[대성호(낚시전용선)] 7월 3일 거정호 참돔 타이라바 조황

  • 조PD
  • 0
  • 5,334
  • 글주소
  • 07-03

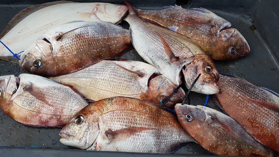
안녕하세요. 금일 거정호 조황입니다. 

수요일인 오늘 다섯분 조촐하게 모시고
한적하고 쾌적한 낚시를 하였습니다.
금일 날씨도 좋고 기분도 좋고.
처음 방문하신 부부께서 3마리 하셔서
시법을 알려드린 보람을 또 느낍니다.

승선하신 모든 회원님께 간식 나눠주신 사모님. 정말 감사드려요^^

복 많이 받으실 겁니다^^
거정호! 내일도 모레도 주말도 출조합니다.
마지막으로 아래 조황사진 올려드립니다.










 

조황정보

번호 제목 글쓴이 날짜 조회수
524

7월12일 대성호 농어외수질조황

오늘은 9분모시고 다녀왔습니다.조황은 별로 였지만 모두 열심히 해주셔서 고맙습니다..모두 수고 많으셨습니다... 

대성호(낚시전용선)
대성호 07-12 5,228
523

7월 12일 거정호 참돔 타이라바 조황

안녕하세요. 조PD입니다. 금일 초복에 5분 모시고 조촐하게 출항하였습니다. 금일 1물인데도 물방향과 바람 방향이 같아 70~80g을 사용하여도 바닦을 못 읽으시는 조사님이 몇 분 계셔서 선장님의 고민이 많았습니다.그 고민에도 오늘 선장님께서 7짜 참돔 올리셨답니다. 그것도 새로 구입하신 장비로~ 축하드립니다. 근데 슨장님. 손님이 올리셔야 하는 것 아닙니까???ㅋㅋㅋ 오후에 플로터와 GPS가 고장이나 일찍 입항하여 마릿수 조황을 채울 수 없었습니다. 함께해주신 회원님들껜 정중히 양해를 구했답니다^^ 다시 한번 "정말 죄송하고 감사드립니다." 아래 사진 올라갑니다. 내일 조PD 빠가 도전합니다. 다시 갑시다~~~ 

대성호(낚시전용선)
조PD 07-12 5,587
522

7월12일 뉴대성호 백조기 조황

시즌오픈 1일째 물때도 좋고 날씨도 좋고 어느정도는기대를 하고 나갔습니다다행이 예상대로 잘나와주는군요^^이번년도 백조기 풍년일것같습니다~~아직 시즌초반이라 씨알작은것들이 많이나와줍니다만30전후나 최대35짜리 왕조기도 올라오주네요~ 

+1 뉴대성호(낚시전용선)
뉴대성호 07-12 6,068
521

7월10일뉴궁리호 외수질조황

ㅈ조사님4분 모시고 수중전 했습니다

뉴궁리호(낚시전용선)
바다이야기 07-10 5,700
520

7월7일 뉴해랑호 백조기 조황

이제 백조기 시즌의 시작입니다. 라고 말하기엔 조금 부족한 하루였습니다...^^마리수는 전체 30마리정도에서 10여마리 정도의 조황이었는데씨알이 너무 작네요..^^처음엔 그래도 괜찮은 씨알의 백조기들이 낱마리로 하나하나 잡혔는데백조기는 몰려다니는 고기라 혹시나 하는 맘으로 여기저기 찍어보다보니그래도 다행이 후두둑 백조기가 나와주는데이넘의 씨알이..ㅠㅠ그래도 탐사인지라 슬슬 백조기때가 들어온 것만이라도 확인한 것에 의의를 두기로 했습니다...^^이제 조금만 지나면 슬슬 본격 백조기의 시즌이 돌아오지 않을까 기대해 봅니다... 

뉴해랑호(낚시전용선)
뉴해랑호 07-08 5,597
519

7월 7일 거정호 참돔 타이라바 조황

안녕하세요. 조PD입니다.새벽에 동풍이 강하게 불어 걱정했는데낚시할 즈음 바람이 잦아들어 오히려 비교적 시원한낚시를 할 수 있었습니다.점심때는 해무리(햇무리)도 볼 수 있었습니다. 한 때 우당탕고기들이 나와 정신 없었던 적도 있었네요^^;잡아주셔서 감사합니다. 요즘은 광어도 곧 잘 올라온답니다.월~목요일까지는 선박정비합니다. 금요일부터 출항 가능합니다.다음주 좋은 한 주 보내시고 무더위 거정호로 극~뽁~ 하시길 바랍니다^^마지막으로 9분의 참돔무사들께서 올린 조황사진입니다.   

대성호(낚시전용선)
조PD 07-07 5,187
518

2019년 7월6일 대성1호 참돔조황

손님3분 스텝2분 모시고 나가 손님 두분이 각 4마리,3마리 잡고 왔습니다. 

대성1호(낚시전용선)
대성1호 07-07 6,169
517

7월7일 대성호 농어외수질조황

오늘까지는 방류로 인해 낚시가 편치 않았습니다.뻘물에 까만색의 방류된물에....오늘은 조황이 별로네요.모두들 힘드셨을것 같습니다.수고 많으셨습니다..감사합니다. 

대성호(낚시전용선)
대성호 07-07 4,887
516

해성호7월6일 농어외수질 조황

13분 조사님들과 농어 외수질 다녀왔읍니다시작과함께 만조시간에 차도 한잔씩들하시고 여유롭게 시작했읍니다작지만 농어 얼굴도 보고 잡고기들도 봐가며한데 들물되면서 생명체보기가 힘들어지네요...혹시나하는 아쉬움에 조금 더 버텨봤는데울 조사님들 고생만 더 시켜드린듯 해서죄송합니다 농어사진이 없네요...잡어들두 따로 처리....담번엔 더 손맛들 많이 보시게 더욱 최선을 다 하겠읍니다고생 많으셨읍니다 

해성호(낚시전용선)
해성호 07-07 5,308
515

7월6일 뉴대성호 백조기탐사 3일차

백조기탐사 3일차~대사리기간이다보니 백조기가 잘안나오네요씨알은큽니다~아나고가 좀나와주고 잡고기도 조금나와주었습니다확실히시즌시작은 10일부터일것같습니다^^ 

뉴대성호(낚시전용선)
뉴대성호 07-07 4,930
514

7월 6일 거정호 참돔 타이라바 조황

금일 내륙에서는 폭염경보가 떴습니다. 그나마 바다는 시원했지만한낮에는 정말 더웠습니다. 그래서 얼음에 음료와 수박도 준비하여시원하게 드신 하루였습니다.금일 패턴을 파악하여 올리시는 분만 올린 하루였으며 저 조PD도 2수하여 짜릿한 손맛을 봤습니다.대리만족 하시라고 오늘 제가 올린 참돔 랜딩영상 올려드립니다.클릭 -> https://youtu.be/iLj8WVf-w2U클릭 -> https://youtu.be/iLj8WVf-w2U 클릭 -> https://youtu.be/iLj8WVf-w2U 영화예매권 타신 분 축하드리며 아래 조황사진 올라갑니다^^좋은 하루되세요~  

대성호(낚시전용선)
조PD 07-06 4,887
513

7월6일 뉴궁리호 외수질 조황

 

뉴궁리호(낚시전용선)
바다이야기 07-06 5,472
512

7월6일 대성호 외수질조황

오늘은 많이 기대를 했는데 댐 방류관계로 대박은 아니었습니다,하지만 쏠쏠하게 잡았네요.내일은 좀더 나은 조황이 될것같네요.무더운 날씨에 고생많았습니다..감사..감사합니다 

대성호(낚시전용선)
대성호 07-06 5,876
511

번외편 2탄. 타이라바낚시편

  안녕하세요. 조PD입니다. 번외편 2탄이 나왔습니다. 요즘 핫한 참돔낚시! 그중에서 타이라바입니다.설명과 함께 스펙타클한 영상에 아래 주소에서 기다리고 있습니다. 클릭 -> https://youtu.be/QMRefQaFtAY  클릭 ->  https://youtu.be/QMRefQaFtAY  클릭 ->  https://youtu.be/QMRefQaFtAY 저희 선단에서 타이라바는 거정호, 대성1호입니다.많은 사랑부탁드리겠습니다.다음편은 아마 "백조기"일 듯 합니다. 좋은 조황과 영상으로 3편 기다려주세요." I'll be back~ " 

대성호(낚시전용선)
조PD 07-05 4,789
510

7월 4일 거정호 참돔 타이라바 조황

2019. 07. 04. 거정호 금일 조황!!!금일도 조촐하게 6명의 참돔무사님들과함께하였습니다. 생각지도 못하신분들의 활약으로 재미있게 즐긴 오늘이었습니다.스크류의 줄이 감겨 고생하신 선장님의노고에 감사드리고 저희 거정호! 찾아주셔서 정말 감사드립니다^^앞으로도 한 분 한 분 정성을 다하겠습니다^^배에서 펼쳐지는 영화예매권 이벤트 재미있습니다.거정호로 오세요~ 아래 조황입니다. 

대성호(낚시전용선)
조PD 07-04 5,479
509

7월4일 용진호 5분 광어다운샷조황

오늘 5분의 지인을 모시고 새로운  낚시포인트로가서 낚시하고 왔습니다.가는곳마다  쏠쏠하게 광어가 반겨주네요.오전까지 포인트 확인하고 돌아왔습니다.이번주에는 이곳으로 가서 다운샷 할예정입니다오늘 수고 많으셨습니다.  

대성호(낚시전용선)
대성호 07-04 4,586
508

7월 3일 거정호 참돔 타이라바 조황

안녕하세요. 금일 거정호 조황입니다. 수요일인 오늘 다섯분 조촐하게 모시고 한적하고 쾌적한 낚시를 하였습니다.금일 날씨도 좋고 기분도 좋고.처음 방문하신 부부께서 3마리 하셔서낚시법을 알려드린 보람을 또 느낍니다.승선하신 모든 회원님께 간식 나눠주신 사모님. 정말 감사드려요^^복 많이 받으실 겁니다^^거정호! 내일도 모레도 주말도 출조합니다.마지막으로 아래 조황사진 올려드립니다. 

대성호(낚시전용선)
조PD 07-03 5,335
507

6월30일 뉴대성호 백조기탐사2일차

오늘도 백조기 탐사다녀왔습니다^^오늘도 마리수는 별로지만씨알은 크네요 잡고기들이 많이붙어줍니다그래도 부세랑 민어는 좋군요^^본격적으로 백조기 시작은 7월10일부터 나와줄것같습니다~ 

뉴대성호(낚시전용선)
뉴대성호 06-30 4,922
506

6월29일 뉴대성호 백조기탐사1일차

비가많이 온다는 소식에 다들취소하시고5분단체 모시고 널널하게 다녀왔습니다^^하루종일 수중전에 고생많이하셨습니다백조기는 씨알 큰걸로 보고만왔습니다~백조기들은 따로들 챙기셨고잡고기들이 많이나왔네요장대 뽈락 놀래미 우럭 복어 부세까지 

뉴대성호(낚시전용선)
뉴대성호 06-30 4,778
505 바다이야기 06-30 5,187