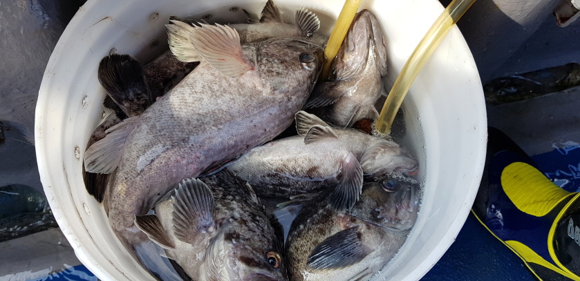
[대성호(낚시전용선)] 4월13일 대성호 먼바다 우럭,광어조황

  • 대성호
  • 0
  • 7,437
  • 글주소
  • 04-13


정말 오랜만에 날씨가 좋아서 즐거운낚시 즐기고 들어왔습니다.

우럭낚시위주로 낚시를 했는데 많이 잡으신분은 

하얀바께스를 가득 채우신분들이 4분이나 있네요.

이젠 점차 해수온도 오를거고 더좋은 조황으로 

여려분들을 맞을수 있을것 같습니다.

오늘 모두 수고 많으셨습니다.

감사합니다.
























 

조황정보

번호 제목 글쓴이 날짜 조회수
424

5월2일 뉴대성호 단체조황

오늘도 어제에 이어서 단체로 다녀왔습니다구명조끼완판 거의다 대여낚시대인 초보분들이지만생각보다는 잘잡아주었습니다^^7시반에 여유롭게 출항해서 들어올때까지즐겁게 낚시하다왔네요많은 양을 잡진않았지만 와이프와 뉴해랑호의특별참석으로 더욱 즐겁지않았나 싶습니다^^모두들 즐겁게 열심히 낚시해주셔서 감사합니다~ 

+1 뉴대성호(낚시전용선)
뉴대성호 05-02 5,520
423

5월 1일 뉴해랑호 내만우럭 조황

오늘 뉴대성호와 같은 일행의 단체손님을 모시고 내만우럭을 다녀왔습니다.오후에 바람이 터진다고 알고 있었기에 오전에 되도록 많이 잡아야 한다는 약간의 사명감을 가지고 첫 포인트에서 낚시를 시작했는데 갑자기 여기저기서 우당탕... ㅎㅎ9살, 꼬마 손님이 제법 큰 우럭쌍걸이를 하지 않나 7살인가.. 최연소 우리 귀염둥이도 지지않고 한마리...아.. 오늘은 대박나겠구나 했는데...ㅠㅠ그냥 오전엔 여기저기서 그래도 괜찮은 싸이즈의 낱마리 잡고 다니다가 그나마도 점심식사 후엔 뜸해지네요...잡으시는 우럭도 전문칼잽이 한 분이 바로바로 회뜨셔서 냠냠하시고..조황이 없네여..ㅋㅋ오후에 좀이라도 나왔으면 좋았을텐데 바람의 영향인지 저 스스로도 참 힘든 하루였습니다.매년 오시는 분들인데 작년엔 비오고 사리물때에 바람불고ㅋ어째 오시는 날마다 이런지.. 참 죄송스럽습니다..ㅜㅜ다음 번엔 꼭 좋은 물때 좋은 날씨에 오셔서 많이많이 그리고 즐겁게 보내고 가셨으면 좋겠네요.. 

뉴해랑호(낚시전용선)
뉴해랑호 05-01 6,057
422

5월1일 뉴대성호 단체조황

뉴대성호 뉴해랑호 콜라보레이션으로단체 28분을 모시고 우럭잡으로 다녀왔습니다첫포인트는 좋았으나 찬바람이불면서입질이 약해져서 고전하고왔습니다개인개인은 별로못잡았지만모아놓고 보니 제법잡으셨군요몇명씩 합친조황입니다~힘든낚시였겠지만 조금이나마 즐거운 낚시였기를바랍니다^^ 

+1 뉴대성호(낚시전용선)
뉴대성호 05-01 4,974
421

5월1일 대성호 광어다운샷조황

점심때부터 바람이 심하게 불어서 오전조황으로 마무리 된셈이네요.오전 10시쯤 약 50수정도 해서 오늘은 100수를 넘기겠구나 하고 생각했는데 딱 거기서 스톱하고 바람과 전쟁치르고 들어왔습니다.오늘 조황은 56수로 마무리했습니다.생새우로 농어포인트도 가봤는데 아직은 수온이 낮아서 입질이 없었습니다.대성호는 농어 나올때까지는 광어다운샷 위주로 낚시할예정입니다.오늘 해무에 바람에 모두 고생 많으셨습니다.감사합니다... 

대성호(낚시전용선)
대성호 05-01 6,092
420

5월1일 뉴궁리호 다운샷 조황

지인3분 모시고 다녀왔습니다

뉴궁리호(낚시전용선)
바다이야기 05-01 5,809
419

4월 29일 뉴해랑호 내만우럭 조황

오늘은 총 6분의 조사님과 이번에 새롭게 합류하신 거정호 사무장 조PD님을 모시고 다녀왔습니다.출조 인원이 적어서 인지 정말 가족같은 분위기로 하루를 재밌게 보내고 왔습니다.어제와 마찬가지로 작은 씨알이긴 했지만 그래도 가는 포인트마다 끊임없이 나와 주어서비가 와도 쉬지 않고 웃고 즐기고 왔네요.요 며칠은 정말 낚시배 선장으로써의 출조가 아니라 제가 평소 알고지내던 지인분들과 야유회다니는 기분이라 왠지 조사님들께 죄송한 맘이 들 정도입니다.^^적지않은 나이에도 불평 한마디 없이 그 비를 맞으시면서 열심히 낚시해주시고막내동생뻘도 안되는 저를 편하게 대해주셔서 정말 감사했습니다.^^  

뉴해랑호(낚시전용선)
뉴해랑호 04-29 5,231
418

4월28일 뉴궁리호 중외만 조황

 

뉴궁리호(낚시전용선)
바다이야기 04-28 5,678
417

4월28일 뉴대성호 내만우럭조황

물때는 좋은데 날씨는 안좋았네요아침에 비도오고 바람도좀불고 그래도 열심히 낚시해주셔서마리수는 좀잡고왔습니다~씨알이 아쉽지만 다들 알아서 방생해주셨습니다^^다들즐겁게 가시니 기분이좋군요^^감사합니다~ 

+1 뉴대성호(낚시전용선)
뉴대성호 04-28 5,056
416

4월 27일 뉴해랑호 내만우럭 조황

12분 단체와 5분 단체, 선상 구명조끼 17분 중 16개분 대여ㅎㅎ결론은 재밌는 하루 였습니다.올해 첫 출조이신 저희 클럽씨 손님일행분과는 해 넘기고 첨 뵈는거라 정말 반가웠다고 해야할까..작년까지는 이렇게까지 제가 편하게 대하진 못했던거 같은데 왠지 오래된 지인같은 느낌이....^^이런 게 바로 또 다른 낚시의 묘미일 듯 합니다..그리고 회사에서 단체로 오신 12분들은 다들 밝고 긍정적인 에너지가 넘치시는 분들이어서함께 한 저까지 행복하고 즐거운 하루였네요..조황이 조금 아쉽긴 했지만 그래도 이제껏생애 첫 낚시자분들을 동반한 단체조황이 좋아던 적이 거의 없었기에 그래도 선방했다고 나름 자위했습니다...^^아침에 갑자기 추워져서 고생들 많이 하셨을텐데 지금쯤 다들 편안한 집으로 안전하게 돌아가셔서 푹쉬고 계셨음 좋겠네요..오늘 하루도 감사했습니다...^^ 손님이 잡으신 쭈꾸미입니다...^^ 봉돌에 달려 올라왔다고 하던데 알배기는 전혀 아니고 딱 9월 중순싸이즈네요,쭈꾸미 낚시는 기다리시는 분들을 위한 헌정사진입니다...^^

뉴해랑호(낚시전용선)
뉴해랑호 04-27 6,491
415

4월27일 대성호 먼바다 우럭조황

이틀전부터 추울정도로 바람이 불더니 오늘은 수온이 오히려 내려갔네요.오늘은 우럭낚시위주로 다녀왔습니다.우째 광어가 오징어채비에도 잘나오네요.생새우 외수질을 해봤는데 아직은 별로 인것같습니다.수온이 10도 전후라 생새우가 들어가면 바로 기절해서 미끼역활을 못하는군요.오늘 욕심을 좀 내봤는데 생각만큼 잘 나오진 않았습니다.배에서 시조회 하진분들땜에 7-8마리는 점심때 회떠서 회무침으로 뱃속으로 들어갔습니다.각자 쿨러는 못찍고 광어몇마리 잡은거만 올렸습니다.오늘도 모두 수고 많으셨습니다.감사합니다. 

대성호(낚시전용선)
대성호 04-27 6,456
414

4월27일 뉴궁리호 조황 임니다

 

뉴궁리호(낚시전용선)
바다이야기 04-27 5,877
413

4월27일 뉴대성호 내만우럭조황

물때좋구 날씨좋구^^작년보다는 덜나오는 느낌이지만그래도 열심히 잡고왔습니다^^초보분들이많아 밑걸림이 심해서많이 뽑아드렸네요^^ (낚시대를)최근들어 가장많이 뽑아드렸습니다~ 

+1 뉴대성호(낚시전용선)
뉴대성호 04-27 6,508
412

4월21일 뉴궁리호 조황 임니다

어려운날 6분 조사님들 너무 고생 많으셨슴니다 좋치않은 여건에서두 늦은시간까지 열심히 해주셔서 죄송하고 감사했습니다.늘 최선을 다하는 클럽씨피싱 뉴궁리호가 되겠습니다. 

뉴궁리호(낚시전용선)
바다이야기 04-22 6,191
411

4월21일 대성호 먼바다 우럭,광어조황

오늘은 날씨도 흐리고 물도쎄고 뻘물이고.....정말 최악의 상황인데도 모두들 열심히 해주신덕에 그럭저럭 잡고 들어왔습니다.8분 모시고 나갔는데 광어가 우럭채비에 물리네요.많이 잡은건 아니지만 점심때 광어 3마리 회떠서 회무침해서 모두가 맛나게 드시고 못잡은분없이 들어왔습니다.해라도 쨍쨍하게 떳으면 좀더 잘나왔을텐데 아쉬움이 많네요.오늘 모두 수고 많으셨습니다.감사합니다.... 

+1 대성호(낚시전용선)
대성호 04-21 6,142
410

4월17일 뉴대성호 내만우럭조황

아침에 잡은 조황이 거의 다입니다 냉수대가 들어와서 그후에는 거의 잡질못했네요그나마 아침에 큰것들로 조금 잡았습니다~큰것들이나와서 개인사진은 좀찍었습니다다들 안나오는가운데 열심히 낚시해주셔서 감사합니다^^ 

뉴대성호(낚시전용선)
뉴대성호 04-18 6,884
409

4월16일 대성호 먼바다 우럭,광어조황

오늘은 오전내내 고전하다가 오후 들어서야 고기가 나오기 시작해서 끝날때까지 잘 나와줬습니다.오전에는 수온이 차고 물색이 좋지 않았는데 마무리가 좋았습니다.다들 기본조황 이상으로 한분도 못잡으신분없이 즐겁게 다녀왔습니다.오늘도 모두 수고 많으셨습니다.감사합니다.4월16일 대성호 먼바다우럭 낚시 동영상입니다.클릭하심 됩니다....클릭  https://youtu.be/NVIXGCJBgaw  

대성호(낚시전용선)
대성호 04-16 6,389
408

2019년 4월 13일 뉴해랑호 내만우럭 조황

2019년 첫 조황기 입니다.^^아시는 분들은 다 아시겠지만 제가 게으른 관계로 몇 번의 출조만에 겨우 이제야 조황기를 올리네요..ㅎㅎ이 날은 12명 독선으로 아이셋과 아버지들로 구성된 막강 단체였습니다.처음엔 아이들 동반한 회사야유회 개념이 아닐까 해서 조금 편하게 생각했습니다.실제론 고수분들 몇 분과 생초보분들, 아이들이 어울려진 처음보는 조합의 단체^^근데 어찌나 열심히들 낚시를 하시던지.. ㅎㅎ여하간 그래서 더 감사했습니다...간단 조황을 말씀드리자면 1,2등이 24,22마리(계수기사용) 정도 잡으시고 한두분 제외하고는 대략 10마리는 모두 넘게 잡으셨습니다.단체의 특성답게 중간에 조리를 위해 각출하신 우럭들이 있어서 정확한 집계는 좀 어려웠고 사진도 제대로 된게 없네여...그냥 참고만 하시라고 몇 장 올립니다.그래도 이제 슬슬 시즌이 시작하고 있구나 라는 걸 느낄 수 있는 하루였습니다.내만우럭답게 한분이 4,50마리 잡는 날이 얼렁 왔음 좋겠네요...오늘 오신 분 너무 열심히 해주셔서 감사드립니다...^^  

뉴해랑호(낚시전용선)
뉴해랑호 04-14 6,916
407

4월13일 대성호 먼바다 우럭,광어조황

정말 오랜만에 날씨가 좋아서 즐거운낚시 즐기고 들어왔습니다.우럭낚시위주로 낚시를 했는데 많이 잡으신분은 하얀바께스를 가득 채우신분들이 4분이나 있네요.이젠 점차 해수온도 오를거고 더좋은 조황으로 여려분들을 맞을수 있을것 같습니다.오늘 모두 수고 많으셨습니다.감사합니다. 

대성호(낚시전용선)
대성호 04-13 7,438
406

4월13일 뉴대성호 내만우럭조황

날도 좋고 물때도 좋구^^만족할만한 양은 아니지만부지런이 하나씩 잡고왔습니다일요일은 기상이 안좋아서 쉬고월요일은 출항합니다^^놀러오세요~~^^오늘도 고생하셨습니다  

뉴대성호(낚시전용선)
뉴대성호 04-13 6,633
405

4월12일 중외만우럭 뉴궁리호 조황

스텝 한분과 지인 4분 모시고 다녀왔습니다! 

뉴궁리호(낚시전용선)
남당댁 04-13 6,545