[뉴대성호(낚시전용선)] 5월17일 뉴대성호 단체조황

  • 뉴대성호
  • 1
  • 6,147
  • 글주소
  • 05-17

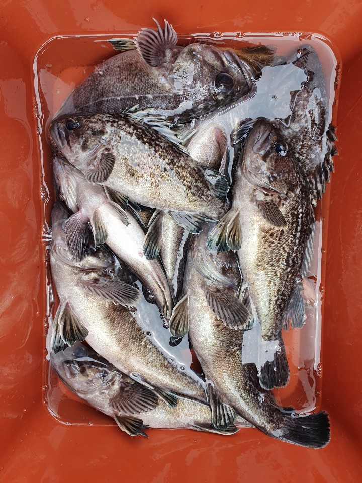
오늘은 회사단체8분이서 독배예약을 주셨는데요 블로그도 보시고오셨다는군요^^ 


조금늦게 나가서 밥먹고 조기입항하였습니다


실제낚시시간은 4시간정도로 많은시간은 아니였지만 모두 대만족하시고 즐겁게 다녀왔습니다^^


선상물고기낚시는 두번째지만 오늘이


거의다들 생애첫물고기가 되었네요^^


그전낚시는 다른항에서 한마리도 못잡아서


다시는 낚시못할뻔하였지만


그래도 오늘 다들 잡아주셔서 매년 낚시하시기로^^


다들 열심히 배워주시고 즐겁게 낚시해주셔서 감사합니다~


















 

조황정보

번호 제목 글쓴이 날짜 조회수
444

5월17일 뉴대성호 단체조황

오늘은 회사단체8분이서 독배예약을 주셨는데요 블로그도 보시고오셨다는군요^^ 조금늦게 나가서 밥먹고 조기입항하였습니다실제낚시시간은 4시간정도로 많은시간은 아니였지만 모두 대만족하시고 즐겁게 다녀왔습니다^^선상물고기낚시는 두번째지만 오늘이거의다들 생애첫물고기가 되었네요^^그전낚시는 다른항에서 한마리도 못잡아서다시는 낚시못할뻔하였지만그래도 오늘 다들 잡아주셔서 매년 낚시하시기로^^다들 열심히 배워주시고 즐겁게 낚시해주셔서 감사합니다~ 

+1 뉴대성호(낚시전용선)
뉴대성호 05-17 6,148
443

5월17일 뉴궁리호 다잡아 외수질 조황

7분 조사님 과 다녀왔습니다 

뉴궁리호(낚시전용선)
바다이야기 05-17 5,596
442

5월16일 뉴대성호 광어 다운샷조황

생애첫광어를 잡으신 초보3분팀과 몇분조사님과광어 다운샷을 다녀왔습니다 생애첫광어 축하합니다^^ 처음접하는 다운샷이라 어려움이 많았으리라 생각합니다 그래도 잘배워주시고 열심히 낚시해주셔서 감사합니다^^

뉴대성호(낚시전용선)
뉴대성호 05-16 7,225
441

5월 11일 거정호 타이라바 참돔 랜딩영상

안녕하세요. 거정호 사무장 조PD입니다. 짜잔~ 드이어 이쁜 참돔을 만났습니다. 참돔아! 내가 널 만나기위해 얼마나 기다렸는지 몰라... 아래 동영상링크주소 클릭해 주세욧!https://youtu.be/49kODxd0PNM 

대성호(낚시전용선)
TREX456 05-15 5,511
440

5월 12일 대성호 외수질 조황동영상

2019년 5월 12일 클럽씨피싱 대성호 외수질 조황 동영상입니다. 17분의 럭키피싱회원님들과 3분의 개인회원님과 함께한 즐거운 하루였습니다. 지금부터 아래 동영상을 재~생! https://youtu.be/vhtjJMM2vTw

대성호(낚시전용선)
TREX456 05-15 5,378
439

5월 10일 뉴 궁리호 동영상(외수질 다운샷)

2019. 05. 10 조PD와 함께한 생생한 뉴 궁리호 출조현장입니다.아래 링크를 클릭해 주시고 동영상 재생 시 1080HD를 선택하시면 보다 생생한 영상을 감상하실 수 있습니다.뉴 궁리호! 함께 하시죠... 큐! 이상 조PD였습니다.  https://youtu.be/G94_1u_5ClUhttps://youtu.be/G94_1u_5ClU 

뉴궁리호(낚시전용선)
TREX456 05-14 5,675
438

5월13일 뉴대성호 내만우럭조황

오늘은 초보팀과 단골분들 몇분과 조촐하게다녀왔습니다^^김정진님이 씨알괜찮은걸로 많이잡아주셔서 1등을하셨네요생애첫광어잡을때가 엊그제같은데 잘잡아주셨네요~생애첫물고기축하합니다^^ 42cm우럭과과쌍걸이를 해주셨네요 이후에도 잘잡아주셨습니다^^생애첫물고기 축하드립니다^^ 초보팀분들이잡아주셨습니다 많은 양은 아니였지만 즐거운 하루였네요^^ 클럽씨를 찾아주셔서 감사합니다~

뉴대성호(낚시전용선)
뉴대성호 05-13 5,045
437

5월 12일 뉴해랑호 내만우럭 조황

올 해 제 배 처음으로 8자 광어 잡았습니다..일단 8자광어 잡았다는 것만으로도 저에겐 행운의 하루였는데 오신 분들도 만족하고 돌아가셨음 좋겠네요...물이 안가서 선장입장에서는 힘든 하루였지만 그래도 4자우럭이나 광어 8마리, 장대 6자, 낚지등..ㅎㅎ 일단 내만권에선 괜찮은 씨알들이 나와줘서 감사했습니다...^^전체 조황은 어제보단 약간 떨어진 듯 하구여...잘잡으신 분이 20마리 이상 잡으셨다고 하고..못잡으신분은 6마리... 그래도 이 분이 광어 8자 낚으셔서 면피는 됐네요...^^ 아 낚지도 이 분이..ㅎㅎ조사님들 오늘 하루도 고생많으셨구.. 감사합니다.... 

뉴해랑호(낚시전용선)
뉴해랑호 05-12 5,875
436 바다이야기 05-12 5,503
435

5월11일12일 뉴대성호 광어다운샷조황

11일 12일 광어다운샷다녀왔습니다냉수대가 들어와서 광어잡기가 어렵네요조금씩이라 꾸준이 잡았어야했는데 안나온다고너무돌아다녔네요~~조황은 안좋았지만 다들 고생했다며 웃어주시며가시니 죄송하고 감사한 마음뿐이네요~다음주부터는 좀더나은조황이 예상됩니다^^최대한 잡을수있게 노력하겠습니다~11일요약 광어10개 개우럭몇수입니다혼자 생미끼하신분만 놀래미를 많이잡아주셨군요12일은 사진참고 11일생애첫물고기로 광어2개 축하합니다 12일생애첫광어 축하드립니다 사진은 못찍어드렸지만 이틀간 생애첫광어하신분들 축하드려요^^

뉴대성호(낚시전용선)
뉴대성호 05-12 5,073
434

5월11일 거정호 참돔 타이라바조황

짜잔!! 드디어 기다리고 기다리던... 참돔소식입니다.안녕하세요. 거정호 사무장 조PD입니다. 금일 거정호는 5분의 회원님을 모시고 이쁜 참돔의 얼굴을 보고 왔습니다.마릿수가 많지는 않지만 튼실한 참돔의 얼굴을 보여주신 3분의 회원님께 다시 한번 감사드리며아래 참돔사진 올라갑니다.!! 

대성호(낚시전용선)
TREX456 05-11 6,489
433

5월11일 대성호 외수질+다운샷 조황

오전에 좀 고전을 하고 오후부터 열심히 다녀서 진짜 먹을만큼 잡았네요.새우로 외수질하시는분과 광어다운샷을 하시는분 함께 낚시를 했는데 광어는 2분이 전체의 반이상을 잡았습니다.초보분들이 많아서 처음엔 고생좀 하셨을겁니다.그래도 열심히 잘 따라와줘서 고맙네요.농어를 잠깐해봤는데 낚시할만큼 마릿수가 안나올것같아서 포기하고 개우럭과 광어 집중했고 즐거운 하루였습니다.오늘도 모두 수고 많으셨습니다.감사합니다. 

대성호(낚시전용선)
대성호 05-11 6,161
432

5월 11일 뉴해랑호 내만우럭 조황

오늘은 평소때와는 조금 다른 패턴으로 낚시 다녀왔습니다.그래도 다행히 첫 포인트부터 꾸준히 우럭이나 광어가 한마리, 두마리.. 나와주네요티끌모아 태산이라고 폭발적으로 잘 나왔던 포인트는 없었지만하나 하나 모으다 보니 그래도 꽤 먹을만큼은 잡아가신 듯 하네요..무엇보다 작은 씨알의 우럭은 거의 없었고, 그래도 먹을만한 싸이즈의 씨알들이 나와주어서어찌나 고맙던지...^^ 우리 조사님들도 한마리 한마리 회떠서 맛있게 드시고...ㅎㅎ 이쁘게 포떠서 말려가시는 분도 게시고..하여간 오늘 조사님들 평소때보다 내리고 올리고 엄청 많이 하시느라 고생많으셨구여덕분에 즐거운 하루 보냈습니다....^^ 감사합니다...~~^^ 일케 만드셔서 한마리씩 한마리씩..ㅎㅎ 

뉴해랑호(낚시전용선)
뉴해랑호 05-11 5,868
431

5월11일 뉴궁리호 다잡아 조황

 

뉴궁리호(낚시전용선)
바다이야기 05-11 5,501
430

5월 7일 내만권 우럭, 광어 탐사

오늘은 대성2호, 대양호 선장님, 거정호 사무장님과 내만권 광어 탐사 다녀왔습니다.물도 쎄고 새로운 포인트 개발을 위한 것이라 이제껏 안찍어본 곳 위주로 다니고 채비도 광어와 우럭 겸용으로 만들어 사용해봐서 좀 걱정했는데다행이 나오네요..^^한두시간 다녀온 것이라 조황이 좋지는 않은데 그래도 사리물때에 다닐 수 있는괜찮은 씨알의 우럭포인트나 내만권 광어포인트를 확인 한 것만으로도 수확이라면 수확인 듯 합니다...이상 항상 노력하는 클럽씨 선단의 뉴해랑호선장이었습니다...^^특별한 채비는 아니고 그냥 다운샷 채비에 15Cm 높이에 우럭 가지채비해서 두가지 어종을 한꺼번에 노릴 수 있게 만들어 봤습니다.일단 오늘 실험의 결과로는 우럭채비가 웜에 방해되지는 않는 듯 한데 10Cm정도로 낮춰 사용하는 게 나을 듯 하네요... 

뉴해랑호(낚시전용선)
뉴해랑호 05-07 6,517
429

5월 4일 뉴해랑호 중외만 우럭 다운샷 조황

손님 6분만 모시고 중외만권다녀왔습니다광어 9마리, 우럭 쓸만한거 두마리 그리고 작은 것 여러마리와 놀래미, 뽈락등등조황이 그리 좋치는 않네요ㅠ그래도 올리다 놓치신 분들도 꽤 되고입질 자체는 꽤 받았다고 하시는 걸 보면 고기는 있는 듯 합니다이제 수온이 조금만 더 오르면 좋아지리 믿습니다하여간 오늘 오신 분들 고생많으셨고 담엔 더 나은 조황으로 보답하겠습니다^^ 

뉴해랑호(낚시전용선)
뉴해랑호 05-05 5,217
428

5월4일 대성호 광어다운샷조황

오늘은 여러가지로 상황이 좋지않은 하루였습니다.날물때는 그런대로 좋았는데 들물부터 수온이 떨어지기 시작해서 힘들게 낚시를 했습니다.생새우를 가져갔으나 농어낚시할 상황이 아니어서 거의 다운샷으로낚시를 했으며 마무리에 농어낚시를 했지만 물때가 맞지 않아서인지우럭만 몇마리 잡고 철수했습니다.내일은 좀더 다른 패턴으로 낚시를 해야할것 같습니다.오늘 모두 수고 많으셨습니다.감사합니다. 

대성호(낚시전용선)
대성호 05-04 6,104
427

5월4일 뉴대성호 광어탐사2일차

오늘도 탐사를 다녀왔습니다지진의여파인지 잘나와주지않았네요~2일간의 탐사로 많은것을 배웠다는거에는 탐사 성공이지만탐사오신분들께는 죄송한맘이군요그래도 2일간의 탐사기간동안다수의 생애첫광어잡으신분생애첫 물고기잡으신분큰성과라 생각해야겠군요^^ 생애 첫물고기로 놀래미를 잡아주셨네요^^  생애첫광어로 3광어하셨네요 축하합니다^^ 생애첫광어 축하합니다

뉴대성호(낚시전용선)
뉴대성호 05-04 5,558
426

5월3일 뉴대성호 광어탐사1일차

오늘 오신분들은 다들 단골분이시군요^^광어는 안해보신분들 광어별로 안해보신분들이였지만열심히 해주었네요잘안나오는 가운데 끝까지 낚시해주셔서 감사합니다^^생애 첫광어로 3마리잡으신분 축하드립니다내일도 탐사인데 오늘보다 조금이라도 나은조황기대합니다 

뉴대성호(낚시전용선)
뉴대성호 05-03 6,177
425

4월 29일 뉴해랑호 내만우럭 동영상 조황

4월 29일 조황이 뜬금없이 왜 또 올라오나 하실텐데저희 거정호 사무장 조PD께서 출조영상을 제작해 주셨네요...^^간단한 동영상인데 수고해주신  조PD께 감사드리고... 함 보시라고 올려봅니다...^^

+2 뉴해랑호(낚시전용선)
뉴해랑호 05-02 5,097