. 
내일도 기대됩니다. 오늘 와주신 모든분께 감사드리며 댁까지 무사히 도착하셨으면 하는 바램입니다.
아래 조황사진입니다. 사진찍기 싫어하시는 분에 한해서 제가 뒷모습을 배경으로 찍었답니다^^












 

조황정보

번호 제목 글쓴이 날짜 조회수
544

8월 2일 거정호 참돔 타이라바 조황

  2019. 08. 02. 금요일 조황입니다.    금일 무더운 날씨속에 열심히 해주신 회원님들께 다시 한번 감사드립니다. 시원한 음료를 준비하였는데도 부족한것 같습니다. 주말인 내일과 모레는 얼음물도 충분히 준비하겠습니다.   참돔 씨알이 비교적 괜찮았습니다. 8짜가 조금 모자란 광어도 올라왔답니다. 내일도 기대됩니다. 오늘 와주신 모든분께 감사드리며 댁까지 무사히 도착하셨으면 하는 바램입니다.아래 조황사진입니다. 사진찍기 싫어하시는 분에 한해서 제가 뒷모습을 배경으로 찍었답니다^^ 

대성호(낚시전용선)
조PD 08-02 5,304
543

7월29일 대성호 농어외수질조황

오늘도 비바람속에서 소수인원모시고 농어외수질 다녀왔습니다.모두 힘드셨을텐데 열심히 해주셔서 감사합니다.수고 많으셨습니다.... 

대성호(낚시전용선)
대성호 07-30 5,096
542

7월29일 뉴해랑호 백조기 조황

오늘은 주말 총결산판입니다....^^토요일처럼 날씨는 좋은데 일요일처럼 바람불고, 너울 심하고...오전엔 토요일보다 잘 잡히고, 오후엔 일요일보다 바람터져서 줄안잡히고 고기 안나오고..ㅠㅠ그래도 오전에 심한 너울 견디시며 열심히 해주신 덕에 10시반쯤 백마리 돌파 하신 분이 나오시고전체적으로 13분중 6분이나 백마리클럽에 들어오셨네요...제 배 기준으로 올해 백조기 조황 중 최고의 날이었습니다.정말 출조전엔 심히 걱정이 많았는데 힘들다 생각않고 열심히 해주신 조사님들께 박수를 보냅니다...^^오늘 정말 수고, 고생많으셨습니다.줄잡느라 개인 사진 많이 못찍었네요.. 제가 소홀히 대한 건 아니니 양해해 주세요.. 

뉴해랑호(낚시전용선)
뉴해랑호 07-29 4,757
541

7월27,28일 뉴해랑호 백조기 조황

극과 극을 달린 주말이었습니다.토요일엔 올해 처음으로 백마리 넘기신 분이 나오시고, 일요일엔 딱 반토막 난 조황이 나왔네요.. 제일 잘 잡으신 분이 65마리시랍니다..^^토요일에 오신 분들께는 잘 나오고 있는데도 씨알이 아직 너무 작아서 큰 씨알 찾아다닌다고 시간을 허비한 부분이 아쉽고 죄송하고일요일에 오신 분들께는 그나마 나은 씨알과 3자 백조기도 몇 마리보이고는 했지만하루종일 비, 바람, 너울 땀시 너무 고생스러운게 죄송하네요..항상 부족함과 아쉬움을 간직한 출조라 언제나 정말 만족한 하루가 될지...주말 오신 분들 너무 감사하고 고생하셨습니다....^^사진은 토요일 개인 사진을 찍질 못해서 쿨러 몇개와일요일 조황사진으로 올리겠습니다. 일요일 조황입니다. 

뉴해랑호(낚시전용선)
뉴해랑호 07-28 5,237
540

7월28일 뉴대성호 백조기조황

데이터보다 날씨가 많이 안좋군요 ㅠ안전에 유의하여 출항다녀왔습니다첫포인트에서 씨알은 작지만 마리수를 잡고파도가쎄져서 내만에서 잡으려했으나씨알도 작고 잘나오지않아왕백조기사냥으로 전환마리수는 별로지만 가끔씩 나오는 왕백조기손맛이 굿^^힘든상황에서 열심히 낚시해주셔서 감사합니다다음에 찾아주시면 풍성한 조과로 보답하겠습니다^^ 

+1 뉴대성호(낚시전용선)
뉴대성호 07-28 5,736
539

7월28일 대성호 외수질조황

바람불고 꼴랑대고 그와중에 우리 꾼님들 고생많으셨습니다.시작하고 얼마안되어서 취소하고 들어가야되나 하는 생각도 했지만 낱마리로 꾸준히 나와줘서 꼴랑대는 배 배질열심히 했습니다.다행히 마지막에 쓸만한 놈들로 나와줘서 체면유지했네요.오늘 모두 비바람속에서 수고 많으셨습니다.감사합니다. 

대성호(낚시전용선)
대성호 07-28 6,403
538

7월 27일 거정호 참돔 타이라바 조황

  안녕하세요. 거정호 조PD입니다. 습하기는 했지만 다행히 큰 비가 오지 않아 낚시하기 좋은 하루였던 것 같습니다. 패턴파악이 쉽지 않았지만 저의 첫 수로 패턴을 찾아 참돔들을 올렸습니다. 금일은 선수분들이 제대로 힘을 못쓴 하루였네요^^; 금일은 지렁이가 대수였답니다. 꼭 사오세요^^ 참돔 뿐만 아니라 양태, 볼락, 우럭, 광어, 백조기, 아나고 등 많은 종류의 고기가 올라왔습니다. "다잡아 타이라바" 많은 성원 부탁드리며 아래 조황사진 및 랜딩영상 링크주소 올라갑니다. 클릭 -> https://youtu.be/S96mGkMe0ZA 클릭 -> https://youtu.be/S96mGkMe0ZA 

대성호(낚시전용선)
조PD 07-28 5,665
537

7월27일 대성호 외수질조황

오늘은 바람도 없고 뜨거운 햇살도 없는 그런 하루였습니다.오전엔 잘나왔는데 오후엔 상황이 좋지않은 조황이었습니다.날씨때문에 취소하신분이 많아서 소수인원으로 출조했는데 개개인의 조황차이가 많았습니다.오늘도 수고 많았습니다.감사합니다. 

대성호(낚시전용선)
대성호 07-27 5,125
536

7월27일 뉴대성호 백조기조황

예상대로 백조기가 잘나와주네요^^씨알이 아쉬워서 잠깐동안은 대물포인트로이동했지만씨알은 정말큰데 별로안나와서 일반포인트에서열심히 잡고왔습니다^^ 

+1 뉴대성호(낚시전용선)
뉴대성호 07-27 5,308
535

7월26일 대성호 농어외수질조황

오늘은 소수인원 모시고 농어외수질 다녀왔습니다.완전 수중전에 고생많으셨습니다.그래도 모두 즐거워하시는것같아 좋았습니다.마릿수가 좀더 되었으면 하는 바램인데 바람에 비에 편치않은 상황이라 조금 일찍 들어왔네요.내일은 바람이 없어서 좀더나은 조황이 될것같네요모두 수고 많았습니다.감사합니다. 

대성호(낚시전용선)
대성호 07-26 5,396
534

7월26일 뉴대성호 백조기조황

오늘은 비가많이와서 많은분들이 취소를 해주셨네요~~가신다는분이 계셔서적은인원으로 백조기다녀왔습니다바람불고 비에 파도에 아주 힘든 낚시였지만물때하나 믿고 다녀왔습니다 대박날만한 날이였지만 날씨때문에아쉽게 잡고왔습니다~그래도 잘잡으신분들이100수는 안되도 70수정도씩은 잡으셨네요^^씨알도 커서 만족도가 좀더 좋았을듯합니다멀미하신분들은 ㅠㅠ 아쉽네요~~날씨좋을때 다시오세요^^아~ 내일은 조심스럽게 대박예상합니다^^ 

뉴대성호(낚시전용선)
뉴대성호 07-26 5,007
533

7월 12~18일 거정호 참돔 타이라바 랜딩영상

  안녕하세요. 거정호 조PD입니다. 거정호 참돔 타이라바 랜딩영상을 제작하였습니다.7월 중순(12~18일)의 영상을 편집하여 구성하였습니다.항상 최선을 다하는 거정호 되겠습니다.아래 링크주소를 눌러주세요~https://youtu.be/xAYKBtJj1PA https://youtu.be/xAYKBtJj1PA 좋아요 및 구독해주시면 정말 감사하겠습니다. 감사합니다. 

대성호(낚시전용선)
조PD 07-22 5,588
532

7월16일 대성호 농어외수질조황

소수인원 모시고 농어외수질 다녀왔습니다.하루종일 해무속에서 고생많으셨습니다.너무 터트려서 정말 속상했습니다. 잘잡는분보다는 초보분들이 더 잘 잡은것같네요.모두 수고 많으셨습니다..감사합니다. 

대성호(낚시전용선)
대성호 07-17 5,845
531

7월14일 뉴대성호 백조기조황

어제씨알이 작다보니 좀덜잡혀도 좀더 큰걸로 잡아보자열심히 돌아다녔지만  아직도 작네요어제보다는 좀더크고 마릿수가 좀더나와주었습니다다음물때부터는 좀 쓸만하지않을까합니다^^백조기 처음하시는분들도 많으셨는데 잘잡아주셔서 다행입니다 

+1 뉴대성호(낚시전용선)
뉴대성호 07-14 6,357
530

7월14일 대성호 농어외수질조황

오늘도 대박을 기대하고 출항했습니다.씨알큰놈들 마릿수가 어제보다 못하고마릿수는 어제보다 나은것같습니다...날씨도 더운데 모두 수고 많았습니다..감사합니다.   

대성호(낚시전용선)
대성호 07-14 5,309
529

2019년 7월 13일 대성1호 참돔조황

손님 5분과 출조하여 각6마리,2마리,2마리 잡았습니다. 

대성1호(낚시전용선)
대성1호 07-14 5,239
528

7월13일 뉴해랑호 백조기 조황

올 해 처음으로 백마리클럽에 이름 올리시는 분이 나오질 않을까 했는데 아쉽게도 살짝 부족하네요..^^한참 잘 나올때 손질만 하지 않으셨어도 백마리 넘기지 않았을까 하는 분이 몇 분 정도 있었는데...어찌 됐건 많이 아쉬운 하루였습니다.씨알이 아직 많이 작기는 하지만 그래도 이 정도의 개체수가 있는 걸보면올 해 백조기도 풍년이 되지 않을까 기대해봅니다. 

뉴해랑호(낚시전용선)
뉴해랑호 07-13 5,225
527 바다이야기 07-13 4,958
526

7월13일 뉴대성호 백조기조황

백조기가 잘나와주네요근데 씨알이 아직 작습니다아쉬운 하루군요~그래도 열심히 낚시해주셔서 감사합니다^^ 

+1 뉴대성호(낚시전용선)
뉴대성호 07-13 4,552
525

7월13일 대성호 농어외수질 대박조황!!

오늘은 사이즈좋은 놈들로 거의 대박 조황이었습니다.아침부터 꾸준히 나와서 저도 우리 꾼님들도 행복했습니다.사이즈도 거의가 60이 넘어 손맛이 좋았을겁니다.오늘같이만 나와주면 정말 좋을텐데....글구 혜림아빠..미안해. 뜰채질 잘못해서 농어 놓쳐서...하여튼 모두 수고 많으셨습니다.감사합니다....참 7월23일 저희 클럽씨피싱 선단 다운샷대회를 합니다.많은분들이 오셨으면 좋겠네요.낚시대회에 대한 공지는 아래를 누르시면 됩니다..클럽씨피싱 선단낚시대회 공지http://www.clubsea.co.kr/post/1669  

대성호(낚시전용선)
대성호 07-13 5,337